|
|
|
|
|
|
½Ç½Ã°£³¬½ÃÅͼҽÄ(ÈÄ¿øÅÍ)
|
- º» °Ô½Ã¹°À» ¹«´Ü ´Ù¿î·Îµå, µµ¿ë, Àοë, ¸µÅ© ±ÝÁö.
|
HOME >À¯·áÅÍÁ¤º¸ >½Ç½Ã°£³¬½ÃÅͼҽÄ(ÈÄ¿øÅÍ) |
 |
|
 |
|
|

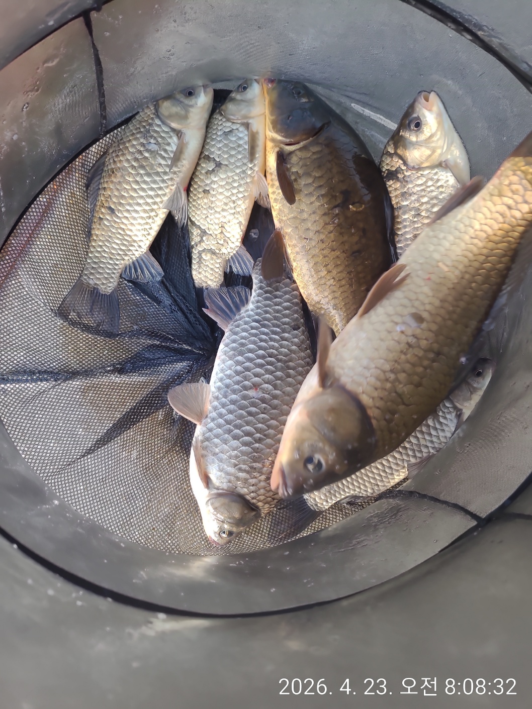
¾È³çÇϼ¼¿ä ´ö»êÁöÀÔ´Ï´Ù. ½ÉÇϰԺҴø ¹Ù¶÷µµ ¾ðÁ¦±×·¨³Ä´Â µíÀÌ ÀÜÀÜÇÏ°í ½Ò½ÒÇÏ´ø ±â¿Âµµ ´Ù½Ã º½±â¿îÀ¸·Î µ¹¾Æ¼¸³×¿ä. ´Ù½Ã ºØ¾îµé¿¡ Ȱ¹ßÇÑ ¿òÁ÷ÀÓÀ» ±â´ëÇØº¾´Ï´Ù. ¿©ÀüÈ÷ ±Û·çÅÙ À§ÁÖ ³¬½Ã°í Áö··À̵µ ±Ù±ÙÈ÷ ÀÔÁúÀÌ ¿Â´Ù°í ÇÕ´Ï´Ù. ¿ÀÈĽð£´ëºÎÅÍ ±Ù±ÙÈ÷ ÀÔÁúÀÌ ¿Â´Ù°í ÇÏ´Ï Âü°íÇϼż ´ë¹°»ó¸é ±â¿øÇÕ´Ï´Ù. ¿ä¸çÄ¥ Á¶È²»çÁøÀÔ´Ï´Ù.









¸Þ±â°¡ 70Àº µÈ´Ù°í ÇϽó׿ä









¿À´ÃÀº ¾çÀº ¾ó¸¸¾ÈµÇÁö¸¸ ´ëºØ¾î¸¸ ³ª¿Ô´Ù°í °¡Àú¿À¼Ì½À´Ï´Ù ¿À´Ã¿¡ ¹æ·ù»çÁøÀÔ´Ï´Ù







|
|
* °¡²û ±¤°í¸¦ Ŭ¸¯ÇØ ºÁ ÁÖ½Ã¸é ³¬¶û »çÀÌÆ® ¿î¿µ¿¡ µµ¿òÀÌ µË´Ï´Ù ^^
|
| |
|
|
ÃÑ 0°³ÀÇ ´ñ±ÛÀÌ ÀÖ½À´Ï´Ù.
|
|
|
|

|
|

|
|
|
|
|
|
|
|
|