°ü¸®³¬½ÃÅÍ À¯·á³¬½ÃÅÍ > ÁÖÁß ºØ¾î¹æ·ù¹× Á¶È²Á¤º¸ ¼Ò½Ä ÀüÇÕ´Ï´Ù..... : ³¬½Ã»ç¶û
ȸ¿ø°¡ÀÔ | ·Î±×ÀΠ| ½ÃÀÛÆäÀÌÁö | Áñ°Üã±â | ¹®ÀÇ/¿äû/½Å°í
³¬½ÃÅͼ±Åà | Àαâ°Ë»ö¾î | ¹Î¹°ÈÄ¿ø³¬½ÃÅÍ | ¹Ù´ÙÈÄ¿øÅÍ
 
¹Î¹°³¬½Ã | Á´ë/À¯·áÅÍ | ¹Ù´Ù³¬½Ã | ·ç¾î³¬½Ã | Ä¿¹Â´ÏƼ | ³¬¶ûŬ·´ | ³¬½Ã½ºÄð | Áß°íÀåÅÍ | ³¬½ÃQ&A | »ç¿ë±â/°­Á | ÃâÁ¶Á¤º¸ | °ø±¸/¿ëǰÁ¤º¸

 ½Ç½Ã°£³¬½ÃÅͼҽÄ(ÈÄ¿øÅÍ)

- º» °Ô½Ã¹°À» ¹«´Ü ´Ù¿î·Îµå, µµ¿ë, Àοë, ¸µÅ© ±ÝÁö. HOME >À¯·áÅÍÁ¤º¸ >½Ç½Ã°£³¬½ÃÅͼҽÄ(ÈÄ¿øÅÍ)
°ü¸®³¬½ÃÅÍ
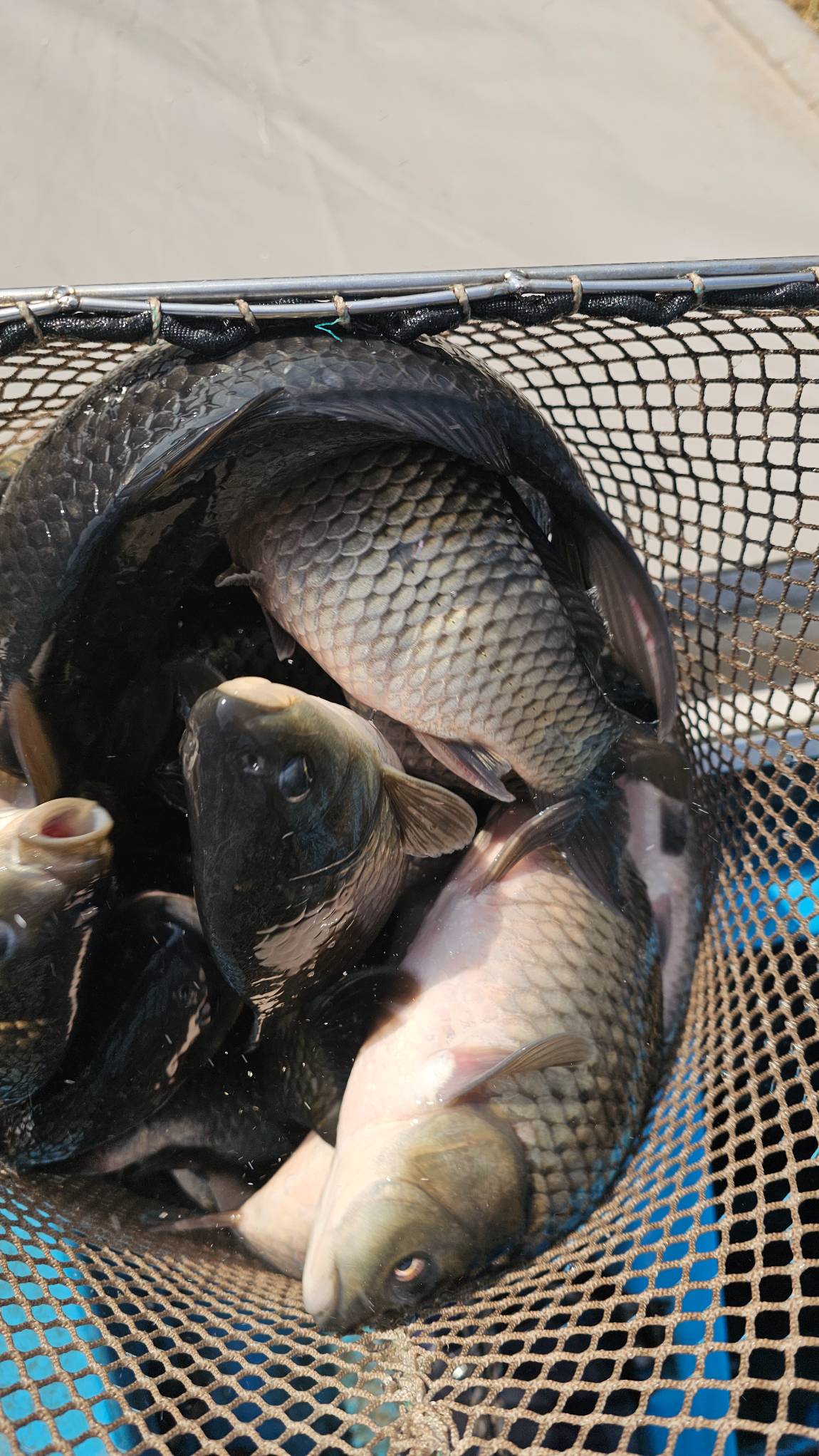
ÀÛ¼ºÀÏ : 2026-04-29 19:29:08 / ÀϹÝÅÍ / °æ±â È­¼º½Ã °ü¸® ³¬½ÃÅÍ   

Á¦¸ñ l °ü¸®³¬½ÃÅÍ À¯·á³¬½ÃÅÍ > ÁÖÁß ºØ¾î¹æ·ù¹× Á¶È²Á¤º¸ ¼Ò½Ä ÀüÇÕ´Ï´Ù..... : ³¬½Ã»ç¶û

 




 


 

 

 

1775559915047.png

 

 
¾È³ç ÇϽʴϱî

È­¼º °ü¸® ³¬½ÃÅÍ ÀÔ´Ï´Ù

 

ÀÌÁ¦ ¼ö¿Âµµ 19~20µµ°¡ µÇ´Ùº¸´Ï Á¶È²µµ ¾ÆÁÖÁÁ°í 

³¬½ÃÀÇ Âü¸ÂÀÎ 5¿ùÀÌ ¼ºÅ­ ´Ù°¡¿À°í ÀÖ½À´Ï´Ù 

±×·¡¼­ ÀÎÁö ¿äÁòÀº Á¶»ç´ÔµéÀÌ ³·¿¡µµ «³¬½Ã¸¦ ¿À¼Å¼­

¼Õ¸ÀÀ» ´À³¢°í °¡½Ã±âµµ ÇÕ´Ï´Ù

ÇöÀç ÁÁÀº Á¶È²À» º¸¿©ÁÖ°í ÀÖÀ¸¸ç ÀÔÁú Âî¿Ã¸²ÀÌ ¾ÆÁÖ ÁÁ½À´Ï´Ù.....

 

¾ðÁ¦³ª  º¯ÇÔ¾øÀÌ ÀúÈñ È­¼º °ü¸® ³¬½ÃÅ͸¦ Ã£¾Æ Áֽô 

Á¶»ç´Ôµé²² ´ë´ÜÈ÷ °¨»çÇÕ´Ï´Ù... 

 

 ¡Ø: Á¶»ç´Ôµé²²¼­ ¾²½Ã´ø »ì¸²¸ÁÀ» »ç¿ë ¾ÈÇϽøé (³¬½ÃÅÍ¿¡¼­) ¸ÅÀÔ ÇϰڽÀ´Ï´Ù.

   

  ¡Ú ³¬½Ã¿ä±Ý ÇÒÀÎ À̺¥Æ® ¡Ú

                     ¿¡¾îÄÁ °¡µ¿Àü ±îÁö~~ 

                                ¿¡¾îÄÁ °¡µ¿Àü ±îÁö~~

 ¡Ü 1Àι氡·Î: 50.000 =¾çÀϰ£(2ÀÏ) ÀÌ¿ëÇÒ½Ã=80.000¿ø

 ¡Ü 2Àι氡·Î: 100.000¿ø=¾çÀϰ£(2ÀÏ) ÀÌ¿ëÇÒ½Ã=160.000¿ø

 

 ¡ÜƯ½Ç2Àι氡·Î:120.000¿ø=¾çÀϰ£(2ÀÏ) ÀÌ¿ëÇÒ½Ã=200.000¿ø(TV.³ÃÀå°í¿Ïºñ)

 

 ¡Ü  ³ë      Áö: 30.000¿ø=¾çÀϰ£(2ÀÏ) ÀÌ¿ëÇÒ½Ã=40.000¿ø

       

                              ¡²¹æ°¡·Î ¿¹¾à¾È³»¹× ȯºÒ¡³

   ¢À ¹æ°¡·Î ¿¹¾à½Ã ¿¹¾à ÇÏ·ç ÀüÃë¼Ò ÇϽøé 50% È¯ºÒÀÌ °¡´É ÇÕ´Ï´Ù.

   ¢À ¹æ°¡·Î ¿¹¾à ´çÀÏ¿¡ Ãë¼Ò ÇϽøé ȯºÒÀÌ ºÒ°¡ ÇÕ´Ï´Ù. 

 

                              ¢ÀÃʺ¸ÀÚ ´ëȯ¿µ¢À

 

                       ¢À ³¬½Ã´ë¸¦ ¹«·á·Î ºô·Á µå¸³´Ï´Ù

                   ¢À ³¬½Ã°¡ óÀ½À̽ŠºÐÀº ¹«·á °­½ÀÀ» ÇØµå¸³´Ï´Ù

                   ¢À ¿¹¾àÀ» ÇÏ½Ã°í ¿À½Ã¸é ¹Ì¸® ¼ÂÆÃÀ» ÇØ³õ½À´Ï´Ù

 

                        ¡ÜÁÖ¼Ò:°æ±âµµ È­¼º½Ã Çâ³²À¾ ¹ß¾È·Î 351-7 (³×ºñ:°ü¸®³¬½ÃÅÍ)

                        ¢Ï ¿¹¾à¹× Á¶È²Á¤º¸: 010 8492 6200

 


                                         ¡ØÈ­¼º °ü¸® ³¬½ÃÅÍ ¹èÄ¡µµ¡Ø


 

1775558710615.png

 

                                                                                                                                                                                                                         

 

IMG_0068.JPG

 

                                            ÀúÈñ °ü¸® ³¬½ÃÅʹ »ç°èÀý °­Ç³ÀÌ ºÒ¾îµµ ¹Ù¶÷ ¿µÇâÀ» ¾È¹Þ°í ³¬½Ã¸¦ ÇϽǼö°¡ ÀÖ½À´Ï´Ù.....

 

                                                                  ¸ÅÁ¡¿·  ÁÖÂ÷ÀåÀ» È®º¸ÇÏ¿© ¸¸µé¾ú½À´Ï´Ù  

 

20260314_131858.jpg

 

                                    ¡Ø ¸ÅÁ¡¾Õ ´ë¿©¿ë »ì¸²¸ÁÀÌ °É·Á ÀÖ½À´Ï´Ù

                            ¡Ø ÇÊ¿äÇϽŠÁ¶»ç´ÔÀº ´©±¸³ª ¾²½Ã°í ¹Ý³³ ÇÏ½Ã¸é µË´Ï´Ù!

                                             
                           

1000008891.jpg

                                                                      ³²ÀÚ.¿©ÀÚ È­Àå½Ç ¼ö¼¼½Ä

 

IMG_0017.JPG

 

                                                   1ÀÎ¿ë¹æ°¡·Î 4~14¹ø±îÁö  23¹ø~28¹ø ±îÁö ¿·¹®À» ¿­¼ö ÀÖµµ·Ï µÇ¾î ÀÖ½À´Ï´Ù

 

IMG_0019.JPG

  

             ³¬½ÃÅÍ Àü±¸°£ WI-FI ¼³Ä¡ µÇ¾î ÀÖ½À´Ï´Ù

1000008892.jpg 

                    Àü ±¸°£ ÀÚ¸®¿¡ ÁöÇϼö ¼öµµ¼³Ä¡. Àü±âÄܼ¾Æ®¼³Ä¡. LED¼³Ä¡ µÇ¾î ÀÖ½À´Ï´Ù

 

20260428_081158.jpg

 

 

20260428_081209.jpg

 

 

20260428_081211.jpg

 

 

20260428_081908.jpg

 

 

20260428_081911.jpg

 

 

20260428_081915.jpg

 

 

20260428_101256.jpg

 

 

20260428_101306.jpg

 

 

20260428_101313.jpg

 

 

20260428_151848.jpg

 

 

20260428_151851.jpg

 

 

20260428_151854.jpg

 

 

20260428_174412.jpg

 

 

20260428_174418.jpg

 

 

20260428_174423.jpg

 

 

20260429_074521.jpg

 

 

20260429_074527.jpg

 

 

20260429_074537.jpg

 

 

20260429_074914.jpg

 

 

20260429_074918.jpg

 

 

20260429_074927.jpg

 

 

20260429_081104.jpg

 

 

20260429_081107(0).jpg

 

 

20260429_081107(1).jpg

 

 

20260429_081107.jpg

 

 

20260429_081121(0).jpg

 

 

20260429_081122.jpg

 

 

20260429_081136(0).jpg

 

 

20260429_081136.jpg

 

 

20260429_081152(0).jpg

 

 

20260429_081152.jpg

 

 

20260429_081153.jpg

 

20260429_104802(0).jpg

 

 

20260429_104804.jpg

 

 

20260429_104810.jpg

 

 

20260429_130013.jpg

 

 

20260429_130031.jpg

 

 

20260429_130039.jpg

 

 

20260429_151004.jpg

 

 

20260429_151009.jpg

 

 

20260429_151012.jpg

 

 

20260429_164124.jpg

 

 

20260429_164127.jpg

 

 

20260429_164133.jpg

 

 

20260428_092744.jpg

 

 

20260428_160300.jpg

 

 

20260428_160856.jpg

 

 

20260428_190711.jpg

 

 

20260429_075519.jpg

 

 

20260429_075522.jpg

 

 

20260429_075551.jpg

 

 

20260429_080932.jpg

 

 

20260429_081853.jpg

 

 

20260429_092026.jpg

 

 

20260429_121500.jpg

 

 

20260429_122229.jpg

 

 

20260429_123321.jpg

 

 

20260429_133230.jpg

 

 

20260429_172553.jpg

 

 

20260429_172600.jpg

 




 

** ¾È ³» ¸» ¾¸ **          

 

¡Ú ³¬½Ã´ë Æí¼º : 2.0Ä­ ÀÌ»ó~3.2 Ä­ ÀÌÇÏ 2 ´ë

¡Ú ³¬½Ã ÀÇÀÚ¿Í »ì¸²¸ÁÀº °³Àο롰²À¡±ÁöÂüÇϽʽÿÀ .

¡Ú °³Àοë Á´ë´Â~ ¿¹¾à Çʼö , ¿¹¾àÀÌ ¾ÊµÈ Á´ë´Â ¼±Âø¼øÀÔ´Ï´Ù .

   ¿¹¾àÀ̵Ǿúµç ¼øÂ÷ÀûÀ¸·Î ¿À¼Ìµç °³Àοë Á´ë´Â

   °ü¸®½Ç¿¡ ¸ÕÀú µé·Á¼­ ÀÚ¸®È®ÀΠÇϽðí ÀÔÀåÇϽñ⠹ٶø´Ï´Ù .

¡Ú °³Àοë Á´ë ÀÔ¾î·á´Â ¼±ºÒ ÀÔ´Ï´Ù .

¡Ú 2,3,Àοë Á´ë´Â ¸¹Áö ¾ÊÀ¸¹Ç·Î ¹Ì¸®¹Ì¸® ¿¹¾àÇØ Áֽø頰¨»ç ÇϰڽÀ´Ï´Ù .

 

                             ** ÁÖÀÇ»çÇ× **

 

¡Ú ÀúÈñ °ü¸®³¬½ÃÅʹ Á¤Å렿ø² ³¬½ÃÅÍ ÀÔ´Ï´Ù .

¡Ú ¾ó·¹¹ú·¹. ³»¸². ÁßÃþ³¬½Ã. ±ÝÁöÇÕ´Ï´Ù  Àû¹ß½Ã ÀÔ¾î·á ȯºÒ¾øÀÌ ÅðÀåÀÌ´Ï ±ÝÇÏ¿© Áֽñ根ٶø´Ï´Ù .

¡Ú È­ÀçÀ§ÇèÀ¸·Î Á´ë¾È ¹æ°¡·Î¾È¿¡¼­ ¡°Ãë»ç±ÝÁö ¡± ¡°°³Àοë Àü±â³­·Î(È÷ÅÍ) »ç¿ë±ÝÁö¡± "°³Àο렰¡½º³­·Î´Â »ç¿ë°¡´É" ÇÕ´Ï´Ù .

   (ƯÈ÷ »ï°ã»ì ±¸ÀÌ Àý´ë ¾ÊµË´Ï´Ù ) Á¶»ç´ÔµéÀÇ ÇùÁ¶¿Í ¾çÇØ ºÎʵ右´Ï´Ù .

¡Ú °ü¸®³¬½ÃÅÍ´Â, Àü±â·á Àλ󿡵µ ºÒ±¸ÇÏ°í ¹æ°¡·Î ¿ä±ÝÀ» ÀλóÇÏÁö ¾Ê¾Ò½À´Ï´Ù. 

   ¹æ°¡·Î ÀÌ¿ë °í°´´Ôµé²²  ¹«ºÐº°ÇÑ ¿¡¾îÄÁ »ç¿ëÀ» ÀÚÁ¦ ÇØÁֽŴٸé Á¤¸»·Î °¨»çµå¸®°Ú½À´Ï´Ù.

¡Ú ÀúÈñ ³¬½ÃÅÍ¿¡¼­ Ä๰À» »ç¿ë±ÝÁöÇÕ´Ï´Ù

   ÀÌÁ¡ ²À²À ÁöÄÑ Áֽñ⠹ٶø´Ï´Ù

 ^&^ ³¬½ÃÅÍ ÀÔ±¸ °ü¸®½Ç¿¡ µé·Á¼­ Ä¿ÇÇ ÇÑÀÜÇϽðí Áñ³¬ ÇϽʽÿÀ ^&^ 

 

  ¡ÜÁÖ¼Ò:°æ±âµµ È­¼º½Ã Çâ³²À¾ ¹ß¾È·Î 351-7 (³×ºñ:°ü¸®³¬½ÃÅÍ)  ¿¹¾à¹×Á¶È²¹®ÀÇ ¢Ï 010 8492 6200

 * °¡²û ±¤°í¸¦ Ŭ¸¯ÇØ ºÁ ÁÖ½Ã¸é ³¬¶û »çÀÌÆ® ¿î¿µ¿¡ µµ¿òÀÌ µË´Ï´Ù ^^
  
ÃÑ 0°³ÀÇ ´ñ±ÛÀÌ ÀÖ½À´Ï´Ù.

    ´ñ±Û¾²±â     [·Î±×ÀÎ] | [ȸ¿ø°¡ÀÔ]
 
 
1859ÁÖÁß ºØ¾î¹æ·ù¹× Á¶È²Á¤º¸ ¼Ò½Ä ÀüÇÕ´Ï´Ù..... °ü¸®³¬½ÃÅÍ26.04.29
1858ÁÖ¸» ºØ¾î¹æ·ù¹× Á¶È²Á¤º¸ ¼Ò½Ä ÀüÇÕ´Ï´Ù..... °ü¸®³¬½ÃÅÍ26.04.27
1857ÁÖÁß ºØ¾î¹æ·ù¹× Á¶È²Á¤º¸ ¼Ò½Ä ÀüÇÕ´Ï´Ù.....°ü¸®³¬½ÃÅÍ26.04.24
1856ÁÖÁß ºØ¾î¹æ·ù¹× Á¶È²Á¤º¸ ¼Ò½Ä ÀüÇÕ´Ï´Ù.....°ü¸®³¬½ÃÅÍ26.04.22
1855ÁÖ¸» ºØ¾î¹æ·ù¹× Á¶È²Á¤º¸ ¼Ò½Ä ÀüÇÕ´Ï´Ù.....°ü¸®³¬½ÃÅÍ26.04.20
1854ÁÖÁß ºØ¾î¹æ·ù¹× Á¶È²Á¤º¸ ¼Ò½Ä ÀüÇÕ´Ï´Ù.....°ü¸®³¬½ÃÅÍ26.04.17
1853ÁÖÁß ºØ¾î¹æ·ù¹× Á¶È²Á¤º¸ ¼Ò½Ä ÀüÇÕ´Ï´Ù.....°ü¸®³¬½ÃÅÍ26.04.15
1852ÁÖ¸» ºØ¾î¹æ·ù¹× Á¶È²Á¤º¸ ¼Ò½Ä ÀüÇÕ´Ï´Ù.....°ü¸®³¬½ÃÅÍ26.04.13
1851ÁÖÁß ºØ¾î¹æ·ù¹× Á¶È²Á¤º¸ ¼Ò½Ä ÀüÇÕ´Ï´Ù.....°ü¸®³¬½ÃÅÍ26.04.10
1850ÁÖÁß ºØ¾î¹æ·ù¹× Á¶È²Á¤º¸ ¼Ò½Ä ÀüÇÕ´Ï´Ù.....°ü¸®³¬½ÃÅÍ26.04.08
1849ÁÖ¸» ºØ¾î¹æ·ù¹× Á¶È²Á¤º¸ ¼Ò½Ä ÀüÇÕ´Ï´Ù.....°ü¸®³¬½ÃÅÍ26.04.06
1848ÁÖÁß ºØ¾î¹æ·ù¹× Á¶È²Á¤º¸ ¼Ò½Ä ÀüÇÕ´Ï´Ù.....°ü¸®³¬½ÃÅÍ26.04.03
  1   2   3   4   5   6   7   8   9   10   

³¬½Ã»ç¶û¼Ò°³ | ¿À½Ã´Â±æ | ³¬½Ã»ç¶û¹è³Ê | ÀÌ¿ë¾à°ü | À̸ÞÀϹ«´Ü¼öÁý°ÅºÎ | °³ÀÎÁ¤º¸Ãë±Þ¹æÄ§ | ±Ç¸®Ä§ÇØ½Å°í¼¾ÅÍ
Copyright 1997~2022 (ÁÖ)À¥¶óÀÌÇÁ/³¬½Ã»ç¶û All rights reserved »ç¾÷ÀÚµî·Ï¹øÈ£ 110-81-42683
»ç¾÷Àå : ¼­¿ïƯº°½Ã ¿µµîÆ÷±¸ ¿µµîÆ÷·Î 374, 3Ãþ
[±¤°í/Á¦ÈÞ ¹× Ãßõ»óǰ µî·Ï¹®ÀÇ]     [³¬½ÃÅÍ ¹× ³¬½Ë¹è µî·Ï¹®ÀÇ]     [¹Î¿ø/°ÇÀÇ/½Å°í]     [¸ÞÀϹ®ÀÇ]     [¹®ÀÇ(FAX) 02-2634-2730]