|
¹Ù´Ù³¬½ÃÅÍÁ¶È²Á¤º¸
|
- º» °Ô½Ã¹°À» ¹«´Ü ´Ù¿î·Îµå, µµ¿ë, Àοë, ¸µÅ© ±ÝÁö.
|
HOME >¹Ù´Ù³¬½Ã >¹Ù´Ù³¬½ÃÅÍÁ¶È²Á¤º¸ |
 |
|
 |
|
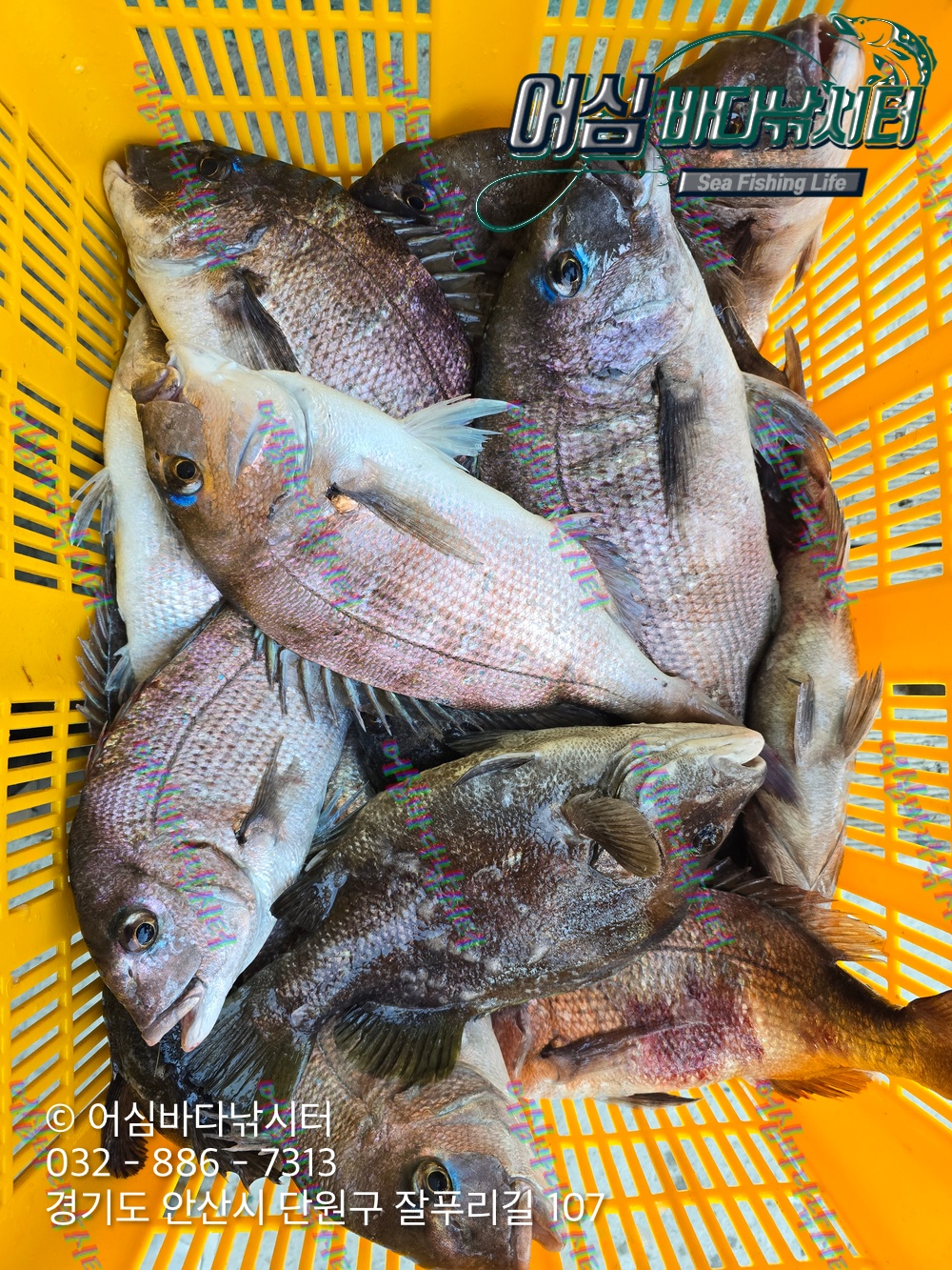
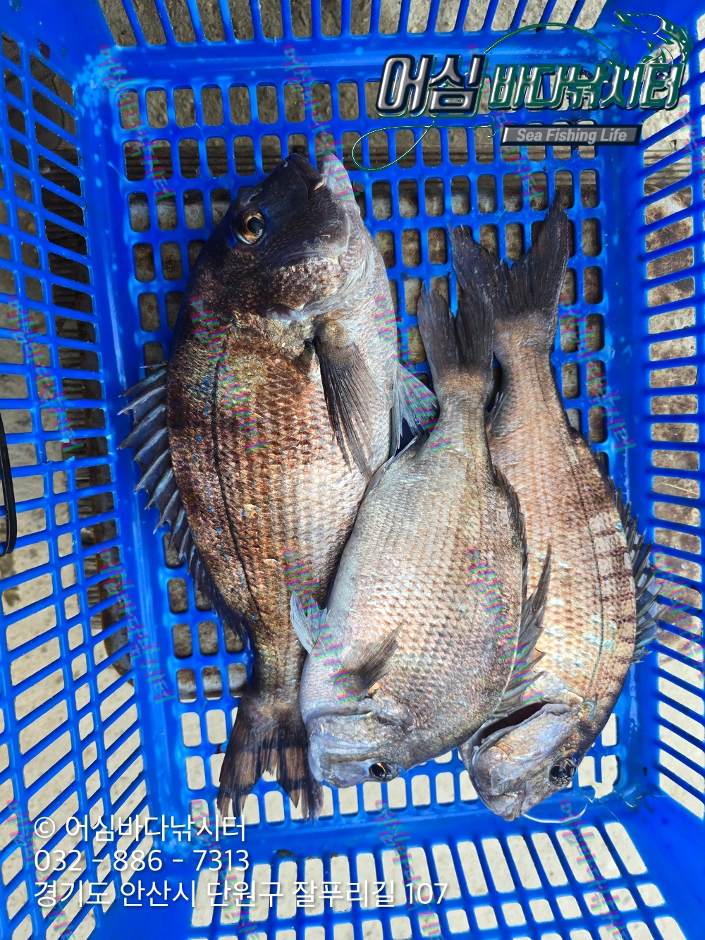
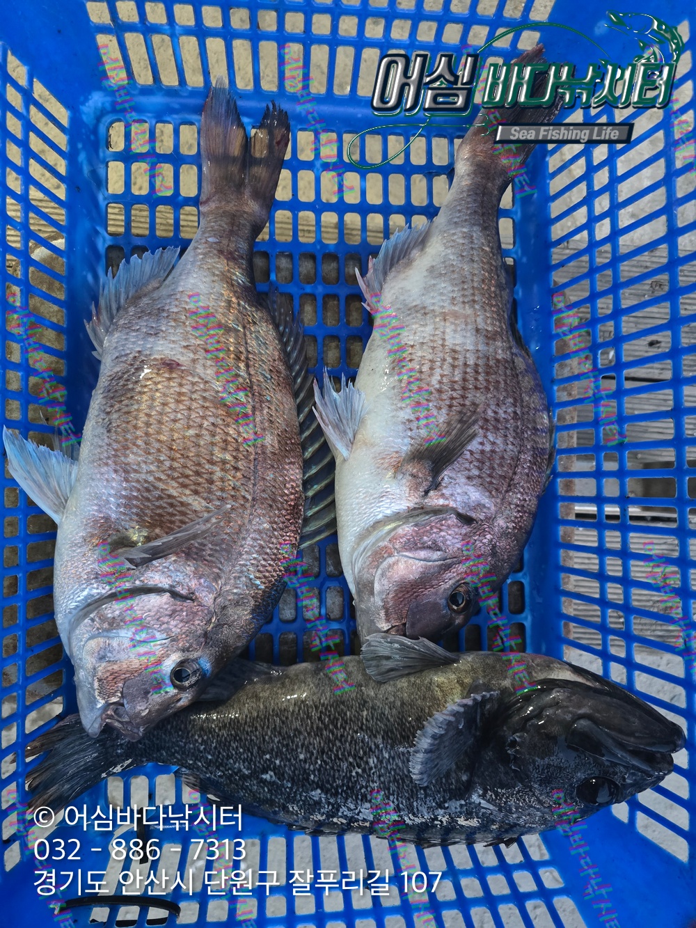
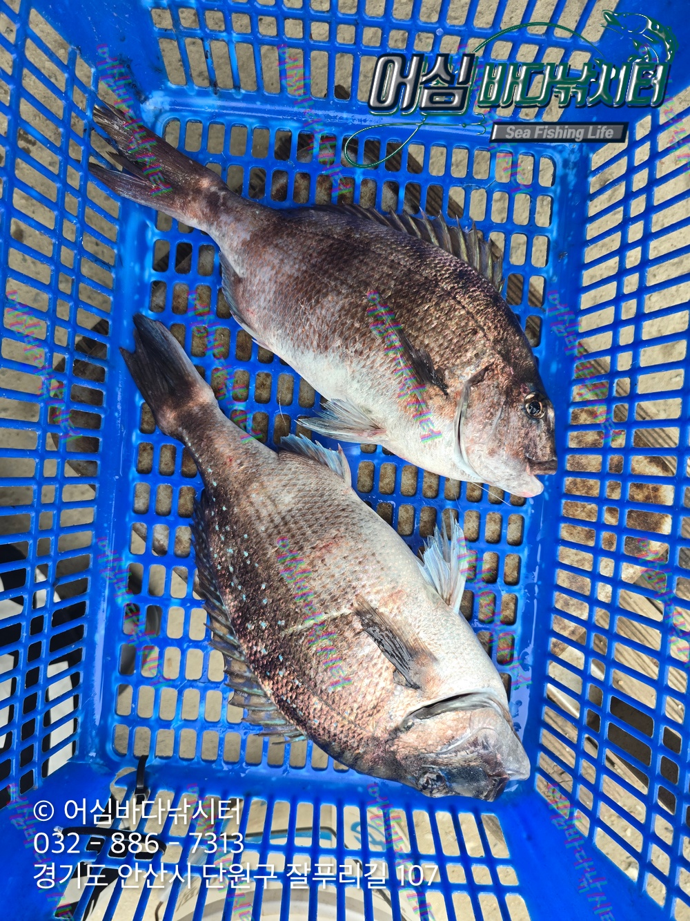
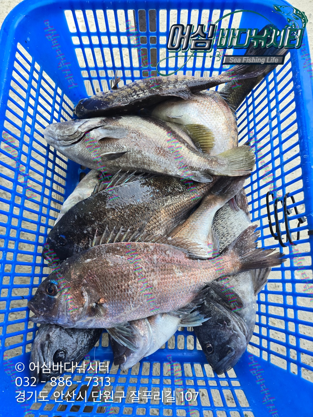
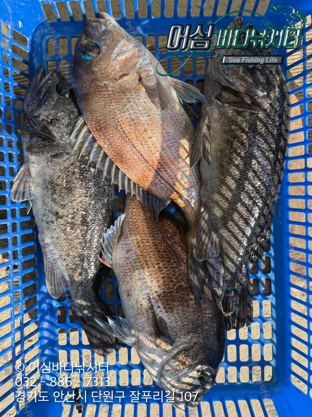
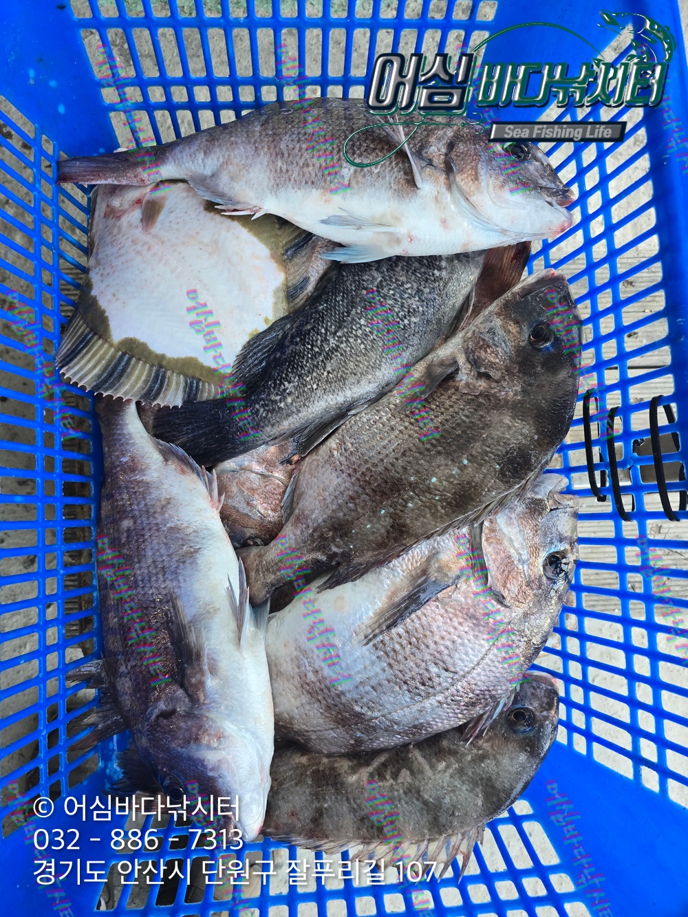
| 2029 | | ¾î½É¹Ù´Ù³¬½ÃÅÍ 4¿ù 27ÀÏ Á¶È²  | | ¾î½É¹Ù´Ù³¬½ÃÅÍ | | 26.04.27 | | 3,384 | | | | 2028 | | ¾î½É¹Ù´Ù³¬½ÃÅÍ 4¿ù 16ÀÏ Á¶È² | | ¾î½É¹Ù´Ù³¬½ÃÅÍ | | 26.04.16 | | 4,519 | | | | 2027 | | ¾î½É¹Ù´Ù³¬½ÃÅÍ 4¿ù 9ÀÏ Á¶È² | | ¾î½É¹Ù´Ù³¬½ÃÅÍ | | 26.04.09 | | 5,003 | | | | 2026 | | ¾î½É¹Ù´Ù³¬½ÃÅÍ ~4¿ù 3ÀÏ Á¶È² | | ¾î½É¹Ù´Ù³¬½ÃÅÍ | | 26.04.03 | | 4,003 | | | | 2025 | | ¾î½É¹Ù´Ù³¬½ÃÅÍ ~3¿ù 30ÀÏ Á¶È² | | ¾î½É¹Ù´Ù³¬½ÃÅÍ | | 26.03.30 | | 5,314 | | | | 2024 | | ¾î½É¹Ù´Ù³¬½ÃÅÍ ~3¿ù 27ÀÏ Á¶È² | | ¾î½É¹Ù´Ù³¬½ÃÅÍ | | 26.03.27 | | 4,359 | | | | 2023 | | ¾î½É¹Ù´Ù³¬½ÃÅÍ ~3¿ù 23ÀÏ (¿ù) Á¶È² | | ¾î½É¹Ù´Ù³¬½ÃÅÍ | | 26.03.23 | | 5,092 | | | | 2022 | | ¾î½É¹Ù´Ù³¬½ÃÅÍ ~3¿ù 20ÀÏ Á¶È² | | ¾î½É¹Ù´Ù³¬½ÃÅÍ | | 26.03.20 | | 4,354 | | | | 2021 | | ¾î½É¹Ù´Ù³¬½ÃÅÍ ~3¿ù 16ÀÏ Á¶È²ÀÔ´Ï´Ù! | | ¾î½É¹Ù´Ù³¬½ÃÅÍ | | 26.03.17 | | 5,568 | | | | 2020 | | ¾î½É¹Ù´Ù³¬½ÃÅÍ 3¿ù 7ÀÏ ¡Ú°³Àå¡Ú Á¶È² | | ¾î½É¹Ù´Ù³¬½ÃÅÍ | | 26.03.07 | | 4,736 | | | | 2019 | | ¾î½É¹Ù´Ù³¬½ÃÅÍ °³ÀåÀü ÀÔÁúÅ×½ºÆ® 3¿ù5ÀÏ | | ¾î½É¹Ù´Ù³¬½ÃÅÍ | | 26.03.06 | | 6,079 | | | | 2018 | | ¾î½É¹Ù´Ù³¬½ÃÅÍ 3¿ù 7ÀÏ °³Àå | | ¾î½É¹Ù´Ù³¬½ÃÅÍ | | 26.03.04 | | 5,710 | | |
|
|

|
|

|
|
|