
¾È³çÇϼ¼¿ä.
´ö»êÁöÀÔ´Ï´Ù.
ÀÌÁ¦´Â ¿Ï¿¬ÇÑ º½ÀÌ¿À³×¿ä.
»ê°úµé¿¡ ²ÉµéÀÌ ºÀ¿À¶ó·ê ÅÍÆ®¸±·Á°í ÁغñÇϰíÀֳ׿ä.
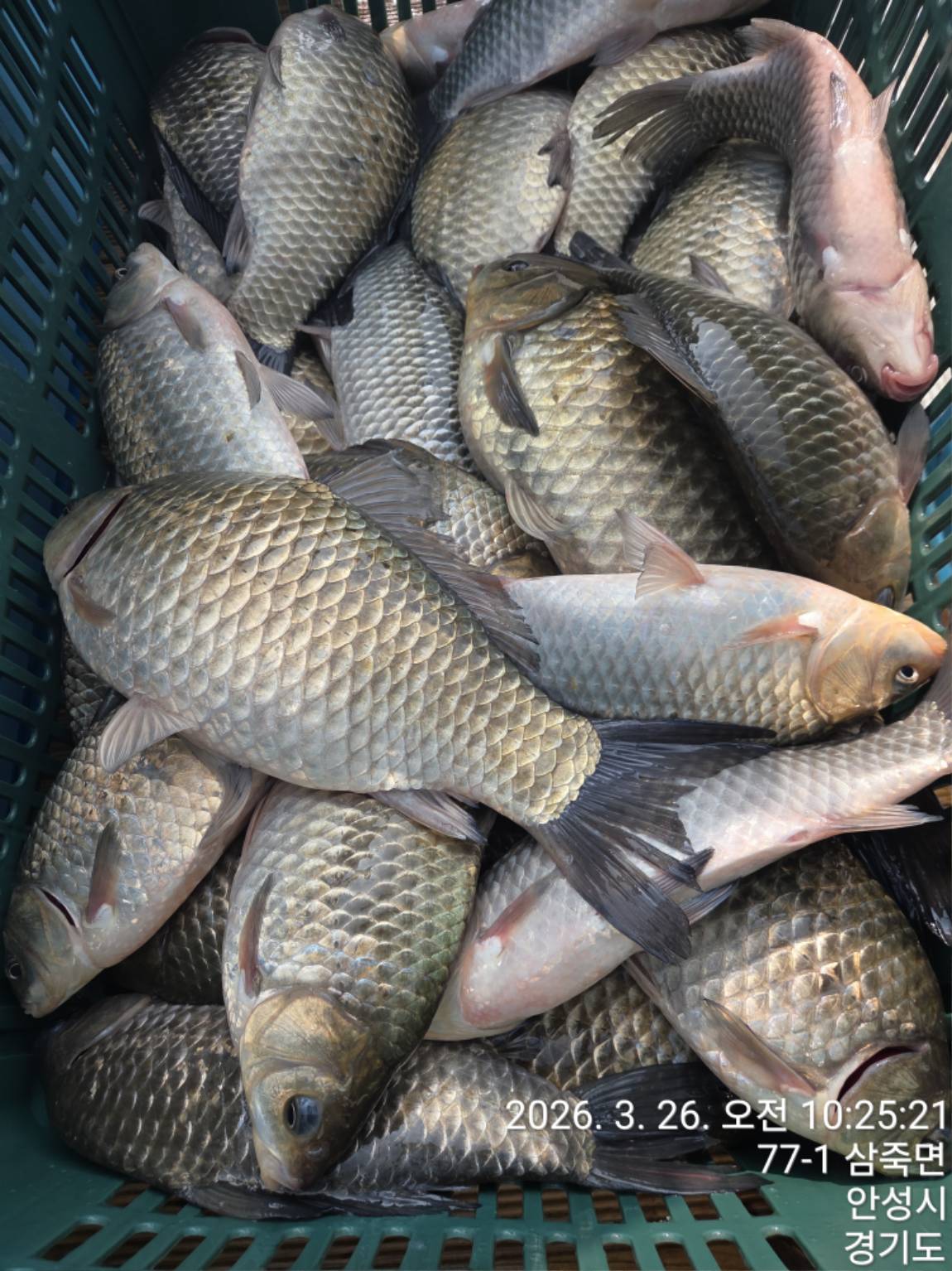
´ö»êÁö ºØ¾îµéµµ ´ë¹°µéÀÌ ±Ù±ÙÈ÷ ¿Ã¶ó¿É´Ï´Ù.
¹ãÁ¶È²ÀÌ ÁÁ°í Âî¿Ã¸²ÀÌ Á¶±Ý ¿¹¹ÎÇÏ´Ù°í ÇÕ´Ï´Ù .
Âü°íÇϼż ´ö»êÁö ´ë¹°ºØ¾î ¼Õ¸À ´úÄ¿µ¢ º¸½Ã±â¹Ù¶ø´Ï´Ù,
Á¶È²»çÁø ¿Ã¸³´Ï´Ù.








¿À´Ãµµ ´ë¹°ºØ¾îµé·Î ¼±º°Çؼ ÇÑÆ®·° °¡Á®¿À¼Ì³×¿ä.
¿À´Ã¿¡ ¹æ·ù»çÁøÀÔ´Ï´Ù.




















|
|
* °¡²û ±¤°í¸¦ Ŭ¸¯ÇØ ºÁ ÁÖ½Ã¸é ³¬¶û »çÀÌÆ® ¿î¿µ¿¡ µµ¿òÀÌ µË´Ï´Ù ^^
|
|
|