|
¹Ù´Ù³¬½ÃÅÍÁ¶È²Á¤º¸
|
- º» °Ô½Ã¹°À» ¹«´Ü ´Ù¿î·Îµå, µµ¿ë, Àοë, ¸µÅ© ±ÝÁö.
|
HOME >¹Ù´Ù³¬½Ã >¹Ù´Ù³¬½ÃÅÍÁ¶È²Á¤º¸ |
 |
|
 |
|







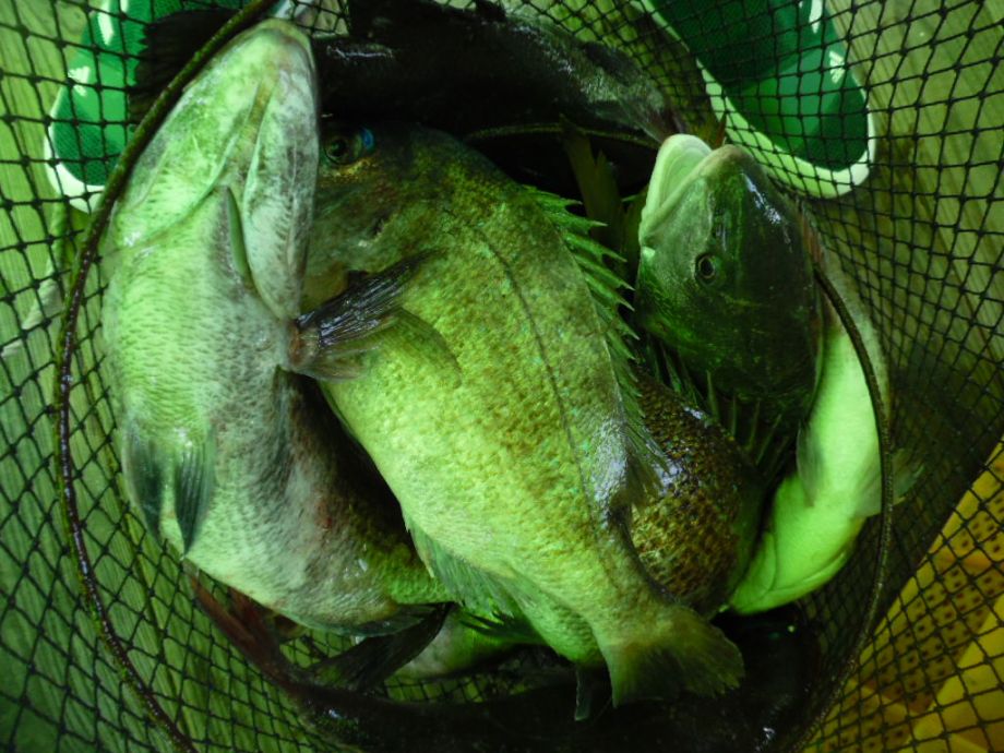
¾È³çÇϼ¼¿ä ³²¿ëÈ£ ÁÂ´ë ³¬½Ã ÀÔ´Ï´Ù ¿À·£¸¸¿¡ ÁÁÀº Á¶È²¼Ò½ÄÀ» ÀüÇØµå¸®°Ú½À´Ï´Ù ¿äÁòµé¾î ¸¸Á·½º·´Áö ¸øÇÑ Á¶È²À» º¸¿´´Âµ¥¿ä ¿À´ÃÀº Á¤¸» ÁÁÀº Á¶È²À» º¸¿´½À´Ï´Ù ¿À´Ã ¿À½Å Á¶»ç´Ôµé²²¼´Â ÇѸÁ¾¿Àº ä¿ö °¡½Å°Å °°½À´Ï´Ù Âüµ¼ µ¾µ¼ º´¾îµ¼ Á¡¼º¾î ¹æ¾î µî Á¶È²ÀÌ ³Ê¹« ÁÁÀº ÇÏ·ç¿´½À´Ï´Ù À̺¥Æ® ´ç÷ÀÚ ºÐµéÀº °øÁö»çÇ׿¡ ¿Ã·Á³õ°Ú½À´Ï´Ù ¿¬¶ô¹ÞÁö ¸øÇÑ Á¶»ç´ÔµéÀº ²À º¸½Ã°í ¿¬¶ôÁÖ¼¼¿ä ÆòÀÏ¿¡µµ ¸¹Àº ºÐµé ã¾Æ¿Í Áּż ³Ê¹« °¨»çµå¸®±¸¿ä Ç×»ó ÃÖ¼±À» ´ÙÇϰڽÀ´Ï´Ù °¨»çÇÕ´Ï´Ù
³²¿ëÈ£ ȨÆäÀÌÁö: www.nyfish.net ¹®ÀÇ ¿¬¶ôó: 010-4406-1293 / 010-6607-1293 / 010-5041-1293 ÁÖ¼Ò: Ãæ³² žȱº ³²¸é ´ç¾Ï¸® 1-2 ´ç¾ÏÆ÷±¸ ³²¿ëÈ£ Á´볬½Ã
³²¿ëÈ£ Á´볬½Ã Çà¿îÀÇ À̺¥Æ®!
- ¹«·á Á´ëÀÌ¿ë±ÇÀ» ³¬¾Æ¶ó!!!
³²¿ëÈ£ Á´볬½Ã¿¡¼´Â 4¿ùºÎÅÍ ¸Å´Þ Çà¿îÀÇ À̺¥Æ®¸¦ ÁøÇàÇϰíÀÚ ÇÕ´Ï´Ù. ÀÔÀåÇÏ½Ç ¶§ µå¸®´Â Çà¿î±Ç¿¡ ¼º¸í°ú ¿¬¶ôó¸¦ ±âÀçÇϽðí ÀÀ¸ðÇÔ¿¡ ³Ö¾îÁÖ¼¼¿ä. Ãß÷À» ÅëÇØ Çà¿îÀ» µå¸³´Ï´Ù. Áñ°Å¿î ³¬½Ãµµ Çϰí Çà¿îµµ ³¬´Â ³²¿ëÈ£ Á´볬½Ã Çà¿îÀÇ À̺¥Æ®¿¡ Âü¿©Çϼ¼¿ä!! * Âü¿©¹æ¹ý: ÀÔÀå ½Ã ¹ÞÀº Çà¿î±ÇÀ» ÀÛ¼ºÇÏ¿© Ãß÷ÇÔ¿¡ ³Ö¾îÁÖ¼¼¿ä. * Çà¿î±Ç Ãß÷: ¸Å´Þ ¸¶Áö¸· ÁÖ Åä¿äÀÏ * ´ç÷ÀÚ ¹ßÇ¥: ³²¿ëÈ£ Á´ë ȨÆäÀÌÁö ¹× °³º°°øÁö
|
|
* °¡²û ±¤°í¸¦ Ŭ¸¯ÇØ ºÁ ÁÖ½Ã¸é ³¬¶û »çÀÌÆ® ¿î¿µ¿¡ µµ¿òÀÌ µË´Ï´Ù ^^
|
|
| 1593 | | [³²¿ëÈ£] 5¿ù 25~26ÀÏ ÁÖ¸» Á´ëÁ¶È² ¼Ò½Ä | | ³²¿ëÈ£Á´볬½Ã | | 19.05.26 | | 2,635 | | | | 1592 | | [³²¿ëÈ£] 5¿ù 18~19ÀÏ ÁÖ¸» Á´ëÁ¶È² ¼Ò½Ä | | ³²¿ëÈ£Á´볬½Ã | | 19.05.21 | | 1,208 | | | | 1591 | | [³²¿ëÈ£] 5¿ù 17ÀÏ ±Ý¿äÀÏ Á´ëÁ¶È² ¼Ò½Ä | | ³²¿ëÈ£Á´볬½Ã | | 19.05.17 | | 859 | | | | 1590 | | [³²¿ëÈ£] 5¿ù 4~6ÀÏ ÁÖ¸»¿¬ÈÞ Á´ëÁ¶È² ¼Ò½Ä | | ³²¿ëÈ£Á´볬½Ã | | 19.05.07 | | 1,164 | | | | 1589 | | [³²¿ëÈ£] 5¿ù 1ÀÏ ¼ö¿äÀÏ Á´ëÁ¶È² ¼Ò½Ä | | ³²¿ëÈ£Á´볬½Ã | | 19.05.02 | | 1,143 | | | | 1588 | | [³²¿ëÈ£] 4¿ù 26, 27ÀÏ Á´ëÁ¶È² ¼Ò½Ä | | ³²¿ëÈ£Á´볬½Ã | | 19.04.27 | | 859 | | | | 1587 | | [³²¿ëÈ£] 4¿ù 22ÀÏ ¿ù¿äÀÏ Á´ëÁ¶È² ¼Ò½Ä | | ³²¿ëÈ£Á´볬½Ã | | 19.04.22 | | 915 | | | | 1586 | | [³²¿ëÈ£] 4¿ù 19, 20ÀÏ Á´ëÁ¶È² ¼Ò½Ä | | ³²¿ëÈ£Á´볬½Ã | | 19.04.20 | | 853 | | | | 1585 | | [³²¿ëÈ£] 4¿ù 16, 17ÀÏ Á´ëÁ¶È² ¼Ò½Ä | | ³²¿ëÈ£Á´볬½Ã | | 19.04.18 | | 1,243 | | | | 1584 | | [³²¿ëÈ£] 4¿ù 13~14ÀÏ ÁÖ¸» Á´ëÁ¶È² ¼Ò½Ä | | ³²¿ëÈ£Á´볬½Ã | | 19.04.15 | | 1,036 | | | | 1583 | | [³²¿ëÈ£] 4¿ù 8~11ÀÏ Á´ëÁ¶È² ¼Ò½Ä | | ³²¿ëÈ£Á´볬½Ã | | 19.04.11 | | 729 | | | | 1582 | | [³²¿ëÈ£] 4¿ù 6~7ÀÏ ÁÖ¸» Á´ëÁ¶È² ¼Ò½Ä | | ³²¿ëÈ£Á´볬½Ã | | 19.04.07 | | 1,028 | | |
|
|

|
|

|
|
|
|
|
|
|
|
|