µÎⳬ½ÃÅÍ À¯·á³¬½ÃÅÍ > ³·°ú¹ãÀÇ Àϱ³Â÷°¡ Å®´Ï´Ù : ³¬½Ã»ç¶û
ȸ¿ø°¡ÀÔ | ·Î±×ÀΠ| ½ÃÀÛÆäÀÌÁö | Áñ°Üã±â | ¹®ÀÇ/¿äû/½Å°í
³¬½ÃÅͼ±Åà | Àαâ°Ë»ö¾î | ¹Î¹°ÈÄ¿ø³¬½ÃÅÍ | ¹Ù´ÙÈÄ¿øÅÍ
 
¹Î¹°³¬½Ã | Á´ë/À¯·áÅÍ | ¹Ù´Ù³¬½Ã | ·ç¾î³¬½Ã | Ä¿¹Â´ÏƼ | ³¬¶ûŬ·´ | ³¬½Ã½ºÄð | Áß°íÀåÅÍ | ³¬½ÃQ&A | »ç¿ë±â/°­Á | ÃâÁ¶Á¤º¸ | °ø±¸/¿ëǰÁ¤º¸

 ½Ç½Ã°£³¬½ÃÅͼҽÄ(ÈÄ¿øÅÍ)

- º» °Ô½Ã¹°À» ¹«´Ü ´Ù¿î·Îµå, µµ¿ë, Àοë, ¸µÅ© ±ÝÁö. HOME >À¯·áÅÍÁ¤º¸ >½Ç½Ã°£³¬½ÃÅͼҽÄ(ÈÄ¿øÅÍ)

µÎⳬ½ÃÅÍ
ÀÛ¼ºÀÏ : 2026-04-07 10:21:40 / ÀϹÝÅÍ / µÎⳬ½ÃÅÍ   

Á¦¸ñ l µÎⳬ½ÃÅÍ À¯·á³¬½ÃÅÍ > ³·°ú¹ãÀÇ Àϱ³Â÷°¡ Å®´Ï´Ù : ³¬½Ã»ç¶û

 

 

 

 

  

11.JPG

   

3.JPG

 

4.JPG

 

5.JPG

 

6.JPG

 

2.JPG

 

 


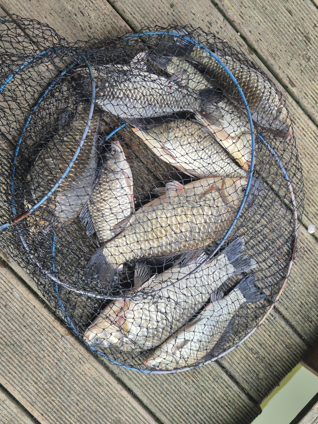
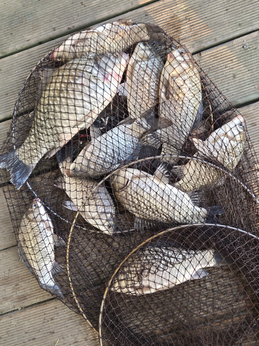
 Àϱ³Â÷°¡ Ä¿¼­ ±×·±Áö ºØ¾îµéÀÌ ¿Ã¶ó¿À´Â ¼Óµµ°¡ Á¶±Ý ´ÊÀº°Í °¬½À´Ï´Ù

À̺»ÁÖ ÆòÀÏ¿¡ Á¶±Ý Ãß¿ü´Ù°¡ ±â¿ÂÀÌ ¸¹ÀÌ ¿Ã¶ó°£´Ù°í ÇÏ´Ï º»°ÝÀûÀ¸·Î

½ÃÀÛÇÏÁö ¾ÈÀ»±î »ý°¢ µË´Ï´Ù

°¨»çÇÕ´Ï´Ù 

 

1.jpg

 

 

2.jpg

 

 

3.jpg

 

 

4.jpg

 

 

5.jpg

 

 

6.jpg

 

 

7.jpg

 

 

8.jpg

 

 

9.jpg

 

 

10.jpg

 

 

11.jpg

 

 

12.jpg

 

 

13.jpg

 

 

14.jpg

 

 

15.jpg

 

 

16.jpg

 

 

17.jpg

 

 

18.jpg

 

 

19.jpg

 

 

20.jpg

 


 




 

 

 


 

 

 * °¡²û ±¤°í¸¦ Ŭ¸¯ÇØ ºÁ ÁÖ½Ã¸é ³¬¶û »çÀÌÆ® ¿î¿µ¿¡ µµ¿òÀÌ µË´Ï´Ù ^^
  
ÃÑ 0°³ÀÇ ´ñ±ÛÀÌ ÀÖ½À´Ï´Ù.

    ´ñ±Û¾²±â     [·Î±×ÀÎ] | [ȸ¿ø°¡ÀÔ]
 
 
676³·°ú¹ãÀÇ Àϱ³Â÷°¡ Å®´Ï´Ù µÎⳬ½ÃÅÍ26.04.07
6751Â÷»ê¶õÀÌ ½ÃÀÛµÇ´Â°Í °°½À´Ï´Ù^^µÎⳬ½ÃÅÍ26.04.01
674´ë¹°ºØ¾îµéÀÌ ¿òÁ÷À̱⠽ÃÀÛ^^µÎⳬ½ÃÅÍ26.03.27
673ºØ¾îµéÀÌ ¿òÁ÷ÀÌ´Â°Í °°½À´Ï´Ù^^µÎⳬ½ÃÅÍ26.03.25
672¼­¼­È÷ ´ë¹°ºØ¾îµéÀÌ ¿òÁ÷À̱⠽ÃÀÛ^^µÎⳬ½ÃÅÍ26.03.17
671¼­¼­È÷ º½³¿»õ°¡ ³ª±â ½ÃÀÛÇß½À´Ï´ÙµÎⳬ½ÃÅÍ26.03.04
670°Ü¿ïÁغñ¿Ï·á^^µÎⳬ½ÃÅÍ25.12.10
669¾î´Àµ¡ °Ü¿ïÀÌ ¤Ð¤ÐµÎⳬ½ÃÅÍ25.11.13
66810¿ùÀε¥ ÀÌ·¸°Ô Ãß¿ö¿ë ¤Ð ¤ÐµÎⳬ½ÃÅÍ25.10.29
667¹ú½á °Ü¿ïÀ̿µí ^^µÎⳬ½ÃÅÍ25.10.21
666ºñ°¡ ¿Íµµ ³Ê¹« ¿É´Ï´Ù ¤Ð ¤ÐµÎⳬ½ÃÅÍ25.10.14
665Ãß¼®¿¬ÈÞ¿¡ °è¼ÓµÈºñ ¤Ð ¤ÐµÎⳬ½ÃÅÍ25.10.07
  1   2   3   4   5   6   7   8   9   10   

³¬½Ã»ç¶û¼Ò°³ | ¿À½Ã´Â±æ | ³¬½Ã»ç¶û¹è³Ê | ÀÌ¿ë¾à°ü | À̸ÞÀϹ«´Ü¼öÁý°ÅºÎ | °³ÀÎÁ¤º¸Ãë±Þ¹æÄ§ | ±Ç¸®Ä§ÇØ½Å°í¼¾ÅÍ
Copyright 1997~2022 (ÁÖ)À¥¶óÀÌÇÁ/³¬½Ã»ç¶û All rights reserved »ç¾÷ÀÚµî·Ï¹øÈ£ 110-81-42683
»ç¾÷Àå : ¼­¿ïƯº°½Ã ¿µµîÆ÷±¸ ¿µµîÆ÷·Î 374, 3Ãþ
[±¤°í/Á¦ÈÞ ¹× Ãßõ»óǰ µî·Ï¹®ÀÇ]     [³¬½ÃÅÍ ¹× ³¬½Ë¹è µî·Ï¹®ÀÇ]     [¹Î¿ø/°ÇÀÇ/½Å°í]     [¸ÞÀϹ®ÀÇ]     [¹®ÀÇ(FAX) 02-2634-2730]