Á×»êÁö±â À¯·á³¬½ÃÅÍ > ¾Æ»êÁ×»êÁö4/29ÀÏ ¾ÈÁ¤µÈ Á¶È²À» º¸ÀÔ´Ï´Ù : ³¬½Ã»ç¶û
ȸ¿ø°¡ÀÔ | ·Î±×ÀΠ| ½ÃÀÛÆäÀÌÁö | Áñ°Üã±â | ¹®ÀÇ/¿äû/½Å°í
³¬½ÃÅͼ±Åà | Àαâ°Ë»ö¾î | ¹Î¹°ÈÄ¿ø³¬½ÃÅÍ | ¹Ù´ÙÈÄ¿øÅÍ
 
¹Î¹°³¬½Ã | Á´ë/À¯·áÅÍ | ¹Ù´Ù³¬½Ã | ·ç¾î³¬½Ã | Ä¿¹Â´ÏƼ | ³¬¶ûŬ·´ | ³¬½Ã½ºÄð | Áß°íÀåÅÍ | ³¬½ÃQ&A | »ç¿ë±â/°­Á | ÃâÁ¶Á¤º¸ | °ø±¸/¿ëǰÁ¤º¸

 ½Ç½Ã°£³¬½ÃÅͼҽÄ(ÈÄ¿øÅÍ)

- º» °Ô½Ã¹°À» ¹«´Ü ´Ù¿î·Îµå, µµ¿ë, Àοë, ¸µÅ© ±ÝÁö. HOME >À¯·áÅÍÁ¤º¸ >½Ç½Ã°£³¬½ÃÅͼҽÄ(ÈÄ¿øÅÍ)

Á×»êÁö±â
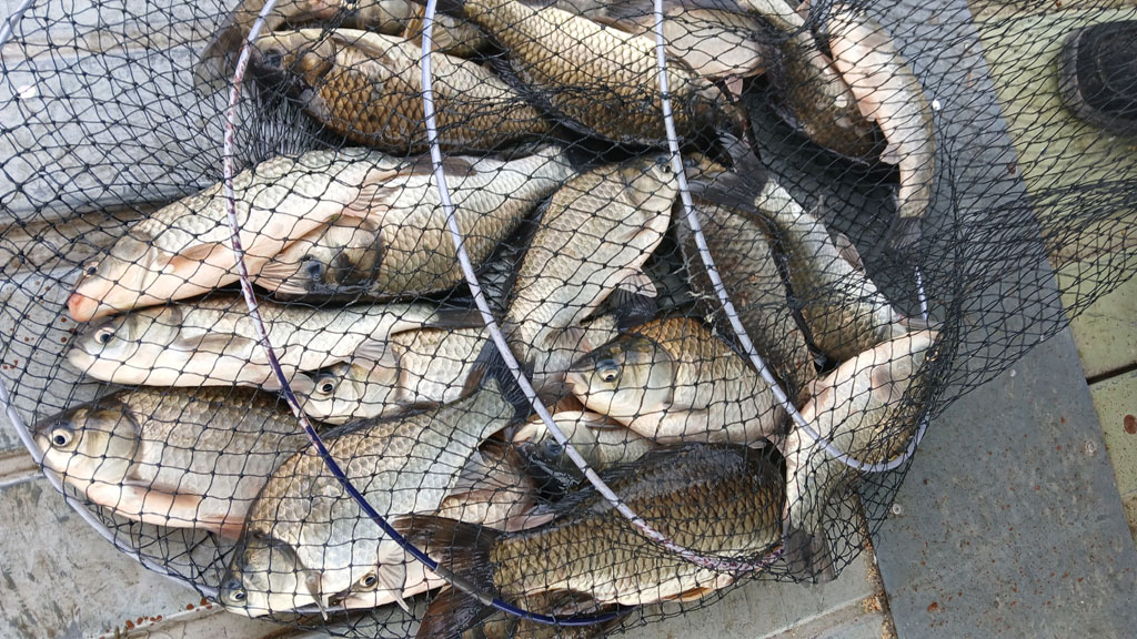
ÀÛ¼ºÀÏ : 2026-04-29 08:09:01 / Àú¼öÁö / Ãæ³² ¾Æ»ê½Ã Á׻곬½ÃÅÍ   

Á¦¸ñ l Á×»êÁö±â À¯·á³¬½ÃÅÍ > ¾Æ»êÁ×»êÁö4/29ÀÏ ¾ÈÁ¤µÈ Á¶È²À» º¸ÀÔ´Ï´Ù : ³¬½Ã»ç¶û

ÀüüÀûÀ¸·Î È£Á¶È²À» º¸À̸鼭 °í¸¥ Á¶È²À» ³ªÅ¸³ª°í

¾¾¾Ëµµ ÁÁÄ¡¸¸ ¸¶¸®¼ö ´ë¹Úµµ ½É½ÉÄ¡ ¾Ê°Ô ÅÍÁö°í ÀÖ°í

³·°ú ¹ã Á¶È²À» ¸ðµÎ º¸À̰í ÀÖÀ¸¸ç

¾ÆÁ÷ ÀÜÀÔÁúÀÌ ¾ø±â ¶§¹®¿¡ ¿¹¹ÎÇÑ Âî¸ÂÃãÀÌ

ÈνŠȿ°úÀû ÀÔ´Ï´Ù

 

1.jpg

 

 

2.jpg

 

 

3.jpg

 

 

4.jpg

 

 

5.jpg

 

 

6.jpg

 

 

7.jpg

 

 

8.jpg

 

 

9.jpg

 

 

10.jpg

 

 

11.jpg

 

 

12.jpg

 

 

13.jpg

 

 

14.jpg

 

 

15.jpg

 

 

16.jpg

 

 

17.jpg

 

 

18.jpg

 

 

19.jpg

 

 

 


 * °¡²û ±¤°í¸¦ Ŭ¸¯ÇØ ºÁ ÁÖ½Ã¸é ³¬¶û »çÀÌÆ® ¿î¿µ¿¡ µµ¿òÀÌ µË´Ï´Ù ^^
  
ÃÑ 0°³ÀÇ ´ñ±ÛÀÌ ÀÖ½À´Ï´Ù.

    ´ñ±Û¾²±â     [·Î±×ÀÎ] | [ȸ¿ø°¡ÀÔ]
 
 
4573¾Æ»êÁ×»êÁö4/29ÀÏ ¾ÈÁ¤µÈ Á¶È²À» º¸ÀÔ´Ï´Ù Á×»êÁö±â26.04.29
4572¾Æ»êÁ×»êÁö4/28ÀÏ ¿ù¿äÀÏ Á¶È² ÀÔ´Ï´Ù Á×»êÁö±â26.04.28
4571¾Æ»êÁ×»êÁö4/27ÀÏ ²ÙÁØÈ÷ ÁÁÀº Á¶È²ÀÌ À̾îÁý´Ï´Ù Á×»êÁö±â26.04.27
4570¾Æ»êÁ×»êÁö4/25ÀÏ È£Á¶È²ÀÌ °è¼Ó µÇ°í ÀÖ´Â ÁÖ¸» ÀÔ´Ï´ÙÁ×»êÁö±â26.04.26
4569¾Æ»êÁ×»êÁö4/25ÀÏ ±Ý¿äÀÏ ´ë¹Ú Á¶È²°ú ¹æ·ùÁ×»êÁö±â26.04.25
4568¾Æ»êÁ×»êÁö4/24ÀÏ ¸ñ¿äÀÏ Á¶È²°ú ÅäÁ¾ºØ¾î ¹æ·ùÁ×»êÁö±â26.04.24
4567¾Æ»êÁ×»êÁö4/23ÀÏ ÁÁÀº Á¶È²ÀÌ °è¼Ó µÇ´Â ÀÖ´Â ¼ö¿äÀÏ Á×»êÁö±â26.04.23
4566¾Æ»êÁ×»êÁö4/22ÀÏ ¹ãÁ¶È²°ú ÅäÁ¾ºØ¾î ¹æ·ùÁ×»êÁö±â26.04.22
4565¾Æ»êÁ×»êÁö4/21ÀÏ ¿ù¿äÀÏ Á¶È² ÀÔ´Ï´ÙÁ×»êÁö±â26.04.21
4564¾Æ»êÁ×»êÁö4/20ÀÏ ÅäÁ¾ºØ¾î ¹æ·ù¿Í ÀÏ¿äÀÏ È£Á¶È²Á×»êÁö±â26.04.20
4563¾Æ»êÁ×»êÁö4/19ÀÏ ÀüÁö¿ª ´ë¹Ú Á¶È²Á×»êÁö±â26.04.19
4562¾Æ»êÁ×»êÁö4/18ÀÏ ±Ý¿äÀÏ È£Á¶È²°ú ¹æ·ùÁ×»êÁö±â26.04.18
  1   2   3   4   5   6   7   8   9   10   

³¬½Ã»ç¶û¼Ò°³ | ¿À½Ã´Â±æ | ³¬½Ã»ç¶û¹è³Ê | ÀÌ¿ë¾à°ü | À̸ÞÀϹ«´Ü¼öÁý°ÅºÎ | °³ÀÎÁ¤º¸Ãë±Þ¹æÄ§ | ±Ç¸®Ä§ÇØ½Å°í¼¾ÅÍ
Copyright 1997~2022 (ÁÖ)À¥¶óÀÌÇÁ/³¬½Ã»ç¶û All rights reserved »ç¾÷ÀÚµî·Ï¹øÈ£ 110-81-42683
»ç¾÷Àå : ¼­¿ïƯº°½Ã ¿µµîÆ÷±¸ ¿µµîÆ÷·Î 374, 3Ãþ
[±¤°í/Á¦ÈÞ ¹× Ãßõ»óǰ µî·Ï¹®ÀÇ]     [³¬½ÃÅÍ ¹× ³¬½Ë¹è µî·Ï¹®ÀÇ]     [¹Î¿ø/°ÇÀÇ/½Å°í]     [¸ÞÀϹ®ÀÇ]     [¹®ÀÇ(FAX) 02-2634-2730]