³ëÀºÁö À¯·á³¬½ÃÅÍ > ³ëÀºÁö ³¬½ÃÅÍ ¼Ò½ÄÀÔ´Ï´Ù. : ³¬½Ã»ç¶û
ȸ¿ø°¡ÀÔ | ·Î±×ÀΠ| ½ÃÀÛÆäÀÌÁö | Áñ°Üã±â | ¹®ÀÇ/¿äû/½Å°í
³¬½ÃÅͼ±Åà | Àαâ°Ë»ö¾î | ¹Î¹°ÈÄ¿ø³¬½ÃÅÍ | ¹Ù´ÙÈÄ¿øÅÍ
 
¹Î¹°³¬½Ã | Á´ë/À¯·áÅÍ | ¹Ù´Ù³¬½Ã | ·ç¾î³¬½Ã | Ä¿¹Â´ÏƼ | ³¬¶ûŬ·´ | ³¬½Ã½ºÄð | Áß°íÀåÅÍ | ³¬½ÃQ&A | »ç¿ë±â/°­Á | ÃâÁ¶Á¤º¸ | °ø±¸/¿ëǰÁ¤º¸

 ½Ç½Ã°£³¬½ÃÅͼҽÄ(ÈÄ¿øÅÍ)

- º» °Ô½Ã¹°À» ¹«´Ü ´Ù¿î·Îµå, µµ¿ë, Àοë, ¸µÅ© ±ÝÁö. HOME >À¯·áÅÍÁ¤º¸ >½Ç½Ã°£³¬½ÃÅͼҽÄ(ÈÄ¿øÅÍ)

³ëÀºÁö
ÀÛ¼ºÀÏ : 2026-04-06 00:15:36 / Àú¼öÁö / ÃæºÏ ÃæÁֽà ³ëÀºÁö ³¬½ÃÅÍ   

Á¦¸ñ l ³ëÀºÁö À¯·á³¬½ÃÅÍ > ³ëÀºÁö ³¬½ÃÅÍ ¼Ò½ÄÀÔ´Ï´Ù. : ³¬½Ã»ç¶û

 

ŸÀÌÆ²1.jpg

 

 

ŸÀÌÆ²2.png

 

 

KakaoTalk_20260405_180217321.jpg

 

 

 

 

 

¿äÁò ¹Ù¶÷°á¿¡ ´À²¸Áö´Â ÄÚ³¡ÀÇ °ø±â°¡

 ?ÀÌ ÀÖ´Ù´Â°É ´À³¢½Ã´Â ºÐµéÀÌ °è½Ê´Ï±î?

¹«¾ð°¡ ¸ð¸£°Ô Á¤È®ÇÏÁø ¾ÊÁö¸¸ ±âºÐÁÁÀº º½ÀÇ ±â¿îÀÌ

 ¿Â¸ö ±¸¼® ±¸¼®¿¡ ÀÚ±ØÀ» ÁÖ´Âµí ³ª¸¥Çϱ⵵Çϰí

 Á¹¸®¿ó±âµµ ÇÏ°í ¾îµò°¡·Î Èǽ ¶°³ª°íÇ 

¼³·¹´Â ¸¶À½Àº ´©±¸³ª °°Áö ¾ÊÀ»±î¿ä?

 

³¬½ÃÅÍ ÁÖº¯Àº ÇÏ·ç°¡ ´Ù¸£°Ô

 ¾Æ¸§´Ù¿î »ö±òµé·Î ¹°µé¾î °©´Ï´Ù.

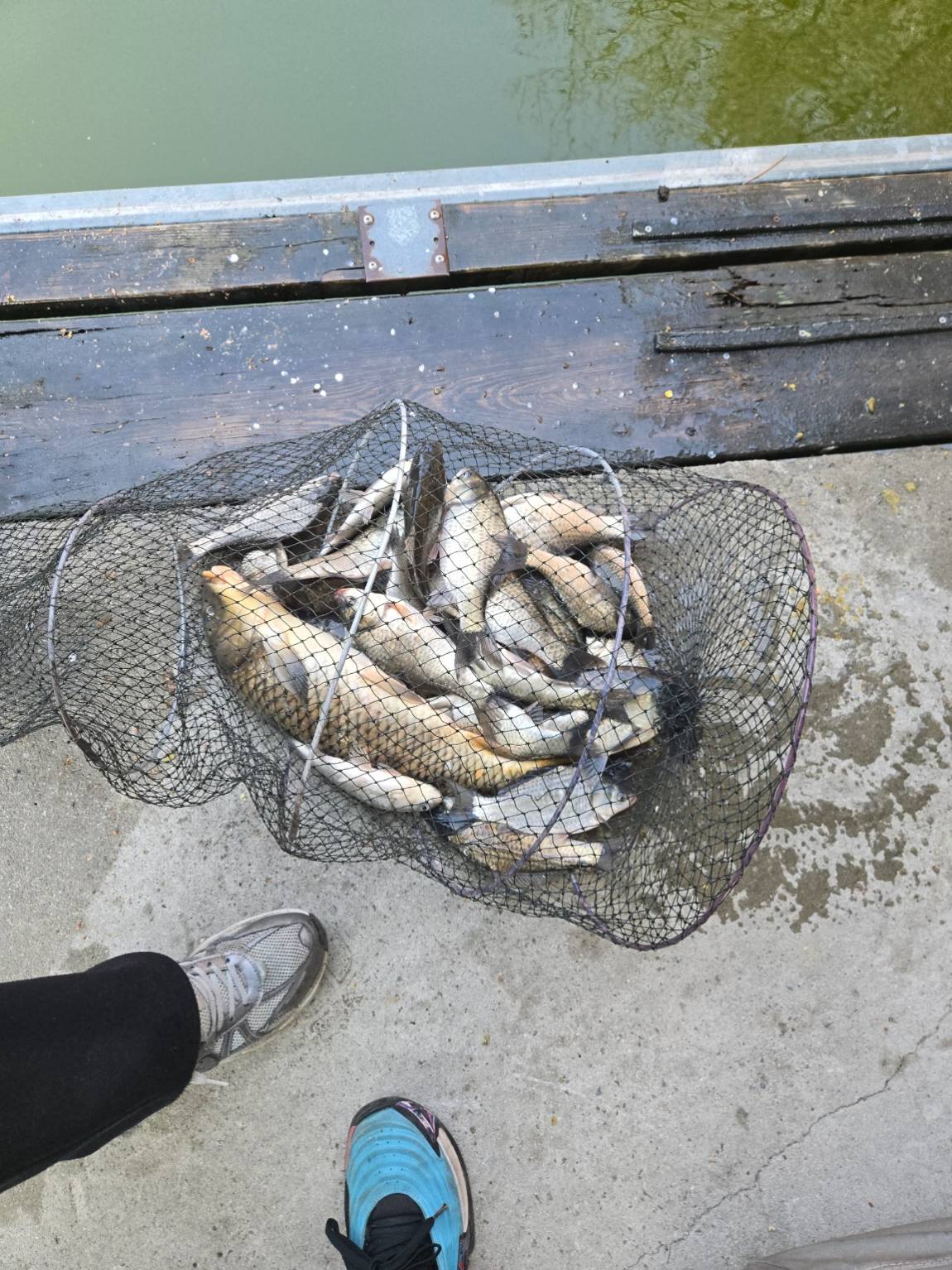
 ¹°¼ÓÀÇ °í±âµéµµ ¿À¸£´Â ¼ö¿Â¿¡ Ȱ¼ºµµ°¡ ÁÁ¿ÍÁøµí

 ÁÖ¸» Á¶Ç×ÀÌ ±¦Âù¾Ò½À´Ï´Ù. 

¹Ý¸é¿¡ ±î´Ù·Î¿î ÀÔÁú·Î ¾Ö¸¦ ¸Ô¾ú´Ù´Â Á¶¿ì´Ôµéµµ °è¼Ì½À´Ï´Ù.  

ÃâÁ¶½Ã ¸ÅÁ¡¿¡¼­ ¹Ì³¢ ¿î¿ë¿¡ ´ëÇÑ ¼³¸íÀ» µéÀ¸½Å´Ù¸é

 Á»´õ ³ºÀº ¼Õ¸ÀÀ» º¸½Ç¼ö ÀÖÀ»°Í °°½À´Ï´Ù.

 

³ëÀºÁö ³¬½ÃÅÍ´Â º£½º³ª ºÎ¸£±æ ¿Ü·¡Á¾ÀÌ ¾ø´Â

 Ã»Á¤ ±¸¿ªÀÎ ¹Ý¸é¿¡ ³¸¿¡´Â ÇǶó¹Ì°¡ ±Ø¼ºÀ» ºÎ¸³´Ï´Ù.

±×·¯´Ï º»°ÔÀÓÀº Äɹ̸¦ ¹àÈù ¹ã³¬½Ã¸¦ ±ÇÇÏ¿© µå¸³´Ï´Ù.

 

±ä ¿©Á¤ÀÇ ¹°³¬½Ã °èÀýÀÌ ½ÃÀÛ µÇ¾ú½À´Ï´Ù. 

´ëÇѹα¹ ¸ðµç Á¶¿ì´Ôµé Ç×»ó °Ç°­ÇϽðí

 Áñ°Å¿î ¸¶À½À¸·Î ÇູÇÑ ³¬½Ã ¿©Çà µÇ½Ã±æ ¹Ù¶ø´Ï´Ù.

 

ÇÑÁÖ°£ °í¸£Áö ¸øÇß´ø Àϱ⿡µµ ³ëÀºÁö¸¦ 

´Ù³à°¡½Å Á¶¿ì´Ôµé²² Áø½ÉÀ¸·Î °¨»ç µå¸³´Ï´Ù. 

 

³ëÀºÁö ³¬½ÃÅÍ ÀÌÀÇ½Ä ¿Ã¸². 


  

 

 

 

 

KakaoTalk_20260405_180217321_01.jpg

 

 

KakaoTalk_20260405_180217321_02.jpg

 

 

KakaoTalk_20260405_180217321_03.jpg

 

 

KakaoTalk_20260405_180217321_04.jpg

 

 

KakaoTalk_20260405_180217321_05.jpg

 

 

KakaoTalk_20260405_180217321_06.jpg

 

 

KakaoTalk_20260405_180217321_07.jpg

 

 

KakaoTalk_20260405_180217321_08.jpg

 

 

KakaoTalk_20260405_180217321_09.jpg

 

 

KakaoTalk_20260405_180217321_10.jpg

 

 

KakaoTalk_20260405_180217321_11.jpg

 

 

KakaoTalk_20260405_180217321_12.jpg

 

 

KakaoTalk_20260405_180217321_13.jpg

 

 

KakaoTalk_20260405_180217321_14.jpg

 

 

KakaoTalk_20260405_180217321_15.jpg

 

 

KakaoTalk_20260405_180217321_16.jpg

 

 

KakaoTalk_20260405_180217321_17.jpg

 

 

KakaoTalk_20260405_180217321_18.jpg

 

 

KakaoTalk_20260405_180217321_19.jpg

 

 

KakaoTalk_20260405_180217321_20.jpg

 

 

KakaoTalk_20260405_180217321_21.jpg

 

 

KakaoTalk_20260405_180217321_22.jpg

 

 

KakaoTalk_20260405_180217321_23.jpg

 

 

KakaoTalk_20260405_180217321_24.jpg

 

 

KakaoTalk_20260405_180217321_25.jpg

 

 

KakaoTalk_20260405_180217321_28.jpg

 

 

ŸÀÌÆ²6.jpg

 

 

ŸÀÌÆ²8 (2).png

 

 

ŸÀÌÆ²9.png

 


 * °¡²û ±¤°í¸¦ Ŭ¸¯ÇØ ºÁ ÁÖ½Ã¸é ³¬¶û »çÀÌÆ® ¿î¿µ¿¡ µµ¿òÀÌ µË´Ï´Ù ^^
  
ÃÑ 0°³ÀÇ ´ñ±ÛÀÌ ÀÖ½À´Ï´Ù.

    ´ñ±Û¾²±â     [·Î±×ÀÎ] | [ȸ¿ø°¡ÀÔ]
 
 
259³ëÀºÁö ³¬½ÃÅÍ ¼Ò½ÄÀÔ´Ï´Ù. ³ëÀºÁö26.04.06
258³ëÀºÁö ³¬½ÃÅÍ ¼Ò½ÄÀÔ´Ï´Ù.³ëÀºÁö26.03.30
257³ëÀºÁö ³¬½ÃÅÍ ¼Ò½ÄÀÔ´Ï´Ù.³ëÀºÁö26.03.23
256³ëÀºÁö ³¬½ÃÅÍ ¼Ò½ÄÀÔ´Ï´Ù.³ëÀºÁö26.03.15
255³ëÀºÁö ³¬½ÃÅÍ ¼Ò½ÄÀÔ´Ï´Ù.³ëÀºÁö26.02.23
254³ëÀºÁö ³¬½ÃÅÍ ¼Ò½Ä ÀÔ´Ï´Ù.³ëÀºÁö25.11.09
253³ëÀºÁö ³¬½ÃÅÍ ¼Ò½Ä ÀÔ´Ï´Ù.³ëÀºÁö25.10.27
252³ëÀºÁö ³¬½ÃÅÍ ¼Ò½Ä ÀÔ´Ï´Ù.³ëÀºÁö25.10.14
251³ëÀºÁö ³¬½ÃÅÍ ¼Ò½Ä ÀÔ´Ï´Ù.³ëÀºÁö25.10.06
250³ëÀºÁö ³¬½ÃÅÍ ¼Ò½Ä ÀÔ´Ï´Ù.³ëÀºÁö25.09.29
249³ëÀºÁö ³¬½ÃÅÍ ¼Ò½Ä ÀÔ´Ï´Ù.³ëÀºÁö25.09.22
248³ëÀºÁö ³¬½ÃÅÍ ¼Ò½Ä ÀÔ´Ï´Ù.³ëÀºÁö25.09.08
  1   2   3   4   5   6   7   8   9   10   

³¬½Ã»ç¶û¼Ò°³ | ¿À½Ã´Â±æ | ³¬½Ã»ç¶û¹è³Ê | ÀÌ¿ë¾à°ü | À̸ÞÀϹ«´Ü¼öÁý°ÅºÎ | °³ÀÎÁ¤º¸Ãë±Þ¹æÄ§ | ±Ç¸®Ä§ÇØ½Å°í¼¾ÅÍ
Copyright 1997~2022 (ÁÖ)À¥¶óÀÌÇÁ/³¬½Ã»ç¶û All rights reserved »ç¾÷ÀÚµî·Ï¹øÈ£ 110-81-42683
»ç¾÷Àå : ¼­¿ïƯº°½Ã ¿µµîÆ÷±¸ ¿µµîÆ÷·Î 374, 3Ãþ
[±¤°í/Á¦ÈÞ ¹× Ãßõ»óǰ µî·Ï¹®ÀÇ]     [³¬½ÃÅÍ ¹× ³¬½Ë¹è µî·Ï¹®ÀÇ]     [¹Î¿ø/°ÇÀÇ/½Å°í]     [¸ÞÀϹ®ÀÇ]     [¹®ÀÇ(FAX) 02-2634-2730]