|
¹Ù´Ù³¬½ÃÅÍÁ¶È²Á¤º¸
|
- º» °Ô½Ã¹°À» ¹«´Ü ´Ù¿î·Îµå, µµ¿ë, Àοë, ¸µÅ© ±ÝÁö.
|
HOME >¹Ù´Ù³¬½Ã >¹Ù´Ù³¬½ÃÅÍÁ¶È²Á¤º¸ |
 |
|
 |
|
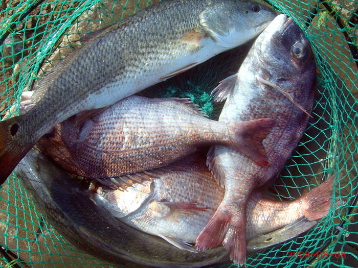
±Ý¿äÀÏ Á¶È²           
³¬½Ã´ë´Â 1ÀÎ 1´ë / ¿Ü¹Ù´Ãäºñ ²À Áؼö ºÎʵ右´Ï´Ù. °æ±âµµ ¾È»ê½Ã ´Ü¿ø±¸ ´ëºÎºÏµ¿ 1870-71 032)886-4130 010-3795-7871 010-8593-7871 https://cafe.naver.com/deabudoseesusang/516
|
|
* °¡²û ±¤°í¸¦ Ŭ¸¯ÇØ ºÁ ÁÖ½Ã¸é ³¬¶û »çÀÌÆ® ¿î¿µ¿¡ µµ¿òÀÌ µË´Ï´Ù ^^
|
|
|
|
|
|
|
|
| 6030 | | ´ëºÎµµ¹Ù´Ù³¬½ÃÅÍ 2026³â 1¿ù 1ÀÏ ÆóÀå ¹× °¡µÎ¸® Àü·®¹æ·ù ¿Ï·á  | | ´ëºÎµµ¹Ù´Ù³¬½ÃÅÍ | | 26.01.06 | | 1,279 | | | | 6029 | | ´ëºÎµµ¹Ù´Ù³¬½ÃÅÍ 2026³â 1¿ù 1ÀÏ ÆóÀ峯 ¿ì·° Á¶È² | | ´ëºÎµµ¹Ù´Ù³¬½ÃÅÍ | | 26.01.01 | | 5,389 | | | | 6028 | | ´ëºÎµµ¹Ù´Ù³¬½ÃÅÍ 2025³â 12¿ù 31ÀÏ ¼ö¿äÀÏ ¿ì·° Á¶È² | | ´ëºÎµµ¹Ù´Ù³¬½ÃÅÍ | | 25.12.31 | | 5,183 | | | | 6027 | | ´ëºÎµµ¹Ù´Ù³¬½ÃÅÍ 2025³â 12¿ù 30ÀÏ È¿äÀÏ ¿ì·° Á¶È² | | ´ëºÎµµ¹Ù´Ù³¬½ÃÅÍ | | 25.12.30 | | 6,018 | | | | 6026 | | ´ëºÎµµ¹Ù´Ù³¬½ÃÅÍ 2025³â 12¿ù 29ÀÏ ¿ù¿äÀÏ ¿ì·° Á¶È² | | ´ëºÎµµ¹Ù´Ù³¬½ÃÅÍ | | 25.12.29 | | 5,268 | | | | 6025 | | ´ëºÎµµ¹Ù´Ù³¬½ÃÅÍ 2025³â 12¿ù 28ÀÏ ÀÏ¿äÀÏ ¿ì·° Á¶È² | | ´ëºÎµµ¹Ù´Ù³¬½ÃÅÍ | | 25.12.28 | | 5,996 | | | | 6024 | | ´ëºÎµµ¹Ù´Ù³¬½ÃÅÍ 2025³â 12¿ù 27ÀÏ Åä¿äÀÏ ¿ì·° Á¶È² | | ´ëºÎµµ¹Ù´Ù³¬½ÃÅÍ | | 25.12.27 | | 4,097 | | | | 6023 | | ´ëºÎµµ¹Ù´Ù³¬½ÃÅÍ 2025³â 12¿ù 25ÀÏ Å©¸®½º¸¶½º ¿ì·° Á¶È² | | ´ëºÎµµ¹Ù´Ù³¬½ÃÅÍ | | 25.12.25 | | 5,058 | | | | 6022 | | ´ëºÎµµ¹Ù´Ù³¬½ÃÅÍ 2025³â 12¿ù 24ÀÏ ¼ö¿äÀÏ ¿ì·° Á¶È² | | ´ëºÎµµ¹Ù´Ù³¬½ÃÅÍ | | 25.12.24 | | 4,666 | | | | 6021 | | ´ëºÎµµ¹Ù´Ù³¬½ÃÅÍ 2025³â 12¿ù 22ÀÏ ¿ì·° Á¶È² | | ´ëºÎµµ¹Ù´Ù³¬½ÃÅÍ | | 25.12.22 | | 5,208 | | | | 6020 | | ´ëºÎµµ¹Ù´Ù³¬½ÃÅÍ 2025³â 12¿ù 21ÀÏ ÀÏ¿äÀÏ ¿ì·° ³ó¾î Á¶È² | | ´ëºÎµµ¹Ù´Ù³¬½ÃÅÍ | | 25.12.21 | | 4,763 | | | | 6019 | | ´ëºÎµµ¹Ù´Ù³¬½ÃÅÍ 2025³â 12¿ù 20ÀÏ Åä¿äÀÏ ¿ì·° ³ó¾î Á¶È² | | ´ëºÎµµ¹Ù´Ù³¬½ÃÅÍ | | 25.12.20 | | 4,303 | | |
|
|

|
|

|
|
|