¾Æ¶ó¹Ù¶÷ > (°¨¼ºµ¼)½Ç½Ã°£ 1¹æ ÆÃ ±îºñ~4Â¥±Þ ¿Ü ÁßÄ¡±Þ HIT ñé~Á¨Æ²È£(6ÀÏ ¿¹¾à) : ³¬½Ã»ç¶û
ȸ¿ø°¡ÀÔ | ·Î±×ÀΠ| ½ÃÀÛÆäÀÌÁö | Áñ°Üã±â | ¹®ÀÇ/¿äû/½Å°í
³¬½ÃÅͼ±Åà | Àαâ°Ë»ö¾î | ¹Î¹°ÈÄ¿ø³¬½ÃÅÍ | ¹Ù´ÙÈÄ¿øÅÍ
 
¹Î¹°³¬½Ã | Á´ë/À¯·áÅÍ | ¹Ù´Ù³¬½Ã | ·ç¾î³¬½Ã | Ä¿¹Â´ÏƼ | ³¬¶ûŬ·´ | ³¬½Ã½ºÄð | Áß°íÀåÅÍ | ³¬½ÃQ&A | »ç¿ë±â/°­Á | ÃâÁ¶Á¤º¸ | °ø±¸/¿ëǰÁ¤º¸

 Æ¯ÆÄ¿ø(ÃâÁ¶Á¡)Á¶È²Á¤º¸

- º» °Ô½Ã¹°À» ¹«´Ü ´Ù¿î·Îµå, µµ¿ë, Àοë, ¸µÅ© ±ÝÁö. HOME >¹Ù´Ù³¬½Ã >ƯÆÄ¿ø(ÃâÁ¶Á¡)Á¶È²Á¤º¸

¾Æ¶ó¹Ù¶÷
ÀÛ¼ºÀÏ : 2026-03-05 09:35:59 / Á¶È¸ : 1,312      

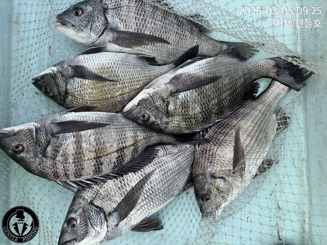
Á¦¸ñ l ¾Æ¶ó¹Ù¶÷ > (°¨¼ºµ¼)½Ç½Ã°£ 1¹æ ÆÃ ±îºñ~4Â¥±Þ ¿Ü ÁßÄ¡±Þ HIT ñé~Á¨Æ²È£(6ÀÏ ¿¹¾à) : ³¬½Ã»ç¶û

"¼ø±Ý °ñµå¹Ù À̺¥Æ® 2Â÷ ÁøÇà ñé"
5ÀÏ(¸ñ) 9¹°, °ÅÁ¦µµ ¾îÃÊ ¿©¹ç °¨¼ºµ¼ È긲³¬½Ã "Á¨Æ²È£" (½Ç½Ã°£) ÇÖÁ¶È²ÀÔ´Ï´Ù.
¡Ø(´ë¹°½Ã»ó) °¨¼ºµ¼ 53CmÀÌ»ó Âüµ¼ üÆ÷½Ã(1ÀÏ 1Ù£) ¾ÆÁöÄ« ÃÖ»ó±Þ¶óÀÎ ÁõÁ¤.

(°¨¼ºµ¼) ½Ç½Ã°£ 1¹æ ÅÍÁö°í 4Â¥±Þ ¿Ü ÁßÄ¡±Þµé~
½ÃÁð 1 ¿Ï·á ¼ø±Ý À̺¥Æ® ½ÃÁð 2 ÁøÇà ñé~!!!
6ÀÏ(±Ý) 10¹°, (07¸í ÀÚ¸®)°ÅÁ¦µµ ¾îÃÊ ¿©¹ç °¨¼ºµ¼ È긲³¬½Ã "¿¹¾à °¡´É"
°ÅÁ¦µµ ¸±Â½Ã Àü¹® ÃâÁ¶Á¡ Á¨Æ²È£ ÇѼ±ÀåÀÔ´Ï´Ù.
¾îÃÊ¿©¹ç ½Ç½Ã°£ ¼Ò½ÄÀÔ´Ï´Ù~ ¾¾¾Ë ÁÁÀº ³à¼®Àº ¾Æ½±°Ô ÆÃ ÅÍÆ®¸®°í
4Â¥±Þ ¿Ü ÁßÄ¡±Þµé·Î Â÷°î Â÷°î ¸¶¸´¼ö¸¦ ½×¾Æ°¡°í ÀÖ½À´Ï´Ù.
»õ·Î¿î °¨¼ºµ¼ ¹«¸®°¡ Æ÷ÀÎÆ®·Î ÁøÀÔÇÑ µí ¾ÆÁ÷ ¾¾¾Ë¿¡ ¾Æ½¬¿òÀÌ
³²Áö¸¸ ¹°¶§¿¡ ¸ÂÃç ´ë¹° Æ÷ÀÎÆ®·Î À̵¿ ÈÄ 5Â¥ Çѹø Á¦´ë·Î ³ë·Áº¸°Ú½À´Ï´Ù.
³»ÀϺÎÅÍ ÁÁÀº ¹°¶§ ±¸°£ÀÌ À̾îÁö´Ï ½Â·ü ³ôÀº Æ÷ÀÎÆ®·Î ´Þ·Á°©´Ï´Ù.
ÇÔ²²ÇÏ½Ç ºÐµé ¿¬¶ôÁֽʽÿÀ~

6ÀÏ(±Ý¿äÀÏ) °ÅÁ¦µµ ¾îÃÊ/¿©¹ç °¨¼ºµ¼ È긲³¬½Ã ¿¹¾à°¡´ÉÇÕ´Ï´Ù.
Âß~ °¨¼ºµ¼µéÀÌ È°µ¿Çϱâ ÀûÇÕÇÑ È²±Ý ¹°¶§°¡ À̾îÁö±â¿¡ ¼Õ¸À Áñ±â·¯
¿À¼Åµµ ÁÁÀ» µí ÇÕ´Ï´Ù~

¢Ã Á¨Æ²È£ °¨¼ºµ¼ È긲³¬½Ã ¿¹¾à ÀÏÁ¤ ¢Ã
6ÀÏ(±Ý) 10¹°, (07¸í ÀÚ¸®)°ÅÁ¦µµ ¾îÃÊ ¿©¹ç °¨¼ºµ¼ È긲³¬½Ã "¿¹¾à °¡´É"
7ÀÏ(Åä) 11¹°, (01¸í ÀÚ¸®)°ÅÁ¦µµ ¾îÃÊ ¿©¹ç °¨¼ºµ¼ È긲³¬½Ã "¿¹¾à °¡´É"
8ÀÏ(ÀÏ) 12¹°, (01¸í ÀÚ¸®)°ÅÁ¦µµ ¾îÃÊ ¿©¹ç °¨¼ºµ¼ È긲³¬½Ã "¿¹¾à °¡´É"

¢Ã Á¨Æ²È£ ¿¹¾à¹®ÀÇ ¢Ï 010-8949-4045
(ã¾Æ ¿À½Ã´Â ±æ) °ÅÁ¦½Ã °ÅÁ¦¸é ¼­Á¤¸® 773-14
¢ÃÁ¨Æ²È£ ¹êµå : https://band.us/@gentlefishing
(1Â÷ ¼ø±Ý À̺¥Æ® ¿ì½ÂÇϽŠÁ¶»ç´Ô ÃàÇϵ帳´Ï´Ù~)
-2Â÷ ¼ø±Ý À̺¥Æ®°¡ 15ÀϺÎÅÍ ¹Ù·Î ½ÃÀÛµÇ´Ï µµÀüÇØº¸½Ê½Ã¿À!!!
°¨¼ºµ¼ ¼ø±Ý °ñµå¹Ù ÁõÁ¤ À̺¥Æ®
¢Ã °¨¼ºµ¼³¬½Ã & Âüµ¼ ¾îÃÊ È긲³¬½Ã ¢Ã
(°¨¼ºµ¼) »õº®~14½Ã ÀüÈÄ(À¯µ¿Àû) Á¾ÀÏ 11¸¸¿ø/µ¶¹è 75¸¸¿ø
( Âüµ¼ ) »õº®~14½Ã ÀüÈÄ(À¯µ¿Àû) Á¾ÀÏ 13¸¸¿ø/µ¶¹è 75¸¸¿ø
- ¹Ø¹ä, ¹Ì³¢, µµ½Ã¶ô, »ý¼ö, À½·á Ä¿ÇÇ Á¦°ø

¢Ã Á¨Æ²È£ °øÁö»çÇ× ¹× ÁÖÀÇ »çÇ×
- ¿¹¾à ¹®ÀÇ´Â Àú³á 9½Ã±îÁö ¿¬¶ô ¹Ù¶ø´Ï´Ù
- ¼±»ó¿¡¼­ À½ÁÖ ¹× ÁÖ·ù ¹ÝÀÔÀº ±ÝÁöÀÔ´Ï´Ù
- ½ÅºÐÁõ ²À ÁöÂü ¹× ±¸¸íÁ¶³¢ Âø¿ë ÇʼöÀÔ´Ï´Ù.

Á¨Æ²È£ ¿¹¾à¹®ÀÇ ¢Ï 010-8949-4045
(ã¾Æ ¿À½Ã´Â ±æ) °ÅÁ¦½Ã °ÅÁ¦¸é ¼­Á¤¸® 773-14
¢Ã Á¨Æ²È£ ¹êµå : https://band.us/@gentlefishing
ÀԱݰèÁ (¼öÇù) 0010-8949-4045 ÇѼºÀç
  • »ç¿ëÀÚ°¡ ¿Ã¸° À̹ÌÁö

 * °¡²û ±¤°í¸¦ Ŭ¸¯ÇØ ºÁ ÁÖ½Ã¸é ³¬¶û »çÀÌÆ® ¿î¿µ¿¡ µµ¿òÀÌ µË´Ï´Ù ^^
     
ÃÑ 0°³ÀÇ ´ñ±ÛÀÌ ÀÖ½À´Ï´Ù.

    ´ñ±Û¾²±â     [·Î±×ÀÎ] | [ȸ¿ø°¡ÀÔ]
 
 
4620(¿øµµ±Ç)ÓÞ¹®¾î ¼Õ¸À~ÁßÄ¡±Þµé·Î µû¹Úµû¹Ú~°­¹ÎÈ£(7ÀÏ ¿¹¾à) ¾Æ¶ó¹Ù¶÷26.03.05857
4619(°¨¼ºµ¼)53.5Cm ¿Ü 4Â¥ ÃÊÁß¹Ý ¾¾¾Ë ¸¶¸´¼ö GOOD~´ë¾î¼±¿Ü±â(6ÀÏ ¿¹¾à) ¾Æ¶ó¹Ù¶÷26.03.05974
4618(°¨¼ºµ¼)õÇÏÀå»ç~5Â¥4Â¥4Â¥4Â¥4Â¥4Â¥±Þµé ÁÙÁÙÀÌ~¾ßÈ£(6ÀÏ ¿¹¾à) ¾Æ¶ó¹Ù¶÷26.03.051,001
4617(°¨¼ºµ¼)5Â¥5Â¥ èâ 4Â¥ ÁßÈÄ¹Ý ´ë¹° ½ÃÁð OPEN~´ë¾î³¬½Ã(6ÀÏ ¿¹¾à) ¾Æ¶ó¹Ù¶÷26.03.05984
4616(¹®¾î)º¹¼öÀü Ã⵿~1.5K ¿Ü ÁßÄ¡±Þµé Àü¿ø HIT~°í°íÇǽÌÈ£(7ÀÏ ¿¹¾à) ¾Æ¶ó¹Ù¶÷26.03.05994
4615(°¨¼ºµ¼)4Â¥4Â¥4Â¥ 3Â¥µé Å뿵 ´ë¹Ú ¾îÃÊ ÇÖÁ¶È²~´ë¾çÈ£(6ÀÏ ¿¹¾à) ¾Æ¶ó¹Ù¶÷26.03.051,006
4614(°¨¼ºµ¼)Ý«í­ Á¶»ç´Ô ½ÖµÕÀÌ 52Cm ´õºí HIT¿ª´ë±Þ~3´ëÈ£(7ÀÏ ¿¹¾à) ¾Æ¶ó¹Ù¶÷26.03.05131
4613(°¨¼ºµ¼)¾¾¾Ë±Þµé ÁøÀÔ 3¹æ Ãѽî°í 4Â¥ 3Â¥µé~½Å¼ºÈ£(6ÀÏ ¿¹¾à) ¾Æ¶ó¹Ù¶÷26.03.0563
4612(È긲)°¨¼ºµ¼ Àü¹® Á¨Æ²È£ 1¹æ ÆÃ 4Â¥±Þ ¿Ü ¸¶¸´¼ö~(6ÀÏ ¿¹¾à) ¾Æ¶ó¹Ù¶÷26.03.05105
4611(°¨¼ºµ¼)½Ç½Ã°£ È®½ÅÀÇ ´ë¹°ÅÍ~4Â¥3Â¥ ¼Õ¸À ñé~´ë¾î³¬½Ã(6ÀÏ ¿¹¾à) ¾Æ¶ó¹Ù¶÷26.03.051,179
4610(°¨¼ºµ¼)½Ç½Ã°£ ´ë¹° üÆ÷ 5Â¥ 4Â¥ ¾îÃÊ¿©¹ç Á¶È²~¾ßÈ£(6ÀÏ ¿¹¾à) ¾Æ¶ó¹Ù¶÷26.03.051,253
4609(¹®¾î)¿øµµ±Ç ½Ç½Ã°£ Çǵù~´õºíÈýÆ®±îÁö ¿ì´çÅÁÅÁ~°í°íÇǽÌÈ£(6ÀÏ ¿¹¾à) ¾Æ¶ó¹Ù¶÷26.03.051,309
  1   2   3   4   5   6   7   8   9   10   

³¬½Ã»ç¶û¼Ò°³ | ¿À½Ã´Â±æ | ³¬½Ã»ç¶û¹è³Ê | ÀÌ¿ë¾à°ü | À̸ÞÀϹ«´Ü¼öÁý°ÅºÎ | °³ÀÎÁ¤º¸Ãë±Þ¹æÄ§ | ±Ç¸®Ä§ÇØ½Å°í¼¾ÅÍ
Copyright 1997~2022 (ÁÖ)À¥¶óÀÌÇÁ/³¬½Ã»ç¶û All rights reserved »ç¾÷ÀÚµî·Ï¹øÈ£ 110-81-42683
»ç¾÷Àå : ¼­¿ïƯº°½Ã ¿µµîÆ÷±¸ ¿µµîÆ÷·Î 374, 3Ãþ
[±¤°í/Á¦ÈÞ ¹× Ãßõ»óǰ µî·Ï¹®ÀÇ]     [³¬½ÃÅÍ ¹× ³¬½Ë¹è µî·Ï¹®ÀÇ]     [¹Î¿ø/°ÇÀÇ/½Å°í]     [¸ÞÀϹ®ÀÇ]     [¹®ÀÇ(FAX) 02-2634-2730]