¾È¼º °Åû³¬½ÃÅÍ À¯·á³¬½ÃÅÍ > °Åû³¬½ÃÅÍ Á¶È² ¹× °³Àå(3¿ù 14ÀÏ Åä¿äÀÏ) : ³¬½Ã»ç¶û
ȸ¿ø°¡ÀÔ | ·Î±×ÀΠ| ½ÃÀÛÆäÀÌÁö | Áñ°Üã±â | ¹®ÀÇ/¿äû/½Å°í
³¬½ÃÅͼ±Åà | Àαâ°Ë»ö¾î | ¹Î¹°ÈÄ¿ø³¬½ÃÅÍ | ¹Ù´ÙÈÄ¿øÅÍ
 
¹Î¹°³¬½Ã | Á´ë/À¯·áÅÍ | ¹Ù´Ù³¬½Ã | ·ç¾î³¬½Ã | Ä¿¹Â´ÏƼ | ³¬¶ûŬ·´ | ³¬½Ã½ºÄð | Áß°íÀåÅÍ | ³¬½ÃQ&A | »ç¿ë±â/°­Á | ÃâÁ¶Á¤º¸ | °ø±¸/¿ëǰÁ¤º¸

 ½Ç½Ã°£³¬½ÃÅͼҽÄ(ÈÄ¿øÅÍ)

- º» °Ô½Ã¹°À» ¹«´Ü ´Ù¿î·Îµå, µµ¿ë, Àοë, ¸µÅ© ±ÝÁö. HOME >À¯·áÅÍÁ¤º¸ >½Ç½Ã°£³¬½ÃÅͼҽÄ(ÈÄ¿øÅÍ)

¾È¼º °Åû³¬½ÃÅÍ
ÀÛ¼ºÀÏ : 2026-03-05 09:23:38 / ÀϹÝÅÍ   

Á¦¸ñ l ¾È¼º °Åû³¬½ÃÅÍ À¯·á³¬½ÃÅÍ > °Åû³¬½ÃÅÍ Á¶È² ¹× °³Àå(3¿ù 14ÀÏ Åä¿äÀÏ) : ³¬½Ã»ç¶û

                                                  

 

 


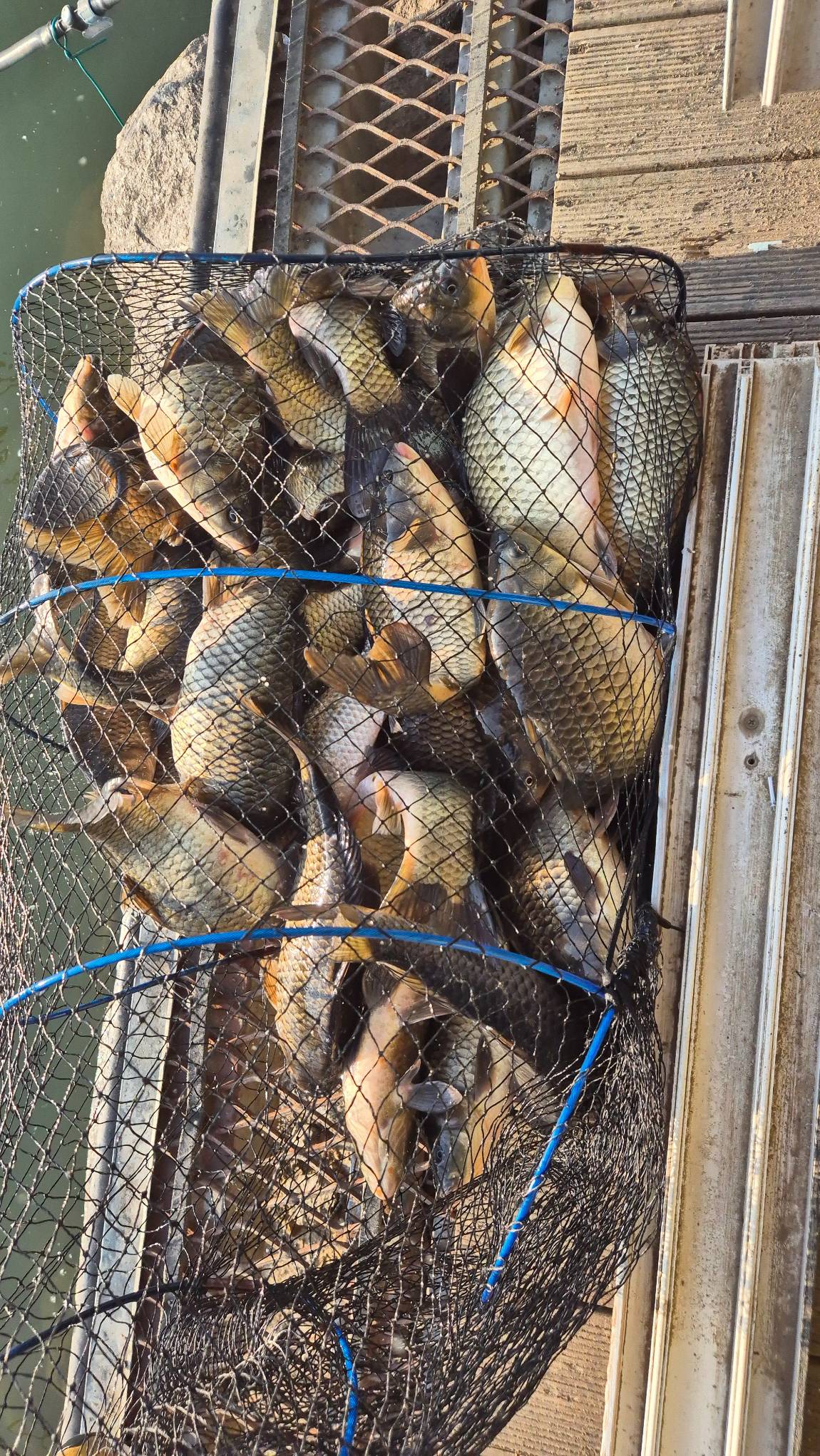
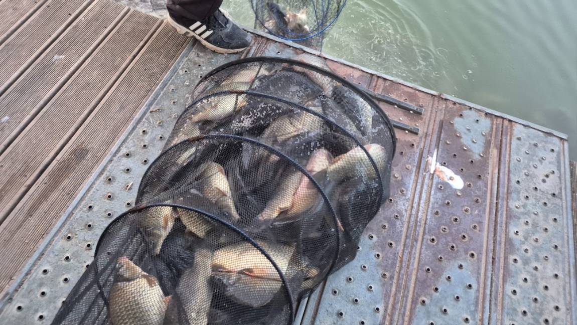
 2026³â  3¿ù 14ÀÏ  Åä¿äÀÏ  °³Àå¼Ò½ÄÀ»  ¾Ë¸³´Ï´Ù

 

Á¶»ç´ÔµéÀÇ  ÈÞ½Äó¿Í  Ãë¹Ì»ýȰÀÇ  ¸ÞÄ«¸¦  ¸¸µé±â À§ÇØ  Áغñ  ÇÕ´Ï´Ù

 

Çö  ºØ¾îÁ¶È²ÀÌ Á¡Á¡  ÁÁ¾Æ  Áö´Â°ÍÀ»  ´À³¥¼ö  ÀÖÀ¾´Ï´Ù

 

 

 

 

     www.°Åû³¬½ÃÅÍ.kr 

 

 

 (  ¹æ°¡·Î ½Ç½Ã°£ ¿¹¾à  °¡´ÉÇÕ´Ï´Ù  )

 

 

 

= ¸ðµç  ¹æ°¡·Î  Wi- Fi  ¼³Ä¡  ¿Ï·á =

 

= ¿¡¾îÄÁ.³ÃÀå°í.À̺Ò.Àü±â½Ã¼³.¼ö¼¼½ÄÈ­Àå½Ç = 

 

=    ¸ðµç ¹æ°¡·Î ¾Õ  ÁÖÂ÷°¡´É     =

 

 


  °¡Á·.Ä£±¸.¿¬ÀÎµî  Á÷À嵿·á¿Í  ÇÔ²²  

 


Â¥¸´ÇÑ  ¼Õ¸À°ú  Âî¸ÀÀ»  ´À³¢¸é¼­ 

  

 

Áñ°Å¿î  ºØ¾î³¬½Ã¸¦  Áñ±â½Ç¼ö  ÀÖÀ¾´Ï´Ù

 

 

 

 

 

20260304_080203.jpg

 

 

20260304_080216.jpg

 

 

20260304_080218.jpg

 

 

20260304_080220.jpg

 

 

20260304_080222.jpg

 

 

20260304_080224.jpg

 

 

20260304_080226.jpg

 

 

20260305_065704.jpg

 

 

20260305_065707.jpg

 

 

20260305_065709.jpg

 

 

20260305_065713.jpg

 

 

20260305_065716.jpg

 

 

20260305_065718.jpg

 

 

20260305_065727.jpg

 

 

20260305_065737.jpg

 

 

20260305_084039.jpg

 

 

20260305_084042.jpg

 

 

20260305_084054.jpg

 

 

20260305_084056.jpg

 

 

20260305_084100.jpg

 

 

20260305_084101.jpg

 

 

20260305_084159.jpg

 

 

20260305_084211.jpg

 

 

20260305_084217.jpg

 

 

20260305_084222.jpg

 

20260305_084234.jpg

 

 

20260305_084253.jpg

 

 

20260305_084306.jpg

 

 

20260305_084312.jpg

 

 

20260305_084313.jpg

 

 

20260305_084647.jpg

 

 

20260305_084706.jpg

 

 

20260305_084708.jpg

 

 

20260305_084711.jpg

 

 

20260305_084717.jpg

 

 

20260305_084738.jpg

 

 

1772579097367.jpg

 

 

1772579097530.jpg

 

 

1772579097640.jpg

 




                                                 »ó¼¼ÇÑ  Á¶È²°ú ¹®ÀÇ  ¹× ¹æ°¡·Î ¹èÄ¡µµ  

 

°Åû ³×À̹öÄ«Æä : http://cafe.naver.com/geuchunG

 

 

 

 

 

 

 * °¡²û ±¤°í¸¦ Ŭ¸¯ÇØ ºÁ ÁÖ½Ã¸é ³¬¶û »çÀÌÆ® ¿î¿µ¿¡ µµ¿òÀÌ µË´Ï´Ù ^^
  
ÃÑ 0°³ÀÇ ´ñ±ÛÀÌ ÀÖ½À´Ï´Ù.

    ´ñ±Û¾²±â     [·Î±×ÀÎ] | [ȸ¿ø°¡ÀÔ]
 
 
1910°Åû³¬½ÃÅÍ Á¶È² ¹× °³Àå(3¿ù 14ÀÏ Åä¿äÀÏ) ¾È¼º °Åû³¬½ÃÅÍ26.03.05
19093¿ù 2ÀÏ º½ºØ¾î ¹æ·ù¿Í ºØ¾îÁ¶È²¾È¼º °Åû³¬½ÃÅÍ26.03.02
19082¿ù 23ÀÏ Àü±¸°£ ¹°³¬½Ã°¡´É¾È¼º °Åû³¬½ÃÅÍ26.02.23
19072¿ù 19ÀÏ Àü±¸°£ ¹°³¬½Ã°¡´É¾È¼º °Åû³¬½ÃÅÍ26.02.19
19062¿ù 16ÀÏ Àü±¸°£ ¹°³¬½Ã°¡´É¾È¼º °Åû³¬½ÃÅÍ26.02.16
19052¿ù 12ÀÏ °Ü¿ïºØ¾î¹æ·ù ? ±¸Á¤¿¬ÈÞ ¹°³¬½Ã°¡´É¾È¼º °Åû³¬½ÃÅÍ26.02.12
19042¿ù 2ÀÏ ¾È¼º °Åû³¬½ÃÅÍ Á¶È²¾È¼º °Åû³¬½ÃÅÍ26.02.02
19031¿ù 26ÀÏ ¾È¼º °Åû³¬½ÃÅÍ Á¶È²¾È¼º °Åû³¬½ÃÅÍ26.01.26
19021¿ù 19ÀÏ ¾È¼º °Åû³¬½ÃÅÍ Á¶È²¾È¼º °Åû³¬½ÃÅÍ26.01.19
19011¿ù 11ÀÏ ¾È¼º °Åû³¬½ÃÅÍ Á¶È²¾È¼º °Åû³¬½ÃÅÍ26.01.11
190012¿ù 22ÀÏ ¾È¼º °Åû³¬½ÃÅÍ Á¶È²¾È¼º °Åû³¬½ÃÅÍ25.12.22
189912¿ù 16ÀÏ ¾È¼º °Åû³¬½ÃÅÍ Á¶È²¾È¼º °Åû³¬½ÃÅÍ25.12.16
  1   2   3   4   5   6   7   8   9   10   

³¬½Ã»ç¶û¼Ò°³ | ¿À½Ã´Â±æ | ³¬½Ã»ç¶û¹è³Ê | ÀÌ¿ë¾à°ü | À̸ÞÀϹ«´Ü¼öÁý°ÅºÎ | °³ÀÎÁ¤º¸Ãë±Þ¹æÄ§ | ±Ç¸®Ä§ÇØ½Å°í¼¾ÅÍ
Copyright 1997~2022 (ÁÖ)À¥¶óÀÌÇÁ/³¬½Ã»ç¶û All rights reserved »ç¾÷ÀÚµî·Ï¹øÈ£ 110-81-42683
»ç¾÷Àå : ¼­¿ïƯº°½Ã ¿µµîÆ÷±¸ ¿µµîÆ÷·Î 374, 3Ãþ
[±¤°í/Á¦ÈÞ ¹× Ãßõ»óǰ µî·Ï¹®ÀÇ]     [³¬½ÃÅÍ ¹× ³¬½Ë¹è µî·Ï¹®ÀÇ]     [¹Î¿ø/°ÇÀÇ/½Å°í]     [¸ÞÀϹ®ÀÇ]     [¹®ÀÇ(FAX) 02-2634-2730]