»ó°î³¬½ÃÅÍ À¯·á³¬½ÃÅÍ > ÅäÁ¾ºØ¾îÅÍ »ó°îÁö~~~ÇöÁ¦ ¹° ³¬½Ã ¿î¿µÇϰí ÀÖ½À´Ï´Ù.~ÅäÁ¾ºØ¾î ¹æ·ù´Â °è¼Ó ÀÌ·ïÁý´Ï´Ù~~~ : ³¬½Ã»ç¶û
ȸ¿ø°¡ÀÔ | ·Î±×ÀΠ| ½ÃÀÛÆäÀÌÁö | Áñ°Üã±â | ¹®ÀÇ/¿äû/½Å°í
³¬½ÃÅͼ±Åà | Àαâ°Ë»ö¾î | ¹Î¹°ÈÄ¿ø³¬½ÃÅÍ | ¹Ù´ÙÈÄ¿øÅÍ
 
¹Î¹°³¬½Ã | Á´ë/À¯·áÅÍ | ¹Ù´Ù³¬½Ã | ·ç¾î³¬½Ã | Ä¿¹Â´ÏƼ | ³¬¶ûŬ·´ | ³¬½Ã½ºÄð | Áß°íÀåÅÍ | ³¬½ÃQ&A | »ç¿ë±â/°­Á | ÃâÁ¶Á¤º¸ | °ø±¸/¿ëǰÁ¤º¸

 ½Ç½Ã°£³¬½ÃÅͼҽÄ(ÈÄ¿øÅÍ)

- º» °Ô½Ã¹°À» ¹«´Ü ´Ù¿î·Îµå, µµ¿ë, Àοë, ¸µÅ© ±ÝÁö. HOME >À¯·áÅÍÁ¤º¸ >½Ç½Ã°£³¬½ÃÅͼҽÄ(ÈÄ¿øÅÍ)
»ó°î³¬½ÃÅÍ
ÀÛ¼ºÀÏ : 2026-02-26 15:29:55 / Àú¼öÁö / ÃæºÏ À½¼º±º »ó°î³¬½ÃÅÍ   

Á¦¸ñ l »ó°î³¬½ÃÅÍ À¯·á³¬½ÃÅÍ > ÅäÁ¾ºØ¾îÅÍ »ó°îÁö~~~ÇöÁ¦ ¹° ³¬½Ã ¿î¿µÇϰí ÀÖ½À´Ï´Ù.~ÅäÁ¾ºØ¾î ¹æ·ù´Â °è¼Ó ÀÌ·ïÁý´Ï´Ù~~~ : ³¬½Ã»ç¶û

 

 

¾È³çÇϼ¼¿ä.^^

»ó°îÁö Àλçµå¸³´Ï´Ù.

³·°ú¹ã ±â¿ÂÂ÷°¡ ½ÉÇÑ º¯È­ ¹«½ÖÇÑ Áö³­ °Ü¿ïÀ» À̱â°í ±ú¾î³­ »ó°îÁö

¿ì¸® ¸ðµÎ º½¿¡ Èñ¸ÁÂù ±â¿îÀ» ÇѲ¯ µå·Á¸¶½Ã¸ç »õ·Î¿î ½ÃÀÛÀÇ ¹®À» Ȱ¦ ¿­¾î º¾´Ï´Ù.~~~  

¾ÆÁ÷ ¹ã¿¡´Â Ãä±â¶§¹®¿¡ ¿ÊÀº µû¶æÇÏ°Ô ¸¶À½Àº °¡º±°Ô, 

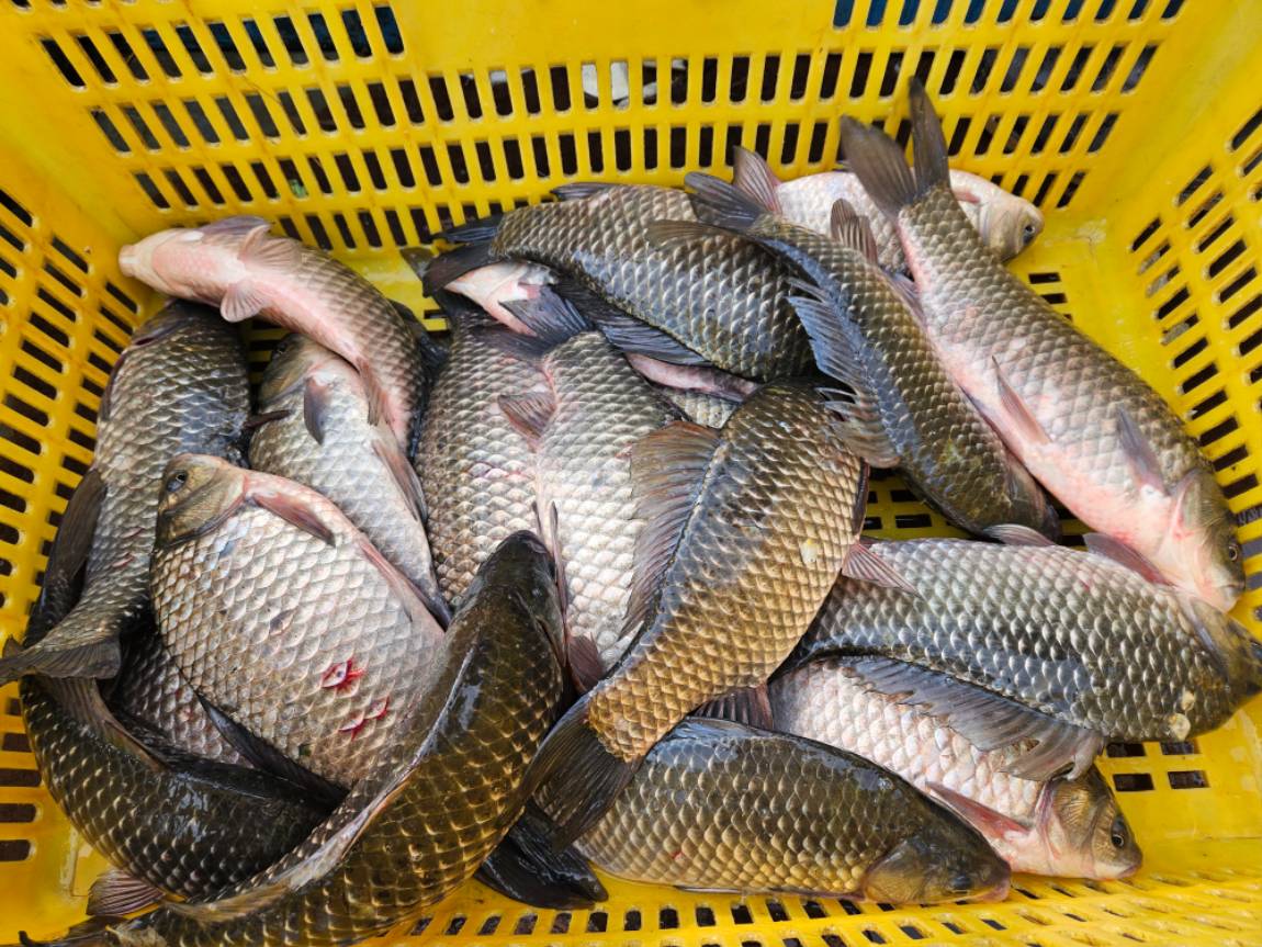
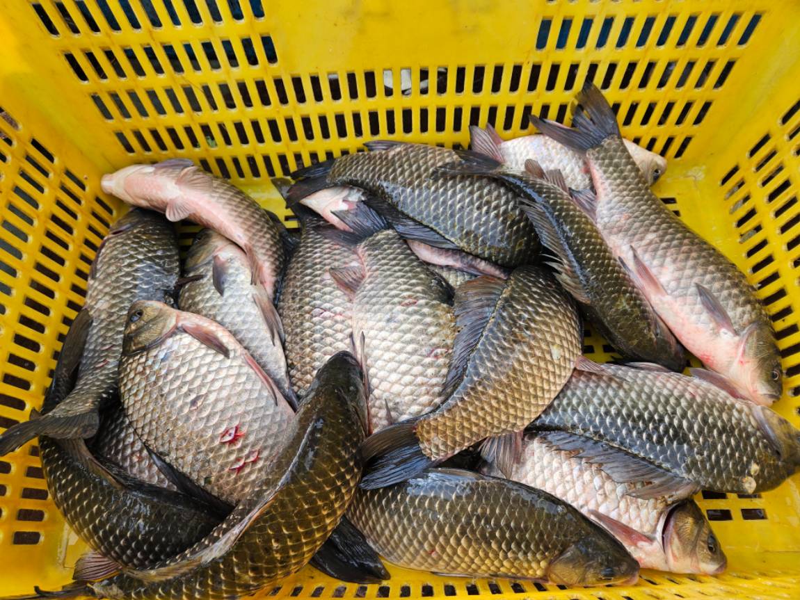
¹°ÀÌ ÇØºù°ú µ¿½Ã¿¡ ¸¹Àº ¹æ·ù(ÅäÁ¾ºØ¾î)¸¦ Çϰí ÀÖ½À´Ï´Ù.

»ó°îÁö ÅäÁ¾ºØ¾î (¸íǰºØ¾î ¶ó´Â°Å ´Ù ¾Æ½Ã´Â ¼Ò¹®³­°÷)

»ó°îÁö°¡ ±Ã±ÀÇÏ½Ã´Ù¸é ³î·¯¿À¼¼¿ä.^^~~~~~~~~~~~~~~

 

20040816141236.gif

 

 

 

 

 

20251124_112922.jpg

 

 

20251124_112930.jpg

 

 

20251124_112949.jpg

 

 

20251124_113010.jpg

 

 

20251124_113107.jpg

 

 

20251124_113111.jpg

 

 

20251124_113113.jpg

 

 

20251124_112911.jpg

 

 

20251124_112913.jpg

 

 

20251124_113114(0).jpg

 

 

20251124_113114.jpg

 

 

20251215_115250.jpg

 

 

20251215_115259.jpg

 

 

20190514132858_bvmf[1].jpg

 

 

20190514133458_coxi[1].jpg

 

 

20201020065642_rzzv[1].jpg

 

 

20201020070206_ahof[1].jpg

 

 

20201020070243_vacx[1].jpg

 

 

20250306_163019.jpg

 

 

20201029131501_ahao[1].jpg

 

 

 

 

 


 * °¡²û ±¤°í¸¦ Ŭ¸¯ÇØ ºÁ ÁÖ½Ã¸é ³¬¶û »çÀÌÆ® ¿î¿µ¿¡ µµ¿òÀÌ µË´Ï´Ù ^^
  
ÃÑ 0°³ÀÇ ´ñ±ÛÀÌ ÀÖ½À´Ï´Ù.

    ´ñ±Û¾²±â     [·Î±×ÀÎ] | [ȸ¿ø°¡ÀÔ]
 
 
439ÅäÁ¾ºØ¾îÅÍ »ó°îÁö~~~ÇöÁ¦ ¹° ³¬½Ã ¿î¿µÇϰí ÀÖ½À´Ï´Ù.~ÅäÁ¾ºØ¾î ¹æ·ù.. »ó°î³¬½ÃÅÍ26.02.26
438ÅäÁ¾ºØ¾îÅÍ »ó°îÁö~~~26³â ¹°³¬½Ã ¿î¿µÁßÀÔ´Ï´Ù.~~~ÅäÁ¾ºØ¾î ´ë·® ..»ó°î³¬½ÃÅÍ26.02.25
437ÅäÁ¾ºØ¾î Àü¹® ³¬½ÃÅÍ~~~Á¶È²ÀÔ´Ï´Ù................»ó°î³¬½ÃÅÍ25.10.22
436ÅäÁ¾ºØ¾î Àü¹® ³¬½ÃÅÍ~~~Á¶È²ÀÔ´Ï´Ù................»ó°î³¬½ÃÅÍ25.10.09
435ÅäÁ¾ºØ¾î Àü¹® ³¬½ÃÅÍ~~~Á¶È²ÀÔ´Ï´Ù................»ó°î³¬½ÃÅÍ25.10.02
434ÅäÁ¾ºØ¾î Àü¹® ³¬½ÃÅÍ~~~Á¶È²ÀÔ´Ï´Ù................»ó°î³¬½ÃÅÍ25.09.24
433ÅäÁ¾ºØ¾î Àü¹® ³¬½ÃÅÍ~~~Á¶È²Á¤º¸................»ó°î³¬½ÃÅÍ25.09.17
432ÅäÁ¾ºØ¾îÅÍ »ó°îÁö~~~ÅäÁ¾ºØ¾î ¹æ·ù¸ð½À~~~~~~~~~~»ó°î³¬½ÃÅÍ25.09.10
431ÅäÁ¾ºØ¾î Àü¹® ³¬½ÃÅÍ~~~Á¶È²ÀÔ´Ï´Ù................»ó°î³¬½ÃÅÍ25.08.20
430ÅäÁ¾ºØ¾î Àü¹® ³¬½ÃÅÍ~~~Á¶È²ÀÔ´Ï´Ù................»ó°î³¬½ÃÅÍ25.08.13
429ÅäÁ¾ºØ¾î Àü¹® ³¬½ÃÅÍ~~~Á¶È²ÀÔ´Ï´Ù................»ó°î³¬½ÃÅÍ25.08.06
428ÅäÁ¾ºØ¾î Àü¹® ³¬½ÃÅÍ~~~Á¶È²ÀÔ´Ï´Ù................»ó°î³¬½ÃÅÍ25.07.30
  1   2   3   4   5   6   7   8   9   10   

³¬½Ã»ç¶û¼Ò°³ | ¿À½Ã´Â±æ | ³¬½Ã»ç¶û¹è³Ê | ÀÌ¿ë¾à°ü | À̸ÞÀϹ«´Ü¼öÁý°ÅºÎ | °³ÀÎÁ¤º¸Ãë±Þ¹æÄ§ | ±Ç¸®Ä§ÇØ½Å°í¼¾ÅÍ
Copyright 1997~2022 (ÁÖ)À¥¶óÀÌÇÁ/³¬½Ã»ç¶û All rights reserved »ç¾÷ÀÚµî·Ï¹øÈ£ 110-81-42683
»ç¾÷Àå : ¼­¿ïƯº°½Ã ¿µµîÆ÷±¸ ¿µµîÆ÷·Î 374, 3Ãþ
[±¤°í/Á¦ÈÞ ¹× Ãßõ»óǰ µî·Ï¹®ÀÇ]     [³¬½ÃÅÍ ¹× ³¬½Ë¹è µî·Ï¹®ÀÇ]     [¹Î¿ø/°ÇÀÇ/½Å°í]     [¸ÞÀϹ®ÀÇ]     [¹®ÀÇ(FAX) 02-2634-2730]