Åë»ï³¬½ÃÅÍ À¯·á³¬½ÃÅÍ > ¹æ·ù ¹æ·ù ¹æ·ù~ Åë»ï ÁÖÁß¹æ·ù ¹× Á¶È² ¼Ò½ÄÀÔ´Ï´Ù~ : ³¬½Ã»ç¶û
ȸ¿ø°¡ÀÔ | ·Î±×ÀΠ| ½ÃÀÛÆäÀÌÁö | Áñ°Üã±â | ¹®ÀÇ/¿äû/½Å°í
³¬½ÃÅͼ±Åà | Àαâ°Ë»ö¾î | ¹Î¹°ÈÄ¿ø³¬½ÃÅÍ | ¹Ù´ÙÈÄ¿øÅÍ
 
¹Î¹°³¬½Ã | Á´ë/À¯·áÅÍ | ¹Ù´Ù³¬½Ã | ·ç¾î³¬½Ã | Ä¿¹Â´ÏƼ | ³¬¶ûŬ·´ | ³¬½Ã½ºÄð | Áß°íÀåÅÍ | ³¬½ÃQ&A | »ç¿ë±â/°­Á | ÃâÁ¶Á¤º¸ | °ø±¸/¿ëǰÁ¤º¸

 ½Ç½Ã°£³¬½ÃÅͼҽÄ(ÈÄ¿øÅÍ)

- º» °Ô½Ã¹°À» ¹«´Ü ´Ù¿î·Îµå, µµ¿ë, Àοë, ¸µÅ© ±ÝÁö. HOME >À¯·áÅÍÁ¤º¸ >½Ç½Ã°£³¬½ÃÅͼҽÄ(ÈÄ¿øÅÍ)
Åë»ï³¬½ÃÅÍ
ÀÛ¼ºÀÏ : 2026-04-23 15:06:48 / Àú¼öÁö / °æ±â ¿ëÀνà Åë»ï³¬½ÃÅÍ   

Á¦¸ñ l Åë»ï³¬½ÃÅÍ À¯·á³¬½ÃÅÍ > ¹æ·ù ¹æ·ù ¹æ·ù~ Åë»ï ÁÖÁß¹æ·ù ¹× Á¶È² ¼Ò½ÄÀÔ´Ï´Ù~ : ³¬½Ã»ç¶û

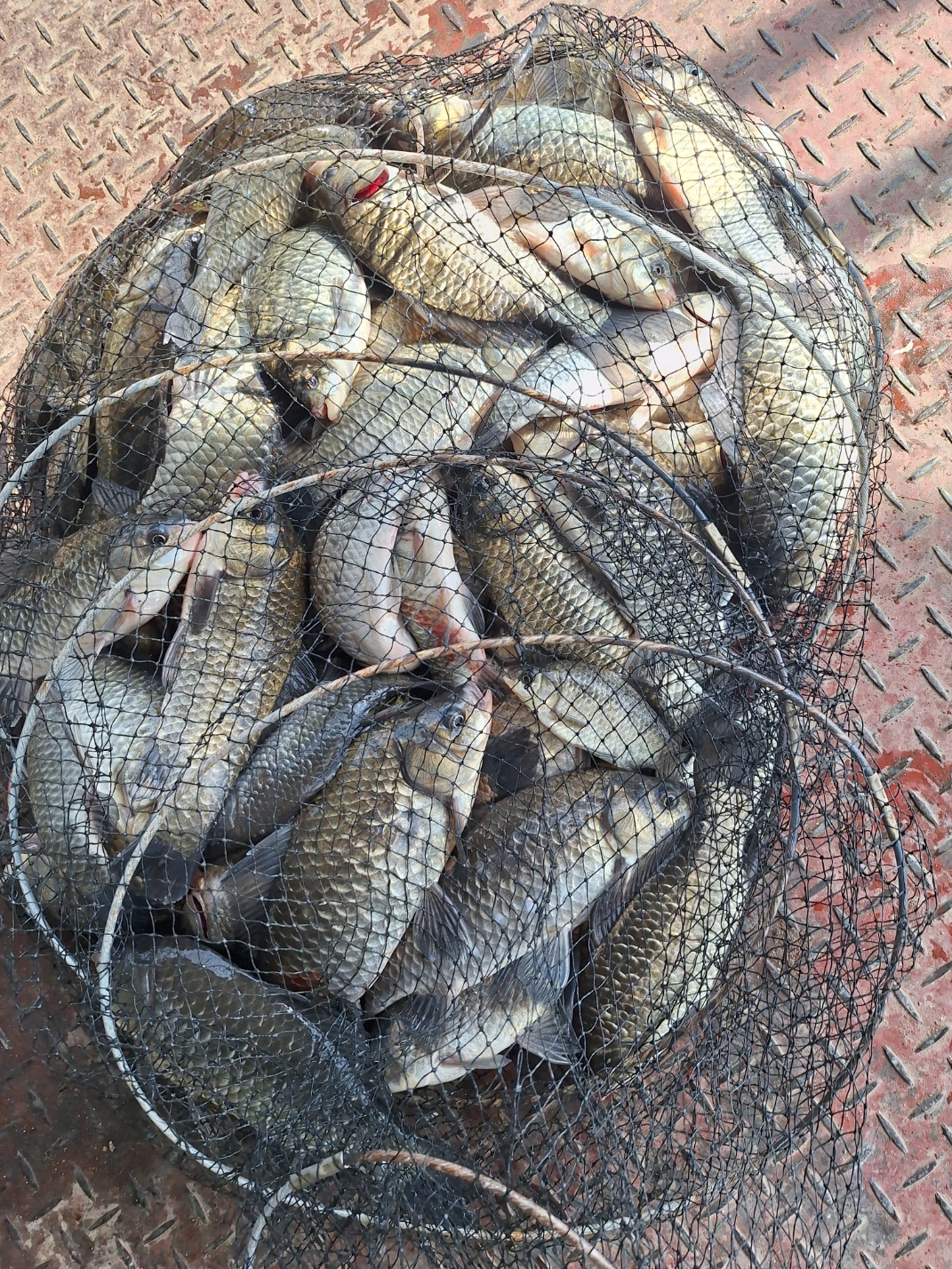
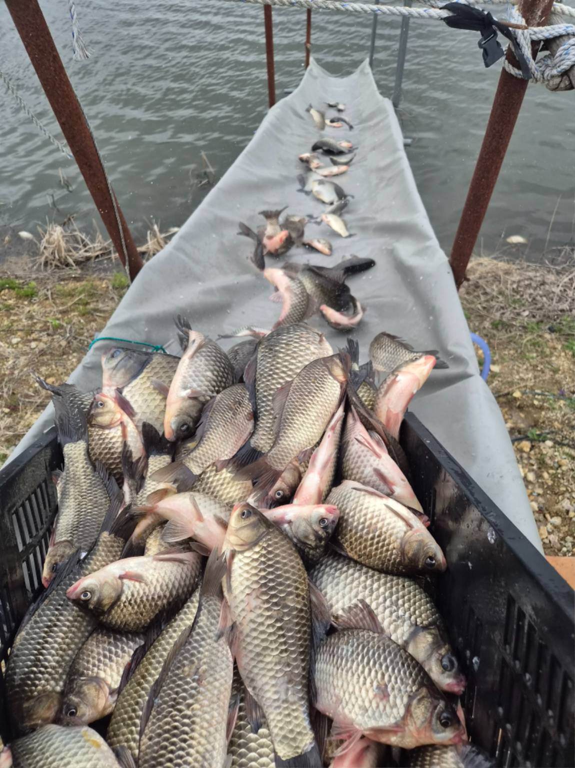
À̹ø ÁÖ¸»¿¡µµ ¸¹ÀÌ ´õ¿öÁø´Ù°í Çϳ׿ä 

 

¸¶¸´¼öµµ Á¶±Ý¾¿ ÁÁ¾ÆÁö°í ÀÔÁú Âî¿Ã¸²

 

¸¸Á·½º·¯¿ö Áö°í ÀÖ½À´Ï´Ù~

 

ÅäÁ¾ ºØ¾îµé·Î Áö¼Ó ¹æ·ù ÁßÀÌ´Ï ¸¹ÀÌ 

 

ã¾ÆÁֽñ⠹ٶø´Ï´Ù . °¨»çÇÕ´Ï´Ù~~~~!!

 

 

 


 

- ¿¬Áß ¹«ÈÞ 365ÀÏ ¿µ¾÷ÁßÀÔ´Ï´Ù!!! -

 

- ÁÖ¸» Á¦¿Ü ÆòÀÏ ¿ä±Ý ¿¬ÈÞ¿¡µµ ºÎ´ã¾øÀÌ -

 

- ¸¸¼öÀ§À¯ÁöÁß *** ³ìÁ¶  ¾ø½À´Ï´Ù*** -

 

- ¿ÃÇØµµ ÅäÁ¾ ºØ¾î Áö¼Ó ¹æ·ù·Î Á¶»ç´Ôµé ¸¸Á·À»À§ÇØ Èû¾²°Ú½À´Ï´Ù -

 

- °ü¸®½Ç ¿·¿¡ »þ¿ö½Ã¼³(¿Â¼ö) ÀÖ½À´Ï´Ù ¹ã»õ »ç¿ë°¡´É -

 

 

 

a¤¡1Åë»ï 2023.png

 

 

KakaoTalk_20260423_145910835_10.jpg

 

 

KakaoTalk_20260423_145957455.jpg

 

 

KakaoTalk_20260423_150114025.jpg

 

 

KakaoTalk_20260423_150114025_01.jpg

 

 

KakaoTalk_20260423_150114025_02.jpg

 

 

KakaoTalk_20260423_150114025_03.jpg

 

 

KakaoTalk_20260423_150114025_04.jpg

 

 

KakaoTalk_20260423_150114025_05.jpg

 

 

KakaoTalk_20260423_150114025_06.jpg

 

 

KakaoTalk_20260423_150114025_07.jpg

 

 

KakaoTalk_20260423_150114025_08.jpg

 

 

KakaoTalk_20260423_150114025_09.jpg

 

 

KakaoTalk_20260423_150114025_10.jpg

 

 

KakaoTalk_20260423_150114025_11.jpg

 

 

KakaoTalk_20260423_150114025_12.jpg

 

 

KakaoTalk_20260423_150114025_13.jpg

 

 

KakaoTalk_20260423_150114025_14.jpg

 

 

KakaoTalk_20260423_150114025_15.jpg

 

 

KakaoTalk_20260423_150114025_16.jpg

 

 

KakaoTalk_20260423_150114025_17.jpg

 

 

KakaoTalk_20260423_150114025_18.jpg

 

 

KakaoTalk_20260423_150114025_19.jpg

 

 

KakaoTalk_20260423_150114025_20.jpg

 


 * °¡²û ±¤°í¸¦ Ŭ¸¯ÇØ ºÁ ÁÖ½Ã¸é ³¬¶û »çÀÌÆ® ¿î¿µ¿¡ µµ¿òÀÌ µË´Ï´Ù ^^
  
ÃÑ 0°³ÀÇ ´ñ±ÛÀÌ ÀÖ½À´Ï´Ù.

    ´ñ±Û¾²±â     [·Î±×ÀÎ] | [ȸ¿ø°¡ÀÔ]
 
 
544¹æ·ù ¹æ·ù ¹æ·ù~ Åë»ï ÁÖÁß¹æ·ù ¹× Á¶È² ¼Ò½ÄÀÔ´Ï´Ù~ Åë»ï³¬½ÃÅÍ26.04.23
543°¡±î¿î °¡Á· ¼Õ¸ÀÅÍ Åë»ï ³¬½ÃÅÍ º½ ¼Ò½ÄÀÔ´Ï´Ù~Åë»ï³¬½ÃÅÍ26.04.20
542º½ÀÌ ¹«¸£ À;´Â °¡±î¿î ¿ëÀÎ Åë»ï¼Ò½Ä ÀÔ´Ï´Ù~Åë»ï³¬½ÃÅÍ26.04.16
541°¡±î¿î °¡Á· ¼Õ¸ÀÅÍ Åë»ï ³¬½ÃÅÍ ¼Ò½ÄÀÔ´Ï´Ù~Åë»ï³¬½ÃÅÍ26.04.14
540ºñ°¡¿Íµµ ¹Ù¶÷ÀÌ ºÒ¾îµµ ¹æ·ù! Åë»ï³¬½ÃÅÍ ÀÔ´Ï´Ù~Åë»ï³¬½ÃÅÍ26.04.10
539Áñ°Å¿î °¡Á· ÈÞ°¡Áö Åë»ï³¬½ÃÅÍ ÀÔ´Ï´ÙÅë»ï³¬½ÃÅÍ26.04.06
538°¡±î¿î °¡Á· ¼Õ¸ÀÅÍ Åë»ï ³¬½ÃÅÍ ¼Ò½ÄÀÔ´Ï´Ù~Åë»ï³¬½ÃÅÍ26.04.03
537º½ÀÌ Ã£¾Æ¿Â Áñ°Å¿î °¡Á· ÈÞ°¡Áö Åë»ï³¬½ÃÅÍ ÀÔ´Ï´ÙÅë»ï³¬½ÃÅÍ26.04.01
536°¡±î¿î °¡Á· ¼Õ¸ÀÅÍ Åë»ï ³¬½ÃÅÍ º½ ¹æ·ù ¼Ò½ÄÀÔ´Ï´Ù~Åë»ï³¬½ÃÅÍ26.03.31
535º½±â¿îÀÌ °¡µæ Â÷°íÀÖ´Â Åë»ï¼Ò½ÄÀÔ´Ï´Ù~Åë»ï³¬½ÃÅÍ26.03.30
534º½ÀÌ ´Ù°¡¿Â Åë»ï³¬½ÃÅÍ ¹æ·ù ¼Ò½ÄÀÔ´Ï´Ù~~Åë»ï³¬½ÃÅÍ26.03.26
533Åë»ï³¬½ÃÅÍ º½ ¹æ·ù °¡µæ ³Ö¾î³õ°Ú½À´Ï´Ù!!Åë»ï³¬½ÃÅÍ26.03.23
  1   2   3   4   5   6   7   8   9   10   

³¬½Ã»ç¶û¼Ò°³ | ¿À½Ã´Â±æ | ³¬½Ã»ç¶û¹è³Ê | ÀÌ¿ë¾à°ü | À̸ÞÀϹ«´Ü¼öÁý°ÅºÎ | °³ÀÎÁ¤º¸Ãë±Þ¹æÄ§ | ±Ç¸®Ä§ÇØ½Å°í¼¾ÅÍ
Copyright 1997~2022 (ÁÖ)À¥¶óÀÌÇÁ/³¬½Ã»ç¶û All rights reserved »ç¾÷ÀÚµî·Ï¹øÈ£ 110-81-42683
»ç¾÷Àå : ¼­¿ïƯº°½Ã ¿µµîÆ÷±¸ ¿µµîÆ÷·Î 374, 3Ãþ
[±¤°í/Á¦ÈÞ ¹× Ãßõ»óǰ µî·Ï¹®ÀÇ]     [³¬½ÃÅÍ ¹× ³¬½Ë¹è µî·Ï¹®ÀÇ]     [¹Î¿ø/°ÇÀÇ/½Å°í]     [¸ÞÀϹ®ÀÇ]     [¹®ÀÇ(FAX) 02-2634-2730]