¾îõ³¬½ÃÅÍÁö±â À¯·á³¬½ÃÅÍ > ÅäÁ¾ºØ¾î 4Â¥¼Ò½Ä (222¹øÂ°)Á¶È² ¹× ÅäÁ¾ ´ëºØ¾î ¹æ·ù : ³¬½Ã»ç¶û
ȸ¿ø°¡ÀÔ | ·Î±×ÀΠ| ½ÃÀÛÆäÀÌÁö | Áñ°Üã±â | ¹®ÀÇ/¿äû/½Å°í
³¬½ÃÅͼ±Åà | Àαâ°Ë»ö¾î | ¹Î¹°ÈÄ¿ø³¬½ÃÅÍ | ¹Ù´ÙÈÄ¿øÅÍ
 
¹Î¹°³¬½Ã | Á´ë/À¯·áÅÍ | ¹Ù´Ù³¬½Ã | ·ç¾î³¬½Ã | Ä¿¹Â´ÏƼ | ³¬¶ûŬ·´ | ³¬½Ã½ºÄð | Áß°íÀåÅÍ | ³¬½ÃQ&A | »ç¿ë±â/°­Á | ÃâÁ¶Á¤º¸ | °ø±¸/¿ëǰÁ¤º¸

 ½Ç½Ã°£³¬½ÃÅͼҽÄ(ÈÄ¿øÅÍ)

- º» °Ô½Ã¹°À» ¹«´Ü ´Ù¿î·Îµå, µµ¿ë, Àοë, ¸µÅ© ±ÝÁö. HOME >À¯·áÅÍÁ¤º¸ >½Ç½Ã°£³¬½ÃÅͼҽÄ(ÈÄ¿øÅÍ)

¾îõ³¬½ÃÅÍÁö±â
ÀÛ¼ºÀÏ : 2026-03-31 12:25:54 / Àú¼öÁö / °æ±â È­¼º½Ã ¾îõ³¬½ÃÅÍ   

Á¦¸ñ l ¾îõ³¬½ÃÅÍÁö±â À¯·á³¬½ÃÅÍ > ÅäÁ¾ºØ¾î 4Â¥¼Ò½Ä (222¹øÂ°)Á¶È² ¹× ÅäÁ¾ ´ëºØ¾î ¹æ·ù : ³¬½Ã»ç¶û

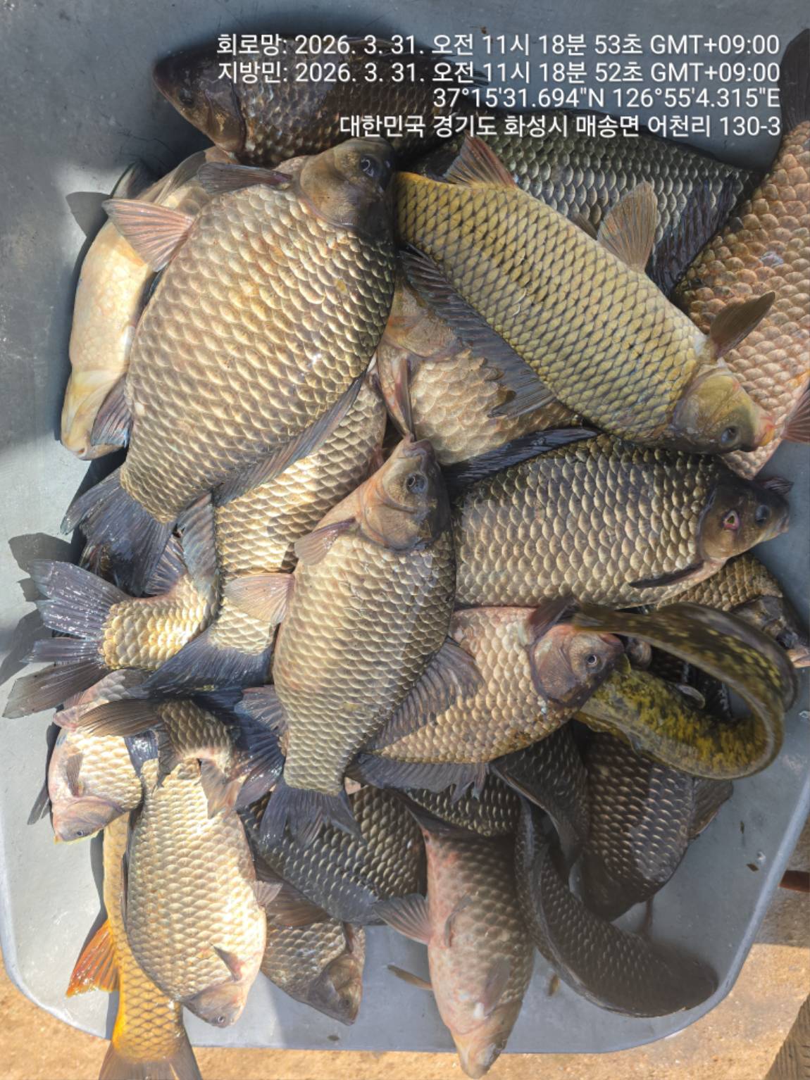
ÅäÁ¾ºØ¾î 4Â¥¼Ò½Ä 

 

1000093460.jpg

 

 

1000093458.jpg

222¹øÂ° ÅäÁ¾ºØ¾î 4Â¥ÀÔ´Ï´Ù.

1000093411.jpg

 

 

1000093409.jpg

221¹øÂ° ÅäÁ¾ºØ¾î 4Â¥ÀÔ´Ï´Ù.

 

1000093401.jpg

 

 

1000093398.jpg

220¹øÂ° ÅäÁ¾ºØ¾î 4Â¥ÀÔ´Ï´Ù.

1000093384.jpg

 

 

1000093382.jpg

219¹øÂ° ÅäÁ¾ºØ¾î 4Â¥ÀÔ´Ï´Ù $

 

1000093381.jpg

218¹øÂ° ÅäÁ¾ºØ¾î 4Â¥ÀÔ´Ï´Ù.

1000093372.jpg

 

 

1000093369.jpg

217¹øÂ° ÅäÁ¾ºØ¾î 4Â¥ÀÔ´Ï´Ù.

 

Á¶È² Á¤º¸

1000093459.jpg

 

 

1000093454.jpg

 

 

1000093414.jpg

 

 

1000093397.jpg

 

 

1000093368.jpg

 

ÅäÁ¾ ´ëºØ¾î ¹æ·ù 

 

1000093480.jpg

 

 

1000093482.jpg

 

 

1000093484.jpg

 

 

1000093485.jpg

 

 

1000093487.jpg

 

 

1000093488.jpg

 

1000093491.jpg

 

 

1000093492.jpg

 

 

1000093494.jpg

 

 

1000093495.jpg

 

 

1000093496.jpg

 

 

1000093497.jpg

 


 * °¡²û ±¤°í¸¦ Ŭ¸¯ÇØ ºÁ ÁÖ½Ã¸é ³¬¶û »çÀÌÆ® ¿î¿µ¿¡ µµ¿òÀÌ µË´Ï´Ù ^^
  
ÃÑ 0°³ÀÇ ´ñ±ÛÀÌ ÀÖ½À´Ï´Ù.

    ´ñ±Û¾²±â     [·Î±×ÀÎ] | [ȸ¿ø°¡ÀÔ]
 
 
886ÅäÁ¾ºØ¾î 4Â¥¼Ò½Ä (222¹øÂ°)Á¶È² ¹× ÅäÁ¾ ´ëºØ¾î ¹æ·ù  ¾îõ³¬½ÃÅÍÁö±â26.03.31
885ÅäÁ¾ºØ¾î 4Â¥¼Ò½Ä (216¹øÂ°) ¾îõ³¬½ÃÅÍÁö±â26.03.30
884ÅäÁ¾ºØ¾î 4Â¥¼Ò½Ä (211¹øÂ°) Á¶È² ¹× ÅäÁ¾ºØ¾î ´ë·®¹æ·ù ¾îõ³¬½ÃÅÍÁö±â26.03.29
883ÅäÁ¾ºØ¾î 4Â¥¼Ò½Ä (203¹øÂ°) Á¶È² ¹× ÅäÁ¾ ´ëºØ¾î,ºØ¾î ´ë·®¹æ·ù ¾îõ³¬½ÃÅÍÁö±â26.03.28
882ÅäÁ¾ºØ¾î 4Â¥¼Ò½Ä (199¹øÂ°) Á¶È² ¹×. ÅäÁ¾ºØ¾î ¹æ·ù ¾îõ³¬½ÃÅÍÁö±â26.03.27
881ÅäÁ¾ºØ¾î 4Â¥¼Ò½Ä (196¹øÂ°)Á¶È² ¹Ø ÅäÁ¾ºØ¾î ¹æ·ù ¾îõ³¬½ÃÅÍÁö±â26.03.26
880ÅäÁ¾ºØ¾î 4Â¥¼Ò½Ä (192¹øÂ°) Á¶È²¾îõ³¬½ÃÅÍÁö±â26.03.25
879ÅäÁ¾ºØ¾î 4Â¥¼Ò½Ä (187¹øÂ°) Á¶È²¾îõ³¬½ÃÅÍÁö±â26.03.24
878ÅäÁ¾ºØ¾î 4Â¥¼Ò½Ä (180¹øÂ°)¾îõ³¬½ÃÅÍÁö±â26.03.23
877ÅäÁ¾ºØ¾î 4Â¥¼Ò½Ä (175¹øÂ°) Á¶È² ¹× ÅäÁ¾ºØ¾î ¹æ·ù ¾îõ³¬½ÃÅÍÁö±â26.03.22
876ÅäÁ¾ºØ¾î 4Â¥¼Ò½Ä (170¹øÂ°)¾îõ³¬½ÃÅÍÁö±â26.03.21
875ÅäÁ¾ºØ¾î 4Â¥¼Ò½Ä (163¹øÂ°)¾îõ³¬½ÃÅÍÁö±â26.03.20
  1   2   3   4   5   6   7   8   9   10   

³¬½Ã»ç¶û¼Ò°³ | ¿À½Ã´Â±æ | ³¬½Ã»ç¶û¹è³Ê | ÀÌ¿ë¾à°ü | À̸ÞÀϹ«´Ü¼öÁý°ÅºÎ | °³ÀÎÁ¤º¸Ãë±Þ¹æÄ§ | ±Ç¸®Ä§ÇØ½Å°í¼¾ÅÍ
Copyright 1997~2022 (ÁÖ)À¥¶óÀÌÇÁ/³¬½Ã»ç¶û All rights reserved »ç¾÷ÀÚµî·Ï¹øÈ£ 110-81-42683
»ç¾÷Àå : ¼­¿ïƯº°½Ã ¿µµîÆ÷±¸ ¿µµîÆ÷·Î 374, 3Ãþ
[±¤°í/Á¦ÈÞ ¹× Ãßõ»óǰ µî·Ï¹®ÀÇ]     [³¬½ÃÅÍ ¹× ³¬½Ë¹è µî·Ï¹®ÀÇ]     [¹Î¿ø/°ÇÀÇ/½Å°í]     [¸ÞÀϹ®ÀÇ]     [¹®ÀÇ(FAX) 02-2634-2730]