°øÇöÁø³¬½Ã¸¶Æ® ¹Ù´Ù³¬½ÃÁ¶È² > ¹Ì¸£È£ ¾î±¸°¡ÀÚ¹Ì Á¶È² - 90m±Ç ÁÙŸ±â ÈÄ ¹Ù´Ú °ø·« : ³¬½Ã»ç¶û
ȸ¿ø°¡ÀÔ | ·Î±×ÀΠ| ½ÃÀÛÆäÀÌÁö | Áñ°Üã±â | ¹®ÀÇ/¿äû/½Å°í
³¬½ÃÅͼ±Åà | Àαâ°Ë»ö¾î | ¹Î¹°ÈÄ¿ø³¬½ÃÅÍ | ¹Ù´ÙÈÄ¿øÅÍ
 
¹Î¹°³¬½Ã | Á´ë/À¯·áÅÍ | ¹Ù´Ù³¬½Ã | ·ç¾î³¬½Ã | Ä¿¹Â´ÏƼ | ³¬¶ûŬ·´ | ³¬½Ã½ºÄð | Áß°íÀåÅÍ | ³¬½ÃQ&A | »ç¿ë±â/°­Á | ÃâÁ¶Á¤º¸ | °ø±¸/¿ëǰÁ¤º¸

 ¼±»ó³¬½ÃÁ¶È²Á¤º¸

- º» °Ô½Ã¹°À» ¹«´Ü ´Ù¿î·Îµå, µµ¿ë, Àοë, ¸µÅ© ±ÝÁö. HOME >¹Ù´Ù³¬½Ã >¼±»ó³¬½ÃÁ¶È²Á¤º¸
°øÇöÁø³¬½Ã¸¶Æ®
Á¶È¸ : 6,647 / ¼±»ó³¬½ÃÁ¶È²Á¤º¸   

Á¦¸ñ l °øÇöÁø³¬½Ã¸¶Æ® ¹Ù´Ù³¬½ÃÁ¶È² > ¹Ì¸£È£ ¾î±¸°¡ÀÚ¹Ì Á¶È² - 90m±Ç ÁÙŸ±â ÈÄ ¹Ù´Ú °ø·« : ³¬½Ã»ç¶û

 

[Å©±âº¯È¯]20260212_081252.jpg

 

 

[Å©±âº¯È¯]20260212_135154.jpg

 

 

[Å©±âº¯È¯]20260212_135206.jpg

 

 

[Å©±âº¯È¯]20260212_135244.jpg

 

 

[Å©±âº¯È¯]20260212_135308.jpg

 

 

[Å©±âº¯È¯]20260212_135331.jpg

 

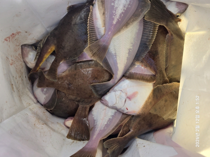
¹Ì¸£È£ ¾î±¸°¡ÀÚ¹Ì Á¶È²


¿À´Ã ¹Ì¸£È£ ¾î±¸°¡ÀÚ¹Ì ÃâÁ¶ ´Ù³à¿Ô½À´Ï´Ù.

¿À´ÃÀº 11ºÐÀÇ Á¶»ç´Ô°ú ÇÔ²² ÃâÇ×Çß½À´Ï´Ù.

¾ÆÄ§¿¡´Â 90m±Ç¿¡¼­ ¾î±ºÀÌ Çü¼ºµÇ¾î 3~4¸¶¸®¾¿ ¿Ã¶ó¿À´Ù°¡ ÇÑÂ÷·Ê ÁÙµµ Ÿ¸ç ÁÁÀº È帧À» º¸¿©ÁÖ¾ú½À´Ï´Ù.

ÇÏÁö¸¸ ¾î±ºÀÌ ±Ý¹æ Èð¾îÁ® ÀÌÈÄ¿¡´Â 60~70m±Ç¿¡¼­ ¾î±º ¾øÀÌ ¹Ù´Ú À§ÁÖ·Î 2~3¸¶¸®¾¿ ²ÙÁØÈ÷ ¿Ã¶ó¿Ô½À´Ï´Ù.

¿À´Ã ¸¹ÀÌ ÀâÀ¸½Å ºÐµéÀº ¾à 10kg Á¤µµ ÀâÀ¸¼Ì°í, ´ëºÎºÐ Á¶»ç´ÔµéÀº 2~4kg Á¤µµÀÇ Á¶°ú¸¦ ¿Ã¸®¼Ì½À´Ï´Ù.

ƯÈ÷ ¸ð¸®°Õ äºñ¸¦ »ç¿ëÇϽŠºÐµéÀº ºñ±³Àû ²ÙÁØÈ÷ ÀâÀ¸¼Ì°í, »ç¿ëÇÏÁö ¾ÊÀ¸½Å ºÐµéÀº ¸¶¸´¼ö Â÷À̰¡ Á¶±Ý ³µ½À´Ï´Ù.

¸ð¸®°ÕÀº 9~10È£ ÁغñÇØ ¿À½Ã¸é ÁÁ½À´Ï´Ù.

¿À´ÃÀº ¦¹°ÀÌ È帣°í ¹Ù¶÷µµ °­ÇØ ³¬½Ã ¿©°ÇÀÌ ´Ù¼Ò ¾Æ½¬¿î ÇÏ·ç¿´½À´Ï´Ù.

°­ÇÑ ¹Ù¶÷ ¼Ó¿¡¼­µµ ³¡±îÁö ÇÔ²²ÇØ ÁֽŠÁ¶»ç´Ôµé ¸ðµÎ ¼ö°í ¸¹À¸¼Ì½À´Ï´Ù.

´ÙÀ½ ÃâÁ¶¿¡´Â ´õ ÁÁÀº Á¶È²À¸·Î ¸ð½Ç ¼ö ÀÖµµ·Ï ³ë·ÂÇϰڽÀ´Ï´Ù.



*** °øÇöÁø ¹Ì¸£È£ ¿¹¾à ¾È³» ***


¿¹¾à¹®ÀÇ : 010-3352-6692

¿À½Ã´Â±æ : °­¿øµµ °í¼º±º Á×¿Õ¸é °øÇöÁøÇغ¯±æ 69-1

ȨÆäÀÌÁö : https://mir.sunsang24.com/



 * °¡²û ±¤°í¸¦ Ŭ¸¯ÇØ ºÁ ÁÖ½Ã¸é ³¬¶û »çÀÌÆ® ¿î¿µ¿¡ µµ¿òÀÌ µË´Ï´Ù ^^
  
1413¿ÀÀü ¾çÈ£, ÀÌÈÄ ÀÔÁú °¨¼Ò – ¹Ì¸£È£ ´ë±¸¶ó¹Ù°øÇöÁø³¬½Ã¸¶Æ®26.02.253,697
141222Àν ¹Ì¸£È£ ´ë±¸¶ó¹Ù Á¶È² – ¾ÆÄ§ Çǵù ÁÁ¾Ò½À´Ï´Ù!°øÇöÁø³¬½Ã¸¶Æ®26.02.244,345
1411¹Ì¸£È£ ¾î±¸°¡ÀÚ¹Ì Á¶È² - ÁÁÀº ³¯¾¾ ¼Ó ²ÙÁØÇÑ ¸¶¸´¼ö°øÇöÁø³¬½Ã¸¶Æ®26.02.214,943
1410¹Ì¸£È£ ´ë±¸¶ó¹Ù – È¥ÀÚ Äð·¯, ¼¼ ºÐ ´ëÀåÄð·¯! ½ÃÀÛºÎÅÍ ºÐÀ§±â ÃÖ°í!°øÇöÁø³¬½Ã¸¶Æ®26.02.195,732
1409¹Ì¸£È£ ¾î±¸°¡ÀÚ¹Ì Á¶È² - 90m±Ç ÁÙŸ±â ÈÄ ¹Ù´Ú °ø·«°øÇöÁø³¬½Ã¸¶Æ®26.02.126,647
1408¹Ì¸£È£ ¾î±¸°¡ÀÚ¹Ì Á¶È² – Á¶·ù ºü¸¥ °¡¿îµ¥ ÃÖ´ë 10kg Á¶°ú°øÇöÁø³¬½Ã¸¶Æ®26.02.117,028
1407¹Ì¸£È£ Á¶È² – ¸¶¸´¼ö´Â ÁÁ¾ÒÁö¸¸ ¾¾¾Ë ¾Æ½¬¿ü´ø ÇÏ·ç, ¹ÝÄð Á¶°ú ±â·Ï°øÇöÁø³¬½Ã¸¶Æ®26.02.096,373
1406¹Ì¸£È£ ¾î±¸°¡ÀÚ¹Ì Á¶È² – ²ÙÁØÇÑ ÀÔÁú, ÁÁÀº ³¯¾¾ ¼Ó ¸¸Á·½º·¯¿î Á¶°ú°øÇöÁø³¬½Ã¸¶Æ®26.02.057,010
1405¹Ì¸£È£ ¾î±¸°¡ÀÚ¹Ì Á¶È² - ±âº» 8~10kg Á¶°ú À̾îÁø ÇÏ·ç°øÇöÁø³¬½Ã¸¶Æ®26.02.036,958
1404¹Ì¸£È£ ¾î±¸°¡ÀÚ¹Ì Á¶È² – ³¯¾¾ ÁÁÀº ÇÏ·ç, 10kg ÀÌ»ó Á¶°ú°øÇöÁø³¬½Ã¸¶Æ®26.01.317,392
1403µ¹ÇÉ3È£ ¾î±¸°¡ÀÚ¹Ì Á¶È² – ¿À´Ãµµ ²ÙÁØ, Äð·¯ Á¶È² ³ª¿Ô½À´Ï´Ù°øÇöÁø³¬½Ã¸¶Æ®26.01.268,081
1402¹Ì¸£È£ ¾î±¸°¡ÀÚ¹Ì Á¶È² – ¿ÀÀü ÁÙŸ´Ù 10½Ã ÀÌÈÄ ÁÖÃã, ÃßÀ§ ¼Ó ÃâÁ¶°øÇöÁø³¬½Ã¸¶Æ®26.01.247,737
  1   2   3   4   5   6   7   8   9   10   

³¬½Ã»ç¶û¼Ò°³ | ¿À½Ã´Â±æ | ³¬½Ã»ç¶û¹è³Ê | ÀÌ¿ë¾à°ü | À̸ÞÀϹ«´Ü¼öÁý°ÅºÎ | °³ÀÎÁ¤º¸Ãë±Þ¹æÄ§ | ±Ç¸®Ä§ÇØ½Å°í¼¾ÅÍ
Copyright 1997~2022 (ÁÖ)À¥¶óÀÌÇÁ/³¬½Ã»ç¶û All rights reserved »ç¾÷ÀÚµî·Ï¹øÈ£ 110-81-42683
»ç¾÷Àå : ¼­¿ïƯº°½Ã ¿µµîÆ÷±¸ ¿µµîÆ÷·Î 374, 3Ãþ
[±¤°í/Á¦ÈÞ ¹× Ãßõ»óǰ µî·Ï¹®ÀÇ]     [³¬½ÃÅÍ ¹× ³¬½Ë¹è µî·Ï¹®ÀÇ]     [¹Î¿ø/°ÇÀÇ/½Å°í]     [¸ÞÀϹ®ÀÇ]     [¹®ÀÇ(FAX) 02-2634-2730]