¾È¼º °Åû³¬½ÃÅÍ À¯·á³¬½ÃÅÍ > 3¿ù 16ÀÏ °Åû³¬½ÃÅÍ °³ÀåÁ¶È² : ³¬½Ã»ç¶û
ȸ¿ø°¡ÀÔ | ·Î±×ÀΠ| ½ÃÀÛÆäÀÌÁö | Áñ°Üã±â | ¹®ÀÇ/¿äû/½Å°í
³¬½ÃÅͼ±Åà | Àαâ°Ë»ö¾î | ¹Î¹°ÈÄ¿ø³¬½ÃÅÍ | ¹Ù´ÙÈÄ¿øÅÍ
 
¹Î¹°³¬½Ã | Á´ë/À¯·áÅÍ | ¹Ù´Ù³¬½Ã | ·ç¾î³¬½Ã | Ä¿¹Â´ÏƼ | ³¬¶ûŬ·´ | ³¬½Ã½ºÄð | Áß°íÀåÅÍ | ³¬½ÃQ&A | »ç¿ë±â/°­Á | ÃâÁ¶Á¤º¸ | °ø±¸/¿ëǰÁ¤º¸

 ½Ç½Ã°£³¬½ÃÅͼҽÄ(ÈÄ¿øÅÍ)

- º» °Ô½Ã¹°À» ¹«´Ü ´Ù¿î·Îµå, µµ¿ë, Àοë, ¸µÅ© ±ÝÁö. HOME >À¯·áÅÍÁ¤º¸ >½Ç½Ã°£³¬½ÃÅͼҽÄ(ÈÄ¿øÅÍ)

¾È¼º °Åû³¬½ÃÅÍ
ÀÛ¼ºÀÏ : 2026-03-16 08:35:52 / ÀϹÝÅÍ / °Åû   

Á¦¸ñ l ¾È¼º °Åû³¬½ÃÅÍ À¯·á³¬½ÃÅÍ > 3¿ù 16ÀÏ °Åû³¬½ÃÅÍ °³ÀåÁ¶È² : ³¬½Ã»ç¶û

                                                  

 

 


  

3¿ù 14ÀÏ  Åä¿äÀÏ  °³À峯¿¡  ¸¹Àº Á¶»ç´ÔµéÀÇ  °ü½É°ú  Âü¿©¿¡  ´Ù½Ã Çѹø  °¨»çÀÇ 

 

 

Àλ縦 ÀüÇÕ´Ï´Ù

 

 

Á¡Á¡  ÁÁ¾Æ  Áö´Â  Á¶È²À¸·Î  º¸´äÇϰíÀÚ  ¸¹Àº  ³ë·ÂÀ»  º¸¿© µå¸®°ÙÀ¾´Ï´Ù

 

 

 

 

     www.°Åû³¬½ÃÅÍ.kr 

 

 

 (  ¹æ°¡·Î ½Ç½Ã°£ ¿¹¾à  °¡´ÉÇÕ´Ï´Ù  )

 

= ¸ðµç  ¹æ°¡·Î  Wi- Fi  ¼³Ä¡  ¿Ï·á =

 

= ¿¡¾îÄÁ.³ÃÀå°í.À̺Ò.Àü±â½Ã¼³.¼ö¼¼½ÄÈ­Àå½Ç = 

 

=    ¸ðµç ¹æ°¡·Î ¾Õ  ÁÖÂ÷°¡´É     =

 

 


  °¡Á·.Ä£±¸.¿¬ÀÎµî  Á÷À嵿·á¿Í  ÇÔ²²  

 


Â¥¸´ÇÑ  ¼Õ¸À°ú  Âî¸ÀÀ»  ´À³¢¸é¼­ 

  

 

Áñ°Å¿î  ºØ¾î³¬½Ã¸¦  Áñ±â½Ç¼ö  ÀÖÀ¾´Ï´Ù

 

 

 

 

20260313_114545.jpg

 

 

20260313_114547.jpg

 

 

20260313_114551.jpg

 

 

20260313_114616.jpg

 

 

20260313_114621(0).jpg

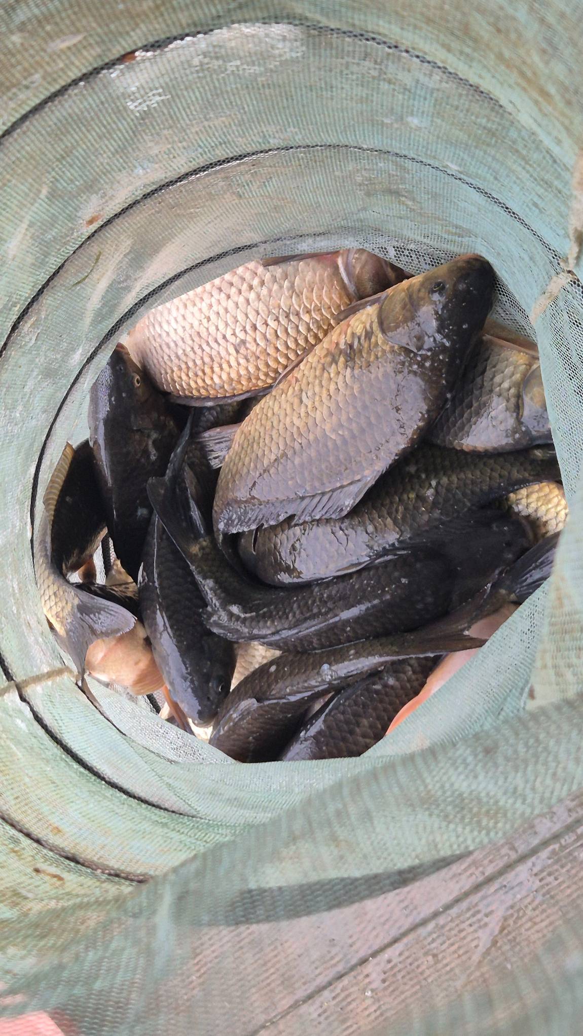
 ½Ì½ÌÇÏ°í  ±â¿î  ÁÁÀº  ºØ¾î°¡  Á¶»ç´ÔµéÀ»  ±â´Ù¸®°í  ÀÖÀ¾´Ï´Ù

 

°³ÀåÀü  ¹æ·ù¸¦  ½ÃÀÛÀ¸·Î  °è¼ÓµÇ´Â  ÀÚ¿øÁ¶¼ºÀ¸·Î  Á¶»ç´ÔµéÀÇ  È®½ÇÇÑ  ¼Õ¸ÀÀ»  ´À³¥¼ö  ÀÖµµ·Ï  Áغñ  ÇÕ´Ï´Ù

 

ºØ¾î¾¾¾Ëµµ  ¿ùô±ÞÀÌ  ³Ñ´Â   ºØ¾î¸¦  º¸½Ç¼ö  ÀÖÀ¸¸ç  

 

°³À峯¿¡µµ  È®½ÇÇÑ  ¼Õ¸À°ú  ºØ¾î ¾ó±¼À»  º¸½Ç¼ö  ÀÖ¾ú´ø°Í  °°À¾´Ï´Ù

 

 

 

 

20260313_114621.jpg

 

 

20260313_115302.jpg

 

 

20260313_115303.jpg

 

 

20260313_115345.jpg

 

 

20260313_115349.jpg

 

 

20260313_115350.jpg

 

 

20260313_115412.jpg

 

 

20260313_115413.jpg

 

 

20260313_115426.jpg

 

 

20260313_115428.jpg

 

 

20260313_115432.jpg

 Àü±¸°£  ºØ¾î°¡  ÀÚ¸®¸¦  ¾ÆÁ÷  ÀâÁö¸¦  ¸øÇѰÍÀ»  »ì¦  ´À³¥¼ö  ÀÖ¾ù³×¿ä

 

ÀÚ¸®¸¶´Ù´Â  Á¶È²  ÆíÂ÷°¡  ÀÖ¾ùÀ¸³ª   ¾ÕÀ¸·Î´Â  Àü±¸°£  Áñ°Å¿î  ºØ¾î³¬½Ã¸¦  Áñ±â½Ç¼ö  ÀÖÀ¾´Ï´Ù

 

 

 

 

20260314_075057.jpg

 

 

20260314_075101.jpg

 

 

20260314_173819.jpg

 

 

20260314_173844.jpg

 ³Ê¹«³ª  Æí¸®ÇÑ  ÁÖÂ÷°ø°£À¸·Î  ÁÖÂ÷¿Í °°ÀÌ  ³¬½ÃÀÚ¸®¸¦  Æì½Ç¼ö  ÀÖÀ¸¸ç  ¹æ°¡·Î¿¡µµ    µÚ¿¡  ¹Ù·Î  ÁÖÂ÷¸¦  Çϰí

 

Æí¾ÈÇϰԠ ºØ¾î³¬½Ã¸¦  Áñ±â½Ç¼ö  Àִ  °Åû³¬½ÃÅÍ  ÀÔ´Ï´Ù

 

 

 

 

20260314_173847.jpg

 

 

20260314_173924.jpg

 

 

20260314_173940.jpg

 

 

20260315_072346.jpg

 

 

20260315_072348.jpg

 

 

20260315_072357.jpg

 

 

20260315_072446.jpg

 

 

20260315_072450.jpg

 

 

20260315_072453.jpg

 

 

20260315_072507.jpg

 

 

20260315_072602.jpg

 

 

20260315_072605.jpg

 

 

20260315_072608.jpg

 

 

20260315_072610.jpg

 

 

20260315_072815.jpg

 

 

20260315_073245.jpg

 

 

20260315_073248.jpg

 

 

20260315_073306.jpg

 

 

20260315_073328.jpg

 

 

20260315_073332.jpg

 

 

20260315_073411.jpg

 

 

20260315_073416.jpg

 

 

20260315_073418.jpg

 

 

20260315_073427.jpg

 

 

20260315_073446.jpg

 

 

20260315_073448.jpg

 

20260312_095307.jpg

 

 

20260312_095316.jpg

 

 

20260312_095319.jpg

 

 

20260312_095326.jpg

 

 

20260312_095335.jpg

 

 

20260312_095350.jpg

 

 

20260312_095354.jpg

 

 

20260312_095407.jpg

 

 

 

 




                                                 »ó¼¼ÇÑ  Á¶È²°ú ¹®ÀÇ  ¹× ¹æ°¡·Î ¹èÄ¡µµ  

 

°Åû ³×À̹öÄ«Æä : http://cafe.naver.com/geuchunG

 

 

 

 

 

 

 * °¡²û ±¤°í¸¦ Ŭ¸¯ÇØ ºÁ ÁÖ½Ã¸é ³¬¶û »çÀÌÆ® ¿î¿µ¿¡ µµ¿òÀÌ µË´Ï´Ù ^^
  
ÃÑ 0°³ÀÇ ´ñ±ÛÀÌ ÀÖ½À´Ï´Ù.

    ´ñ±Û¾²±â     [·Î±×ÀÎ] | [ȸ¿ø°¡ÀÔ]
 
 
19123¿ù 16ÀÏ °Åû³¬½ÃÅÍ °³ÀåÁ¶È² ¾È¼º °Åû³¬½ÃÅÍ26.03.16
1911ºØ¾îÁ¶È² ¹× °³Àå¾È³»(3¿ù 14ÀÏ Åä¿äÀÏ )¾È¼º °Åû³¬½ÃÅÍ26.03.09
1910°Åû³¬½ÃÅÍ Á¶È² ¹× °³Àå(3¿ù 14ÀÏ Åä¿äÀÏ)¾È¼º °Åû³¬½ÃÅÍ26.03.05
19093¿ù 2ÀÏ º½ºØ¾î ¹æ·ù¿Í ºØ¾îÁ¶È²¾È¼º °Åû³¬½ÃÅÍ26.03.02
19082¿ù 23ÀÏ Àü±¸°£ ¹°³¬½Ã°¡´É¾È¼º °Åû³¬½ÃÅÍ26.02.23
19072¿ù 19ÀÏ Àü±¸°£ ¹°³¬½Ã°¡´É¾È¼º °Åû³¬½ÃÅÍ26.02.19
19062¿ù 16ÀÏ Àü±¸°£ ¹°³¬½Ã°¡´É¾È¼º °Åû³¬½ÃÅÍ26.02.16
19052¿ù 12ÀÏ °Ü¿ïºØ¾î¹æ·ù ? ±¸Á¤¿¬ÈÞ ¹°³¬½Ã°¡´É¾È¼º °Åû³¬½ÃÅÍ26.02.12
19042¿ù 2ÀÏ ¾È¼º °Åû³¬½ÃÅÍ Á¶È²¾È¼º °Åû³¬½ÃÅÍ26.02.02
19031¿ù 26ÀÏ ¾È¼º °Åû³¬½ÃÅÍ Á¶È²¾È¼º °Åû³¬½ÃÅÍ26.01.26
19021¿ù 19ÀÏ ¾È¼º °Åû³¬½ÃÅÍ Á¶È²¾È¼º °Åû³¬½ÃÅÍ26.01.19
19011¿ù 11ÀÏ ¾È¼º °Åû³¬½ÃÅÍ Á¶È²¾È¼º °Åû³¬½ÃÅÍ26.01.11
  1   2   3   4   5   6   7   8   9   10   

³¬½Ã»ç¶û¼Ò°³ | ¿À½Ã´Â±æ | ³¬½Ã»ç¶û¹è³Ê | ÀÌ¿ë¾à°ü | À̸ÞÀϹ«´Ü¼öÁý°ÅºÎ | °³ÀÎÁ¤º¸Ãë±Þ¹æÄ§ | ±Ç¸®Ä§ÇØ½Å°í¼¾ÅÍ
Copyright 1997~2022 (ÁÖ)À¥¶óÀÌÇÁ/³¬½Ã»ç¶û All rights reserved »ç¾÷ÀÚµî·Ï¹øÈ£ 110-81-42683
»ç¾÷Àå : ¼­¿ïƯº°½Ã ¿µµîÆ÷±¸ ¿µµîÆ÷·Î 374, 3Ãþ
[±¤°í/Á¦ÈÞ ¹× Ãßõ»óǰ µî·Ï¹®ÀÇ]     [³¬½ÃÅÍ ¹× ³¬½Ë¹è µî·Ï¹®ÀÇ]     [¹Î¿ø/°ÇÀÇ/½Å°í]     [¸ÞÀϹ®ÀÇ]     [¹®ÀÇ(FAX) 02-2634-2730]