¾îõ³¬½ÃÅÍÁö±â À¯·á³¬½ÃÅÍ > ÅäÁ¾ºØ¾î 4Â¥¼Ò½Ä (6¹øÂ°) ¹× ÅäÁ¾ ´ëºØ¾î ¹æ·ù : ³¬½Ã»ç¶û
ȸ¿ø°¡ÀÔ | ·Î±×ÀΠ| ½ÃÀÛÆäÀÌÁö | Áñ°Üã±â | ¹®ÀÇ/¿äû/½Å°í
³¬½ÃÅͼ±Åà | Àαâ°Ë»ö¾î | ¹Î¹°ÈÄ¿ø³¬½ÃÅÍ | ¹Ù´ÙÈÄ¿øÅÍ
 
¹Î¹°³¬½Ã | Á´ë/À¯·áÅÍ | ¹Ù´Ù³¬½Ã | ·ç¾î³¬½Ã | Ä¿¹Â´ÏƼ | ³¬¶ûŬ·´ | ³¬½Ã½ºÄð | Áß°íÀåÅÍ | ³¬½ÃQ&A | »ç¿ë±â/°­Á | ÃâÁ¶Á¤º¸ | °ø±¸/¿ëǰÁ¤º¸

 ½Ç½Ã°£³¬½ÃÅͼҽÄ(ÈÄ¿øÅÍ)

- º» °Ô½Ã¹°À» ¹«´Ü ´Ù¿î·Îµå, µµ¿ë, Àοë, ¸µÅ© ±ÝÁö. HOME >À¯·áÅÍÁ¤º¸ >½Ç½Ã°£³¬½ÃÅͼҽÄ(ÈÄ¿øÅÍ)

¾îõ³¬½ÃÅÍÁö±â
ÀÛ¼ºÀÏ : 2026-02-04 11:50:06 / Àú¼öÁö / °æ±â È­¼º½Ã ¾îõ³¬½ÃÅÍ   

Á¦¸ñ l ¾îõ³¬½ÃÅÍÁö±â À¯·á³¬½ÃÅÍ > ÅäÁ¾ºØ¾î 4Â¥¼Ò½Ä (6¹øÂ°) ¹× ÅäÁ¾ ´ëºØ¾î ¹æ·ù : ³¬½Ã»ç¶û

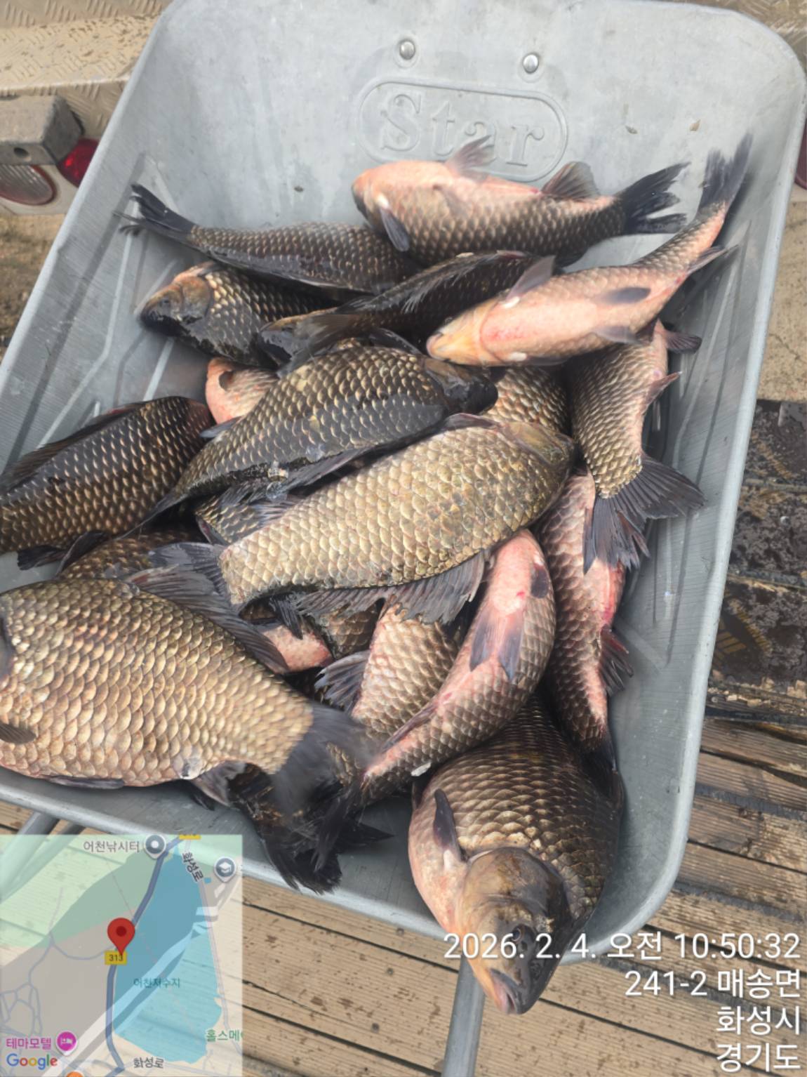
¢¿ÅäÁ¾ºØ¾î 4Â¥¼Ò½Ä ¢¿

 

1000085086.jpg

 

 

1000085085.jpg

6¹øÂ° ÅäÁ¾ºØ¾î 4Â¥ÀÔ´Ï´Ù.

 

1000085084.jpg

 

 

1000085094.jpg

 

 

1000085096.jpg

 

 

1000085097.jpg

 

 

1000085098.jpg

 

 

1000085099.jpg

 

 

1000085102.jpg

 

¡ÜÅäÁ¾ ´ëºØ¾î ¹æ·ù ¡Ü

 

1000085113.jpg

 

 

1000085115.jpg

 

 

1000085116.jpg

 

 

1000085118.jpg

 

 

1000085120.jpg

 

 

1000085122.jpg

 

 

1000085123.jpg

 

 

1000085125.jpg

 

 

1000085126.jpg

 

 

1000085127.jpg

 

 

1000085128.jpg

 

 

1000085129.jpg

 

 

1000085130.jpg

 

 

1000085131.jpg

 

 

1000085132.jpg

 

 

1000085133.jpg

 

 

1000085134.jpg

µ¿°è ¿ä±Ý Çö±Ý°¡

ÆòÀÏ 

½ÅÇü 2¸í 8¸¸¿ø, 3¸í 10¸¸¿ø

ƯÁ´ë 3¸í 13¸¸¿ø,4¸í 15¸¸¿ø

(ºñÃß°¡ 1ÀÎ Àοø 1¸¸¿ø)


 ÁÖ¸» 

½ÅÇü. 3¸í 13¸¸¿ø 

ƯÁ´ë 4¸í 18¸¸¿ø 

(ºñÃß°¡ Àοø 1¸¸¿ø, ³¬½Ã Àοø 1ÀÎ 2¸¸¿ø,2ÀÎ 5¸¸¿ø ÀÔ´Ï´Ù.)



 * °¡²û ±¤°í¸¦ Ŭ¸¯ÇØ ºÁ ÁÖ½Ã¸é ³¬¶û »çÀÌÆ® ¿î¿µ¿¡ µµ¿òÀÌ µË´Ï´Ù ^^
  
ÃÑ 0°³ÀÇ ´ñ±ÛÀÌ ÀÖ½À´Ï´Ù.

    ´ñ±Û¾²±â     [·Î±×ÀÎ] | [ȸ¿ø°¡ÀÔ]
 
 
907ÅäÁ¾ºØ¾î 4Â¥¼Ò½Ä (356¹øÂ°) ¹× ÅäÁ¾ ´ëºØ¾î,ºØ¾î ¹æ·ù  ¾îõ³¬½ÃÅÍÁö±â26.04.21
906ÅäÁ¾ºØ¾î 4Â¥¼Ò½Ä (354¹øÂ°) Á¶È² Á¤º¸  ¾îõ³¬½ÃÅÍÁö±â26.04.20
905ÅäÁ¾ºØ¾î 4Â¥¼Ò½Ä (347¹øÂ°)Á¶È² ¹× ÅäÁ¾´ëºØ¾î,ºØ¾î ¹æ·ù  ¾îõ³¬½ÃÅÍÁö±â26.04.19
904ÅäÁ¾ºØ¾î 4Â¥¼Ò½Ä (338¹øÂ°) Á¶È² ¹× ÅäÁ¾ºØ¾î ¹æ·ù ¾îõ³¬½ÃÅÍÁö±â26.04.18
903ÅäÁ¾ºØ¾î 4Â¥¼Ò½Ä (332¹øÂ°)Á¶È² ¹× ÅäÁ¾ ´ëºØ¾î,ºØ¾î¹æ·ù¾îõ³¬½ÃÅÍÁö±â26.04.17
902ÅäÁ¾ºØ¾î 4Â¥¼Ò½Ä (320¹øÂ°)Á¶È² À̸ð Àú¸ð Á¤º¸¾îõ³¬½ÃÅÍÁö±â26.04.16
901ÅäÁ¾ºØ¾î 4Â¥¼Ò½Ä (309¹øÂ°) Á¶È²¾îõ³¬½ÃÅÍÁö±â26.04.15
900ÅäÁ¾ºØ¾î 4Â¥¼Ò½Ä (304¹øÂ°) Á¶È² ¹× ÅäÁ¾ºØ¾î ´ë·®¹æ·ù ¾îõ³¬½ÃÅÍÁö±â26.04.14
899ÅäÁ¾ºØ¾î 4Â¥¼Ò½Ä (302¹øÂ°) Á¶È² ¹× ÅäÁ¾ ´ëºØ¾î ¹æ·ù ¾îõ³¬½ÃÅÍÁö±â26.04.13
898ÅäÁ¾ºØ¾î 4Â¥¼Ò½Ä (293¹øÂ°) Á¶È² Á¤º¸ ¾îõ³¬½ÃÅÍÁö±â26.04.12
897ÅäÁ¾ºØ¾î 4Â¥¼Ò½Ä (284¹øÂ°)¾îõ³¬½ÃÅÍÁö±â26.04.11
896ÅäÁ¾ºØ¾î 4Â¥¼Ò½Ä (283¹øÂ°) ¹× ÅäÁ¾ ´ëºØ¾î ¹æ·ù¾îõ³¬½ÃÅÍÁö±â26.04.10
  1   2   3   4   5   6   7   8   9   10   

³¬½Ã»ç¶û¼Ò°³ | ¿À½Ã´Â±æ | ³¬½Ã»ç¶û¹è³Ê | ÀÌ¿ë¾à°ü | À̸ÞÀϹ«´Ü¼öÁý°ÅºÎ | °³ÀÎÁ¤º¸Ãë±Þ¹æÄ§ | ±Ç¸®Ä§ÇØ½Å°í¼¾ÅÍ
Copyright 1997~2022 (ÁÖ)À¥¶óÀÌÇÁ/³¬½Ã»ç¶û All rights reserved »ç¾÷ÀÚµî·Ï¹øÈ£ 110-81-42683
»ç¾÷Àå : ¼­¿ïƯº°½Ã ¿µµîÆ÷±¸ ¿µµîÆ÷·Î 374, 3Ãþ
[±¤°í/Á¦ÈÞ ¹× Ãßõ»óǰ µî·Ï¹®ÀÇ]     [³¬½ÃÅÍ ¹× ³¬½Ë¹è µî·Ï¹®ÀÇ]     [¹Î¿ø/°ÇÀÇ/½Å°í]     [¸ÞÀϹ®ÀÇ]     [¹®ÀÇ(FAX) 02-2634-2730]