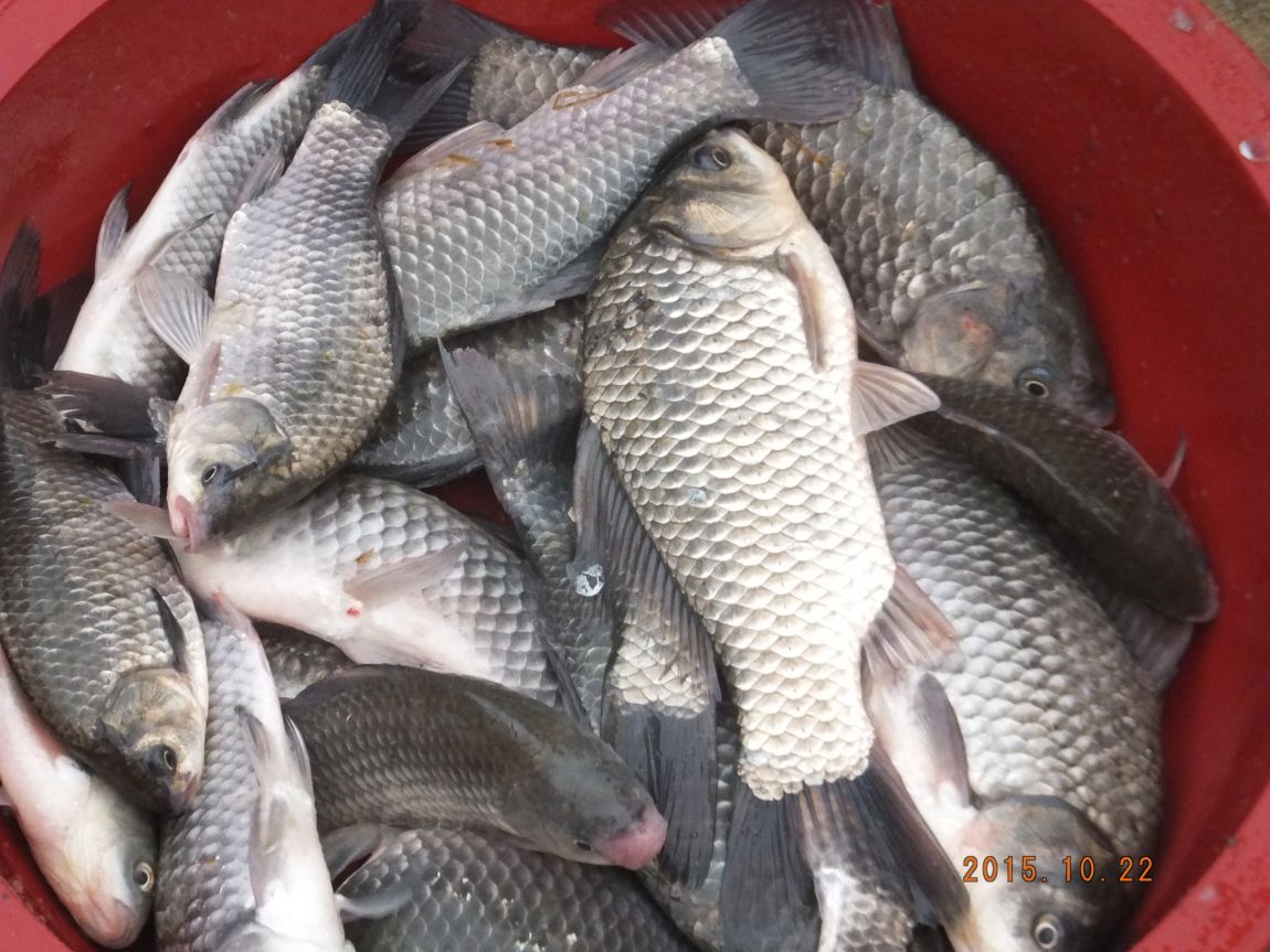
[ÅäÁ¾ ºØ¾î 4Â¥ ´ë¹°ÅÍ]
³»µ¿³¬½ÃÅÍ ¿ÃÇØ 2015³â 10¿ù22ÀϱîÁö 4Â¥ 368¸¶¸® ³ª¿Ô½À´Ï´Ù.
³»µ¿Áö ÅäÁ¾ 4Â¥ ´ë¹°Å͸¦ ¸¸µé°íÀÚ ¿ÃÇÑÇØ 4Â¥±Þ ´ë¹°µéÀ»
¼±º°ÇÏ¿© ´ë·® ¹æ·ùÇÏ¿´½À´Ï´Ù.
Âù¹Ù¶÷ÀÌ ºÎ´Â °¡À» ³¯¾¾¿¡ ¸ÅÀÏ 4Â¥¸¦ Àû°Ô´Â 2~3¸¶¸®
¸¹°Ô´Â 10¿©¸¶¸® ²ÙÁØÇÑ Á¶È²À» º¸À̰í ÀÖ½À´Ï´Ù.
»õ¿ì, ¿Á¼ö¼ö, ±Û·çÅÙ ³¬½Ã¿¡ ´ë¹°µé ¸¶¸´¼ö Á¶È²ÀÌ ÁÁ½À´Ï´Ù.
³»µ¿Áö 2015³â ¸ñÇ¥°¡ 4Â¥ 500¸¶¸®Àε¥.....!! ¿½ÉÈ÷ ´Þ¸³´Ï´Ù.
Á¶È² »çÁøÀÌ ¸¹½À´Ï´Ù. ÀÚ¼¼ÇÑ Á¶È² »çÁøÀº ¡°³»µ¿³¬½ÃÅÍ È¨ÇÇ¡±¿¡¼ È®ÀÎÇϽðí
4Â¥ Á¶È² »çÁø¸¸ ¿Ã¸®°Ú½À´Ï´Ù.
´ë¹°ÅÍ´Â ´ë¹ÚÇϽŠºÐ ÂʹÚÇϽŠºÐ ´Ã ´ë¹ÚÀÇ ²ÞÀ» ²Ù¸ç ÃâÁ¶ ÇÕ´Ï´Ù.
ÅäÁ¾ 4Â¥±Þ ¹æ·ù´Â ³»µ¿Áö°¡ ÃÖ°íÀÔ´Ï´Ù.
ȨÆäÀÌÁö : http://www.naedong.kr/
Á¶È²¹®ÀÇ : 010-5029-7157 (07:00 ~ 22:00)





























´ÙÀ½Àº 4Â¥¿¡¼ Á¶±Ý ºüÁö´Â ¾ÆÂ÷ÀÔ´Ï´Ù^^










|
|
* °¡²û ±¤°í¸¦ Ŭ¸¯ÇØ ºÁ ÁÖ½Ã¸é ³¬¶û »çÀÌÆ® ¿î¿µ¿¡ µµ¿òÀÌ µË´Ï´Ù ^^
|
|
|
ÃÑ 0°³ÀÇ ´ñ±ÛÀÌ ÀÖ½À´Ï´Ù.
|
|