
2È£Áö¿¡¼´Û½ÃÇÏ´Â Àå¸éÀ» Àâ¾Æº¸¾Ò½¿´Ï´Ù

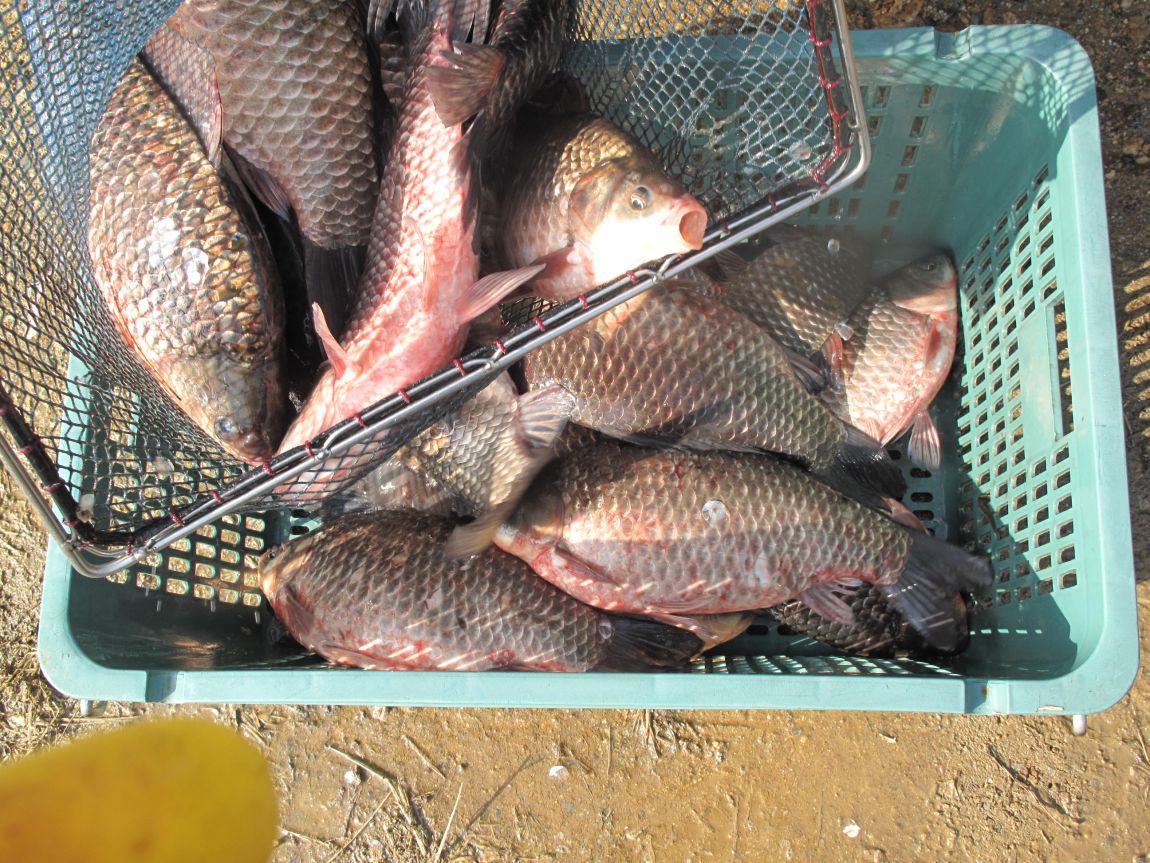
¼ö½Ã·Î ºØ¾î¸¦¹æ·ùÇϰíÀÖ½¿´Ï´Ù






2È£Áö ¹æ°¡·Î °ø»ç°¡ ÇÑâÀÔ´Ï´Ù


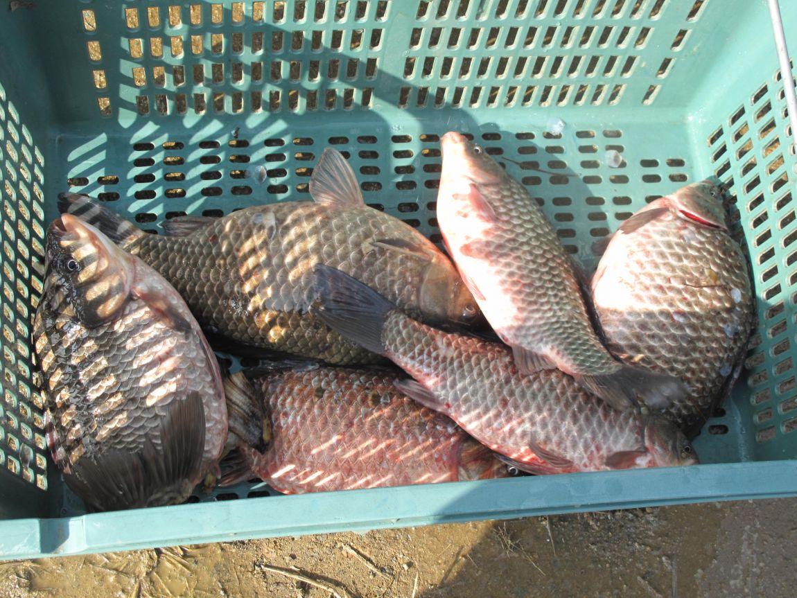
2È£Áö¿¡¼ ÀÚ»ýÇÑ ºØ¾îÀÔ´Ï´Ù




´ë¹° ºØ¾îµµ ¹æ·ù¸¦°è¼ÓÇϰíÀÖ½À´Ï´Ù
















¾ÕÀ¸·ÎµµÅäÁ¾ ºØ¾î¹æ·ù´Â °è¼ÓÇÒ°ÍÀÔ´Ï´Ù
|
|
* °¡²û ±¤°í¸¦ Ŭ¸¯ÇØ ºÁ ÁÖ½Ã¸é ³¬¶û »çÀÌÆ® ¿î¿µ¿¡ µµ¿òÀÌ µË´Ï´Ù ^^
|
|
|
ÃÑ 0°³ÀÇ ´ñ±ÛÀÌ ÀÖ½À´Ï´Ù.
|
|