
¾È³çÇϽʴϱî
»ïÀ㬽ÃÅÍ ÀÔ´Ï´Ù.
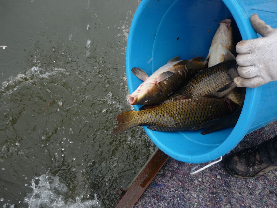
ºØ¾î À×¾î 2Â÷´ë·®¹æ·ù
¹æ·ù´Â °è¼Ó À̾îÁý´Ï´Ù.
»çÀÌÁî ÁÁÀº °ÍÀ¸·Î °è¼Ó ¹æ·ù ¿¹Á¤ ÀÔ´Ï´Ù.

















ºØ¾îµµ 4Â¥ÀÌ»óÀ¸·Î ¹æ·ù ÇÏ¿´½À´Ï´Ù.



¼Û¾î ÇöóÀ̾طç¾î´Â ´çÂù ¼Û¾î¿¡ ¼Õ¸ÀÀ» ¸¸³ª º¸½Ç¼ö ÀÖ½À´Ï´Ù.
ÈûÀÌ ¾ó¸¶³ª ÁÁÀºÁö........
´ç


»ïÀ㬽ÃÅÍ ÁÖ¼Ò : °æ±âµµ ¿ëÀνà óÀα¸ »ïÀηΠ150
¡Ý¡Ý »ïÀÎÁö ³×À̹öÄ«Æä¿¡´Â ´õ ¸¹Àº Á¤º¸°¡ ÁغñµÇ¾î ÀÖ½À´Ï´Ù.
¾Æ·¡ ¢Ù À̹ÌÁö¸¦ Ŭ¸¯ÇÏ½Ã¸é »ïÀÎÁö Ä«Æä·Î À̵¿ ÇÕ´Ï´Ù.

|
|
* °¡²û ±¤°í¸¦ Ŭ¸¯ÇØ ºÁ ÁÖ½Ã¸é ³¬¶û »çÀÌÆ® ¿î¿µ¿¡ µµ¿òÀÌ µË´Ï´Ù ^^
|
|
|
ÃÑ 0°³ÀÇ ´ñ±ÛÀÌ ÀÖ½À´Ï´Ù.
|
|