¾È¼º °Åû³¬½ÃÅÍ À¯·á³¬½ÃÅÍ > 4¿ù 29ÀÏ °Åû³¬½ÃÅÍ ºØ¾îÁ¶È² : ³¬½Ã»ç¶û
ȸ¿ø°¡ÀÔ | ·Î±×ÀΠ| ½ÃÀÛÆäÀÌÁö | Áñ°Üã±â | ¹®ÀÇ/¿äû/½Å°í
³¬½ÃÅͼ±Åà | Àαâ°Ë»ö¾î | ¹Î¹°ÈÄ¿ø³¬½ÃÅÍ | ¹Ù´ÙÈÄ¿øÅÍ
 
¹Î¹°³¬½Ã | Á´ë/À¯·áÅÍ | ¹Ù´Ù³¬½Ã | ·ç¾î³¬½Ã | Ä¿¹Â´ÏƼ | ³¬¶ûŬ·´ | ³¬½Ã½ºÄð | Áß°íÀåÅÍ | ³¬½ÃQ&A | »ç¿ë±â/°­Á | ÃâÁ¶Á¤º¸ | °ø±¸/¿ëǰÁ¤º¸

 ½Ç½Ã°£³¬½ÃÅͼҽÄ(ÈÄ¿øÅÍ)

- º» °Ô½Ã¹°À» ¹«´Ü ´Ù¿î·Îµå, µµ¿ë, Àοë, ¸µÅ© ±ÝÁö. HOME >À¯·áÅÍÁ¤º¸ >½Ç½Ã°£³¬½ÃÅͼҽÄ(ÈÄ¿øÅÍ)

¾È¼º °Åû³¬½ÃÅÍ
ÀÛ¼ºÀÏ : 2026-04-29 10:03:43 / ÀϹÝÅÍ / °Åû   

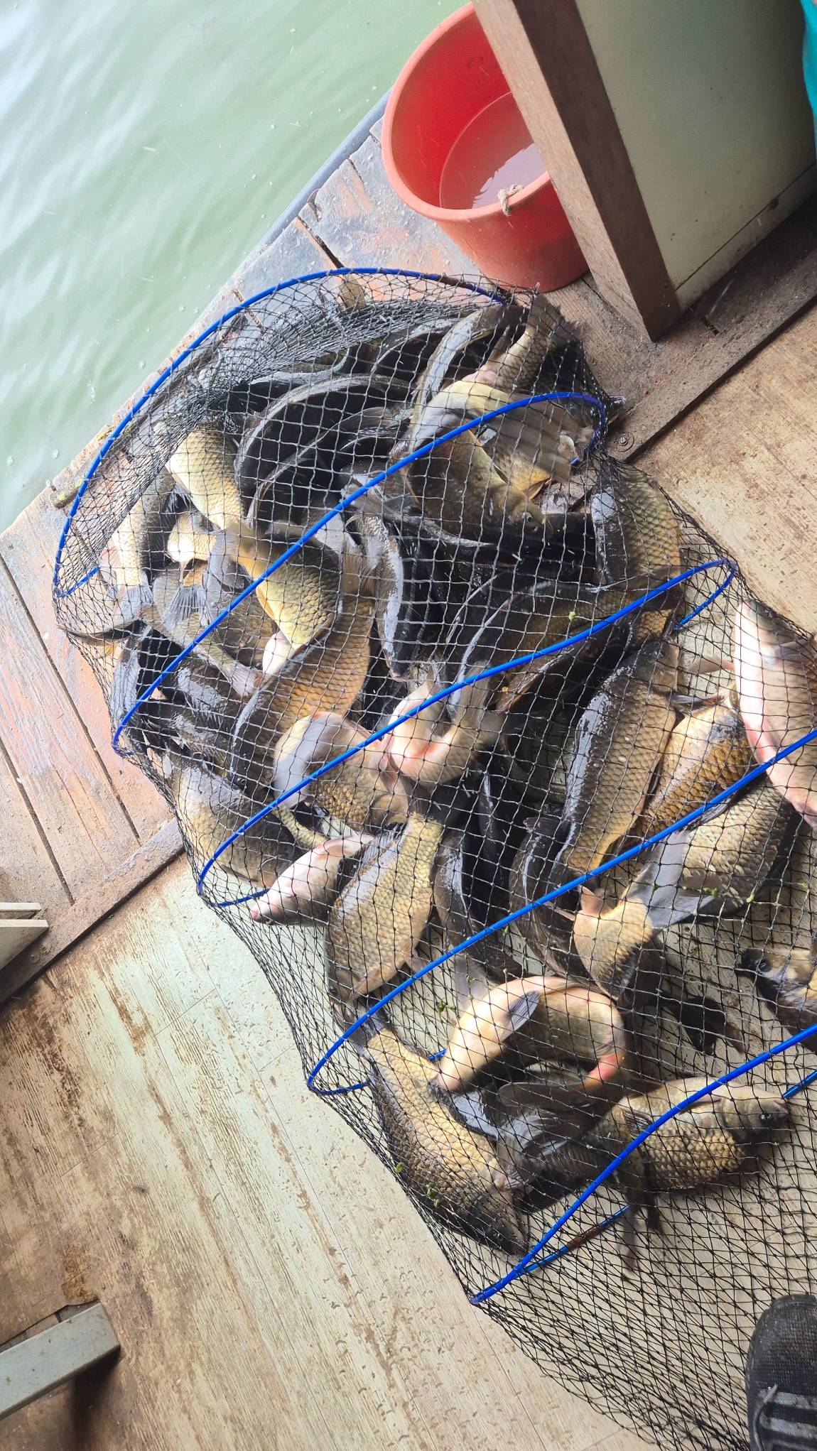
Á¦¸ñ l ¾È¼º °Åû³¬½ÃÅÍ À¯·á³¬½ÃÅÍ > 4¿ù 29ÀÏ °Åû³¬½ÃÅÍ ºØ¾îÁ¶È² : ³¬½Ã»ç¶û

                                                  

 

 


 

 

 ºØ¾îµéÀÇ  »ê¶õ°ú  È帰 ³¯¾¾¼Ó¿¡¼­µµ

 

ÆòÀÏ Á¶È²Àº  À¯³­È÷  ÁÁÀ½À»  ´À³¥¼ö  ÀÖÀ¾´Ï´Ù

 

 

 

 

     www.°Åû³¬½ÃÅÍ.kr 

 

 

 (  ¹æ°¡·Î ½Ç½Ã°£ ¿¹¾à  °¡´ÉÇÕ´Ï´Ù  )

 

= ¸ðµç  ¹æ°¡·Î  Wi- Fi  ¼³Ä¡  ¿Ï·á =

 

= ¿¡¾îÄÁ.³ÃÀå°í.À̺Ò.Àü±â½Ã¼³.¼ö¼¼½ÄÈ­Àå½Ç = 

 

=    ¸ðµç ¹æ°¡·Î ¾Õ  ÁÖÂ÷°¡´É     =

 

 


  °¡Á·.Ä£±¸.¿¬ÀÎµî  Á÷À嵿·á¿Í  ÇÔ²²  

 


Â¥¸´ÇÑ  ¼Õ¸À°ú  Âî¸ÀÀ»  ´À³¢¸é¼­ 

  

 

Áñ°Å¿î  ºØ¾î³¬½Ã¸¦  Áñ±â½Ç¼ö  ÀÖÀ¾´Ï´Ù

 

 

 

 

20260427_161924.jpg

 

 

20260427_162009.jpg

 

 

20260427_162012.jpg

 

 

20260427_162014.jpg

 

 

20260428_065847.jpg

 

 

20260428_065850.jpg

 

 

20260428_065851.jpg

 

 

20260428_065859.jpg

 

 

20260428_065902.jpg

 

 

20260428_075542.jpg

 

 

20260428_075544.jpg

 

 

20260428_075546.jpg

 

 

20260428_075551.jpg

 

 

20260428_084031.jpg

 

 

20260428_084045.jpg

 

 

20260428_084047.jpg

 

 

20260428_084050.jpg

 

 

20260428_084054.jpg

 

 

20260428_084058.jpg

 

 

20260429_082439.jpg

 

 

20260429_082457.jpg

 

 

20260429_082502.jpg

 

 

20260429_083225.jpg

 

 

20260429_083228.jpg

 

 

20260429_083244.jpg

 




                                                 »ó¼¼ÇÑ  Á¶È²°ú ¹®ÀÇ  ¹× ¹æ°¡·Î ¹èÄ¡µµ  

 

°Åû ³×À̹öÄ«Æä : http://cafe.naver.com/geuchunG

 

 

 

 

 

 

 * °¡²û ±¤°í¸¦ Ŭ¸¯ÇØ ºÁ ÁÖ½Ã¸é ³¬¶û »çÀÌÆ® ¿î¿µ¿¡ µµ¿òÀÌ µË´Ï´Ù ^^
  
ÃÑ 0°³ÀÇ ´ñ±ÛÀÌ ÀÖ½À´Ï´Ù.

    ´ñ±Û¾²±â     [·Î±×ÀÎ] | [ȸ¿ø°¡ÀÔ]
 
 
19314¿ù 29ÀÏ °Åû³¬½ÃÅÍ ºØ¾îÁ¶È² ¾È¼º °Åû³¬½ÃÅÍ26.04.29
19304¿ù 27ÀÏ °Åû³¬½ÃÅÍ ºØ¾îÁ¶È² ¾È¼º °Åû³¬½ÃÅÍ26.04.27
19294¿ù 24ÀÏ °Åû³¬½ÃÅÍ ºØ¾îÁ¶È²¾È¼º °Åû³¬½ÃÅÍ26.04.24
19284¿ù 22ÀÏ °Åû³¬½ÃÅÍ ºØ¾îÁ¶È²¾È¼º °Åû³¬½ÃÅÍ26.04.22
19274¿ù 20ÀÏ °Åû³¬½ÃÅÍ ºØ¾îÁ¶È²¾È¼º °Åû³¬½ÃÅÍ26.04.20
19264¿ù 17ÀÏ °Åû³¬½ÃÅÍ ºØ¾îÁ¶È²¾È¼º °Åû³¬½ÃÅÍ26.04.17
19254¿ù 15ÀÏ °Åû³¬½ÃÅÍ Á¶È²¾È¼º °Åû³¬½ÃÅÍ26.04.15
19244¿ù 13ÀÏ °Åû³¬½ÃÅÍ Á¶È²¾È¼º °Åû³¬½ÃÅÍ26.04.13
19234¿ù 10ÀÏ °Åû³¬½ÃÅÍ Á¶È²¾È¼º °Åû³¬½ÃÅÍ26.04.10
19224¿ù 8ÀÏ °Åû³¬½ÃÅÍ Á¶È²¾È¼º °Åû³¬½ÃÅÍ26.04.08
19214¿ù 6ÀÏ °Åû³¬½ÃÅÍ Á¶È²¾È¼º °Åû³¬½ÃÅÍ26.04.06
19204¿ù 3ÀÏ °Åû³¬½ÃÅÍ Á¶È²¾È¼º °Åû³¬½ÃÅÍ26.04.03
  1   2   3   4   5   6   7   8   9   10   

³¬½Ã»ç¶û¼Ò°³ | ¿À½Ã´Â±æ | ³¬½Ã»ç¶û¹è³Ê | ÀÌ¿ë¾à°ü | À̸ÞÀϹ«´Ü¼öÁý°ÅºÎ | °³ÀÎÁ¤º¸Ãë±Þ¹æÄ§ | ±Ç¸®Ä§ÇØ½Å°í¼¾ÅÍ
Copyright 1997~2022 (ÁÖ)À¥¶óÀÌÇÁ/³¬½Ã»ç¶û All rights reserved »ç¾÷ÀÚµî·Ï¹øÈ£ 110-81-42683
»ç¾÷Àå : ¼­¿ïƯº°½Ã ¿µµîÆ÷±¸ ¿µµîÆ÷·Î 374, 3Ãþ
[±¤°í/Á¦ÈÞ ¹× Ãßõ»óǰ µî·Ï¹®ÀÇ]     [³¬½ÃÅÍ ¹× ³¬½Ë¹è µî·Ï¹®ÀÇ]     [¹Î¿ø/°ÇÀÇ/½Å°í]     [¸ÞÀϹ®ÀÇ]     [¹®ÀÇ(FAX) 02-2634-2730]