¾îõ³¬½ÃÅÍÁö±â À¯·á³¬½ÃÅÍ > ÅäÁ¾ºØ¾î 4Â¥¼Ò½Ä(2¹øÂ°)¹× ÅäÁ¾ ´ëºØ¾î ¹æ·ù : ³¬½Ã»ç¶û
¾Ë¸²
È®ÀÎ
´Ý±â
¾Ë¸²
È®ÀÎ
Ãë¼Ò
´Ý±â
ȸ¿ø°¡ÀÔ
|
·Î±×ÀÎ
|
½ÃÀÛÆäÀÌÁö
|
Áñ°Üã±â
|
¹®ÀÇ/¿äû/½Å°í
³¬½ÃÅͼ±ÅÃ
|
Àαâ°Ë»ö¾î
|
¹Î¹°ÈÄ¿ø³¬½ÃÅÍ
|
¹Ù´ÙÈÄ¿øÅÍ
°íÀÜ
»ç¾ÏÁö
°ü¸®³¬½ÃÅÍ
°Åû³¬½ÃÅÍ
¾îõ
¿ä´ö°ñ
»ïÇϳ¬½ÃÅÍ
µ¶Á¤³¬½ÃÅÍ
´Ù¸¶½ºÄí½º
À層
»ïÀ㬽ÃÅÍ
¿Àºó³¬½ÃÅÍ
µÎâ
°íÃʰñ
±×¸°
¼Û¾î
¸¶µÐ
½ÅºÀ
DSP
ÇÑÅÍ
Àå°è
µ¿±³³¬½ÃÅÍ
¿ë´ã
°í´ã
´ë¸í
ºÀÀç
ÃæÁÖ
µµ°î
°ü¸®
¹Î¹°³¬½Ã
|
Á´ë/À¯·áÅÍ
|
¹Ù´Ù³¬½Ã
|
·ç¾î³¬½Ã
|
Ä¿¹Â´ÏƼ
|
³¬¶ûŬ·´
|
³¬½Ã½ºÄð
|
Áß°íÀåÅÍ
|
³¬½ÃQ&A
|
»ç¿ë±â/°ÁÂ
|
ÃâÁ¶Á¤º¸
|
°ø±¸/¿ëǰÁ¤º¸
½Ç½Ã°£³¬½ÃÅͼҽÄ(ÈÄ¿øÅÍ)
- º» °Ô½Ã¹°À» ¹«´Ü ´Ù¿î·Îµå, µµ¿ë, Àοë, ¸µÅ© ±ÝÁö.
HOME
>À¯·áÅÍÁ¤º¸ >½Ç½Ã°£³¬½ÃÅͼҽÄ(ÈÄ¿øÅÍ)
¾îõ³¬½ÃÅÍÁö±â
¸Þ¸ð(ÂÊÁö) º¸³»±â
E-¸ÞÀÏ º¸³»±â
¾îõ³¬½ÃÅÍÁö±â ´Ô Àüü ±Û
¾îõ³¬½ÃÅÍÁö±â ´Ô Àüü ´ñ±Û
X
ÀÛ¼ºÀÏ : 2026-01-07 10:44:35 / Àú¼öÁö / °æ±â ȼº½Ã ¾îõ³¬½ÃÅÍ
Á¦¸ñ
l
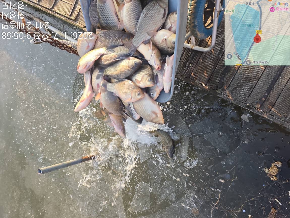
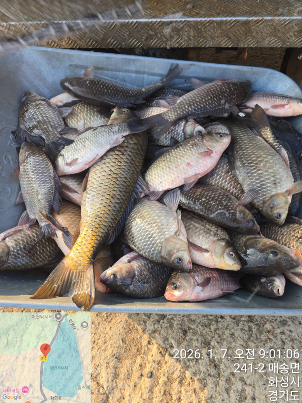
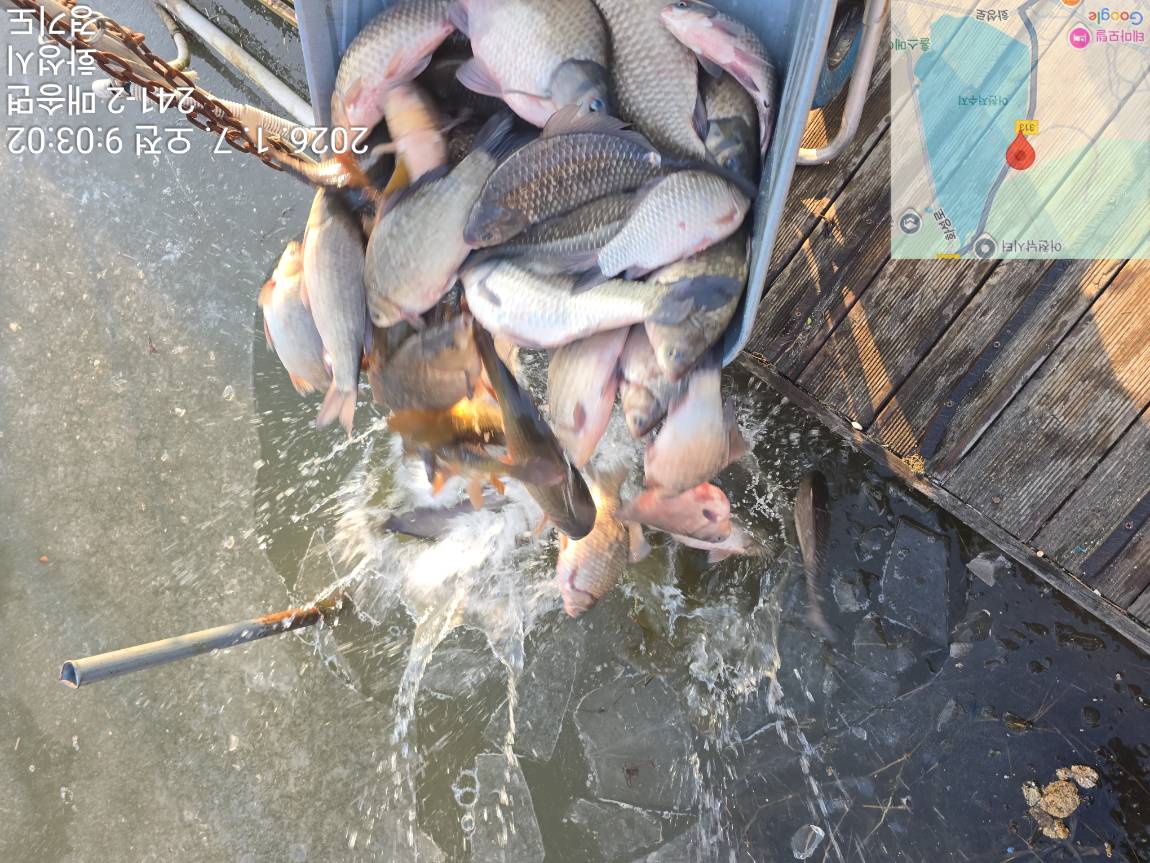
¾îõ³¬½ÃÅÍÁö±â À¯·á³¬½ÃÅÍ > ÅäÁ¾ºØ¾î 4Â¥¼Ò½Ä(2¹øÂ°)¹× ÅäÁ¾ ´ëºØ¾î ¹æ·ù : ³¬½Ã»ç¶û
ÅäÁ¾ºØ¾î 4Â¥¼Ò½Ä
2¹øÂ° ÅäÁ¾ºØ¾î 4Â¥ÀÔ´Ï´Ù.
ÅäÁ¾ ´ëºØ¾î ¹æ·ù
* °¡²û ±¤°í¸¦ Ŭ¸¯ÇØ ºÁ ÁÖ½Ã¸é ³¬¶û »çÀÌÆ® ¿î¿µ¿¡ µµ¿òÀÌ µË´Ï´Ù ^^
ÃÑ
0
°³ÀÇ ´ñ±ÛÀÌ ÀÖ½À´Ï´Ù.
´ñ±Û¾²±â
     
[·Î±×ÀÎ]
 |
[ȸ¿ø°¡ÀÔ]
´ñ±ÛÀº ·Î±×ÀÎÀ» ÇÏ¼Å¾ß ÇÕ´Ï´Ù.
831
ÅäÁ¾ºØ¾î 4Â¥¼Ò½Ä(2¹øÂ°)¹× ÅäÁ¾ ´ëºØ¾î ¹æ·ù
¾îõ³¬½ÃÅÍÁö±â
26.01.07
830
ÅäÁ¾ ´ëºØ¾î ¹æ·ù
¾îõ³¬½ÃÅÍÁö±â
26.01.06
829
2026³â ù¹øÂ° ÅäÁ¾ºØ¾î 4Â¥¼Ò½Ä
¾îõ³¬½ÃÅÍÁö±â
26.01.04
828
ÅäÁ¾ ´ëºØ¾î ´ë·®¹æ·ù
¾îõ³¬½ÃÅÍÁö±â
26.01.01
827
Á¶È² Á¤º¸
¾îõ³¬½ÃÅÍÁö±â
25.12.27
826
ÅäÁ¾ ´ëºØ¾î ´ë·®¹æ·ù
¾îõ³¬½ÃÅÍÁö±â
25.12.25
825
ÅäÁ¾ºØ¾î ¹æ·ù
¾îõ³¬½ÃÅÍÁö±â
25.12.23
824
ÅäÁ¾ºØ¾î 4Â¥¼Ò½Ä (648¹øÂ°)
¾îõ³¬½ÃÅÍÁö±â
25.12.22
823
ÅäÁ¾ºØ¾î 4Â¥¼Ò½Ä (647¹øÂ°)
¾îõ³¬½ÃÅÍÁö±â
25.12.21
822
ÅäÁ¾ºØ¾î 4Â¥¼Ò½Ä (644¹øÂ°)
¾îõ³¬½ÃÅÍÁö±â
25.12.20
821
ÅäÁ¾µ¹ºØ¾î 4Â¥¼Ò½Ä (643¹øÂ°)
¾îõ³¬½ÃÅÍÁö±â
25.12.19
820
ÅäÁ¾ºØ¾î 4Â¥¼Ò½Ä (642¹øÂ°) ¹× ÅäÁ¾ºØ¾î ¹æ·ù
¾îõ³¬½ÃÅÍÁö±â
25.12.18
1
2
3
4
5
6
7
8
9
10
ºÀÀç
ºÀÀ糬½ÃÅÍ 26³â 1¿ù 9ÀÏ -01/09
»ó´ö³¬½ÃÅÍ
[»ó´ö³¬½ÃÅÍ] 1¿ù ù ÁÖ-01/09
Á×»êÁö±â
¾Æ»êÁ×»êÁö1/9ÀÏ ¹°³¬½Ã Á¶È²-01/09
µ¿±³³¬½ÃÅÍ
Æ÷õµ¿±³³¬½ÃÅÍÀÔ´Ï´Ù-01/07
ºÀÀç
ºÀÀ糬½ÃÅÍ 1¿ù 7ÀÏ Á¶È²Á¤º¸-01/07
¾îõ³¬½ÃÅÍÁö±â
ÅäÁ¾ºØ¾î 4Â¥¼Ò½Ä(2¹øÂ°)¹× -01/07
¹éÇÐÁö
¹éÇÐÁö °Ü¿ï ºù¾î³¬½Ã 1¿ù9ÀÏ-01/07
ºÀÀç
ºÀÀ糬½ÃÅÍ 1¿ù 6ÀÏ Á¶È²Á¤º¸-01/06
¾îõ³¬½ÃÅÍÁö±â
ÅäÁ¾ ´ëºØ¾î ¹æ·ù -01/06
Åë»ï³¬½ÃÅÍ
°Ü¿ïö ¹°´ëÆ÷ ¿µ¾÷ ÇÕ´Ï´Ù!!-01/06
ºÀÀç
ºÀÀ糬½ÃÅÍ 26³â 1¿ù 5ÀÏ -01/05
»ê¿ì¹°³¬½ÃÅÍ
´çÂù ¼Õ¸À dz¿ä·Î¿òÀÌ ÇÔ²²ÇÏ´Â-01/05
³¬½Ã»ç¶û¼Ò°³ |
¿À½Ã´Â±æ |
³¬½Ã»ç¶û¹è³Ê |
ÀÌ¿ë¾à°ü |
À̸ÞÀϹ«´Ü¼öÁý°ÅºÎ |
°³ÀÎÁ¤º¸Ãë±Þ¹æÄ§ |
±Ç¸®Ä§ÇØ½Å°í¼¾ÅÍ
Copyright 1997~2022
(ÁÖ)À¥¶óÀÌÇÁ/³¬½Ã»ç¶û
All rights reserved »ç¾÷ÀÚµî·Ï¹øÈ£ 110-81-42683
»ç¾÷Àå : ¼¿ïƯº°½Ã ¿µµîÆ÷±¸ ¿µµîÆ÷·Î 374, 3Ãþ
[±¤°í/Á¦ÈÞ ¹× Ãßõ»óǰ µî·Ï¹®ÀÇ]
[³¬½ÃÅÍ ¹× ³¬½Ë¹è µî·Ï¹®ÀÇ]
[¹Î¿ø/°ÇÀÇ/½Å°í]
[¸ÞÀϹ®ÀÇ]
  
[¹®ÀÇ(FAX) 02-2634-2730]