¾îõ³¬½ÃÅÍÁö±â À¯·á³¬½ÃÅÍ > ÅäÁ¾ºØ¾î 4Â¥¼Ò½Ä (398¹øÂ°)Á¶È² ¹× ÅäÁ¾ ´ëºØ¾î,ºØ¾î¹æ·ù : ³¬½Ã»ç¶û
ȸ¿ø°¡ÀÔ | ·Î±×ÀΠ| ½ÃÀÛÆäÀÌÁö | Áñ°Üã±â | ¹®ÀÇ/¿äû/½Å°í
³¬½ÃÅͼ±Åà | Àαâ°Ë»ö¾î | ¹Î¹°ÈÄ¿ø³¬½ÃÅÍ | ¹Ù´ÙÈÄ¿øÅÍ
 
¹Î¹°³¬½Ã | Á´ë/À¯·áÅÍ | ¹Ù´Ù³¬½Ã | ·ç¾î³¬½Ã | Ä¿¹Â´ÏƼ | ³¬¶ûŬ·´ | ³¬½Ã½ºÄð | Áß°íÀåÅÍ | ³¬½ÃQ&A | »ç¿ë±â/°­Á | ÃâÁ¶Á¤º¸ | °ø±¸/¿ëǰÁ¤º¸

 ½Ç½Ã°£³¬½ÃÅͼҽÄ(ÈÄ¿øÅÍ)

- º» °Ô½Ã¹°À» ¹«´Ü ´Ù¿î·Îµå, µµ¿ë, Àοë, ¸µÅ© ±ÝÁö. HOME >À¯·áÅÍÁ¤º¸ >½Ç½Ã°£³¬½ÃÅͼҽÄ(ÈÄ¿øÅÍ)

¾îõ³¬½ÃÅÍÁö±â
ÀÛ¼ºÀÏ : 2026-04-26 12:53:15 / Àú¼öÁö / °æ±â È­¼º½Ã ¾îõ³¬½ÃÅÍ   

Á¦¸ñ l ¾îõ³¬½ÃÅÍÁö±â À¯·á³¬½ÃÅÍ > ÅäÁ¾ºØ¾î 4Â¥¼Ò½Ä (398¹øÂ°)Á¶È² ¹× ÅäÁ¾ ´ëºØ¾î,ºØ¾î¹æ·ù : ³¬½Ã»ç¶û

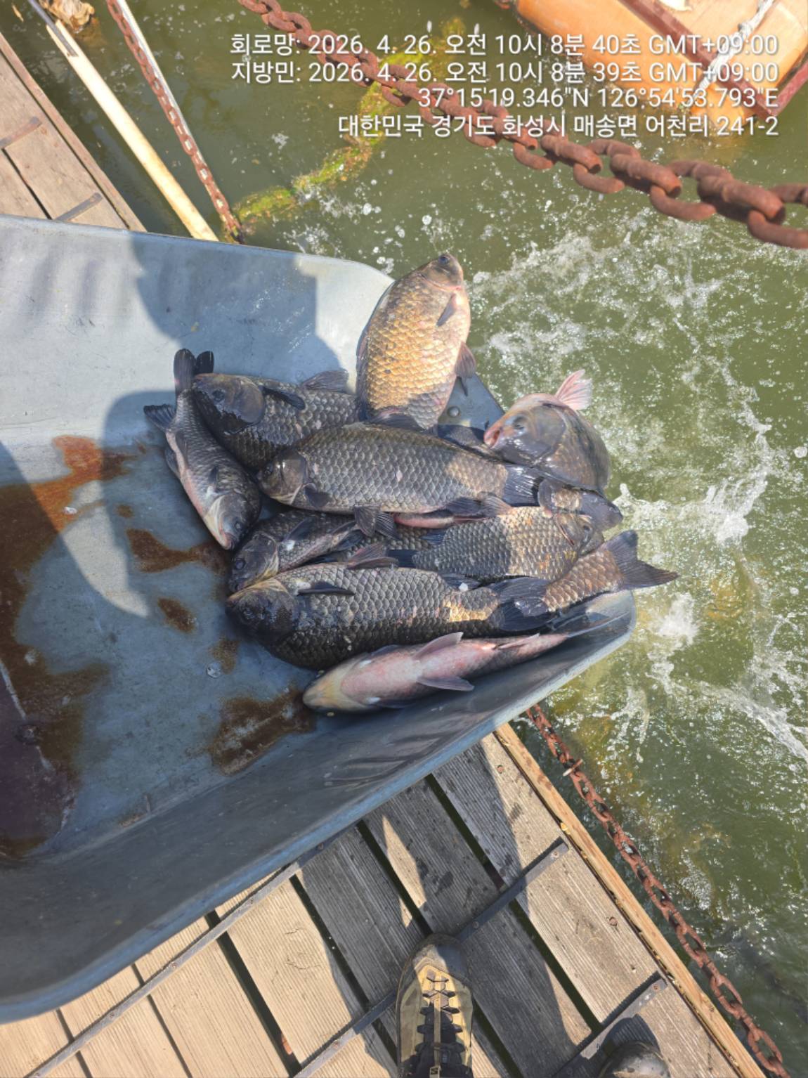
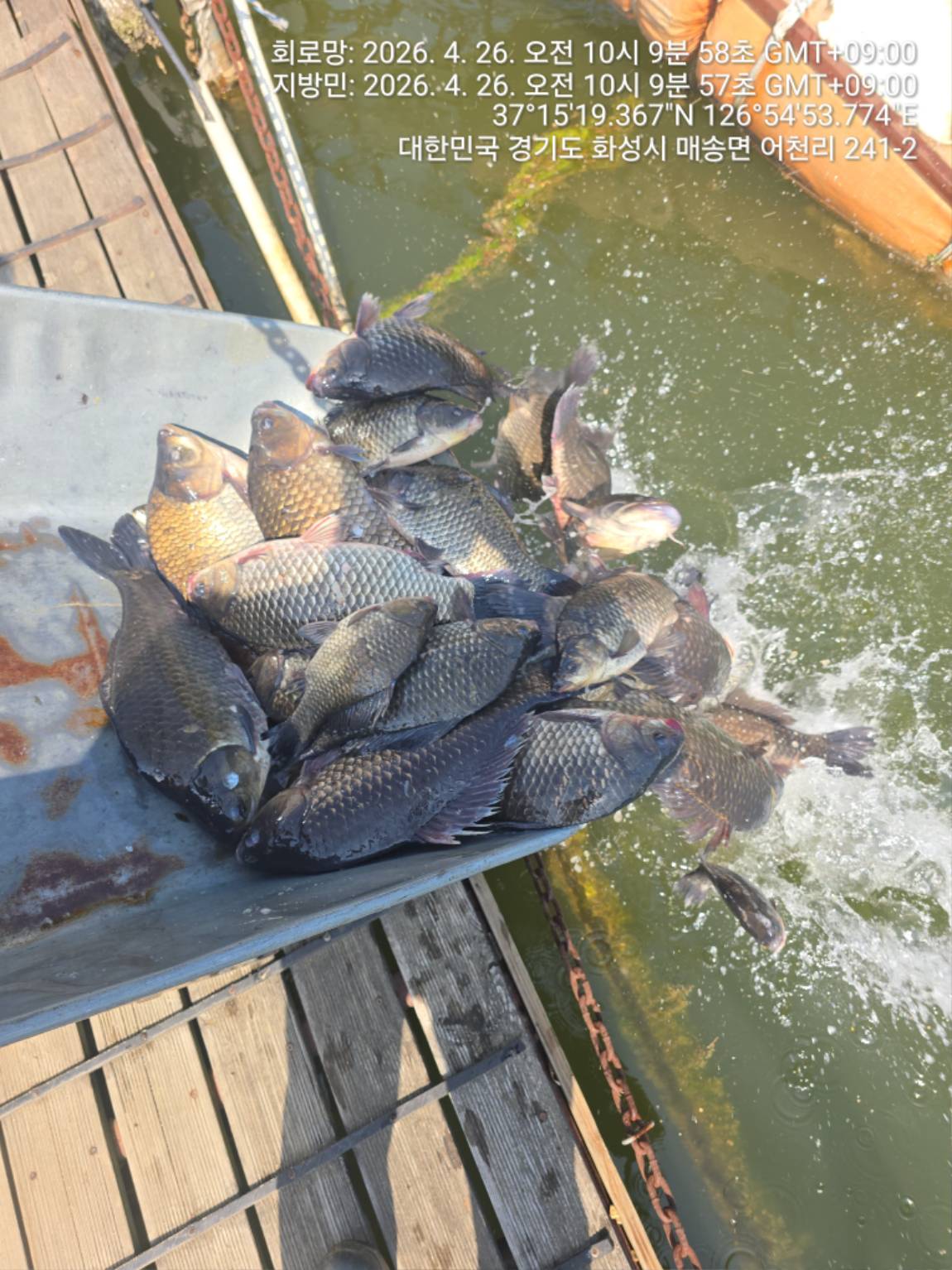
ÅäÁ¾ºØ¾î 4Â¥¼Ò½Ä 

 

1000098590.jpg

 

 

1000098587.jpg

389¹øÂ° ÅäÁ¾ºØ¾î 4Â¥ÀÔ´Ï´Ù 

 

1000098551.jpg

 

 

1000098549.jpg

388¹øÂ° ÅäÁ¾ºØ¾î 4Â¥ÀÔ´Ï´Ù 

1000098543.jpg

 

 

1000098542.jpg

387¹øÂ° ÅäÁ¾ºØ¾î 4Â¥ÀÔ´Ï´Ù 

 

1000098538.jpg

 

 

1000098535.jpg

386¹øÂ° ÅäÁ¾ºØ¾î 4Â¥ÀÔ´Ï´Ù 

1000098528.jpg

 

 

1000098529.jpg

385¹øÂ° ÅäÁ¾ºØ¾î 4Â¥ÀÔ´Ï´Ù 

 

1000098524.jpg

 

 

1000098521.jpg

384¹øÂ° ÅäÁ¾ºØ¾î 4Â¥ÀÔ´Ï´Ù 

1000098516.jpg

 

»ì¸²¸ÁÀ» ÁÁÀº°É ¾²½Ã¸é ÁÁ°Ú½À´Ï´Ù.¤Ì¤Ì

1000098515.jpg

383¹øÂ° ÅäÁ¾ºØ¾î 4Â¥ÀÔ´Ï´Ù 

 

1000098514.jpg

382¹øÂ° ÅäÁ¾ºØ¾î 4Â¥ÀÔ´Ï´Ù 

1000098510.jpg

 

 

1000098511.jpg

381¹øÂ° ÅäÁ¾ºØ¾î 4Â¥ÀÔ´Ï´Ù 

 

1000098505.jpg

 

 

1000098506.jpg

380¹øÂ° ÅäÁ¾ºØ¾î 4Â¥ÀÔ´Ï´Ù 

1000098501.jpg

 

 

1000098502.jpg

379¹øÂ° ÅäÁ¾ºØ¾î 4Â¥ÀÔ´Ï´Ù 

 

1000098499.jpg

 

 

1000098500.jpg

378¹øÂ° ÅäÁ¾ºØ¾î 4Â¥ÀÔ´Ï´Ù 

1000098497.jpg

 

 

1000098498.jpg

377¹øÂ° ÅäÁ¾ºØ¾î 4Â¥ÀÔ´Ï´Ù 

 

1000098491.jpg

 

 

1000098490.jpg

376¹øÂ° ÅäÁ¾ºØ¾î 4Â¥ÀÔ´Ï´Ù 

1000098486.jpg

 

 

1000098485.jpg

375¹øÂ° ÅäÁ¾ºØ¾î 4Â¥ÀÔ´Ï´Ù.

 

1000098482.jpg

 

 

1000098479.jpg

374¹øÂ° ÅäÁ¾ºØ¾î 4Â¥ÀÔ´Ï´Ù 

1000098454.jpg

 

 

1000098452.jpg

373¹øÂ° ÅäÁ¾ºØ¾î 4Â¥ÀÔ´Ï´Ù 

 

1000098431.jpg

 

 

1000098433.jpg

372¹øÂ° ÅäÁ¾ºØ¾î 4Â¥ÀÔ´Ï´Ù 

 

 

Á¶È² Á¤º¸

1000098450.jpg

 

 

1000098548.jpg

 

 

1000098546.jpg

 

 

1000098541.jpg

 

 

1000098539.jpg

 

 

1000098525.jpg

 

 

1000098518.jpg

 

1000098513.jpg

 

 

1000098552.jpg

 

 

1000098470.jpg

 

 

1000098449.jpg

 

 

ÅäÁ¾ ´ëºØ¾î,ºØ¾î ¹æ·ù

 

1000098556.jpg

 

 

1000098558.jpg

 

 

1000098560.jpg

 

 

1000098562.jpg

 

 

1000098565.jpg

 

 

1000098566.jpg

 

 

1000098567.jpg

 


 * °¡²û ±¤°í¸¦ Ŭ¸¯ÇØ ºÁ ÁÖ½Ã¸é ³¬¶û »çÀÌÆ® ¿î¿µ¿¡ µµ¿òÀÌ µË´Ï´Ù ^^
  
ÃÑ 0°³ÀÇ ´ñ±ÛÀÌ ÀÖ½À´Ï´Ù.

    ´ñ±Û¾²±â     [·Î±×ÀÎ] | [ȸ¿ø°¡ÀÔ]
 
 
913ÅäÁ¾ºØ¾î 4Â¥¼Ò½Ä(412¹øÂ°)Á¶È² ¹× ÅäÁ¾ ´ëºØ¾î ¹æ·ù  ¾îõ³¬½ÃÅÍÁö±â26.04.27
912ÅäÁ¾ºØ¾î 4Â¥¼Ò½Ä (398¹øÂ°)Á¶È² ¹× ÅäÁ¾ ´ëºØ¾î,ºØ¾î¹æ·ù ¾îõ³¬½ÃÅÍÁö±â26.04.26
911ÅäÁ¾ºØ¾î 4Â¥¼Ò½Ä (380¹øÂ°)Á¶È² ¹× ÅäÁ¾ºØ¾î ¹æ·ù  ¾îõ³¬½ÃÅÍÁö±â26.04.25
910ÅäÁ¾ºØ¾î 4Â¥¼Ò½Ä (370¹øÂ°)Á¶È² ¹× ÅäÁ¾ ´ëºØ¾î,ºØ¾î ¹æ·ù ¾îõ³¬½ÃÅÍÁö±â26.04.24
909ÅäÁ¾ºØ¾î 4Â¥¼Ò½Ä (363¹øÂ°)Á¶È² ¹× ÅäÁ¾ ´ëºØ¾î ¹æ·ù ¾îõ³¬½ÃÅÍÁö±â26.04.23
908ÅäÁ¾ºØ¾î 4Â¥¼Ò½Ä (358¹øÂ°)Á¶È² ¹× ÅäÁ¾ºØ¾î ¹æ·ù ¾îõ³¬½ÃÅÍÁö±â26.04.22
907ÅäÁ¾ºØ¾î 4Â¥¼Ò½Ä (356¹øÂ°) ¹× ÅäÁ¾ ´ëºØ¾î,ºØ¾î ¹æ·ù ¾îõ³¬½ÃÅÍÁö±â26.04.21
906ÅäÁ¾ºØ¾î 4Â¥¼Ò½Ä (354¹øÂ°) Á¶È² Á¤º¸ ¾îõ³¬½ÃÅÍÁö±â26.04.20
905ÅäÁ¾ºØ¾î 4Â¥¼Ò½Ä (347¹øÂ°)Á¶È² ¹× ÅäÁ¾´ëºØ¾î,ºØ¾î ¹æ·ù ¾îõ³¬½ÃÅÍÁö±â26.04.19
904ÅäÁ¾ºØ¾î 4Â¥¼Ò½Ä (338¹øÂ°) Á¶È² ¹× ÅäÁ¾ºØ¾î ¹æ·ù ¾îõ³¬½ÃÅÍÁö±â26.04.18
903ÅäÁ¾ºØ¾î 4Â¥¼Ò½Ä (332¹øÂ°)Á¶È² ¹× ÅäÁ¾ ´ëºØ¾î,ºØ¾î¹æ·ù¾îõ³¬½ÃÅÍÁö±â26.04.17
902ÅäÁ¾ºØ¾î 4Â¥¼Ò½Ä (320¹øÂ°)Á¶È² À̸ð Àú¸ð Á¤º¸¾îõ³¬½ÃÅÍÁö±â26.04.16
  1   2   3   4   5   6   7   8   9   10   

³¬½Ã»ç¶û¼Ò°³ | ¿À½Ã´Â±æ | ³¬½Ã»ç¶û¹è³Ê | ÀÌ¿ë¾à°ü | À̸ÞÀϹ«´Ü¼öÁý°ÅºÎ | °³ÀÎÁ¤º¸Ãë±Þ¹æÄ§ | ±Ç¸®Ä§ÇØ½Å°í¼¾ÅÍ
Copyright 1997~2022 (ÁÖ)À¥¶óÀÌÇÁ/³¬½Ã»ç¶û All rights reserved »ç¾÷ÀÚµî·Ï¹øÈ£ 110-81-42683
»ç¾÷Àå : ¼­¿ïƯº°½Ã ¿µµîÆ÷±¸ ¿µµîÆ÷·Î 374, 3Ãþ
[±¤°í/Á¦ÈÞ ¹× Ãßõ»óǰ µî·Ï¹®ÀÇ]     [³¬½ÃÅÍ ¹× ³¬½Ë¹è µî·Ï¹®ÀÇ]     [¹Î¿ø/°ÇÀÇ/½Å°í]     [¸ÞÀϹ®ÀÇ]     [¹®ÀÇ(FAX) 02-2634-2730]