|
¹Ù´Ù³¬½ÃÅÍÁ¶È²Á¤º¸
|
- º» °Ô½Ã¹°À» ¹«´Ü ´Ù¿î·Îµå, µµ¿ë, Àοë, ¸µÅ© ±ÝÁö.
|
HOME >¹Ù´Ù³¬½Ã >¹Ù´Ù³¬½ÃÅÍÁ¶È²Á¤º¸ |
 |
|
 |
|
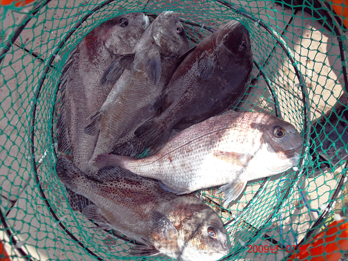
7¿ù03ÀÏ ±Ý¿äÀÏ Á¶È²              
³¬½Ã´ë´Â 1ÀÎ 1´ë / ¿Ü¹Ù´Ãäºñ ²À Áؼö ºÎʵ右´Ï´Ù. °æ±âµµ ¾È»ê½Ã ´Ü¿ø±¸ ´ëºÎºÏµ¿ 1870-71 032)886-4130 010-3795-7871 010-8593-7871 https://cafe.naver.com/deabudoseesusang/516
|
|
* °¡²û ±¤°í¸¦ Ŭ¸¯ÇØ ºÁ ÁÖ½Ã¸é ³¬¶û »çÀÌÆ® ¿î¿µ¿¡ µµ¿òÀÌ µË´Ï´Ù ^^
|
|
|
|
|
|
|
|
| 5986 | | ´ëºÎµµ¹Ù´Ù³¬½ÃÅÍ 2025³â 11¿ù 17ÀÏ ¿ù¿äÀÏ ¿ì·° Âüµ¼ ³ó¾îÁ¶È²  | | ´ëºÎµµ¹Ù´Ù³¬½ÃÅÍ | | 25.11.17 | | 771 | | | | 5985 | | ´ëºÎµµ¹Ù´Ù³¬½ÃÅÍ 2025³â 11¿ù 16ÀÏ ÀÏ¿äÀÏ ¿ì·° Âüµ¼ µ¹µ¼ ³ó¾îµî Á¶È²  | | ´ëºÎµµ¹Ù´Ù³¬½ÃÅÍ | | 25.11.16 | | 2,890 | | | | 5984 | | ´ëºÎµµ¹Ù´Ù³¬½ÃÅÍ 2025³â 11¿ù 15ÀÏ Åä¿äÀÏ ¿ì·° Âüµ¼ ³ó¾îµî Á¶È² | | ´ëºÎµµ¹Ù´Ù³¬½ÃÅÍ | | 25.11.15 | | 3,353 | | | | 5983 | | ´ëºÎµµ¹Ù´Ù³¬½ÃÅÍ 2025³â 11¿ù 14ÀÏ ±Ý¿äÀÏ ¿ì·° Âüµ¼ ³ó¾îµî Á¶È² | | ´ëºÎµµ¹Ù´Ù³¬½ÃÅÍ | | 25.11.14 | | 5,119 | | | | 5982 | | ´ëºÎµµ¹Ù´Ù³¬½ÃÅÍ 2025³â 11¿ù 13ÀÏ ¸ñ¿äÀÏ ¿ì·° Âüµ¼ µ¹µ¼ ³ó¾îµî Á¶È² | | ´ëºÎµµ¹Ù´Ù³¬½ÃÅÍ | | 25.11.13 | | 4,583 | | | | 5981 | | ´ëºÎµµ¹Ù´Ù³¬½ÃÅÍ 2025³â 11¿ù 12ÀÏ ¼ö¿äÀÏ ¿ì·° Âüµ¼µî Á¶È² ¹× ¿ì·° ´ë·®ÀÔÇÏ | | ´ëºÎµµ¹Ù´Ù³¬½ÃÅÍ | | 25.11.12 | | 5,213 | | | | 5980 | | ´ëºÎµµ¹Ù´Ù³¬½ÃÅÍ 2025³â 11¿ù 11ÀÏ È¿äÀÏ ¿ì·° Âüµ¼ µ¹µ¼ ³ó¾îµî Á¶È² | | ´ëºÎµµ¹Ù´Ù³¬½ÃÅÍ | | 25.11.11 | | 4,777 | | | | 5979 | | ´ëºÎµµ¹Ù´Ù³¬½ÃÅÍ 2025³â 11¿ù 10ÀÏ ¿ù¿äÀÏ ¿ì·° Âüµ¼ µ¹µ¼ ³ó¾îµî Á¶È² | | ´ëºÎµµ¹Ù´Ù³¬½ÃÅÍ | | 25.11.10 | | 4,192 | | | | 5978 | | ´ëºÎµµ¹Ù´Ù³¬½ÃÅÍ 2025³â 11¿ù 9ÀÏ ÀÏ¿äÀÏ ¿ì·° Âüµ¼ µ¹µ¼ ³ó¾îµî Á¶È² | | ´ëºÎµµ¹Ù´Ù³¬½ÃÅÍ | | 25.11.09 | | 5,505 | | | | 5977 | | ´ëºÎµµ¹Ù´Ù³¬½ÃÅÍ 2025³â 11¿ù 8ÀÏ Åä¿äÀÏ ¿ì·° Âüµ¼ Á¡¼º¾î ³ó¾îµî Á¶È² | | ´ëºÎµµ¹Ù´Ù³¬½ÃÅÍ | | 25.11.08 | | 6,630 | | | | 5976 | | ´ëºÎµµ¹Ù´Ù³¬½ÃÅÍ 2025³â 11¿ù 7ÀÏ ±Ý¿äÀÏ ¿ì·° Âüµ¼ µ¹µ¼ Á¡¼º¾îµî Á¶È² ¹× ³ó¾î ´ë·®.. | | ´ëºÎµµ¹Ù´Ù³¬½ÃÅÍ | | 25.11.07 | | 7,187 | | | | 5975 | | ´ëºÎµµ¹Ù´Ù³¬½ÃÅÍ 2025³â 11¿ù 6ÀÏ ¸ñ¿äÀÏ ¿ì·° Âüµ¼ µ¹µ¼µî Á¶È² | | ´ëºÎµµ¹Ù´Ù³¬½ÃÅÍ | | 25.11.06 | | 8,187 | | |
|
|

|
|

|
|
|