|
ƯÆÄ¿øÁ¶È²¼Óº¸
|
- º» °Ô½Ã¹°À» ¹«´Ü ´Ù¿î·Îµå, µµ¿ë, Àοë, ¸µÅ© ±ÝÁö.
|
HOME >¹Î¹°Á¤º¸ >ƯÆÄ¿øÁ¶È²¼Óº¸ |
 |
|
 |
|
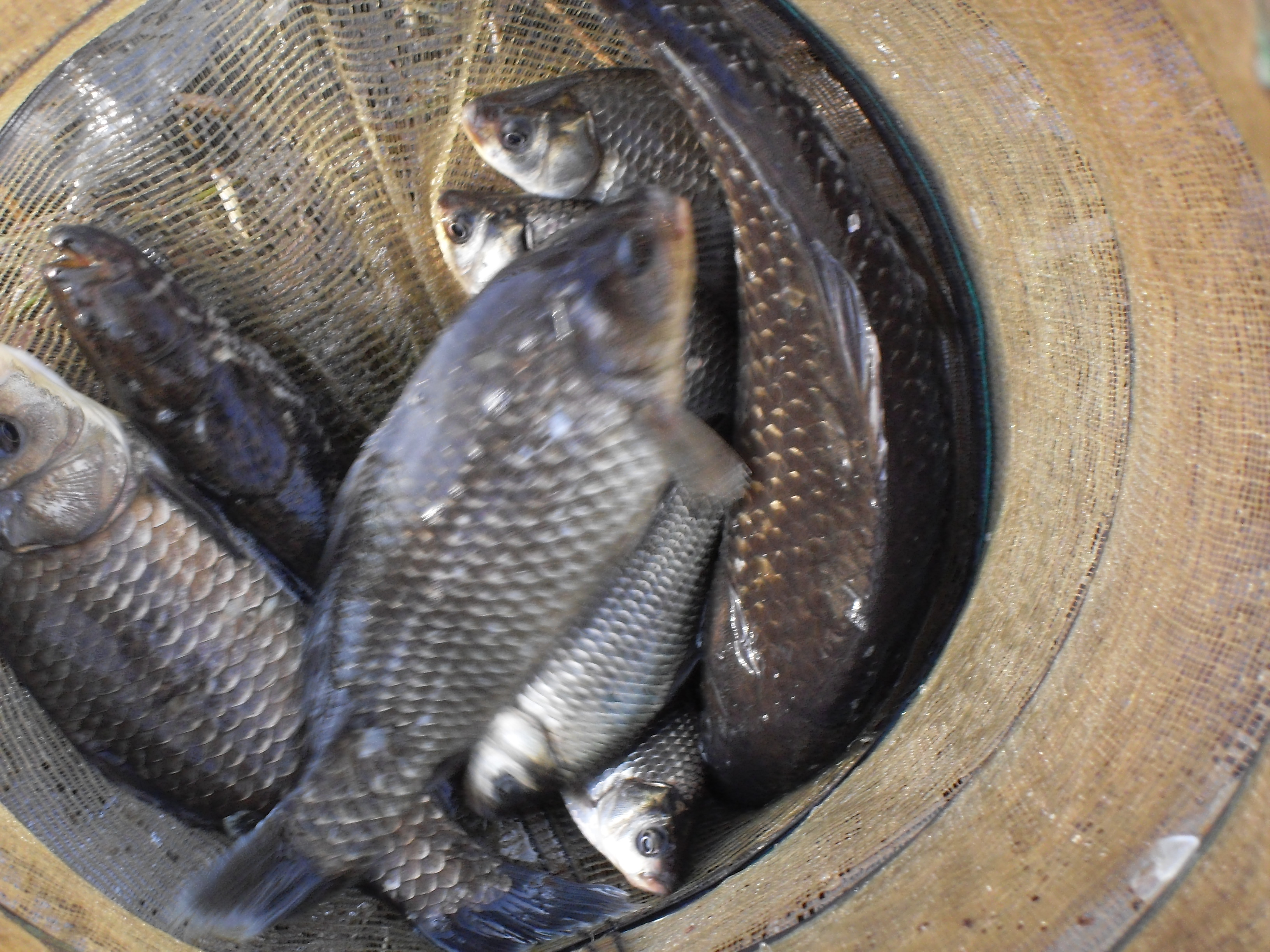
Ã߿¾¾¿Í ¹Ù¶÷¼Ó¿¡¼µµ ÇàÁ¤Áö·Î ÃâÁ¶ÇϽô Á¶»ç´ÔµéÀÌ
Á¡Á¡ ´Ã¾î ³ª°í ÀÖ½À´Ï´Ù.
¾¾¾Ë°¡ ¸¶¸®¼öµµ Á¡Á¡ ÁÁ¾ÆÁö°í ÀÖÀ¸¸ç ¹«¾ùº¸´Ù ¿ùô¼Ò½ÄÀÌ
¸¹ÀÌ µé·Á Áö¿ªÁ¶»ç´ÔµéÀÇ ¹ß±æÀÌ ²÷ÀÌÁö ¾Ê°í Àֳ׿ä.
¿¬¾È ¼öÃʱǿ¡¼µµ Àß³ª¿ÀÁö¸¸ º¸Æ®³¬½Ã Á¶»ç´ÔµéÀÇ Á¶Ç×ÀÌ
¿ùµîÇϳ׿ä.
37cm¿ùô¼Ò½ÄÀ» µè°í ÇöÀåÃ⵿ ÇÑÄÆ Âï¾î ¿Ã·Áº¾´Ï´Ù.
Á¶Ç× ¹× Æ÷ÀÎÆ® ¹®ÀÇ
û¾ç¶¥Äᳬ½Ã : 041-942-9432, 010-2031-7045      
|
|
* °¡²û ±¤°í¸¦ Ŭ¸¯ÇØ ºÁ ÁÖ½Ã¸é ³¬¶û »çÀÌÆ® ¿î¿µ¿¡ µµ¿òÀÌ µË´Ï´Ù ^^
|
|
|
ÃÑ 0°³ÀÇ ´ñ±ÛÀÌ ÀÖ½À´Ï´Ù.
|
|
| 11 | | û¾ç±Ç Á¶È²Á¤º¸ | | ¶¥Äᳬ½Ã | | 10.08.18 | | 7,343 | | | | 10 | | û¾ç Ä¥°©Áö ÅäÁ¾ºØ¾î (3) | | ¶¥Äᳬ½Ã | | 10.05.07 | | 12,565 | | | | 9 | | ¿¹´çÁö¼Ò½Ä (1) | | ¶¥Äᳬ½Ã | | 10.04.07 | | 7,176 | | | | 8 | | ¿¹´çÁö¼Ò½Ä (3) | | ¶¥Äᳬ½Ã | | 10.03.15 | | 9,967 | | | | 7 | | û¾ç ¸Å»êÁö Á¶Ç×Á¤º¸ | | ¶¥Äᳬ½Ã | | 09.05.12 | | 14,399 | | | | 6 | | ÇàÁ¤Áö Á¶Ç×Á¤º¸ | | ¶¥Äᳬ½Ã | | 09.03.30 | | 7,156 | | | | 5 | | ÇàÁ¤Áö Á¶È²Á¤º¸ | | ¶¥Äᳬ½Ã | | 09.03.24 | | 6,287 | | | | 4 | | ¿¹´çÁöÁ¶Ç× (1) | | ¶¥Äᳬ½Ã | | 09.03.10 | | 5,601 | | | | 3 | | ºø¼ÓÀÇ ¿¹´çÁö | | ¶¥Äᳬ½Ã | | 09.03.05 | | 5,090 | | | | 2 | | ¿¹´çÁö µ¿»ê±³ »ó·ù¼ö·Î Áö±ÝÂëÀº...... (6) | | ¶¥Äᳬ½Ã | | 09.03.04 | | 6,797 | | | | 1 | | 3¿ùùÁÖ ÇàÁ¤Áö Á¶È²Á¤º¸ | | ¶¥Äᳬ½Ã | | 09.03.03 | | 3,039 | | |
|
|

|
|

|
|
|