³ëÀºÁö À¯·á³¬½ÃÅÍ > ³ëÀºÁö ³¬½ÃÅÍ ¼Ò½ÄÀÔ´Ï´Ù. : ³¬½Ã»ç¶û
ȸ¿ø°¡ÀÔ | ·Î±×ÀΠ| ½ÃÀÛÆäÀÌÁö | Áñ°Üã±â | ¹®ÀÇ/¿äû/½Å°í
³¬½ÃÅͼ±Åà | Àαâ°Ë»ö¾î | ¹Î¹°ÈÄ¿ø³¬½ÃÅÍ | ¹Ù´ÙÈÄ¿øÅÍ
 
¹Î¹°³¬½Ã | Á´ë/À¯·áÅÍ | ¹Ù´Ù³¬½Ã | ·ç¾î³¬½Ã | Ä¿¹Â´ÏƼ | ³¬¶ûŬ·´ | ³¬½Ã½ºÄð | Áß°íÀåÅÍ | ³¬½ÃQ&A | »ç¿ë±â/°­Á | ÃâÁ¶Á¤º¸ | °ø±¸/¿ëǰÁ¤º¸

 ½Ç½Ã°£³¬½ÃÅͼҽÄ(ÈÄ¿øÅÍ)

- º» °Ô½Ã¹°À» ¹«´Ü ´Ù¿î·Îµå, µµ¿ë, Àοë, ¸µÅ© ±ÝÁö. HOME >À¯·áÅÍÁ¤º¸ >½Ç½Ã°£³¬½ÃÅͼҽÄ(ÈÄ¿øÅÍ)

³ëÀºÁö
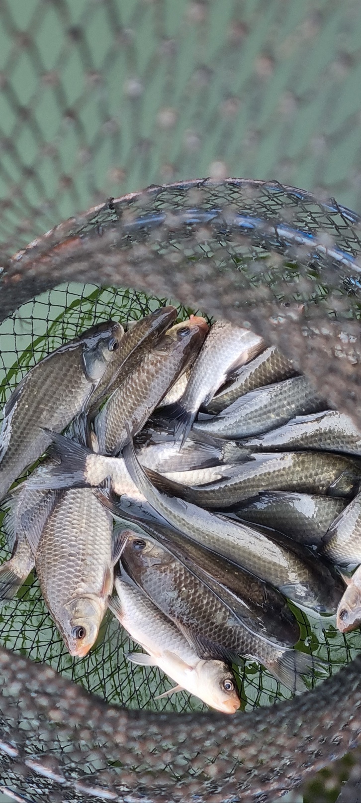
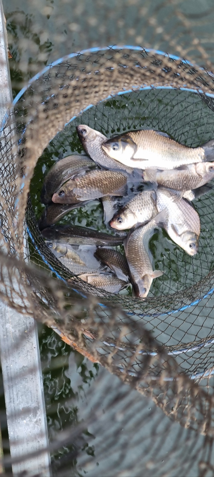
ÀÛ¼ºÀÏ : 2026-03-30 11:57:00 / Àú¼öÁö / ÃæºÏ ÃæÁֽà ³ëÀºÁö ³¬½ÃÅÍ   

Á¦¸ñ l ³ëÀºÁö À¯·á³¬½ÃÅÍ > ³ëÀºÁö ³¬½ÃÅÍ ¼Ò½ÄÀÔ´Ï´Ù. : ³¬½Ã»ç¶û

 

ŸÀÌÆ²1.jpg

 

 

ŸÀÌÆ²2.png

 

 

KakaoTalk_20260330_102205788.jpg

 

 

 

 

 

¾Æ¸§´ä°í °æÀ̷οî 

¸¸¹°ÀÇ ¼Ò»ýÀ» ¾Ë¸®´Â 

°èÀýÀº ¾î±è ¾øÀÌ ¿ì¸®°ç¿¡ ?¾Æ ¿Ô½À´Ï´Ù. 

 

¿ì¸®³¬½ÃÅÍ ¼ö¸éÀÇ °íµµ´Â ´ë·« 204 ¹ÌÅͷμ­

 ¾à°£Àº Çϴðú °¡±î¿î °íÁö´ëÀÇ À§Ä¡¿¡ ÀÖ´Ù°íº¸¿© Áý´Ï´Ù. 

±×·¯´Ùº¸´Ï Æò±Õ ±â¿Âµµ ³·Àº ÆíÀ̶ó¼­

¿Ã°°Àº °æ¿ì ¿¹³âº¸´Ù 10¿©ÀÏ Á¤µµ °èÀýÀÌ ´ÊÀºµí ÇÕ´Ï´Ù. 

±×·¡¼­ÀÎÁö ³¬½ÃÅÍ ÁÖº¯ÀÇ °³³ª¸® Áø´Þ·¡°¡ ÀÌÁ¦¼­¾ß 

²É ¸Û¿À¸®°¡ ºÎÇ®¾î ¿Ã¶ó ¿É´Ï´Ù. 

 

ÁÖ¸» Á¶Ç×Àº Á´뺰 ÆíÂ÷´Â ½ÉÇßÁö¸¸  ¾î´ÀÁ¤µµ ¼ö¿ÂÀÌ

 ¿Ã¶ó¼­ÀÎÁö ºØ¾îµéÀÇ È°¼ºµµ°¡ ÁÁ¾ÆÁø ´À³¦ÀÔ´Ï´Ù.

¾ÕÀ¸·ÎÀÇ Á¶Ç×ÀÌ ±â´ë µË´Ï´Ù.

 

 ¾ÆÁ÷ ¹ã±â¿ÂÀÌ Ãä½À´Ï´Ù. 

³­·Î¿Í ¹æÇѺ¹ Àß Ã¬±â¼Å¾ß °í»ý ¾ÊÇϽʴϴÙ. 

 ¾ÕÀ¸·Î ÁÁÀº°èÀý ³ªµéÀÌ ³¬½Ã ¿©ÇàÀÌ ½ÃÀÛ µÇ¾ú½À´Ï´Ù. 

 

¿Ã ÇÑÇØµµ ³ëÀºÁö ³¬½Ã´Â 

¿©·¯ Á¶¿ì´ÔµéÀÇ »ç¶ûÀ» ¹Þ±âÀ§ÇØ ³ë·Â ÇϰڽÀ´Ï´Ù. .

 È¯Àý±â °Ç°­ Àß Ã¬±â½Ã±¸¿ä.

¹Ý°¡¿î ¾ó±¼·Î ºË°Ú½À´Ï´Ù. 

 °¨»ç ÇÕ´Ï´Ù.

 

³ëÀºÁö ³¬½ÃÅÍ ÀÌÀÇ½Ä ¿Ã¸²

  

 

 

 

 

 

KakaoTalk_20260330_102205788_01.jpg

 

 

KakaoTalk_20260330_102205788_02.jpg

 

 

KakaoTalk_20260330_102205788_03.jpg

 

 

KakaoTalk_20260330_102205788_04.jpg

 

 

KakaoTalk_20260330_102205788_05.jpg

 

 

KakaoTalk_20260330_102205788_06.jpg

 

 

KakaoTalk_20260330_102205788_07.jpg

 

 

KakaoTalk_20260330_102205788_08.jpg

 

 

KakaoTalk_20260330_102205788_09.jpg

 

 

KakaoTalk_20260330_102205788_10.jpg

 

 

KakaoTalk_20260330_102205788_11.jpg

 

 

KakaoTalk_20260330_102205788_12.jpg

 

 

KakaoTalk_20260330_102205788_13.jpg

 

 

KakaoTalk_20260330_102205788_14.jpg

 

 

KakaoTalk_20260330_102205788_15.jpg

 

 

KakaoTalk_20260330_102205788_16.jpg

 

 

KakaoTalk_20260330_102205788_17.jpg

 

 

KakaoTalk_20260330_102205788_18.jpg

 

 

KakaoTalk_20260330_102205788_19.jpg

 

 

KakaoTalk_20260330_102205788_20.jpg

 

 

KakaoTalk_20260330_102205788_21.jpg

 

 

KakaoTalk_20260330_102205788_22.jpg

 

 

KakaoTalk_20260330_102205788_23.jpg

 

 

KakaoTalk_20260330_102205788_24.jpg

 

 

KakaoTalk_20260330_102205788_25.jpg

 

 

KakaoTalk_20260330_102205788_26.jpg

 

 

KakaoTalk_20260330_102205788_27.jpg

 

 

ŸÀÌÆ²3.jpg

 

 

ŸÀÌÆ²9.png

 


 * °¡²û ±¤°í¸¦ Ŭ¸¯ÇØ ºÁ ÁÖ½Ã¸é ³¬¶û »çÀÌÆ® ¿î¿µ¿¡ µµ¿òÀÌ µË´Ï´Ù ^^
  
ÃÑ 0°³ÀÇ ´ñ±ÛÀÌ ÀÖ½À´Ï´Ù.

    ´ñ±Û¾²±â     [·Î±×ÀÎ] | [ȸ¿ø°¡ÀÔ]
 
 
258³ëÀºÁö ³¬½ÃÅÍ ¼Ò½ÄÀÔ´Ï´Ù. ³ëÀºÁö26.03.30
257³ëÀºÁö ³¬½ÃÅÍ ¼Ò½ÄÀÔ´Ï´Ù.³ëÀºÁö26.03.23
256³ëÀºÁö ³¬½ÃÅÍ ¼Ò½ÄÀÔ´Ï´Ù.³ëÀºÁö26.03.15
255³ëÀºÁö ³¬½ÃÅÍ ¼Ò½ÄÀÔ´Ï´Ù.³ëÀºÁö26.02.23
254³ëÀºÁö ³¬½ÃÅÍ ¼Ò½Ä ÀÔ´Ï´Ù.³ëÀºÁö25.11.09
253³ëÀºÁö ³¬½ÃÅÍ ¼Ò½Ä ÀÔ´Ï´Ù.³ëÀºÁö25.10.27
252³ëÀºÁö ³¬½ÃÅÍ ¼Ò½Ä ÀÔ´Ï´Ù.³ëÀºÁö25.10.14
251³ëÀºÁö ³¬½ÃÅÍ ¼Ò½Ä ÀÔ´Ï´Ù.³ëÀºÁö25.10.06
250³ëÀºÁö ³¬½ÃÅÍ ¼Ò½Ä ÀÔ´Ï´Ù.³ëÀºÁö25.09.29
249³ëÀºÁö ³¬½ÃÅÍ ¼Ò½Ä ÀÔ´Ï´Ù.³ëÀºÁö25.09.22
248³ëÀºÁö ³¬½ÃÅÍ ¼Ò½Ä ÀÔ´Ï´Ù.³ëÀºÁö25.09.08
247³ëÀºÁö ³¬½ÃÅÍ ¼Ò½Ä ÀÔ´Ï´Ù.³ëÀºÁö25.08.31
  1   2   3   4   5   6   7   8   9   10   

³¬½Ã»ç¶û¼Ò°³ | ¿À½Ã´Â±æ | ³¬½Ã»ç¶û¹è³Ê | ÀÌ¿ë¾à°ü | À̸ÞÀϹ«´Ü¼öÁý°ÅºÎ | °³ÀÎÁ¤º¸Ãë±Þ¹æÄ§ | ±Ç¸®Ä§ÇØ½Å°í¼¾ÅÍ
Copyright 1997~2022 (ÁÖ)À¥¶óÀÌÇÁ/³¬½Ã»ç¶û All rights reserved »ç¾÷ÀÚµî·Ï¹øÈ£ 110-81-42683
»ç¾÷Àå : ¼­¿ïƯº°½Ã ¿µµîÆ÷±¸ ¿µµîÆ÷·Î 374, 3Ãþ
[±¤°í/Á¦ÈÞ ¹× Ãßõ»óǰ µî·Ï¹®ÀÇ]     [³¬½ÃÅÍ ¹× ³¬½Ë¹è µî·Ï¹®ÀÇ]     [¹Î¿ø/°ÇÀÇ/½Å°í]     [¸ÞÀϹ®ÀÇ]     [¹®ÀÇ(FAX) 02-2634-2730]