¢À¢À¢À¢À¢À ½ÅºÀ ³¬½ÃÅÍ Æí ¢À¢À¢À¢À¢À
°È£Áö¶ô Æ÷Åä Á¶Çà±â.....
¾î´Àµ¡ 3¿ùµµ Áö³ª°¬³×¿ä.
3¿ù 21ÀÏ º½ ³¬½Ã´ëȸ¸¦ ÃÖÇϸç
°³ÀåÀ» ÇÑ ½ÅºÀ ³¬½ÃÅÍ
¼Ò½Ä°ú dz°æÀ» ´ã¾ÆºÃ½À´Ï´Ù.
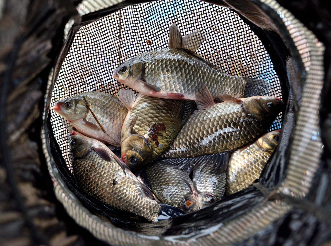
ÅäÁ¾ ÅÍ·Î ¾¾¾Ë ÁÁÀº ºØ¾îµé ¸¹ÀÌ
¹æ·ùÇØ³õ°í ´ë¹° ²ÛµéÀÇ ¸¶À½À»
¼³·¹°Ô ÇÏ´Â °÷ÀÌÁÒ.
´ëȸ ÃÖ´ë¾î »çÀÌÁî´Â 43cm...
±×¹Û¿¡ 4Â¥±Þ µé ¸¹ÀÌ ³ª¿Í¼
¼øÀ§ °æÀïµµ Ä¡¿Çß´ø ´ëȸ¿´½À´Ï´Ù.
½ÅºÀ ³¬½ÃÅÍ´Â °¡À»¿¡ ÇÑ ¹ø ´õ
ÀÛÀº ³¬½Ã ´ëȸ¸¦ °èȹÇÑ´Ù°í ÇÏ´Ï
Âü°íÇÏ½Ã°í ½ÅºÀ ³¬½ÃÅÍÀÇ
º½ ½ÃÁ𠸹Àº °ü½É ¹Ù¶ø´Ï´Ù.
ÀÛ³âºÎÅÍ »õ·Ó°Ô ¿î¿µµÇ¾î¿Â ½ÅºÀÁö´Â
Çϳª¾¿ ¹Ù²ã³ª°¡¸é¼
¸¹Àº ÅäÁ¾ºØ¾î ÀÚ¿øÀ» Á¶¼ºÇϰí
¸¹Àº 4 Â¥ ¼Ò½Ä°ú ¾¾¾Ë ÁÁÀº ºØ¾îµéÀÌ
¿Ã¶ó¿À°í ÀÖÁÒ.
¹è¼ö±â Àü »ó·ù±Ç¿¡
Á´뵵 ¹èÄ¡Çß°í¿ä.
ÁÖÂ÷ ÆíÇÏ°í ¹ßÆÇ Àß ¸¸µé¾î³õÀº
³ëÁö Æ÷ÀÎÆ®µµ ÀαⰡ ¸¹´õ±º¿ä.
±×¸² ÁÁ°í Çѹæ ÀÖ´Â »ó±Ç Àܱ³...
°ü¸®½Ç °Ç³ÊÆí ÇÑÀûÇÑ ÀÚ¸®¿¡¼±
³·ºÎÅÍ ¾¾¾Ë ÁÁÀº ºØ¾îµéÀÌ
³ª¿À°í ÀÖ´õ±º¿ä.
ÇöÀç ÃÖ´ë¾î´Â 39cm·Î
½ÃÀÛºÎÅÍ ºÐÀ§±â ÈIJöÇÕ´Ï´Ù.
¾î´À ÀÚ¸®¿¡¼µµ 4 Â¥ ÀÌ»ó
³ª¿Ã ¼ö ÀÖ´Â »óȲÀ̶ó
´Ùµé ÁýÁßÇØ¼ ³¬½Ã¸¦ Çϰí ÀÖ½À´Ï´Ù.
´ëȸ Àå¼Ò´Â °ü¸®½Ç °Ç³ÊÆí ÀÚ¸®¿Í
°ü¸®½Ç ÁÖº¯ Áß·ù±ÇÀ¸·Î
»ó·ù ÁÂ´ë Æ÷ÀÎÆ®´Â
Æ÷ÇÔµÇÁö ¾Ê¾Ò½À´Ï´Ù.
ÀüÇüÀûÀÎ ÆòÁöÇü Àú¼öÁö·Î
¾î´À Æ÷ÀÎÆ®µç ±â´ë°¨À» °¡Á®µµ
ÁÁÀ»¸¸ÇÑ È¯°æÀ̰í¿ä.
º½ ½ÃÁð ÇÖÇÑ °÷À¸·Î »ó·ù±Ç
ÁÖÂ÷Àå °®ÃçÁø ÁÂ´ë Æ÷ÀÎÆ®
ÀαⰡ ¸¹À»µíÇϳ׿ä.
¾î´À ÀÚ¸® Çϳª ¹ö¸± °÷ ¾ø´Â
½ÅºÀ ³¬½ÃÅÍÀÔ´Ï´Ù.
¼ö½Ã·Î ºØ¾î Áö¿øÀ» ¹æ·ùÇÏÁö¸¸
¸¶Ä§ ¹æ·ùÇÒ ºØ¾îµéÀÌ µµÂøÀ» Ç߳׿ä.
ºØ¾îµé ¾¾¾Ë ÁÁ°í ±ú²ýÇÏ´õ±º¿ä.
½ÅºÀ ³¬½ÃÅÍ´Â ¾È¼º Ä¥°î ³¬½ÃÅ͸¦
¿î¿µÇÏ´ø »çÀå´ÔÀÌ ÀÛ³âºÎÅÍ
»õ·Ó°Ô ¸¸µé¾î°¡°í ÀÖ½À´Ï´Ù.
...
ÀÚ¸® Ãß÷À» Çϰí
¿½ÉÈ÷ ³¬½Ã ÁßÀÎ ºÐµé...
ÇÑÀûÇÑ ³ëÁö Æ÷ÀÎÆ®´Â ÁÖº¯¿¡
ÇÇÇØ ¾ø´Â ¼±¿¡¼ Æò¼Ò¿¡
´Ù´ë Æí¼ºÇÒ ¼ö ÀÖ°í¿ä.

ÁÖ¸» Àܱ³ Æ÷ÀÎÆ®´Â
4~5´ë Á¤µµ·Î Á¦ÇÑÀ» ÇÕ´Ï´Ù.
»ó·ù±Ç Æ÷ÀÎÆ®´Â
´ÜÂî ÇʼöÀ̰í¿ä.
¹è¼ö±â ½ÃÁð±îÁö¸¸ »ó·ù Á´ë
ÀÌ¿ëÇÒ ¼ö ÀÖ´Ù°í ÇÕ´Ï´Ù.
ÇöÀç ´ë¹°µéÀÇ ¿òÁ÷ÀÓÀº
ÇÏ·ù±ÇÀÌ ÁÁÀº ºÐÀ§±âÀä.
º¯¼ö´Â º¯´ö½º·¯¿î º½¹Ù¶÷ÀÔ´Ï´Ù.
´Ùµé 4 Â¥ ÀÌ»óÀ» ±â´ëÇϸç
³¬½Ã ÁßÀε¥ °ú¿¬ ¾î´À °÷¿¡¼
1µîÀÌ ³ª¿ÃÁö ....
ÀÏ´Ü ¿¬¾È ³ëÁö Æ÷ÀÎÆ® ºÐµéÀº
4Ä ÀüÈÄÀÇ
±ä´ë¸¦ ¼±È£Çϰí ÀÖ°í¿ä.
Àܱ³±Ç ÁÂ´ë Æ÷ÀÎÆ®´Â 3Ä ÀüÈİ¡
Àû´çÇÏ´Ù°í Çϳ׿ä.
ÅäÁ¾ºØ¾î Á¶È²ÀÌ ÀÏ¹Ý ¾ç¾îÀåó·³
¸¶¸´¼ö°¡ ³ª¿À´Â °ÍÀº ¾Æ´ÏÁö¸¸
¾¾¾Ë°ú ¸¶¸´¼ö ¸ðµÎ ³ë·Áº¼ ¼ö ÀÖ´Â
ÅäÁ¾ ÅͰ¡ ½ÅºÀ ³¬½ÃÅͶó°í ÇÕ´Ï´Ù.
¹Ì³¢ ¿î¿µÀº Áö··À̺ÎÅÍ
¿Á¼ö¼ö ¾îºÐ ±Û·çÅÙ ¿Á¼ö¼ö
¸¹ÀÌµé »ç¿ëÇϰí¿ä.
³·¹ã °¡¸®Áö ¾Ê°í 4 Â¥°¡
³ª¿À´Â »óȲÀ̶ó
³¬½Ë´ë Æì°í ü·ÂÀÌ µÈ´Ù¸é
²ÙÁØÈ÷ ÁýÁßÇÏ´Â °ÍÀ» ÃßõÇÕ´Ï´Ù.
ÅÙÆ® Ä¥¸¸ÇÑ ¹ßÆÇ ÁÁÀº Æ÷ÀÎÆ®°¡
¸¹Àº °÷ÀÌ´Ï Àû±Ø Ȱ¿ëÇϰí¿ä.
Áß·ù±Ç Á´ë Àܱ³´Â ±»ÀÌ
±ä´ë°¡ ¾Æ´Ï¾îµµ
ÁÁ´Ù°í ÇÏ´Ï Âü°íÇϼ¼¿ä.
Áö±ÝºÎÅÍ 4¿ù ÇÑ ´ÞÀº
½ÅºÀ ³¬½ÃÅÍÀÇ ´ë¹° ÇѹæÀ»
±â´ë Çϵµ ÁÁÀ» ½Ã±âÁÒ.
»ó·ùºÎÅÍ ÇÏ·ù±Ç±îÁö ºØ¾î ÀÔÁúÀº
´Ùµé ¹Þ´Â ÁßÀ̰í¿ä.
ÀüüÀûÀ¸·Î ¹Ù´ÚÀº ±ú²ýÇÑ °÷À̰í¿ä.
¿©¸§ÀÌ¸é ¸¶¸§ÀÌ ¸¹ÀÌ
±ò¸®´Â °÷ÀÔ´Ï´Ù.
Àú¼ö¿Â±â¿¡µµ 4Â¥°¡
¸¹ÀÌ ³ª¿Ô´Ù°í ÇÏ´Ï
»ê¶õö ´ë¹Ú µµÀüÇØ º¸¼¼¿ä.
¸Ç¹Ù´Ú °°Áö¸¸ ¸Ç¹Ù´ÚÀÌ ¾Æ´Ñ
ÀÚ¸®°¡ ¸¹¾Æ¼ ¼öÃÊ ¹Ð»ý Áö¿ªÀ»
°íÁýÇÏÁö ¾Ê¾Æµµ µË´Ï´Ù.
ÇÏ·ù±Ç Á¦¹æ ¿· ÇÑÀûÇÑ ÀÚ¸®¿¡¼µµ
´ëȸ¿Í »ó°ü¾øÀÌ Ç㸮±Þ ÀüÈÄ·Î
¸¶¸´¼ö ¼Õ¸ÀÀ» ºÃ´Ù°í ÇÏ´Ï
Âü°íÇϽðí¿ä.
ÁÖ¸» È¥ÀâÇÒ ¶§´Â Á¶±Ý¾¿
¹è·ÁÇϸç Áñ°ÜÁÖ¸é
ÁÁÀ» °Í °°½À´Ï´Ù.
ÁÖÂ÷ ȯ°æ°ú ºÎ´ë½Ã¼³Àº
Çϳª¾¿ ¾÷±×·¹À̵åÇϰí ÀÖÀ¸´Ï
Á¶±Ý ±â´Ù·ÁÁÖ¸é ÁÁÀ» °Í °°³×¿ä.
Àܱ³±Ç ÀÚ¸®µéÀº 2~3m ±ÇÀ¸·Î
´Ù¼Ò ±íÀº ÆíÀÌÁö¸¸
ÀÇ¿ÜÀÇ ÇѹæÀÌ Àß ³ª¿Â´Ù°í Çϳ׿ä.
ÇÑ ¹ÙÄû µ¹¾Æº¸°í
ÇÊÀÚµµ »ó·ù¿¡ ÀÚ¸®¸¦ Àâ¾Ò½À´Ï´Ù.
´ëȸ¿Í ¹«°üÇÑ »ó·ù±Ç
¸Ç¹Ù´Ú ÀÚ¸®Àä.
°³Àå ¶±°ú µÅÁö°í±â ¼öÀ°À» ¸Ô°í
º»°ÝÀûÀ¸·Î ³¬½Ã¸¦ ½ÃÀÛÇÕ´Ï´Ù.
ÀǿܷΠÀÔÁúÀ» ÀßÇÏ´õ±º¿ä.
ÃÊÀú³áºÎÅÍ ¿ùô Á» ³Ñ´Â ¾¾¾ËÀÇ
¿¹»Û ÅäÁ¾ ºØ¾î ÇѼöÇß°í¿ä.
¾ËÁýÀÌ »ì¦ ÀâÇôÀÖ´õ±º¿ä.
µÎ ¹øÂ° ºØ¾î´Â ÀÚÁ¤ ¹«·Æ
¾ó±¼µµ ¸ø º¸°í ÅÍÁ®¹ö·È³×¿ä.
±×¸®°í À̳ðÀÌ ÀÚ´Â µ¿¾È äºñ¸¦
¶Ê¶Ê ¸»¾Æ³ö¼ ³¬½ËÁÙ
´Ù ²÷¾î³»°í ¸¶¹«¸®Çß½À´Ï´Ù.
¾ÆÄ§ °èÃø½Ã°£....
4 Â¥ ÀüÈÄ ¾¾¾Ë ÁÁÀº ³ðµé
Á¾Á¾ ¾ó±¼À» º¸¿©Áֳ׿ä.
¸¶¸´¼öµµ ±¦Âú°Ô ³ª¿ÍÁÖ´õ±º¿ä.
ÃÊ´ë¹Ú ÀÚ¸®·Î ¸¹Àº ºÐµéÀÌ
޳»´ø »ó·ù Àܱ³±ÇÀº
¿À´ÃÀº ºóÀÛÀ̳׿ä.
ÀüüÀûÀ¸·Î ²ÎÀº ¾ø¾ú°í¿ä.
ÃÖ¼Ò ¿ùô±ÞÀ¸·Î¶óµµ
¼Õ¸ÀÀº ºÃ½À´Ï´Ù.
°èÃøÀº ¾È ÇßÁö¸¸ ¿¹»Û ºØ¾îµé
º¸°í Âî ¸Àµµ ºÃ½À´Ï´Ù.
Ç㸮±Þ¿¡¼ 4 Â¥±Þ °æÀïÀÌ Ä¡¿ÇÑ »óȲ...
Àܱ³±ÇÀº Ç㸮±Þ ÀüÈÄ·Î
¸î ¼ö ¾ó±¼À» ºÃÁö¸¸
¸¶¸´¼ö´Â Á» ¶³¾îÁ³³×¿ä.
º¸Åë ¸¶¸´¼ö 2~3¼ö´Â ÇÑ°Í °°°í...
Àå¿øÀº ÇÏ·ù±Ç Á´뿡¼ ³ª¿Ô½À´Ï´Ù.
°èÃø °á°ú 43cm ³ª¿Ô³×¿ä.
¾ÆÁ÷ ¾ËÁýÀº ¾È ÀâÇû´õ±º¿ä.
1µî ÃàÇϵ帳´Ï´Ù.
°£°ñÁ¶»ç´ÔÀε¥ 4 Â¥ ³¬´Âµ¥
Æ¯ÈµÈ ºÐ °°¾Æ¿ä.
ÀÌ·¸°Ô °èÃøÀº °è¼ÓµÇ°í...
¾¾¾Ë ÁÁÀº ºØ¾îµé °è¼Ó ³ª¿À´õ±º¿ä.
...
¸¶¸´¼ö·Î Àç¹Ì º» ºÐµéµµ ¸î ºÐ
º¸¿´´Âµ¥ ½É½ÉÇÒ Æ´ ¾øÀÌ
Àç¹Ì ºÃ´Ù³×¿ä.
ºØ¾îµé ÅʱÛÅʱÛÇÏ´Ï
Âü ¿¹»Ú´õ±º¿ä.
ÀÌ·¸°Ô Á¶È² üũ´Â ¸¶¹«¸®Çϰí
½Ã»ó½ÄÇÏ°í ¸¶¹«¸®ÇÕ´Ï´Ù.
¼øÀ§±Ç ¼¼ºÐ ÃàÇϵ帮°í¿ä.
Çà¿î»ó ½Ã»óµµ
Àç¹ÌÀÖ°Ô ¸¶¹«¸®ÇÕ´Ï´Ù.
½ÅºÀÁöÀÇ º½ ½ÃÁðÀÌ ½ÃÀ۵Ǿú½À´Ï´Ù.
ÅäÁ¾ ²ÛµéÀÇ Áñ°Å¿î Ãß¾ï
¿Ãº½¿¡´Â ¸¹ÀÌ Áñ±æ ¼ö Àֱ⸦
±â´ëÇØ º¾´Ï´Ù.
ÁÂ´ë ¿¹¾à ±âŸ ¹®ÀÇ»çÇ×Àº
ÀüÈ ¹®ÀÇÇÏ½Ã±æ ¹Ù¶ó°í¿ä.
Áö±Ý±îÁö °È£Áö¶ôÀ̾ú½À´Ï´Ù.
|