¼ÛÀüÁýÁ´ë À¯·á³¬½ÃÅÍ > ¼ÛÀüÁö À̵¿³¬½ÃÅÍ ¼ÛÀü Á´ë - Á¶È²Á¤º¸ - ¸¶¸´¼ö ¼Õ¸À!!! : ³¬½Ã»ç¶û
ȸ¿ø°¡ÀÔ | ·Î±×ÀΠ| ½ÃÀÛÆäÀÌÁö | Áñ°Üã±â | ¹®ÀÇ/¿äû/½Å°í
³¬½ÃÅͼ±Åà | Àαâ°Ë»ö¾î | ¹Î¹°ÈÄ¿ø³¬½ÃÅÍ | ¹Ù´ÙÈÄ¿øÅÍ
 
¹Î¹°³¬½Ã | Á´ë/À¯·áÅÍ | ¹Ù´Ù³¬½Ã | ·ç¾î³¬½Ã | Ä¿¹Â´ÏƼ | ³¬¶ûŬ·´ | ³¬½Ã½ºÄð | Áß°íÀåÅÍ | ³¬½ÃQ&A | »ç¿ë±â/°­Á | ÃâÁ¶Á¤º¸ | °ø±¸/¿ëǰÁ¤º¸

 ½Ç½Ã°£³¬½ÃÅͼҽÄ(ÈÄ¿øÅÍ)

- º» °Ô½Ã¹°À» ¹«´Ü ´Ù¿î·Îµå, µµ¿ë, Àοë, ¸µÅ© ±ÝÁö. HOME >À¯·áÅÍÁ¤º¸ >½Ç½Ã°£³¬½ÃÅͼҽÄ(ÈÄ¿øÅÍ)
¼ÛÀüÁýÁ´ë
ÀÛ¼ºÀÏ : 2026-03-29 00:36:36 / ÀϹÝÅÍ / ¼ÛÀüÁö ¼ÛÀüÈ£ ¼ÛÀüÁý ¼ÛÀüÁÂ´ë   

Á¦¸ñ l ¼ÛÀüÁýÁ´ë À¯·á³¬½ÃÅÍ > ¼ÛÀüÁö À̵¿³¬½ÃÅÍ ¼ÛÀü Á´ë - Á¶È²Á¤º¸ - ¸¶¸´¼ö ¼Õ¸À!!! : ³¬½Ã»ç¶û

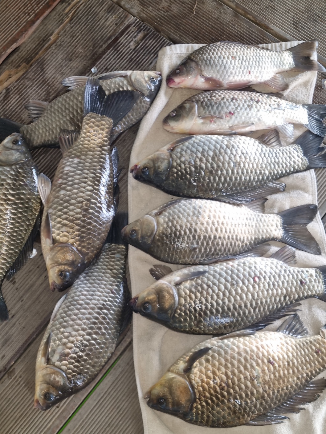
 ¾È³çÇÏ½Ê´Ï±î ¼ÛÀüÁö ¼ÛÀüÁ´ëÀÔ´Ï´Ù.

 

¿ä»õ ¸¶¸´¼öµµ ³Ë³ËÇϰí Á¦¹ý ¾¾¾Ë ±½Àº ³ðµéµµ ¸¹ÀÌ ¿Ã¶ó¿À°í ÀÖ¾î ´Ùµé ÁÁÀº½Ã°£À» º¸³»°í °è½Ê´Ï´Ù.

 

»õº®½Ã°£´ë¿Í À̸£¸é 5½ÃºÎÅÍ ²ÙÁØÇÑ ÀÔÁúÀÌ ¿À´Â Ãß¼¼Àä

 

±Û·çÅÙ¿¡ ¹ÝÀÀÀÌ Á¦ÀÏ ÁÁÀ¸¸ç, Áö··À̵µ ±¦Âú°Ô ÀÔÁúÀÌ ¿À´ÂÆíÀÔ´Ï´Ù.


¼ö½ÉÀº 1¹ÌÅÍ¿¡¼­ 2¹ÌÅͱǾȿ¡¼­ ¿òÁ÷ÀÌ´Â »óȲÀÔ´Ï´Ù.


¾ÆÁ÷ »õº®Àº ½Ò½ÒÇÏ´Ï ³­·Î³ª µÎµÒÇÑ ¿ÜÅõ ±¸ºñÇÏ½Ã´Â°É Ãßõ µå·Á¿ä ^^

 

 

 <ÁÂ´ë ½Ã¼³>


- µû¶æÇÑ ³­¹æ½Ã¼³

 

- ÀüÀÚ·¹ÀÎÁö (ÆíÇÑÁ¶¸®) 

 

- 40ÀÎÄ¡ UHD TV (200¿© °³ ä³Î)

 

- ³ÃÀå°í (³Ãµ¿ °¡´É)

 

- ÃֽŠâ¹®Çü ¿¡¾îÄÁ (ºü¸¥ ³Ã¹æ´É·Â)

 

- ¾ß¿Ü Å×À̺í (4Àοë)

 

- À̵¿Çü Å« ¹Ù¶÷¸·ÀÌ º® (¼Õ´Ôµé ¸Å¿ì¸¸Á·)

 

- Æ÷¼¼½Ä È­Àå½Ç (¸Å¿ì û°á)

 

 

 - Á¶È²»çÁø

 

 

KakaoTalk_20260328_131016405.jpg

 

 

KakaoTalk_20260328_131016405_01.jpg

 

 

KakaoTalk_20260328_131016405_02.jpg

 

 

KakaoTalk_20260328_131016405_03.jpg

 

 

KakaoTalk_20260328_131016405_04.jpg

 

 

KakaoTalk_20260328_131016405_05.jpg

 

 

KakaoTalk_20260328_131016405_06.jpg

 

 

KakaoTalk_20260328_131016405_07.jpg

 

 

KakaoTalk_20260328_131016405_08.jpg

 

 

KakaoTalk_20260328_131016405_09.jpg

 

 

KakaoTalk_20260328_131016405_10.jpg

 

 

KakaoTalk_20260328_131016405_11.jpg

 

 

KakaoTalk_20260328_131016405_12.jpg

 

 

KakaoTalk_20260328_131016405_13.jpg

 

 

KakaoTalk_20260328_131016405_14.jpg

 

 

KakaoTalk_20260328_131944193.jpg

 

 

KakaoTalk_20260328_131944193_01.jpg

 

 

KakaoTalk_20260328_131944193_02.jpg

 

 

KakaoTalk_20260328_131944193_03.jpg

 

 

KakaoTalk_20260328_131944193_04.jpg

 

 

KakaoTalk_20260328_131944193_05.jpg

 

 

KakaoTalk_20260328_131944193_06.jpg

 

 

KakaoTalk_20260328_131944193_07.jpg

 

 

KakaoTalk_20260328_131944193_08.jpg

 

 

KakaoTalk_20260328_131944193_09.jpg

 

 

KakaoTalk_20260328_131944193_10.jpg

 

 

KakaoTalk_20260328_131944193_11.jpg

 

 

KakaoTalk_20260328_131944193_12.jpg

 

 

KakaoTalk_20260328_131944193_13.jpg

 

 

KakaoTalk_20260328_131944193_14.jpg

 

 

KakaoTalk_20260328_131944193_15.jpg

 

 

KakaoTalk_20260328_131944193_16.jpg

 

 

1685784079952.jpg


KakaoTalk_20240913_055504288.jpg

 

 

1685784080048.jpg

 

¿¹¾à¹®ÀÇ : 010-3146-9947


°¨»çÇÕ´Ï´Ù ~^^~


 * °¡²û ±¤°í¸¦ Ŭ¸¯ÇØ ºÁ ÁÖ½Ã¸é ³¬¶û »çÀÌÆ® ¿î¿µ¿¡ µµ¿òÀÌ µË´Ï´Ù ^^
  
ÃÑ 0°³ÀÇ ´ñ±ÛÀÌ ÀÖ½À´Ï´Ù.

    ´ñ±Û¾²±â     [·Î±×ÀÎ] | [ȸ¿ø°¡ÀÔ]
 
 
399¼ÛÀüÁö À̵¿³¬½ÃÅÍ ¼ÛÀü Á´ë - Á¶È²Á¤º¸ - ¸¶¸´¼ö ¼Õ¸À!!! ¼ÛÀüÁýÁ´ë26.03.29
398¼ÛÀüÁö À̵¿³¬½ÃÅÍ ¼ÛÀü Á´ë - Á¶È²Á¤º¸ -  ¼ÛÀüÁýÁ´ë26.03.27
397¼ÛÀüÁö À̵¿³¬½ÃÅÍ ¼ÛÀü Á´ë - Á¶È²Á¤º¸ - ¼ÛÀüÁýÁ´ë26.03.26
396¼ÛÀüÁö À̵¿³¬½ÃÅÍ ¼ÛÀü Á´ë - Á¶È²Á¤º¸ -¼ÛÀüÁýÁ´ë26.03.24
395¼ÛÀüÁö À̵¿³¬½ÃÅÍ ¼ÛÀü Á´ë - Á¶È²Á¤º¸ - »çÂ¥~¼ÛÀüÁýÁ´ë26.03.23
394¼ÛÀüÁö À̵¿³¬½ÃÅÍ ¼ÛÀü Á´ë - Á¶È²Á¤º¸ -¼ÛÀüÁýÁ´ë26.03.21
393¼ÛÀüÁö À̵¿³¬½ÃÅÍ ¼ÛÀü Á´ë - Á¶È²Á¤º¸ -¼ÛÀüÁýÁ´ë26.03.19
392¼ÛÀüÁö À̵¿³¬½ÃÅÍ ¼ÛÀü Á´ë - Á¶È²Á¤º¸ -¼ÛÀüÁýÁ´ë26.03.18
391¼ÛÀüÁö ¼ÛÀü Á´ë - Á¶È²Á¤º¸ -¼ÛÀüÁýÁ´ë26.03.17
390¼ÛÀüÁö À̵¿³¬½ÃÅÍ ¼ÛÀü Á´ë - Á¶È²Á¤º¸ - ¼ÛÀüÁýÁ´ë26.03.16
389¼ÛÀüÁö À̵¿³¬½ÃÅÍ ¼ÛÀü Á´ë - Á¶È²Á¤º¸ -¼ÛÀüÁýÁ´ë26.03.13
388¼ÛÀüÁö À̵¿³¬½ÃÅÍ ¼ÛÀü Á´ë - Á¶È²Á¤º¸ - (1)¼ÛÀüÁýÁ´ë26.03.11
  1   2   3   4   5   6   7   8   9   10   

³¬½Ã»ç¶û¼Ò°³ | ¿À½Ã´Â±æ | ³¬½Ã»ç¶û¹è³Ê | ÀÌ¿ë¾à°ü | À̸ÞÀϹ«´Ü¼öÁý°ÅºÎ | °³ÀÎÁ¤º¸Ãë±Þ¹æÄ§ | ±Ç¸®Ä§ÇØ½Å°í¼¾ÅÍ
Copyright 1997~2022 (ÁÖ)À¥¶óÀÌÇÁ/³¬½Ã»ç¶û All rights reserved »ç¾÷ÀÚµî·Ï¹øÈ£ 110-81-42683
»ç¾÷Àå : ¼­¿ïƯº°½Ã ¿µµîÆ÷±¸ ¿µµîÆ÷·Î 374, 3Ãþ
[±¤°í/Á¦ÈÞ ¹× Ãßõ»óǰ µî·Ï¹®ÀÇ]     [³¬½ÃÅÍ ¹× ³¬½Ë¹è µî·Ï¹®ÀÇ]     [¹Î¿ø/°ÇÀÇ/½Å°í]     [¸ÞÀϹ®ÀÇ]     [¹®ÀÇ(FAX) 02-2634-2730]