¼ºÈ£³¬½ÃÅÍ À¯·á³¬½ÃÅÍ > ÀÏ¿äÀÏ ¾ÆÄ§ Á¶È² ¼ºÈ£³¬½ÃÅÍ ÀÌõ. : ³¬½Ã»ç¶û
ȸ¿ø°¡ÀÔ | ·Î±×ÀΠ| ½ÃÀÛÆäÀÌÁö | Áñ°Üã±â | ¹®ÀÇ/¿äû/½Å°í
³¬½ÃÅͼ±Åà | Àαâ°Ë»ö¾î | ¹Î¹°ÈÄ¿ø³¬½ÃÅÍ | ¹Ù´ÙÈÄ¿øÅÍ
 
¹Î¹°³¬½Ã | Á´ë/À¯·áÅÍ | ¹Ù´Ù³¬½Ã | ·ç¾î³¬½Ã | Ä¿¹Â´ÏƼ | ³¬¶ûŬ·´ | ³¬½Ã½ºÄð | Áß°íÀåÅÍ | ³¬½ÃQ&A | »ç¿ë±â/°­Á | ÃâÁ¶Á¤º¸ | °ø±¸/¿ëǰÁ¤º¸

 ½Ç½Ã°£³¬½ÃÅͼҽÄ(ÈÄ¿øÅÍ)

- º» °Ô½Ã¹°À» ¹«´Ü ´Ù¿î·Îµå, µµ¿ë, Àοë, ¸µÅ© ±ÝÁö. HOME >À¯·áÅÍÁ¤º¸ >½Ç½Ã°£³¬½ÃÅͼҽÄ(ÈÄ¿øÅÍ)
¼ºÈ£³¬½ÃÅÍ
ÀÛ¼ºÀÏ : 2026-04-12 08:52:47 / Àú¼öÁö / °æ±â ÀÌõ½Ã ¼ºÈ£³¬½ÃÅÍ ÀÌõ   

Á¦¸ñ l ¼ºÈ£³¬½ÃÅÍ À¯·á³¬½ÃÅÍ > ÀÏ¿äÀÏ ¾ÆÄ§ Á¶È² ¼ºÈ£³¬½ÃÅÍ ÀÌõ. : ³¬½Ã»ç¶û

 

20260411_170744.jpg

 

 

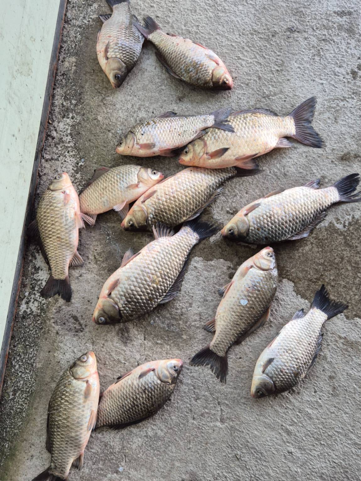
4Â¥¿¡ µ¢¾î¸® ´ë¹° ¸¶¸´¼ö

Àå¿ø Á¶»ç´Ô.

 

 

 

20260411_170724.jpg

 

 

20260411_170743.jpg

 

´ë¹° ¸¶¸´¼ö Á¶»ç´Ô 

´ë¹°µé ºü¸£°Ô ¿òÁ÷À̱⠽ÃÀÛ ÇÑ°Í °°½À´Ï´Ù.

ÃàÇÏÇÕ´Ï´Ù.

 

 

 

20260411_184903.jpg

 

 

20260411_184844.jpg

 

 

20260411_184828.jpg

 

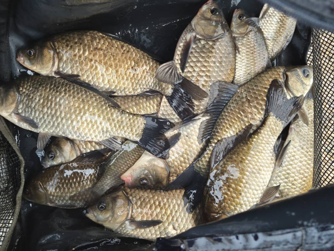
´ë¹°ÀÌ º»°Ý ¿òÁ÷À̱⠽ÃÀÛÇÏ´Ï

ÁÂ´ë ³ëÁöµµ º»°Ý ÃâÁ¶°¡ À̾îÁö°í ÀÖ½À´Ï´Ù.

 

Á´ë´Â ȨÆäÀÌÁö ¶Ç´Â ÀüÈ­ ¿¹¾àÈÄ 

¾ðÁ¦³ª ÀÌ¿ë °¡´ÉÇϸç

 

 

 

20260411_185227.jpg

 

 

20260411_171056.jpg

 

 

20260411_172127.jpg

 

³ëÁö´Â ¿À½Ã´Â´ë·Î 

Â÷´ë°í ¹Ù·Î¾Õ ´ëÆí¼º ÇÏ½Ã¸é µË´Ï´Ù.

 

³ëÁö ´Üü ¸ðÀÓÀº 

»çÀü ¿¹¾àÈÄ ÀÌ¿ë °¡´ÉÇÕ´Ï´Ù.

 

 

 

20260412_065223.jpg

 

 

20260412_065224.jpg

 

 

20260411 (3).jpg

 

 

20260411 (4).jpg

 

 

20260412_070246.jpg

 

 

20260412_070236.jpg

 

 

20260411_170603.jpg

 

 

20260411_170606.jpg

 

 

20260412_070239.jpg

 

 

20260412_070256.jpg

 

 

20260411_170611.jpg

 

 

20260411_170548.jpg

 

 

20260412_065301.jpg

 

 

20260412_065302.jpg

 

 

20260412_065303.jpg

 


 

20260411_184736.jpg

 

 

20260411_184746.jpg

 

 

20260411_170849.jpg

 




 

 * °¡²û ±¤°í¸¦ Ŭ¸¯ÇØ ºÁ ÁÖ½Ã¸é ³¬¶û »çÀÌÆ® ¿î¿µ¿¡ µµ¿òÀÌ µË´Ï´Ù ^^
  
ÃÑ 0°³ÀÇ ´ñ±ÛÀÌ ÀÖ½À´Ï´Ù.

    ´ñ±Û¾²±â     [·Î±×ÀÎ] | [ȸ¿ø°¡ÀÔ]
 
 
1266ÁÖ¸» Á¶È² ¼ºÈ£³¬½ÃÅÍ ÀÌõ. ¼ºÈ£³¬½ÃÅÍ26.04.13
1265ÀÏ¿äÀÏ ¾ÆÄ§ Á¶È² ¼ºÈ£³¬½ÃÅÍ ÀÌõ. ¼ºÈ£³¬½ÃÅÍ26.04.12
1264Á¶È²Á¤º¸ ¼ºÈ£³¬½ÃÅÍ.¼ºÈ£³¬½ÃÅÍ26.04.11
1263Á¶È²Á¤º¸ 4¿ù10ÀÏ ¼ºÈ£³¬½ÃÅÍ.¼ºÈ£³¬½ÃÅÍ26.04.10
12624¿ù9ÀÏ Á¶È²Á¤º¸ ¼ºÈ£³¬½ÃÅÍ.¼ºÈ£³¬½ÃÅÍ26.04.09
12614¿ù7ÀÏ Á¶È² ¼ºÈ£³¬½ÃÅÍ.¼ºÈ£³¬½ÃÅÍ26.04.07
1260Á¶È²Á¤º¸ ¼ºÈ£³¬½ÃÅÍ.¼ºÈ£³¬½ÃÅÍ26.04.06
1259ÁÂ´ë ³ëÁö ¸¶¸´¼ö Á¶»ç´Ô ¼ºÈ£³¬½ÃÅÍ.¼ºÈ£³¬½ÃÅÍ26.04.05
1258¹Ï¾î ¸»¾î ¼ºÈ£³¬½ÃÅÍ Á¶È².¼ºÈ£³¬½ÃÅÍ26.04.03
1257Á¶È²Á¤º¸ ¼ºÈ£³¬½ÃÅÍ.¼ºÈ£³¬½ÃÅÍ26.04.02
1256Á¶È²Á¤º¸ ¼ºÈ£³¬½ÃÅÍ.¼ºÈ£³¬½ÃÅÍ26.04.01
12554Â¥¿¡ ¸¶¸´¼ö Á¶È² ¼ºÈ£³¬½ÃÅÍ ÀÌõ.¼ºÈ£³¬½ÃÅÍ26.03.30
  1   2   3   4   5   6   7   8   9   10   

³¬½Ã»ç¶û¼Ò°³ | ¿À½Ã´Â±æ | ³¬½Ã»ç¶û¹è³Ê | ÀÌ¿ë¾à°ü | À̸ÞÀϹ«´Ü¼öÁý°ÅºÎ | °³ÀÎÁ¤º¸Ãë±Þ¹æÄ§ | ±Ç¸®Ä§ÇØ½Å°í¼¾ÅÍ
Copyright 1997~2022 (ÁÖ)À¥¶óÀÌÇÁ/³¬½Ã»ç¶û All rights reserved »ç¾÷ÀÚµî·Ï¹øÈ£ 110-81-42683
»ç¾÷Àå : ¼­¿ïƯº°½Ã ¿µµîÆ÷±¸ ¿µµîÆ÷·Î 374, 3Ãþ
[±¤°í/Á¦ÈÞ ¹× Ãßõ»óǰ µî·Ï¹®ÀÇ]     [³¬½ÃÅÍ ¹× ³¬½Ë¹è µî·Ï¹®ÀÇ]     [¹Î¿ø/°ÇÀÇ/½Å°í]     [¸ÞÀϹ®ÀÇ]     [¹®ÀÇ(FAX) 02-2634-2730]