¾Æ¶ó¹Ù¶÷ > (°¨¼ºµ¼)4Â¥¿À¹ö »§»§ÇÑ ³ðµé ¾îÃÊ¿©¹ç ´ë¹° ÁøÀÔ~°¡°íÆÄÈ£(9ÀÏ ¿¹¾à) : ³¬½Ã»ç¶û
ȸ¿ø°¡ÀÔ | ·Î±×ÀΠ| ½ÃÀÛÆäÀÌÁö | Áñ°Üã±â | ¹®ÀÇ/¿äû/½Å°í
³¬½ÃÅͼ±Åà | Àαâ°Ë»ö¾î | ¹Î¹°ÈÄ¿ø³¬½ÃÅÍ | ¹Ù´ÙÈÄ¿øÅÍ
 
¹Î¹°³¬½Ã | Á´ë/À¯·áÅÍ | ¹Ù´Ù³¬½Ã | ·ç¾î³¬½Ã | Ä¿¹Â´ÏƼ | ³¬¶ûŬ·´ | ³¬½Ã½ºÄð | Áß°íÀåÅÍ | ³¬½ÃQ&A | »ç¿ë±â/°­Á | ÃâÁ¶Á¤º¸ | °ø±¸/¿ëǰÁ¤º¸

 Æ¯ÆÄ¿ø(ÃâÁ¶Á¡)Á¶È²Á¤º¸

- º» °Ô½Ã¹°À» ¹«´Ü ´Ù¿î·Îµå, µµ¿ë, Àοë, ¸µÅ© ±ÝÁö. HOME >¹Ù´Ù³¬½Ã >ƯÆÄ¿ø(ÃâÁ¶Á¡)Á¶È²Á¤º¸

¾Æ¶ó¹Ù¶÷
ÀÛ¼ºÀÏ : 2026-01-07 16:44:45 / Á¶È¸ : 2,731      

Á¦¸ñ l ¾Æ¶ó¹Ù¶÷ > (°¨¼ºµ¼)4Â¥¿À¹ö »§»§ÇÑ ³ðµé ¾îÃÊ¿©¹ç ´ë¹° ÁøÀÔ~°¡°íÆÄÈ£(9ÀÏ ¿¹¾à) : ³¬½Ã»ç¶û

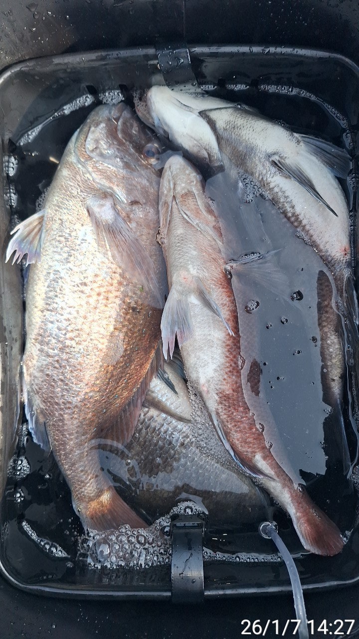
4Â¥ ¿À¹ö µ¢Ä¡±Þµé ÁÙÁÙÀÌ~
7ÀÏ(¼ö) °ÅÁ¦ Çл긶À» Ãâ¹ß, ¾îÃÊ °¨¼ºµ¼³¬½Ã "°¡°íÆÄÈ£" (ö¼ö)ÇÖÁ¶È²ÀÔ´Ï´Ù.
¡Ø 53Cm´ë¹°,¾ÆÁöÄ« ÃÖ»ó±Þ¶óÀÎ ÁõÁ¤/ÁÖÂ÷ÇÏ°í ¼±ÂøÀå±îÁö ¹Ù·Î ¿¬°á.

¡Ù9ÀÏ(±Ý)°ÅÁ¦ ´ë¹° °¨¼ºµ¼,Á¾ÀÏ È긲"¿¹¾à °¡´É"
(°¨¼ºµ¼) 4Â¥ ¿À¹ö ¾îÃÊ¿©¹ç °Ü¿ï½ÃÁð ´ë¹° ¼ÓÃâ~!!!

°ÅÁ¦µµ Çл긶À» Ãâ¹ß, °¨¼ºµ¼ Àü¹® ÃâÁ¶Á¡ °¡°íÆÄÈ£ÀÔ´Ï´Ù.
ÁÁÀº ¹°¶§ ±¸°£ ¾îÃÊ¿©¹ç µ¢Ä¡¸¦ Ű¿î °¨¼ºµ¼µéÀÇ ÀÔÁúÀÌ
ÁÙÁÙÀÌ À̾îÁý´Ï´Ù~ ³à¼®µéÀÇ ¸·°­ÇÑ ÆÄ¿ö¿¡ ²Ú ~²Ú~ ÃĹڴÂ
¿òÁ÷ÀÓÀÌ Àü´ÞµÇ°í Á¶»ç´ÔµéÀÇ ³ë·ÃÇÑ ·£µù ¼Ø¾¾¿¡ ¶ãä¿¡
¾ÈÀüÇÏ°Ô ´ã°å³×¿ä 4Â¥ ¿À¹ö µ¢Ä¡µé·Î ¼Õ¸À Áñ±â°í ¾ç¼Õ ¹«°Ì°Ô
ö¼öÇÕ´Ï´Ù ´ë¹°ÀÇ È®·üÀº Á¡Â÷ ¿Ã¶ó°¡´Â »óȲ 9ÀϺÎÅÍ Âß~
¿¹¾à °¡´ÉÇÏ´Ï ÇÔ²²ÇÏ½Ç ºÐµé ¿¬¶ôÁֽʽÿÀ.

9ÀÏ(±Ý¿äÀÏ)ºÎÅÍ °ÅÁ¦ Ãâ¹ß °¨¼ºµ¼ È긲³¬½Ã ¿¹¾à °¡´ÉÇÕ´Ï´Ù.
¿À´Ãµµ °ÅÁ¦ °¡°íÆÄÈ£¿Í ÇÔ²²ÇØÁֽŠÁ¶»ç´Ôµé ¼ö°í ¸¹À¸¼Ì½À´Ï´Ù.

¢Ã °¡°íÆÄÈ£ ¾îÃÊ¿©¹ç °¨¼ºµ¼³¬½Ã ÀÏÁ¤ ¾È³» ¢Ã
¡Ù1¿ù 9ÀÏ(±Ý¿äÀÏ) °ÅÁ¦ ´ë¹°°¨¼ºµ¼ °ø·«, Á¾ÀÏ È긲³¬½Ã "¿¹¾à°¡´É"
¡Ù1¿ù 10ÀÏ(Åä¿äÀÏ) °ÅÁ¦ ´ë¹°°¨¼ºµ¼ °ø·«, Á¾ÀÏ È긲³¬½Ã "¿¹¾à°¡´É"
¡Ù1¿ù 11ÀÏ(ÀÏ¿äÀÏ) °ÅÁ¦ ´ë¹°°¨¼ºµ¼ °ø·«, Á¾ÀÏ È긲³¬½Ã "¿¹¾à°¡´É"
¡Ù1¿ù 12ÀÏ(¿ù¿äÀÏ) °ÅÁ¦ ´ë¹°°¨¼ºµ¼ °ø·«, Á¾ÀÏ È긲³¬½Ã "¿¹¾à°¡´É"
¡Ù1¿ù 13ÀÏ(È­¿äÀÏ) °ÅÁ¦ ´ë¹°°¨¼ºµ¼ °ø·«, Á¾ÀÏ È긲³¬½Ã "¿¹¾à°¡´É"
¡Ù1¿ù 14ÀÏ(¼ö¿äÀÏ) °ÅÁ¦ ´ë¹°°¨¼ºµ¼ °ø·«, Á¾ÀÏ È긲³¬½Ã "¿¹¾à°¡´É"
¡Ù1¿ù 15ÀÏ(¸ñ¿äÀÏ) °ÅÁ¦ ´ë¹°°¨¼ºµ¼ °ø·«, Á¾ÀÏ È긲³¬½Ã "¿¹¾à°¡´É"
- ÁÖÁß, ÁÖ¸» ¿¹¾à °¡´ÉÇÕ´Ï´Ù.

¢Ì °¡°íÆÄÈ£(¼±»ó) ¢Ï 010 8553 7868
¢Ì °¡°íÆÄÈ£ ¹êµå http://band.us/@gagopaho
¢Ì ÁÖ¼Ò :°ÅÁ¦½Ã µÐ´ö¸é Çлê3±æ 81 (ÏÁÁÖ¼Ò:µÐ´ö¸é Çл긮 109¹øÁö)
¢Ì°¨¼ºµ¼ ¼±»ó È긲 ³¬½Ã ¾È³» ¢Ì
(ÃâÁ¶ ½Ã°£) 05½Ã ~ 14½Ã ö¼ö (À¯µ¿Àû) 11¸¸¿ø
- »ý¼ö,Ä¿ÇÇ,¶ó¸é,ÃÊÀåµî, ³¬½ÃÀåºñ¸¸ °¡Áö°í ¿À¼¼¿ä

¢Ìµ¹¹®¾î ÃâÁ¶ ½Ã°£ ¹× ¼±ºñ ¾È³» ¢Ì
(ÆòÀÏ Á¾ÀÏ) 05:00~14:00 ÀüÈÄ,
- ¹®¾î¶ó¸é Á¦°ø,À½·á, »ý¼ö Á¦°øÇÕ´Ï´Ù.
- °¡Á·ÆÀ/ȸ»çÆÀ/µ¿È£È¸ÆÀÀº µ¶¹è »ó½Ã ¿¹¾à°¡´É.
¡Ø ³¬½ÃÀåºñ(¹«·á) ´ë¿© °¡´É, ±¸¸íº¹ ÇÊ¿äÇϽŠºÐÀº ¿¹¾à ½Ã Àü´Þ ¿äû.

¢Ì °¡°íÆÄÈ£(¼±»ó) ¢Ï 010 8553 7868
¢Ì °¡°íÆÄÈ£ ¹êµå http://band.us/@gagopaho
¢Ì ÁÖ¼Ò :°ÅÁ¦½Ã µÐ´ö¸é Çлê3±æ 81 (ÏÁÁÖ¼Ò:µÐ´ö¸é Çл긮 109¹øÁö)
  • »ç¿ëÀÚ°¡ ¿Ã¸° À̹ÌÁö

 * °¡²û ±¤°í¸¦ Ŭ¸¯ÇØ ºÁ ÁÖ½Ã¸é ³¬¶û »çÀÌÆ® ¿î¿µ¿¡ µµ¿òÀÌ µË´Ï´Ù ^^
     
ÃÑ 0°³ÀÇ ´ñ±ÛÀÌ ÀÖ½À´Ï´Ù.

    ´ñ±Û¾²±â     [·Î±×ÀÎ] | [ȸ¿ø°¡ÀÔ]
 
 
4200(È긲)°¨¼ºµ¼ ¼Ò½Ä~4Â¥4Â¥ ¿Ü 4Â¥±Þµé ¿ì·ç·ç~´ë¾î³¬½Ã(11ÀÏ ¿¹¾à) ¾Æ¶ó¹Ù¶÷26.01.09158
4199(°¨¼ºµ¼)5Â¥4Â¥4Â¥4Â¥4Â¥~¾îÃÊ¿©¹ç ÅÊÅ©µé~¾ßÈ£(11ÀÏ ¿¹¾à) ¾Æ¶ó¹Ù¶÷26.01.09180
4198(°¨¼ºµ¼)¸¶¸´¼ö ÇàÁø~4Â¥3Â¥ »§»§ÇÑ µÅÁöµé~´ë¾çÈ£(12ÀÏ ¿¹¾à) ¾Æ¶ó¹Ù¶÷26.01.09198
4197(¹®¾î)´ë¹Ú Á¶È²~2K KKKKKK~¿øµµ±ÇÀÌ Á¤´ä~°í°íÇǽÌÈ£(12ÀÏ ¿¹¾à) ¾Æ¶ó¹Ù¶÷26.01.09207
4196(°¨¼ºµ¼)¾îÃÊ¿©¹ç ´ë¹° °ø·« 4Â¥4Â¥ ´çÂù ¼Õ¸À~Á¨Æ²È£(12ÀÏ ¿¹¾à) ¾Æ¶ó¹Ù¶÷26.01.09270
4195(°¨¼ºµ¼)½Ç½Ã°£ 4Â¥~3Â¥ ´ã°í ÆÛ ´ã°í ŸÀÛ ñé´ë¾çÈ£(12ÀÏ ¿¹¾à) ¾Æ¶ó¹Ù¶÷26.01.09487
4194(½Ç½Ã°£)°¨¼ºµ¼ ±¸µ¢ÀÌ~4Â¥ÀüÈÄ µû¹Ú µû¹Ú~´ë¾î³¬½Ã(10ÀÏ ¿¹¾à) ¾Æ¶ó¹Ù¶÷26.01.09368
4193(°¨¼ºµ¼)½Ç½Ã°£ ¹Ù´Ã »Ñ»çÁö°í 4Â¥ ÀüÈÄ Æø°Ý ñé~¾ßÈ£(10ÀÏ ¿¹¾à) ¾Æ¶ó¹Ù¶÷26.01.09351
4192(¼±¿Ü±â)5Â¥5Â¥ ´ë¹° °¨¼ºµ¼ ¿Ü 4Â¥ ¸¶¸´¼ö ÆøÆÈ~(9ÀÏ ¿¹¾à) ¾Æ¶ó¹Ù¶÷26.01.081,374
4191(´ë¹° ¸ÀÁý)K¿À¹ö èݹ®¾î ¼ÓÃâ~»Ì°í ¶Ç »Ì°í~°í°íÇǽÌÈ£(9ÀÏ ¿¹¾à) ¾Æ¶ó¹Ù¶÷26.01.081,610
4190(°¨¼ºµ¼)4Â¥4Â¥4Â¥4Â¥ ¿Ü 4Â¥±Þµé ¾îÃÊ¿©¹ç ¼Ò½Ä~´ë¾î³¬½Ã(9ÀÏ ¿¹¾à) ¾Æ¶ó¹Ù¶÷26.01.081,584
4189(°¨¼ºµ¼)¸¶¸´¼ö °ÆÁ¤ NO~ÁßÄ¡±Þµé ÁÖ··ÁÖ··~´ë¾çÈ£(9ÀÏ ¿¹¾à) ¾Æ¶ó¹Ù¶÷26.01.081,368
  1   2   3   4   5   6   7   8   9   10   

³¬½Ã»ç¶û¼Ò°³ | ¿À½Ã´Â±æ | ³¬½Ã»ç¶û¹è³Ê | ÀÌ¿ë¾à°ü | À̸ÞÀϹ«´Ü¼öÁý°ÅºÎ | °³ÀÎÁ¤º¸Ãë±Þ¹æÄ§ | ±Ç¸®Ä§ÇØ½Å°í¼¾ÅÍ
Copyright 1997~2022 (ÁÖ)À¥¶óÀÌÇÁ/³¬½Ã»ç¶û All rights reserved »ç¾÷ÀÚµî·Ï¹øÈ£ 110-81-42683
»ç¾÷Àå : ¼­¿ïƯº°½Ã ¿µµîÆ÷±¸ ¿µµîÆ÷·Î 374, 3Ãþ
[±¤°í/Á¦ÈÞ ¹× Ãßõ»óǰ µî·Ï¹®ÀÇ]     [³¬½ÃÅÍ ¹× ³¬½Ë¹è µî·Ï¹®ÀÇ]     [¹Î¿ø/°ÇÀÇ/½Å°í]     [¸ÞÀϹ®ÀÇ]     [¹®ÀÇ(FAX) 02-2634-2730]