´ö»êÁö À¯·á³¬½ÃÅÍ > ´ö»êÁö Á¶È²»çÁø. ¹æ·ù»çÁøÀÔ´Ï´Ù : ³¬½Ã»ç¶û
ȸ¿ø°¡ÀÔ | ·Î±×ÀΠ| ½ÃÀÛÆäÀÌÁö | Áñ°Üã±â | ¹®ÀÇ/¿äû/½Å°í
³¬½ÃÅͼ±Åà | Àαâ°Ë»ö¾î | ¹Î¹°ÈÄ¿ø³¬½ÃÅÍ | ¹Ù´ÙÈÄ¿øÅÍ
 
¹Î¹°³¬½Ã | Á´ë/À¯·áÅÍ | ¹Ù´Ù³¬½Ã | ·ç¾î³¬½Ã | Ä¿¹Â´ÏƼ | ³¬¶ûŬ·´ | ³¬½Ã½ºÄð | Áß°íÀåÅÍ | ³¬½ÃQ&A | »ç¿ë±â/°­Á | ÃâÁ¶Á¤º¸ | °ø±¸/¿ëǰÁ¤º¸

 ½Ç½Ã°£³¬½ÃÅͼҽÄ(ÈÄ¿øÅÍ)

- º» °Ô½Ã¹°À» ¹«´Ü ´Ù¿î·Îµå, µµ¿ë, Àοë, ¸µÅ© ±ÝÁö. HOME >À¯·áÅÍÁ¤º¸ >½Ç½Ã°£³¬½ÃÅͼҽÄ(ÈÄ¿øÅÍ)

´ö»êÁö
ÀÛ¼ºÀÏ : 2026-04-07 14:25:37 / Àú¼öÁö / °æ±â ¾È¼º½Ã ´ö»êÁö   

Á¦¸ñ l ´ö»êÁö À¯·á³¬½ÃÅÍ > ´ö»êÁö Á¶È²»çÁø. ¹æ·ù»çÁøÀÔ´Ï´Ù : ³¬½Ã»ç¶û


 


 ¾È³çÇϼ¼¿ä
´ö»êÁöÀÔ´Ï´Ù.
¸¶¸´¼öµµ Á¡Á¡ ´Ã¾î³ª°í ½ÎÀÌÁîµµ Ä¿Áö°í,
¹ãÁ¶È² º¸´Ù´Â ³·Á¶È²ÀÌ ´õ ÁÁ´Ù°í ÇϽʴϴÙ.
¹Ù¶÷ÀÌ »ìÀۺγ׿ä.
¹Ù¶÷¸¸ ÀÜÀÜÇØ Áö¸é ºØ¾î´Â °ïÀß ³ª¿Â´Ù°í ÇÕ´Ï´Ù.
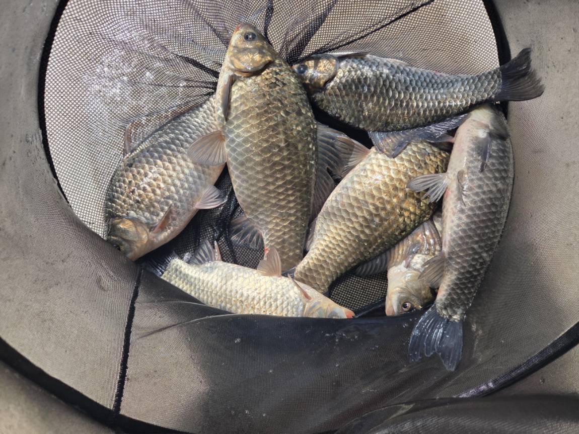
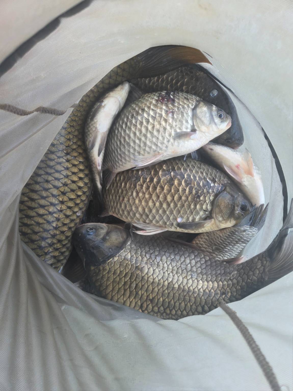
Á¶È²»çÁøÀÔ´Ï´Ù.

 

KakaoTalk_20260407_140235175_03.jpg

 

 

KakaoTalk_20260407_140235175_04.jpg

 

 

KakaoTalk_20260407_140235175_07.jpg

 

 

KakaoTalk_20260407_140235175_05.jpg

 

 

KakaoTalk_20260407_140235175_01.jpg

 

 

KakaoTalk_20260407_140235175.jpg


¾îÁ¦.¿À´Ã ºØ¾î¹æ·ù´Â °è¼ÓÇÕ´Ï´Ù.
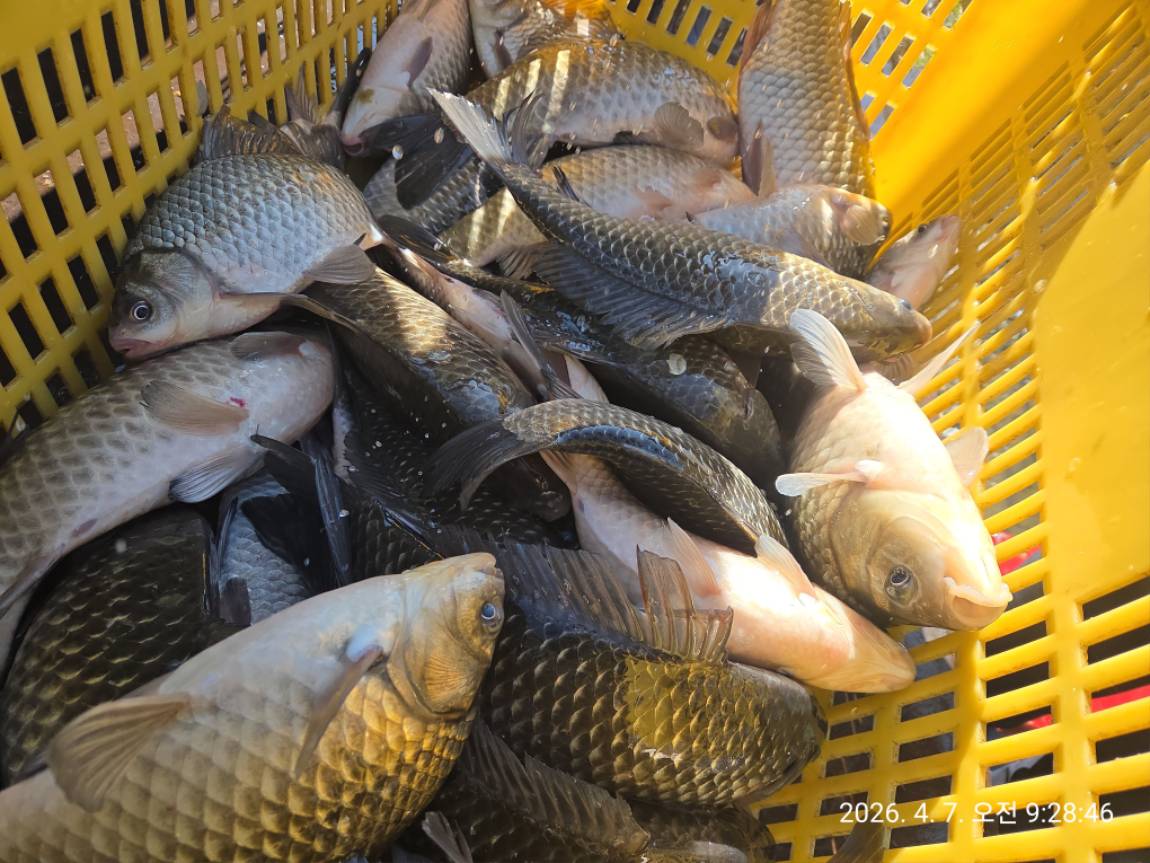
¹æ·ù»çÁøÀÔ´Ï´Ù.

 

KakaoTalk_20260407_140217944.jpg

 

 

KakaoTalk_20260407_140217944_01.jpg

 

 

KakaoTalk_20260407_140217944_02.jpg

 

 

KakaoTalk_20260407_140217944_03.jpg

 

 

KakaoTalk_20260407_140217944_05.jpg

 

 

KakaoTalk_20260407_140217944_06.jpg

 

 

KakaoTalk_20260407_140217944_07.jpg

 

 

KakaoTalk_20260407_140217944_08.jpg

 

 

KakaoTalk_20260407_140217944_09.jpg

 

 

KakaoTalk_20260407_140217944_10.jpg

 

 

KakaoTalk_20260407_140217944_11.jpg

 

 

KakaoTalk_20260407_140217944_13.jpg

 

 

KakaoTalk_20260407_140217944_14.jpg

 


 * °¡²û ±¤°í¸¦ Ŭ¸¯ÇØ ºÁ ÁÖ½Ã¸é ³¬¶û »çÀÌÆ® ¿î¿µ¿¡ µµ¿òÀÌ µË´Ï´Ù ^^
  
ÃÑ 0°³ÀÇ ´ñ±ÛÀÌ ÀÖ½À´Ï´Ù.

    ´ñ±Û¾²±â     [·Î±×ÀÎ] | [ȸ¿ø°¡ÀÔ]
 
 
739´ö»êÁö Á¶È²»çÁø. ¹æ·ù»çÁøÀÔ´Ï´Ù ´ö»êÁö26.04.07
738´ö»êÁö ÁÖ¸» Á¶È²»çÁøÀÔ´Ï´Ù ´ö»êÁö26.04.05
737´ö»êÁö Á¶È²»çÁø. ¹æ·ù»çÁøÀÔ´Ï´Ù´ö»êÁö26.04.03
736´ö»êÁö Á¶È²»çÁø. ¹æ·ù»çÁøÀÔ´Ï´Ù´ö»êÁö26.04.02
735´ö»êÁö Á¶È²»çÁøÀÔ´Ï´Ù  (1)´ö»êÁö26.03.30
734´ö»êÁö Á¶È²»çÁøÀÔ´Ï´Ù´ö»êÁö26.03.27
733´ö»êÁö Á¶È²»çÁø. ¹æ·ù»çÁøÀÔ´Ï´Ù (1)´ö»êÁö26.03.26
732´ö»êÁö Á¶È². ¹æ·ù»çÁøÀÔ´Ï´Ù ´ö»êÁö26.03.24
731´ö»êÁö ¿À´Ã¿¡ ¹æ·ù»çÁøÀÔ´Ï´Ù ´ö»êÁö26.03.21
730´ö»êÁöÀÔ´Ï´Ù ´ö»êÁö26.03.20
729´ö»êÁö Á¶È²»çÁøÀÔ´Ï´Ù´ö»êÁö26.03.18
728´ö»êÁöÀÔ´Ï´Ù.´ö»êÁö26.03.17
  1   2   3   4   5   6   7   8   9   10   

³¬½Ã»ç¶û¼Ò°³ | ¿À½Ã´Â±æ | ³¬½Ã»ç¶û¹è³Ê | ÀÌ¿ë¾à°ü | À̸ÞÀϹ«´Ü¼öÁý°ÅºÎ | °³ÀÎÁ¤º¸Ãë±Þ¹æÄ§ | ±Ç¸®Ä§ÇØ½Å°í¼¾ÅÍ
Copyright 1997~2022 (ÁÖ)À¥¶óÀÌÇÁ/³¬½Ã»ç¶û All rights reserved »ç¾÷ÀÚµî·Ï¹øÈ£ 110-81-42683
»ç¾÷Àå : ¼­¿ïƯº°½Ã ¿µµîÆ÷±¸ ¿µµîÆ÷·Î 374, 3Ãþ
[±¤°í/Á¦ÈÞ ¹× Ãßõ»óǰ µî·Ï¹®ÀÇ]     [³¬½ÃÅÍ ¹× ³¬½Ë¹è µî·Ï¹®ÀÇ]     [¹Î¿ø/°ÇÀÇ/½Å°í]     [¸ÞÀϹ®ÀÇ]     [¹®ÀÇ(FAX) 02-2634-2730]