Åë»ï³¬½ÃÅÍ À¯·á³¬½ÃÅÍ > °¡±î¿î ¿ëÀÎ Åë»ï³¬½ÃÅÍ °¡Á·Çü ¼Õ¸ÀÅÍ ÀÔ´Ï´Ù~ : ³¬½Ã»ç¶û
ȸ¿ø°¡ÀÔ | ·Î±×ÀΠ| ½ÃÀÛÆäÀÌÁö | Áñ°Üã±â | ¹®ÀÇ/¿äû/½Å°í
³¬½ÃÅͼ±Åà | Àαâ°Ë»ö¾î | ¹Î¹°ÈÄ¿ø³¬½ÃÅÍ | ¹Ù´ÙÈÄ¿øÅÍ
 
¹Î¹°³¬½Ã | Á´ë/À¯·áÅÍ | ¹Ù´Ù³¬½Ã | ·ç¾î³¬½Ã | Ä¿¹Â´ÏƼ | ³¬¶ûŬ·´ | ³¬½Ã½ºÄð | Áß°íÀåÅÍ | ³¬½ÃQ&A | »ç¿ë±â/°­Á | ÃâÁ¶Á¤º¸ | °ø±¸/¿ëǰÁ¤º¸

 ½Ç½Ã°£³¬½ÃÅͼҽÄ(ÈÄ¿øÅÍ)

- º» °Ô½Ã¹°À» ¹«´Ü ´Ù¿î·Îµå, µµ¿ë, Àοë, ¸µÅ© ±ÝÁö. HOME >À¯·áÅÍÁ¤º¸ >½Ç½Ã°£³¬½ÃÅͼҽÄ(ÈÄ¿øÅÍ)
Åë»ï³¬½ÃÅÍ
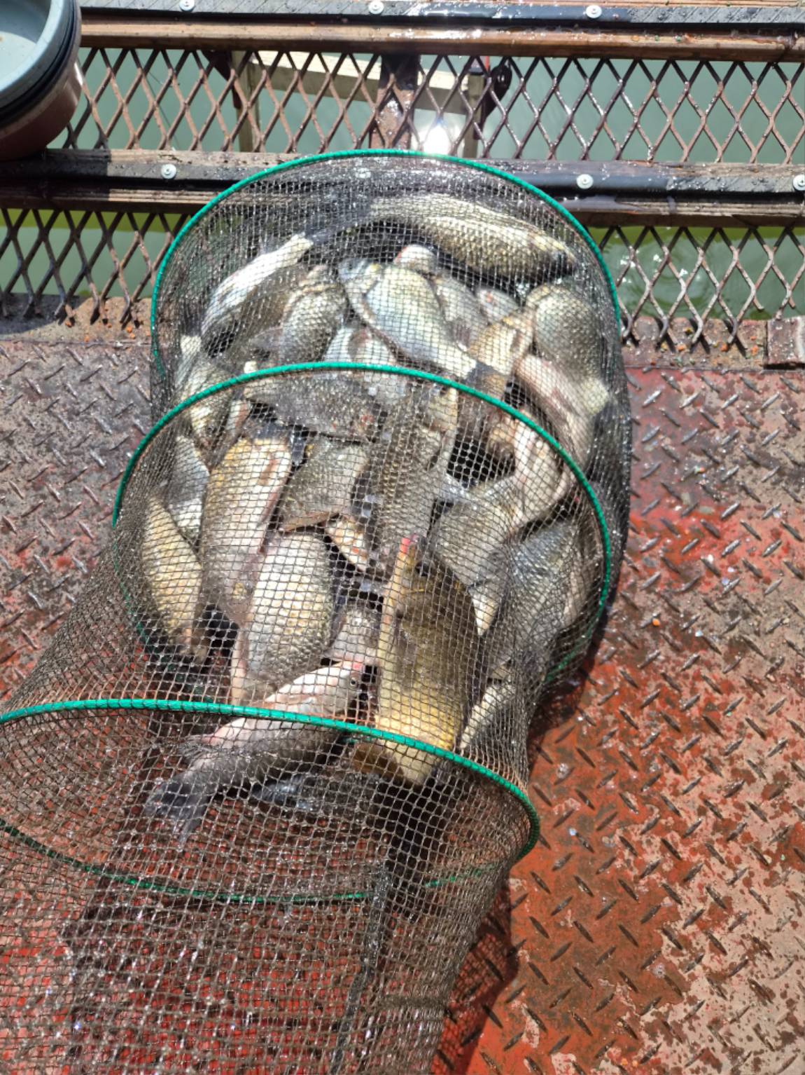
ÀÛ¼ºÀÏ : 2026-03-16 12:32:38 / Àú¼öÁö / °æ±â ¿ëÀνà Åë»ï³¬½ÃÅÍ   

Á¦¸ñ l Åë»ï³¬½ÃÅÍ À¯·á³¬½ÃÅÍ > °¡±î¿î ¿ëÀÎ Åë»ï³¬½ÃÅÍ °¡Á·Çü ¼Õ¸ÀÅÍ ÀÔ´Ï´Ù~ : ³¬½Ã»ç¶û

º½ÀÌ ¿Ô½À´Ï´Ù~ Åë»ï¿¡ º½ÀÌ ¿Ô¾î¿ä^^

 

¼ö¿Âµµ ¾ÈÁ¤ÀûÀ¸·Î ¿Ã¶óÁÖ°í ÀÖ°í ÀÔÁúµµ

 

Á¡Á¡ »ì¾Æ³ª³×¿ä Áö¼Ó ¹æ·ù ¿¹Á¤À̸ç

 

À̹øÁÖ ´ë·® ¹æ·ù °©´Ï´Ù 

 

½ÃÁðÀÌ ½ÃÀ۵ʰú µ¿½Ã Á¶»ç´Ôµé

 

ÆÈÀÌ ¶³¾îÁ®¶ó ¹æ·ù ÇØ³õÀ» Å×´Ï ¸¹ÀÌ

 

ã¾ÆÁֽñ⠹ٶø´Ï´Ù~ °¨»çÇÕ´Ï´Ù 

 

 

- ¿¬Áß ¹«ÈÞ 365ÀÏ ¿µ¾÷ÁßÀÔ´Ï´Ù!!! -

 

- ÁÖ¸» Á¦¿Ü ÆòÀÏ ¿ä±Ý ¿¬ÈÞ¿¡µµ ºÎ´ã¾øÀÌ -

 

- ¸¸¼öÀ§À¯ÁöÁß *** ³ìÁ¶  ¾ø½À´Ï´Ù*** -

 

- ¿ÃÇØµµ ÅäÁ¾ ºØ¾î Áö¼Ó ¹æ·ù·Î Á¶»ç´Ôµé ¸¸Á·À»À§ÇØ Èû¾²°Ú½À´Ï´Ù -

 

- °ü¸®½Ç ¿·¿¡ »þ¿ö½Ã¼³(¿Â¼ö) ÀÖ½À´Ï´Ù ¹ã»õ »ç¿ë°¡´É-

 

a¤¡1Åë»ï 2023.png

 

 

KakaoTalk_20260316_122408875_07.jpg

 

 

KakaoTalk_20260316_122408875_05.jpg

 

 

KakaoTalk_20260316_122408875_06.jpg

 

 

KakaoTalk_20260301_165936457_04.jpg

 

 

KakaoTalk_20260301_165936457_05.jpg

 

 

KakaoTalk_20260301_165936457_06.jpg

 

 

KakaoTalk_20260316_122411830.jpg

 

 

KakaoTalk_20260316_122411830_01.jpg

 


 * °¡²û ±¤°í¸¦ Ŭ¸¯ÇØ ºÁ ÁÖ½Ã¸é ³¬¶û »çÀÌÆ® ¿î¿µ¿¡ µµ¿òÀÌ µË´Ï´Ù ^^
  
ÃÑ 0°³ÀÇ ´ñ±ÛÀÌ ÀÖ½À´Ï´Ù.

    ´ñ±Û¾²±â     [·Î±×ÀÎ] | [ȸ¿ø°¡ÀÔ]
 
 
531°¡±î¿î ¿ëÀÎ Åë»ï³¬½ÃÅÍ °¡Á·Çü ¼Õ¸ÀÅÍ ÀÔ´Ï´Ù~ Åë»ï³¬½ÃÅÍ26.03.16
5302026³â¿¡µµ Åë»ï³¬½ÃÅÍ Àß ºÎʵ右´Ï´Ù~~~ ^^&Åë»ï³¬½ÃÅÍ26.02.24
529±¸Á¤¿¬ÈÞ Á¤»ó ¿µ¾÷ÇÕ´Ï´Ù~~~ »õÇØº¹¸¹ÀÌ ¹ÞÀ¸¼¼¿ä~~Åë»ï³¬½ÃÅÍ26.02.13
528±¸Á¤¿¬ÈÞ Á¤»ó ¿µ¾÷ÇÕ´Ï´Ù~~~ »õÇØº¹¸¹ÀÌ ¹ÞÀ¸¼¼¿ä~~Åë»ï³¬½ÃÅÍ26.02.10
527°Ü¿ïö ¹°´ëÆ÷ ¿µ¾÷ ÇÕ´Ï´Ù!!! Åë»ï³¬½ÃÅÍ~~!~!~~~!!Åë»ï³¬½ÃÅÍ26.01.15
526°Ü¿ïö ¹°´ëÆ÷ ¿µ¾÷ ÇÕ´Ï´Ù!!! Åë»ï³¬½ÃÅÍ~~!~!~~~!!Åë»ï³¬½ÃÅÍ26.01.06
525°Ü¿ïÀÌ ´Ù°¡¿Â Åë»ï ³¬½ÃÅÍ ÁÖ¸»¿ä±Ý µ¿Àý±â ÇÒÀÎÇÕ´Ï´Ù^^Åë»ï³¬½ÃÅÍ25.12.22
524°Ü¿ïö ¹°´ëÆ÷ ¿µ¾÷ ÇÕ´Ï´Ù!!! Åë»ï³¬½ÃÅÍ~~!~!~~~!!Åë»ï³¬½ÃÅÍ25.12.11
523°Ü¿ïö ¹°´ëÆ÷ ¿µ¾÷ ÇÕ´Ï´Ù!!! Åë»ï³¬½ÃÅÍ~~!~!~~~!!Åë»ï³¬½ÃÅÍ25.12.09
522°Ü¿ïö ¹°´ëÆ÷ ¿µ¾÷ ÇÕ´Ï´Ù!!! Åë»ï³¬½ÃÅÍ~~!~!~~~!!Åë»ï³¬½ÃÅÍ25.12.08
521°Ü¿ïö ¹°´ëÆ÷ ¿µ¾÷ ÇÕ´Ï´Ù!!! Åë»ï³¬½ÃÅÍ~~!~!~~~!!Åë»ï³¬½ÃÅÍ25.12.02
520°Ü¿ïö ¹°´ëÆ÷ ¿µ¾÷ ÇÕ´Ï´Ù!!! Åë»ï³¬½ÃÅÍ ÁÖ¸» ÇÒÀοµ¾÷Áß!!!Åë»ï³¬½ÃÅÍ25.11.26
  1   2   3   4   5   6   7   8   9   10   

³¬½Ã»ç¶û¼Ò°³ | ¿À½Ã´Â±æ | ³¬½Ã»ç¶û¹è³Ê | ÀÌ¿ë¾à°ü | À̸ÞÀϹ«´Ü¼öÁý°ÅºÎ | °³ÀÎÁ¤º¸Ãë±Þ¹æÄ§ | ±Ç¸®Ä§ÇØ½Å°í¼¾ÅÍ
Copyright 1997~2022 (ÁÖ)À¥¶óÀÌÇÁ/³¬½Ã»ç¶û All rights reserved »ç¾÷ÀÚµî·Ï¹øÈ£ 110-81-42683
»ç¾÷Àå : ¼­¿ïƯº°½Ã ¿µµîÆ÷±¸ ¿µµîÆ÷·Î 374, 3Ãþ
[±¤°í/Á¦ÈÞ ¹× Ãßõ»óǰ µî·Ï¹®ÀÇ]     [³¬½ÃÅÍ ¹× ³¬½Ë¹è µî·Ï¹®ÀÇ]     [¹Î¿ø/°ÇÀÇ/½Å°í]     [¸ÞÀϹ®ÀÇ]     [¹®ÀÇ(FAX) 02-2634-2730]