
¾È³ç ÇϽʴϱî
ȼº °ü¸® ³¬½ÃÅÍ ÀÔ´Ï´Ù
¾ÆÁ÷ ±îÁö´Â ³·°ú¹ã ±â¿ÂÂ÷°¡ ½ÉÇÏ´Ù º¸´Ï Á¶È²ÀÌ °í·çÁö ¸øÇϰí ÀÖ½À´Ï´Ù
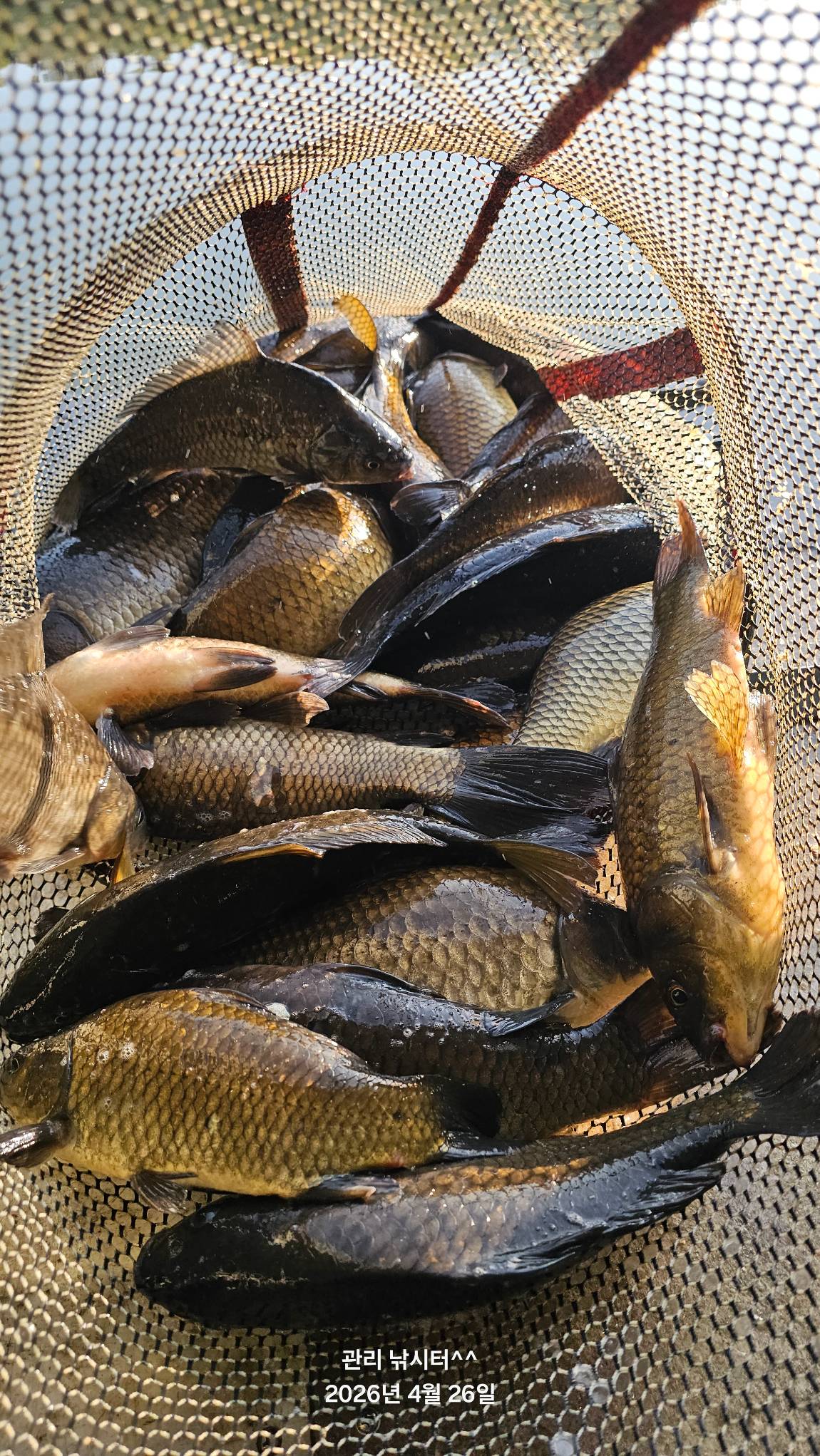
À̹ø ÁÖ¸»Àº ³¯¾¾°¡ ÁÁ¾Æ¼ Á¶È²µµ ÁÁÀº ÆíÀÌ¿´°í ºØ¾î¸¦ 60¼öÀÌ»ó ÀâÀ¸½Å
Á¶»ç´Ôµµ ´Ù¼ö °è¼Ì½À´Ï´Ù
ÇöÀç ¿ª½Ã ³·°ú¹ã Á¶È²ÀÌ ¾ÆÁÖ ÁÁ½À´Ï´Ù.....
¾ðÁ¦³ª º¯ÇÔ¾øÀÌ ÀúÈñ ȼº °ü¸® ³¬½ÃÅ͸¦ ã¾Æ ÁֽôÂ
Á¶»ç´Ôµé²² ´ë´ÜÈ÷ °¨»çÇÕ´Ï´Ù...
¡Ø: Á¶»ç´Ôµé²²¼ ¾²½Ã´ø »ì¸²¸ÁÀ» »ç¿ë ¾ÈÇϽøé (³¬½ÃÅÍ¿¡¼) ¸ÅÀÔ ÇϰڽÀ´Ï´Ù.
¡Ú ³¬½Ã¿ä±Ý ÇÒÀÎ À̺¥Æ® ¡Ú
¿¡¾îÄÁ °¡µ¿Àü ±îÁö~~
¿¡¾îÄÁ °¡µ¿Àü ±îÁö~~
¡Ü 1Àι氡·Î: 50.000 =¾çÀϰ£(2ÀÏ) ÀÌ¿ëÇÒ½Ã=80.000¿ø
¡Ü 2Àι氡·Î: 100.000¿ø=¾çÀϰ£(2ÀÏ) ÀÌ¿ëÇÒ½Ã=160.000¿ø
¡ÜƯ½Ç2Àι氡·Î:120.000¿ø=¾çÀϰ£(2ÀÏ) ÀÌ¿ëÇÒ½Ã=200.000¿ø(TV.³ÃÀå°í¿Ïºñ)
¡Ü ³ë Áö: 30.000¿ø=¾çÀϰ£(2ÀÏ) ÀÌ¿ëÇÒ½Ã=40.000¿ø
¡²¹æ°¡·Î ¿¹¾à¾È³»¹× ȯºÒ¡³
¢À ¹æ°¡·Î ¿¹¾à½Ã ¿¹¾à ÇÏ·ç ÀüÃë¼Ò ÇϽøé 50% ȯºÒÀÌ °¡´É ÇÕ´Ï´Ù.
¢À ¹æ°¡·Î ¿¹¾à ´çÀÏ¿¡ Ãë¼Ò ÇϽøé ȯºÒÀÌ ºÒ°¡ ÇÕ´Ï´Ù.
¢ÀÃʺ¸ÀÚ ´ëȯ¿µ¢À
¢À ³¬½Ã´ë¸¦ ¹«·á·Î ºô·Á µå¸³´Ï´Ù
¢À ³¬½Ã°¡ óÀ½À̽ŠºÐÀº ¹«·á °½ÀÀ» ÇØµå¸³´Ï´Ù
¢À ¿¹¾àÀ» ÇÏ½Ã°í ¿À½Ã¸é ¹Ì¸® ¼ÂÆÃÀ» ÇØ³õ½À´Ï´Ù
¡ÜÁÖ¼Ò:°æ±âµµ ȼº½Ã Çâ³²À¾ ¹ß¾È·Î 351-7 (³×ºñ:°ü¸®³¬½ÃÅÍ)
¢Ï ¿¹¾à¹× Á¶È²Á¤º¸: 010 8492 6200
¡ØÈ¼º °ü¸® ³¬½ÃÅÍ ¹èÄ¡µµ¡Ø

ÀúÈñ °ü¸® ³¬½ÃÅÍ´Â »ç°èÀý °Ç³ÀÌ ºÒ¾îµµ ¹Ù¶÷ ¿µÇâÀ» ¾È¹Þ°í ³¬½Ã¸¦ ÇϽǼö°¡ ÀÖ½À´Ï´Ù.....
¸ÅÁ¡¿· ÁÖÂ÷ÀåÀ» È®º¸ÇÏ¿© ¸¸µé¾ú½À´Ï´Ù

¡Ø ¸ÅÁ¡¾Õ ´ë¿©¿ë »ì¸²¸ÁÀÌ °É·Á ÀÖ½À´Ï´Ù
¡Ø ÇÊ¿äÇϽŠÁ¶»ç´ÔÀº ´©±¸³ª ¾²½Ã°í ¹Ý³³ ÇÏ½Ã¸é µË´Ï´Ù!

³²ÀÚ.¿©ÀÚ ÈÀå½Ç ¼ö¼¼½Ä

1ÀÎ¿ë¹æ°¡·Î 4~14¹ø±îÁö 23¹ø~28¹ø ±îÁö ¿·¹®À» ¿¼ö ÀÖµµ·Ï µÇ¾î ÀÖ½À´Ï´Ù

³¬½ÃÅÍ Àü±¸°£ WI-FI ¼³Ä¡ µÇ¾î ÀÖ½À´Ï´Ù
Àü ±¸°£ ÀÚ¸®¿¡ ÁöÇϼö ¼öµµ¼³Ä¡. Àü±âÄܼ¾Æ®¼³Ä¡. LED¼³Ä¡ µÇ¾î ÀÖ½À´Ï´Ù










































































































** ¾È ³» ¸» ¾¸ **
¡Ú ³¬½Ã´ë Æí¼º : 2.0Ä ÀÌ»ó~3.2 Ä ÀÌÇÏ 2 ´ë
¡Ú ³¬½Ã ÀÇÀÚ¿Í »ì¸²¸ÁÀº °³Àο롰²À¡±ÁöÂüÇϽʽÿÀ .
¡Ú °³Àοë Á´ë´Â~ ¿¹¾à Çʼö , ¿¹¾àÀÌ ¾ÊµÈ Á´ë´Â ¼±Âø¼øÀÔ´Ï´Ù .
¿¹¾àÀ̵Ǿúµç ¼øÂ÷ÀûÀ¸·Î ¿À¼Ìµç °³Àοë Á´ë´Â
°ü¸®½Ç¿¡ ¸ÕÀú µé·Á¼ ÀÚ¸®È®ÀÎ ÇϽðí ÀÔÀåÇϽñ⠹ٶø´Ï´Ù .
¡Ú °³Àοë Á´ë ÀÔ¾î·á´Â ¼±ºÒ ÀÔ´Ï´Ù .
¡Ú 2,3,Àοë Á´ë´Â ¸¹Áö ¾ÊÀ¸¹Ç·Î ¹Ì¸®¹Ì¸® ¿¹¾àÇØ ÁÖ½Ã¸é °¨»ç ÇϰڽÀ´Ï´Ù .
** ÁÖÀÇ»çÇ× **
¡Ú ÀúÈñ °ü¸®³¬½ÃÅÍ´Â Á¤Åë ¿Ã¸² ³¬½ÃÅÍ ÀÔ´Ï´Ù .
¡Ú ¾ó·¹¹ú·¹. ³»¸². ÁßÃþ³¬½Ã. ±ÝÁöÇÕ´Ï´Ù Àû¹ß½Ã ÀÔ¾î·á ȯºÒ¾øÀÌ ÅðÀåÀÌ´Ï ±ÝÇÏ¿© ÁÖ½Ã±æ ¹Ù¶ø´Ï´Ù .
¡Ú ÈÀçÀ§ÇèÀ¸·Î Á´ë¾È ¹æ°¡·Î¾È¿¡¼ ¡°Ãë»ç±ÝÁö ¡± ¡°°³Àοë Àü±â³·Î(È÷ÅÍ) »ç¿ë±ÝÁö¡± "°³ÀÎ¿ë °¡½º³·Î´Â »ç¿ë°¡´É" ÇÕ´Ï´Ù .
(ƯÈ÷ »ï°ã»ì ±¸ÀÌ Àý´ë ¾ÊµË´Ï´Ù ) Á¶»ç´ÔµéÀÇ ÇùÁ¶¿Í ¾çÇØ ºÎʵ右´Ï´Ù .
¡Ú °ü¸®³¬½ÃÅÍ´Â, Àü±â·á Àλ󿡵µ ºÒ±¸ÇÏ°í ¹æ°¡·Î ¿ä±ÝÀ» ÀλóÇÏÁö ¾Ê¾Ò½À´Ï´Ù.
¹æ°¡·Î ÀÌ¿ë °í°´´Ôµé²² ¹«ºÐº°ÇÑ ¿¡¾îÄÁ »ç¿ëÀ» ÀÚÁ¦ ÇØÁֽŴٸé Á¤¸»·Î °¨»çµå¸®°Ú½À´Ï´Ù.
¡Ú ÀúÈñ ³¬½ÃÅÍ¿¡¼ Ä๰À» »ç¿ë±ÝÁöÇÕ´Ï´Ù
ÀÌÁ¡ ²À²À ÁöÄÑ Áֽñ⠹ٶø´Ï´Ù
^&^ ³¬½ÃÅÍ ÀÔ±¸ °ü¸®½Ç¿¡ µé·Á¼ Ä¿ÇÇ ÇÑÀÜÇϽðí Áñ³¬ ÇϽʽÿÀ ^&^
¡ÜÁÖ¼Ò:°æ±âµµ ȼº½Ã Çâ³²À¾ ¹ß¾È·Î 351-7 (³×ºñ:°ü¸®³¬½ÃÅÍ) ¿¹¾à¹×Á¶È²¹®ÀÇ ¢Ï 010 8492 6200
|
|
* °¡²û ±¤°í¸¦ Ŭ¸¯ÇØ ºÁ ÁÖ½Ã¸é ³¬¶û »çÀÌÆ® ¿î¿µ¿¡ µµ¿òÀÌ µË´Ï´Ù ^^
|
|
|