¹«´õÀ§¿Í ½Î¿ì½Ã´À¶ó °í»ý? ÇϽô Á¶»ç´Ôµé²².. ÀÀ¿øÀÇ ¹Ú¼ö¸¦ º¸³À´Ï´Ù...¤¾ ´Ã °Ç° ì±â½Ã°í ¾ÈÃâÇϽðí.. .
À帶 ´Ù¿î À帶·Î ¹°ÀÌ Á» ´Ã¾î¾ß ¸ðµç Àú¼öÁöµéÀÌ ³Ë³ËÇÑ ¼öÀ§·Î Á¶»ç´ÔÀ» ¸ÂÀÌ ÇÒÅÙµ¥.. ¸¶¸¥ À帶¶ó ¾Æ½¬¿òÀÌ
¸¹½À´Ï´Ù..
±×³ª¸¶, ¸¸¼öÀ§¸¦ À¯ÁöÇÏ´Â ¸î¾ÊµÇ´Â ³¬½ÃÅÍ Áß ÇѰ÷ÀÎ Á¦ ´Ü°ñÅÍ µµ°îÁö.... ¾î¶²ºÐÀº À̰÷À» ¼¼¼ý´ë¾ß ÅÁÀ̶ó°í ¾Ç´ãÀ»
ÇϽôõ±º¿ä.. ¾Æ.. ±×ºÐ Áý Å©±â°¡ ¾î¸¶¹«½ÃÇѰ¡ º¾´Ï´Ù.. µµ°îÁö Á¤µµÀÇ Æò¼ö¸¦ ¼¼¼ý´ë¾ß¶ó.. ĪÇϽôÏ.. ¤¾¤¾
´©°¡ ¸ð¶ó ÇØµµ Àü.. °¡±õ°í Áñ°Å¿î ¼Õ¸À ÁÖ´Â µµ°îÁö·Î ÇâÇÕ´Ï´Ù.. Áý¿¡¼ 15ºÐ °Å¸®¸é.. «³¬ Çϱ⿡´Â ÃÖ°íÀÇ Á¶°ÇÀÌÁÒ..
ÁÖº¯¿¡ Âü ¸¹Àº ³¬½ÃÅͰ¡ ÀÖ¾î ¼±ÅÃÀÇ ÆøÀÌ ³ÐÁö¸¸.. À̰÷Àú°÷ ´Ù´Ï´Ù ¾ÈÂøÇÑ °÷ÀÔ´Ï´Ù.. ¿ÖÀϱî¿ä? ±×³ª¸¶ ²ÎÄ¡±â ½È¾î¼Áö¿ä..
ÇѰ÷¿¡ ÁýÁßÇϸé.. ±×³ª¸¶.. ³¬½ÃÅ͸¦ ÂØ±Ý ¾Ë¼ö ÀÖ´Ù´Â »ý°¢ÀÌ µé¾î¼ ²ÙÁØÇÑ Åë°è¸¦ ³»°í ÀÖ½À´Ï´Ù..
¹«´õ¿î ¿©¸§ ³¬½Ã´Â ¸î³â¸¸¿¡ ÷ Çϱ⠶§¹®¿¡ ½±Áö´Â ¾ÊÀº°Å °°½À´Ï´Ù.
¿äÁò ÇÏ´ÂÀÏÁß ½Ã°£À» ¸¹ÀÌ ÇÊ¿ä·Î ÇÏ´Â ÇÁ·ÎÁ§Æ®°¡ ÀÖ¾î ¾î·Æ°Ô ¾î·Æ°Ô Àá±ñ ½Ã°£À» ³Â½À´Ï´Ù. Áö³ÁÖ ±Ý¿äÀÏ...
ªÀº »ý°¢¿¡ ÁÖ¸» º¸´Ù´Â ¹æ·ù°¡ ÀÖ´À³¯Áß ±Ý¿äÀÏÀÌ Á¶±Ý ¼Õ´ÔÀÌ ´úÇÒ²¨¶ó »ý°¢Çؼ ¿À·£¸¸¿¡ µé·¶´Âµ¥..
Á´뿡 ±×·¡µµ 60% ÀÌ»óÀº Á¶»ç´ÔµéÀÌ °è½Ã´õ±º¿ä... Àü ·£µùÀÌ ½¬¿î °÷À» ÁÁ¾Æ ÇÕ´Ï´Ù. ÈûÀÌ µþ·Á¼.¿ä... ÀÂÊ¿¡ ÁöºØ, ȤÀº
Àܱ³Ã³·³ õ¸·ÀÌ ÀÖÀ¸¸é.. µÚÂÊÀ¸·Î ´ç±âÁö´Â ¸øÇÏ°í µé°í ¼ÀÖ¾î¼.. µÎ¼ÕÀ¸·Î °Ü¿ì.. ¤Ð
ºÎ±³±îÁö ¾î·Æ°Ô Áüµé°í ³ª¸£°í.. ÇØ¼ µµÂøÈÄ... Á¤È®È÷ 17ÀÏ ¸¸¿¡ ³¬½Ã´ë¸¦ ´ã±Å º¾´Ï´Ù.. Áö³ Á¶ÇàÀÔ´Ï´Ù.. 7¿ù 18ÀÏÀÚ..
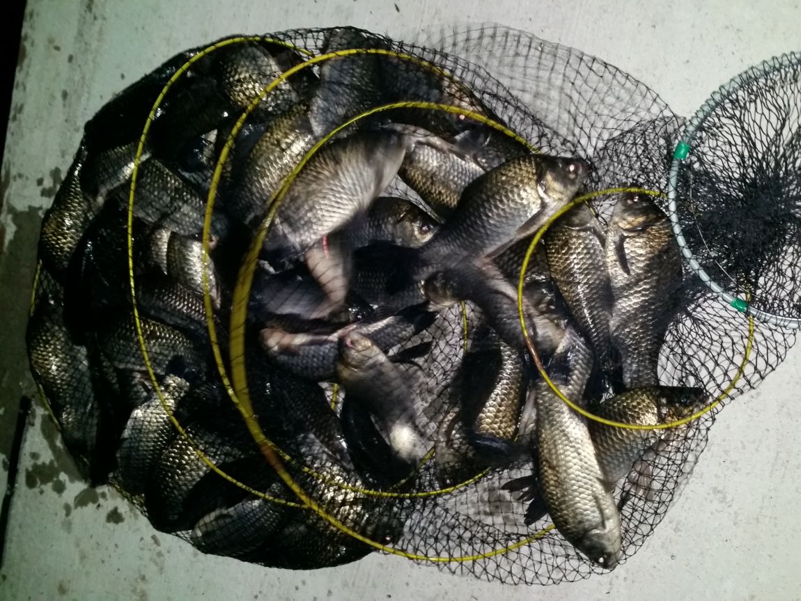
ºÎ±³.. 1ÀÎ.. ³¬½Ã.. Áü³ª¸£±ä Á» ÈûµéÁö¸¸.. ¼ö½ÉÀÌ °ÅÀÇ 4¹ÌÅÍ¿¡¼ Á¶±Ý ¸ðÀÚ¸£´Ï.. ¼Õ¸ÀÀº °ÅÀÇ ¿¹¼úÀÔ´Ï´Ù.
4½ÃÁò µµÂøÇؼ Çѹٰ¡Áö ³Ö°í.. 6½ÃÁò µÇ¼ °£´ÜÈ÷ Àú³è ½Ä»çÈÄ.. 7½ÃÁò ¿Íº¸´Ï.. ¾ÆÁ÷ ¾ÊºÙ¾ú³×¿ä.. ÂÁ.. ¿½ÉÈ÷
ÇØº¾´Ï´Ù.. Á´ëÂÊ¿¡ °¡±î¿î ºÎ±³´Ù º¸´Ï.. ´Ù¸¥ºÐµéÀÇ Âî¿Ã¸²µµ ±¸°æÇϱâ ÈÎ ¼ö¿ùÇϱº¿ä..
ÀÌ´õ¿î ¿©¸§¿¡ »ê¿¡¼ ºÒ¾î¿À´Â µî¹Ù¶÷ÀÌ ¾ÆÁÖ ½Ã¿øÇß½À´Ï´Ù.. ³ªÁß¿¡´Â ¾à°£ Ãä´õ±º¿ä... 8½Ã Á¤µµºÎÅÍ ºÙ±â ½ÃÀÛÇÏ´õ´Ï..
¤¾ ¿À·£¸¸¿¡ ¿Ô´Ù°í ²ÙÁØÈ÷ ³ª¿Í ÁÝ´Ï´Ù.. °í¸¿°Ôµµ..
¸Ö¸® ÀÎõ¿¡¼ ¿À½Å´À ´Ü°ñ Á¶»ç´Ô ÇѺÐÀÌ »õº® 4½ÃÁò ¿À½Ã±â Àü±îÁö ²ÙÁØÇÏ°Ô Àâ¾Ò½À´Ï´Ù. ¿äÁòÀº ü·ÂÀÌ µþ·Á¼..
±×³É ÀÇÀÚ¿¡¼ Àá±ñ Á¹±âµµ Çϰí...¤¾
Áñ°Å¿î ¼Õ¸À ¾È°ÜÁØ ºØ¾îµé.. °í¸¿µ¥ÀÌ....
¸ðµç Á¶»ç´Ôµéµµ ¹«´õ¿î ¿©¸§ °Ç°È÷ ³ª½Ã°í.. ´Ã ¾ÈÀüÇÑ ÃâÁ¶ µÇ½Ã±æ ¹Ù¶ø´Ï´Ù. Á¶°ú´Â.. ¤¾

¿îÀÌ ÁÁÀº°Å°ÚÁÒ? Âî¸ÀÁ» º¸½Ã¶ó°í ³ª·ç¿¹ Á¶´ëÇ¥´ÔÀÌ ¿À¼Å¼ ÂïÀ¸½Å µ¿¿µ»óµµ ¿Ã·Á º¾´Ï´Ù.. 7¿ù 3ÀÏÀÚ ÀÔ´Ï´Ù.
|
|
* °¡²û ±¤°í¸¦ Ŭ¸¯ÇØ ºÁ ÁÖ½Ã¸é ³¬¶û »çÀÌÆ® ¿î¿µ¿¡ µµ¿òÀÌ µË´Ï´Ù ^^
|
|
|
ÃÑ 0°³ÀÇ ´ñ±ÛÀÌ ÀÖ½À´Ï´Ù.
|
|
| 54 | | ´Ê¾îÁø º½.. ²ÜÀë..¹ã³¬½Ã | | ÃëħÁ¶»ç | | 22.03.30 | | 2,469 | | 0 | |
|
| 53 | | °³ÀÎÁ´ë 4¸¸¿øÀÇ Çູ! (2) | | ÃëħÁ¶»ç | | 21.06.19 | | 6,693 | | 0 | |
|
| 52 | | 2.5ÄÀÇ Çູ(3³â¸¸¿¡ ÇÑÄ Ã¤¿ü½À´Ï´Ù.) | | ÃëħÁ¶»ç | | 21.04.06 | | 2,429 | | 0 | |
|
| 51 | | ¿ä¶±°ñ..¤¾¤¾ (6) | | ÃëħÁ¶»ç | | 18.10.06 | | 2,282 | | 0 | |
|
| 50 | | º¸¸§..°¡À»ºØ¾î.. ¾î·Æ³×¿ä.. | | ÃëħÁ¶»ç | | 17.10.07 | | 4,421 | | 0 | |
|
| 49 | | 3ÀÚ¸®¿Í ¿¤º¸ ¤Ð¤Ð | | ÃëħÁ¶»ç | | 17.09.02 | | 5,301 | | 0 | |
|
| 48 | | ¾îºÎÁö¸®!..¤»¤» | | ÃëħÁ¶»ç | | 17.07.05 | | 5,190 | | 0 | |
|
| 47 | | ÆÇ´ÜÂø¿À! ¤»¤» (6) | | ÃëħÁ¶»ç | | 17.06.28 | | 9,552 | | 0 | |
|
| 46 | | ¸íºÒÇãÀü! »ê¿ì¹°! | | ÃëħÁ¶»ç | | 17.06.19 | | 3,137 | | 0 | |
|
| 45 | | º¸¸§´Þ ¹«½Ã ºØ¾î! | | ÃëħÁ¶»ç | | 17.06.09 | | 4,199 | | 0 | |
|
| 44 | | ±Ý¿äÀÏ ±Ý±¤¹é¼ö?? | | ÃëħÁ¶»ç | | 17.06.03 | | 4,355 | | 0 | |
|
| 43 | | ±Ý¿äÀÏ¿£ ±Ý±¤! (2) | | ÃëħÁ¶»ç | | 17.05.27 | | 6,953 | | 0 | |
|