»êµé³¬½ÃÅÍ À¯·á³¬½ÃÅÍ > ¾Æ»ê »êµé³¬½ÃÅÍ 4¿ù28ÀÏ ÆøÆÈÀûÀÎ Á¶È² : ³¬½Ã»ç¶û
ȸ¿ø°¡ÀÔ | ·Î±×ÀΠ| ½ÃÀÛÆäÀÌÁö | Áñ°Üã±â | ¹®ÀÇ/¿äû/½Å°í
³¬½ÃÅͼ±Åà | Àαâ°Ë»ö¾î | ¹Î¹°ÈÄ¿ø³¬½ÃÅÍ | ¹Ù´ÙÈÄ¿øÅÍ
 
¹Î¹°³¬½Ã | Á´ë/À¯·áÅÍ | ¹Ù´Ù³¬½Ã | ·ç¾î³¬½Ã | Ä¿¹Â´ÏƼ | ³¬¶ûŬ·´ | ³¬½Ã½ºÄð | Áß°íÀåÅÍ | ³¬½ÃQ&A | »ç¿ë±â/°­Á | ÃâÁ¶Á¤º¸ | °ø±¸/¿ëǰÁ¤º¸

 ½Ç½Ã°£³¬½ÃÅͼҽÄ(ÈÄ¿øÅÍ)

- º» °Ô½Ã¹°À» ¹«´Ü ´Ù¿î·Îµå, µµ¿ë, Àοë, ¸µÅ© ±ÝÁö. HOME >À¯·áÅÍÁ¤º¸ >½Ç½Ã°£³¬½ÃÅͼҽÄ(ÈÄ¿øÅÍ)

»êµé³¬½ÃÅÍ
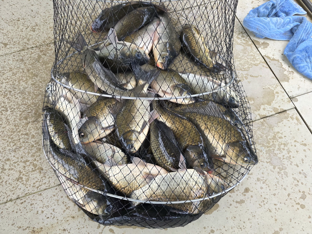
ÀÛ¼ºÀÏ : 2026-04-28 07:13:21 / Àú¼öÁö / Ãæ³² ¾Æ»ê½Ã »êµé³¬½ÃÅÍ   

Á¦¸ñ l »êµé³¬½ÃÅÍ À¯·á³¬½ÃÅÍ > ¾Æ»ê »êµé³¬½ÃÅÍ 4¿ù28ÀÏ ÆøÆÈÀûÀÎ Á¶È² : ³¬½Ã»ç¶û

 

 

 


 

            

 ±×°÷¿¡ °¡°í ½Í´Ù~ ¾Æ»êÀÇ ´ëÇ¥ Èú¸µÅÍ

           

»êµé ³¬½ÃÅÍ

 

 


 ³·¿¡´Â ¹Ù¶÷¾øÀÌ È­Ã¢ÇÑ ³¯¾¾¸¦ º¸¿©ÁÖ´Ù°¡ ¿ÀÈÄ ´Ê°ÔºÎÅÍ °£ÇæÀûÀÎ ºø¹æ¿ï

±×¸®°í ¹ã¿¡ º»°ÝÀûÀÎ ºñ¿Í ¹Ù¶÷

º¯È­¹«½ÖÇÑ º½³¯¾¾ ¼Ó¿¡¼­µµ 2Â÷»ê¶õÀ» ¸ÂÀº ºØ¾îµéÀÌ ¿¬¾ÈÀ¸·Î ¸ô¸®¸é¼­ 

ÆøÆÈÀûÀÎ Á¶È²À» º¸¿©Áá½À´Ï´Ù

«³¬½Ã ÇϽô ºÐµéÀ̳ª ¹ã³¬½ÃÇÏ½ÅºÐµé ¸ðµÎ »ì¸²¸ÁÀ» È®ÀÎÇÒ¼ö ÀÖ¾ú´Âµ¥¿ä

¿À·¡µ¿¾È ÀÚ¸®¸¦ ÁöŲ ºÐµéÀº »ì¸²¸ÁÀ» µéÁö ¸øÇÒ Á¤µµÀÇ ´ë¹ÚÁ¶È²À» ±â·ÏÇϱ⵵ Çß½À´Ï´Ù

ÁÖ¸»¿¬ÈÞ±îÁö ´ë¹ÚÁ¶È²ÀÌ Áö¼ÓµÇ±â¸¦ ¹Ù·¡º¾´Ï´Ù

 

 

KakaoTalk_20260428_065151348_19[edit].jpg

 

 

KakaoTalk_20260428_065151348_09[edit].jpg

 

 

KakaoTalk_20260428_065151348_07[edit].jpg

 

 

KakaoTalk_20260428_065151348_06[edit].jpg

 

 

KakaoTalk_20260428_065151348_23[edit].jpg

 

 

KakaoTalk_20260428_065151348_24[edit].jpg

 

 

KakaoTalk_20260428_065151348_26[edit].jpg

 

 

KakaoTalk_20260428_065151348_29[edit].jpg

 

 

KakaoTalk_20260428_065207357_02[edit].jpg

 

 

KakaoTalk_20260428_065207357_05[edit].jpg

 

 

KakaoTalk_20260428_065207357[edit].jpg

 

 

KakaoTalk_20260428_065207357_12[edit].jpg

 

 

KakaoTalk_20260428_065207357_22[edit].jpg

 

 

KakaoTalk_20260428_065207357_25[edit].jpg

 

 

KakaoTalk_20260428_065207357_27[edit].jpg

 

 

KakaoTalk_20260428_065207357_17[edit].jpg

 

 

KakaoTalk_20260428_065151348_17[edit].jpg

 

 

KakaoTalk_20260428_065151348_18[edit].jpg

 

 

KakaoTalk_20260428_065151348_03[edit].jpg

 

 

KakaoTalk_20260428_065151348_04[edit].jpg

 

 

KakaoTalk_20260427_184751541_01[edit].jpg

 

 

KakaoTalk_20260427_184751541_02[edit].jpg

 

 

KakaoTalk_20260427_184751541_04[edit].jpg

 

 

KakaoTalk_20260427_184751541_03[edit].jpg

 

 

KakaoTalk_20260428_065151348_21[edit].jpg

 

 

 

 




 

 

 

<³¬½ÃÅÍÁ¤º¸>

 

 ¡Ü À§ Ä¡ : Ãæ³² ¾Æ»ê½Ã ¹è¹æ¸é ¼öö¸® 270-1 (³×ºñ°ÔÀ̼Ç:»êµé³¬½ÃÅÍ)
¡Ü Àü È­ : 010-9060-4121 / 041-532 -6980
¡Ü ±³ Åë : ´ëÁß±³Åë
¡Ü ¸é Àû : 2¸¸ 5õ ¿© Æò
¡Ü ¼ö Áú : ÀÚ¿¬°è°î¼ö
¡Ü ¾î Á¾ : ¶±ºØ¾î, ÅäÁ¾ºØ¾î, ÇâºØ¾î, À×¾î,Çâ¾î,¸Þ±â
¡Ü ¼ö ½É : 1
~4m

¡Ü ¹Ì ³¢ : ¶±¹ä,Áö··ÀÌ ,»ý¹Ì³¢

 


¡Ü ¼ö»óÁ´ëÀÌ¿ë¿ä±Ý

 

  ÁßÇüÁ´ë,¿¬·úÁ´ë(2ÀαâÁØ) :ÆòÀÏ 8¸¸¿ø , ÁÖ¸»(±ÝÅä,°øÈÞÀÏÀüÀÏ): 10¸¸¿ø

       ´ëÇüÁ´ë(3ÀαâÁØ) : ÆòÀÏ11¸¸¿ø ,ÁÖ¸»(±ÝÅä,°øÈÞÀÏÀüÀÏ): 13¸¸¿ø
       Æ¯´ëÁ´ë(5ÀαâÁØ) : ÆòÀÏ17¸¸¿ø ,ÁÖ¸»(±ÝÅä,°øÈÞÀÏÀüÀÏ): 20¸¸¿ø
      


      * 1ÀÎ Ãß°¡ ÀÌ¿ë½Ã : 25,000¿ø Ãß°¡

      

¡Ü ³ëÁö ¹× Àܱ³ ÀÌ¿ë¿ä±Ý : 25,000¿ø(¼Õ¸À, ÀâÀÌ ±¸ºÐ ¾øÀ½)

   
 

 


¡Ü ºÎ´ë½Ã¼³ : ¸ÅÁ¡, È­Àå½Ç, ÁÖÂ÷½Ã¼³ 
¡Ü ¿µ¾÷½Ã°£ : 24½Ã°£

 

sandul_co_kr_20160809_163313.jpg

 

 

 







 

 

 

 

 

 

 * °¡²û ±¤°í¸¦ Ŭ¸¯ÇØ ºÁ ÁÖ½Ã¸é ³¬¶û »çÀÌÆ® ¿î¿µ¿¡ µµ¿òÀÌ µË´Ï´Ù ^^
  
ÃÑ 0°³ÀÇ ´ñ±ÛÀÌ ÀÖ½À´Ï´Ù.

    ´ñ±Û¾²±â     [·Î±×ÀÎ] | [ȸ¿ø°¡ÀÔ]
 
 
120¾Æ»ê »êµé³¬½ÃÅÍ 4¿ù28ÀÏ ÆøÆÈÀûÀÎ Á¶È² »êµé³¬½ÃÅÍ26.04.28
119¾Æ»ê »êµé³¬½ÃÅÍ 4¿ù27ÀÏ ÁÖ¸» Á¶È²Á¤º¸ »êµé³¬½ÃÅÍ26.04.27
118¾Æ»ê »êµé³¬½ÃÅÍ 4¿ù25ÀÏ ¹æ·ù ¹× Á¶È²Á¤º¸»êµé³¬½ÃÅÍ26.04.25
117¾Æ»ê »êµé³¬½ÃÅÍ 4¿ù24ÀÏ Á¶È²Á¤º¸»êµé³¬½ÃÅÍ26.04.24
116¾Æ»ê »êµé³¬½ÃÅÍ 4¿ù23ÀÏ È£Á¶È²ÀÌ À̾îÁý´Ï´Ù»êµé³¬½ÃÅÍ26.04.23
115¾Æ»ê »êµé³¬½ÃÅÍ 4¿ù21ÀÏ Á¶È²Á¤º¸»êµé³¬½ÃÅÍ26.04.21
114¾Æ»ê »êµé³¬½ÃÅÍ 4¿ù20ÀÏ ÁÖ¸» Á¶È²Á¤º¸»êµé³¬½ÃÅÍ26.04.20
113¾Æ»ê »êµé³¬½ÃÅÍ 4¿ù18ÀÏ ¹æ·ù ¹× Á¶È²Á¤º¸»êµé³¬½ÃÅÍ26.04.18
112¾Æ»ê »êµé³¬½ÃÅÍ 4¿ù17ÀÏ Á¶È²Á¤º¸»êµé³¬½ÃÅÍ26.04.17
111¾Æ»ê »êµé³¬½ÃÅÍ 4¿ù16ÀÏ Á¶È²Á¤º¸»êµé³¬½ÃÅÍ26.04.16
110¾Æ»ê »êµé³¬½ÃÅÍ 4¿ù15ÀÏ »ê¶õ ÆÄ½Ã»êµé³¬½ÃÅÍ26.04.15
109¾Æ»ê »êµé³¬½ÃÅÍ 4¿ù13ÀÏ ÁÖ¸» Á¶È²Á¤º¸»êµé³¬½ÃÅÍ26.04.13
  1   2   3   4   5   6   7   8   9   10   

³¬½Ã»ç¶û¼Ò°³ | ¿À½Ã´Â±æ | ³¬½Ã»ç¶û¹è³Ê | ÀÌ¿ë¾à°ü | À̸ÞÀϹ«´Ü¼öÁý°ÅºÎ | °³ÀÎÁ¤º¸Ãë±Þ¹æÄ§ | ±Ç¸®Ä§ÇØ½Å°í¼¾ÅÍ
Copyright 1997~2022 (ÁÖ)À¥¶óÀÌÇÁ/³¬½Ã»ç¶û All rights reserved »ç¾÷ÀÚµî·Ï¹øÈ£ 110-81-42683
»ç¾÷Àå : ¼­¿ïƯº°½Ã ¿µµîÆ÷±¸ ¿µµîÆ÷·Î 374, 3Ãþ
[±¤°í/Á¦ÈÞ ¹× Ãßõ»óǰ µî·Ï¹®ÀÇ]     [³¬½ÃÅÍ ¹× ³¬½Ë¹è µî·Ï¹®ÀÇ]     [¹Î¿ø/°ÇÀÇ/½Å°í]     [¸ÞÀϹ®ÀÇ]     [¹®ÀÇ(FAX) 02-2634-2730]