|
¹Ù´Ù³¬½ÃÅÍÁ¶È²Á¤º¸
|
- º» °Ô½Ã¹°À» ¹«´Ü ´Ù¿î·Îµå, µµ¿ë, Àοë, ¸µÅ© ±ÝÁö.
|
HOME >¹Ù´Ù³¬½Ã >¹Ù´Ù³¬½ÃÅÍÁ¶È²Á¤º¸ |
 |
|
 |
|
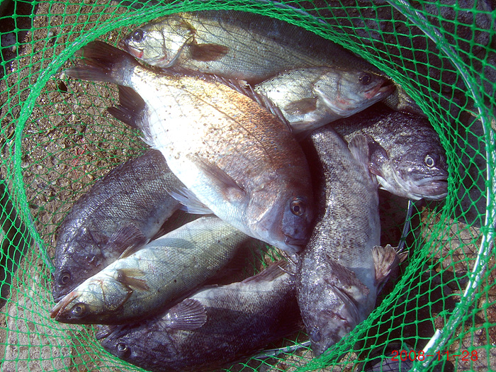
´ëºÎµµ¹Ù´Ù³¬½ÃÅÍ 11¿ù 28ÀÏ(±Ý) Á¶È²¼Ò½ÄÀÔ´Ï´Ù.
Ãß¿î ³¯¾¾ ¼Ó¿¡¼µµ ÀÔÁúÀÌ È°¹ßÇÏ¿´½À´Ï´Ù.
°¨»çÇÕ´Ï´Ù.
À§Ä¡ ¹× Á¶È²¾È³» : 032)886-4130, 011-795-7871, 011-9593-7871
°æ±âµµ ¾È»ê½Ã ´Ü¿ø±¸ ´ëºÎºÏµ¿ 1870-72¹øÁö
          
³¬½Ã´ë´Â 1ÀÎ 1´ë / ¿Ü¹Ù´Ãäºñ ²À Áؼö ºÎʵ右´Ï´Ù. °æ±âµµ ¾È»ê½Ã ´Ü¿ø±¸ ´ëºÎºÏµ¿ 1870-71 032)886-4130 010-3795-7871 010-8593-7871 https://cafe.naver.com/deabudoseesusang/516
|
|
* °¡²û ±¤°í¸¦ Ŭ¸¯ÇØ ºÁ ÁÖ½Ã¸é ³¬¶û »çÀÌÆ® ¿î¿µ¿¡ µµ¿òÀÌ µË´Ï´Ù ^^
|
| |
|
|
|
|
|
|
|
| 6076 | | ´ëºÎµµ¹Ù´Ù³¬½ÃÅÍ 2026³â 4¿ù 7ÀÏ È¿äÀÏ ¿ì·° ³ó¾î Âüµ¼ Á¶È² ¹× µ¹µ¼ ´É¼º¾î µ¾µ¼ ´ë..  | | ´ëºÎµµ¹Ù´Ù³¬½ÃÅÍ | | 26.04.07 | | 1,161 | | | | 6075 | | ´ëºÎµµ¹Ù´Ù³¬½ÃÅÍ 2026³â 4¿ù 6ÀÏ ¿ù¿äÀÏ ¿ì·° ³ó¾î Âüµ¼ ´ëµ¼ Á¶È² ¹× Âüµ¼ ´ë·®ÀÔÇÏ  | | ´ëºÎµµ¹Ù´Ù³¬½ÃÅÍ | | 26.04.06 | | 3,616 | | | | 6074 | | ´ëºÎµµ¹Ù´Ù³¬½ÃÅÍ 2026³â 4¿ù 5ÀÏ ÀÏ¿äÀÏ ¿ì·° ³ó¾î ´ëµ¼ Âüµ¼ Á¶È² | | ´ëºÎµµ¹Ù´Ù³¬½ÃÅÍ | | 26.04.05 | | 5,203 | | | | 6073 | | ´ëºÎµµ¹Ù´Ù³¬½ÃÅÍ 2026³â 4¿ù 4ÀÏ Åä¿äÀÏ ¿ì·° ³ó¾î ´ëµ¼ Âüµ¼ Á¶È² | | ´ëºÎµµ¹Ù´Ù³¬½ÃÅÍ | | 26.04.04 | | 5,259 | | | | 6072 | | ´ëºÎµµ¹Ù´Ù³¬½ÃÅÍ 2026³â 4¿ù 3ÀÏ ±Ý¿äÀÏ ¿ì·° ³ó¾î Âüµ¼ ´ëµ¼ Á¶È² | | ´ëºÎµµ¹Ù´Ù³¬½ÃÅÍ | | 26.04.03 | | 5,319 | | | | 6071 | | ´ëºÎµµ¹Ù´Ù³¬½ÃÅÍ 2026³â 4¿ù 2ÀÏ ¸ñ¿äÀÏ ¿ì·° ³ó¾î Âüµ¼ ´ëµ¼ Á¶È² | | ´ëºÎµµ¹Ù´Ù³¬½ÃÅÍ | | 26.04.02 | | 5,306 | | | | 6070 | | ´ëºÎµµ¹Ù´Ù³¬½ÃÅÍ 2026³â 4¿ù 1ÀÏ ¼ö¿äÀÏ ¿ì·° ³ó¾î Âüµ¼ Á¶È² | | ´ëºÎµµ¹Ù´Ù³¬½ÃÅÍ | | 26.04.01 | | 4,079 | | | | 6069 | | ´ëºÎµµ¹Ù´Ù³¬½ÃÅÍ 2026³â 3¿ù 31ÀÏ È¿äÀÏ ¿ì·° ³ó¾î Âüµ¼ ´ëµ¼ Á¶È² | | ´ëºÎµµ¹Ù´Ù³¬½ÃÅÍ | | 26.03.31 | | 4,263 | | | | 6068 | | ´ëºÎµµ¹Ù´Ù³¬½ÃÅÍ 2026³â 3¿ù 30ÀÏ ¿ù¿äÀÏ ¿ì·° ³ó¾î Âüµ¼ ´ëµ¼ Á¶È² | | ´ëºÎµµ¹Ù´Ù³¬½ÃÅÍ | | 26.03.30 | | 4,788 | | | | 6067 | | ´ëºÎµµ¹Ù´Ù³¬½ÃÅÍ 2026³â 3¿ù 29ÀÏ ÀÏ¿äÀÏ ¿ì·° ³ó¾î Âüµ¼ ´ëµ¼ Á¶È² | | ´ëºÎµµ¹Ù´Ù³¬½ÃÅÍ | | 26.03.29 | | 5,047 | | | | 6066 | | ´ëºÎµµ¹Ù´Ù³¬½ÃÅÍ 2026³â 3¿ù 28ÀÏ Åä¿äÀÏ ¿ì·° ³ó¾î Âüµ¼ ´ëµ¼µî Á¶È² | | ´ëºÎµµ¹Ù´Ù³¬½ÃÅÍ | | 26.03.28 | | 4,383 | | | | 6065 | | ´ëºÎµµ¹Ù´Ù³¬½ÃÅÍ 2026³â 3¿ù 27ÀÏ ±Ý¿äÀÏ ¿ì·° Âüµ¼µî Á¶È² | | ´ëºÎµµ¹Ù´Ù³¬½ÃÅÍ | | 26.03.27 | | 5,212 | | |
|
|

|
|

|
|
|