³ëÀºÁö À¯·á³¬½ÃÅÍ > ³ëÀºÁö ³¬½ÃÅÍ ¼Ò½ÄÀÔ´Ï´Ù. : ³¬½Ã»ç¶û
ȸ¿ø°¡ÀÔ | ·Î±×ÀΠ| ½ÃÀÛÆäÀÌÁö | Áñ°Üã±â | ¹®ÀÇ/¿äû/½Å°í
³¬½ÃÅͼ±Åà | Àαâ°Ë»ö¾î | ¹Î¹°ÈÄ¿ø³¬½ÃÅÍ | ¹Ù´ÙÈÄ¿øÅÍ
 
¹Î¹°³¬½Ã | Á´ë/À¯·áÅÍ | ¹Ù´Ù³¬½Ã | ·ç¾î³¬½Ã | Ä¿¹Â´ÏƼ | ³¬¶ûŬ·´ | ³¬½Ã½ºÄð | Áß°íÀåÅÍ | ³¬½ÃQ&A | »ç¿ë±â/°­Á | ÃâÁ¶Á¤º¸ | °ø±¸/¿ëǰÁ¤º¸

 ½Ç½Ã°£³¬½ÃÅͼҽÄ(ÈÄ¿øÅÍ)

- º» °Ô½Ã¹°À» ¹«´Ü ´Ù¿î·Îµå, µµ¿ë, Àοë, ¸µÅ© ±ÝÁö. HOME >À¯·áÅÍÁ¤º¸ >½Ç½Ã°£³¬½ÃÅͼҽÄ(ÈÄ¿øÅÍ)

³ëÀºÁö
ÀÛ¼ºÀÏ : 2026-03-15 23:16:28 / Àú¼öÁö / ÃæºÏ ÃæÁֽà ³ëÀºÁö ³¬½ÃÅÍ   

Á¦¸ñ l ³ëÀºÁö À¯·á³¬½ÃÅÍ > ³ëÀºÁö ³¬½ÃÅÍ ¼Ò½ÄÀÔ´Ï´Ù. : ³¬½Ã»ç¶û

 

ŸÀÌÆ²1.jpg

 

 

ŸÀÌÆ²2.png

 

 

KakaoTalk_20260315_173003842_12.jpg

 

  

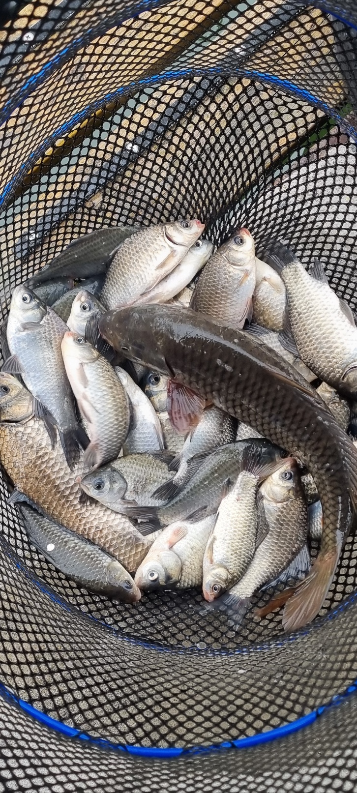
¿Ãº½¿¡´Â ¹°»çÁ¤ÀÌ ÁÁ¾Æ¼­ 4È£ 5È£ Á´븦 ¸ÅÁ¡¾Æ·¡ ÀÛÀº Á¦¹æ ¾Õ¿¡ À§Ä¡ Çß½À´Ï´Ù.

 

 

 

KakaoTalk_20260315_173003842.jpg

 

 

 

 

¿À·¡°£¸¸¿¡ ³ëÀºÁö ¼Ò½ÄÀ» ÀüÇÕ´Ï´Ù.

2ÁÖÀü ¹°³¬½Ã¸¦ ½ÃÀÛÇÏ°í ºÎÅÍ´Â ±â¿ÂÀÌ ¶Ò ¶³¾î Áö¸é¼­ 

²É»ù ÃßÀ§·Î ¼ö¿ÂÀÌ ¿À¸£Áö ¾Ê´Ù°¡ ¾ù±×Á¦ ºÎÅÍ 

³¯¾¾°¡ Ç®¸®±â ½ÃÀÛ Ç߳׿ä.  

 

ÇÏÁö¸¸ ÁÖ¸» Á¶Ç×À» º¸¸é ¾ÆÁ÷Àº À̸¥°¡ º¾´Ï´Ù.   

Á´ë À§Ä¡¿¡ µû¶ó Á¶°ú Â÷À̰¡ ¸¹ÀÌ ³µ½À´Ï´Ù. 

¿ÃÇØ º½ÀÇ Àý±â´Â ¿¹³â¿¡ ºñÇØ ¿­Èê Á¤µµ´Â ´ÊÀºµíÇÕ´Ï´Ù.  

±×·¡µµ À̹øÁÖ Á¶°ú´Â Áö³­ÁÖ¿¡ ºñÇϸé Çæ ÁÁÀº Á¶°ú¿´½À´Ï´Ù.

 

Á¶±ÞÇÑ ¸¶À½À¸·Î ¸¹Àº Á¶¿ì´Ôµé²²¼­ 

Á¶Ç×¹®ÀǸ¦ ÇϽôµ¥ ¾ÆÁ÷ ±îÁö´Â ½ÅÅëÄ¡ ¾Ê½À´Ï´Ù.

¼ö¿äÀÏ ºÎÅÍ´Â ±â¿ÂÀÌ ¿À¸¥´Ù´Ï ¿À¸£´Â ¼ö¿Â ¸¸Å­À̳ª 

Á¶Ç×µµ ÁÁ¿Í Áö±æ ¹Ù·¡ ºÁ¾ßÁö¿ä. 

 

Ãß¿î ³¯¾¾¿¡µµ ?¾ÆÁֽŠÁ¶¿ì´Ôµé °¨»ç µå¸³´Ï´Ù.

Á¶¼®À¸·Î ±â¿Â Â÷À̰¡ ½ÉÇÕ´Ï´Ù.  

°¨±â Á¶½ÉÇÏ½Ã°í °Ç°­ÇÑ ¸ð½ÀÀ¸·Î ºË°Ú½À´Ï´Ù.

 

³ëÀºÁö ³¬½ÃÅÍ ÀÌÀÇ½Ä ¿Ã¸².

 

 

 

 

 

KakaoTalk_20260315_173003842_01.jpg

 

 

KakaoTalk_20260315_173003842_02.jpg

 

 

KakaoTalk_20260315_173003842_03.jpg

 

 

KakaoTalk_20260315_173003842_04.jpg

 

 

KakaoTalk_20260315_173003842_05.jpg

 

 

KakaoTalk_20260315_173003842_06.jpg

 

 

KakaoTalk_20260315_173003842_07.jpg

 

 

KakaoTalk_20260315_173003842_08.jpg

 

 

KakaoTalk_20260315_173003842_09.jpg

 

 

KakaoTalk_20260315_173003842_10.jpg

 

 

KakaoTalk_20260315_173003842_11.jpg

 

 

ŸÀÌÆ²3.jpg

 

 

ŸÀÌÆ²4.jpg

 

 

ŸÀÌÆ²5.jpg

 

 

ŸÀÌÆ²6.jpg

 

 

ŸÀÌÆ²7.jpg

 

 

ŸÀÌÆ²8 (2).png

 

 

ŸÀÌÆ²9.png

 


 * °¡²û ±¤°í¸¦ Ŭ¸¯ÇØ ºÁ ÁÖ½Ã¸é ³¬¶û »çÀÌÆ® ¿î¿µ¿¡ µµ¿òÀÌ µË´Ï´Ù ^^
  
ÃÑ 0°³ÀÇ ´ñ±ÛÀÌ ÀÖ½À´Ï´Ù.

    ´ñ±Û¾²±â     [·Î±×ÀÎ] | [ȸ¿ø°¡ÀÔ]
 
 
256³ëÀºÁö ³¬½ÃÅÍ ¼Ò½ÄÀÔ´Ï´Ù. ³ëÀºÁö26.03.15
255³ëÀºÁö ³¬½ÃÅÍ ¼Ò½ÄÀÔ´Ï´Ù.³ëÀºÁö26.02.23
254³ëÀºÁö ³¬½ÃÅÍ ¼Ò½Ä ÀÔ´Ï´Ù.³ëÀºÁö25.11.09
253³ëÀºÁö ³¬½ÃÅÍ ¼Ò½Ä ÀÔ´Ï´Ù.³ëÀºÁö25.10.27
252³ëÀºÁö ³¬½ÃÅÍ ¼Ò½Ä ÀÔ´Ï´Ù.³ëÀºÁö25.10.14
251³ëÀºÁö ³¬½ÃÅÍ ¼Ò½Ä ÀÔ´Ï´Ù.³ëÀºÁö25.10.06
250³ëÀºÁö ³¬½ÃÅÍ ¼Ò½Ä ÀÔ´Ï´Ù.³ëÀºÁö25.09.29
249³ëÀºÁö ³¬½ÃÅÍ ¼Ò½Ä ÀÔ´Ï´Ù.³ëÀºÁö25.09.22
248³ëÀºÁö ³¬½ÃÅÍ ¼Ò½Ä ÀÔ´Ï´Ù.³ëÀºÁö25.09.08
247³ëÀºÁö ³¬½ÃÅÍ ¼Ò½Ä ÀÔ´Ï´Ù.³ëÀºÁö25.08.31
246³ëÀºÁö ³¬½ÃÅÍ ¼Ò½Ä ÀÔ´Ï´Ù.³ëÀºÁö25.08.24
245³ëÀºÁö ³¬½ÃÅÍ ¼Ò½Ä ÀÔ´Ï´Ù.³ëÀºÁö25.08.17
  1   2   3   4   5   6   7   8   9   10   

³¬½Ã»ç¶û¼Ò°³ | ¿À½Ã´Â±æ | ³¬½Ã»ç¶û¹è³Ê | ÀÌ¿ë¾à°ü | À̸ÞÀϹ«´Ü¼öÁý°ÅºÎ | °³ÀÎÁ¤º¸Ãë±Þ¹æÄ§ | ±Ç¸®Ä§ÇØ½Å°í¼¾ÅÍ
Copyright 1997~2022 (ÁÖ)À¥¶óÀÌÇÁ/³¬½Ã»ç¶û All rights reserved »ç¾÷ÀÚµî·Ï¹øÈ£ 110-81-42683
»ç¾÷Àå : ¼­¿ïƯº°½Ã ¿µµîÆ÷±¸ ¿µµîÆ÷·Î 374, 3Ãþ
[±¤°í/Á¦ÈÞ ¹× Ãßõ»óǰ µî·Ï¹®ÀÇ]     [³¬½ÃÅÍ ¹× ³¬½Ë¹è µî·Ï¹®ÀÇ]     [¹Î¿ø/°ÇÀÇ/½Å°í]     [¸ÞÀϹ®ÀÇ]     [¹®ÀÇ(FAX) 02-2634-2730]