¾Æ¶ó¹Ù¶÷ > (°¨¼ºµ¼)45Cm ºò¿ø Æ÷ÇÔ 4Â¥ 4Â¥±Þµé 12¼ö üÆ÷~3´ëÈ£(9ÀÏ ¿¹¾à) : ³¬½Ã»ç¶û
ȸ¿ø°¡ÀÔ | ·Î±×ÀΠ| ½ÃÀÛÆäÀÌÁö | Áñ°Üã±â | ¹®ÀÇ/¿äû/½Å°í
³¬½ÃÅͼ±Åà | Àαâ°Ë»ö¾î | ¹Î¹°ÈÄ¿ø³¬½ÃÅÍ | ¹Ù´ÙÈÄ¿øÅÍ
 
¹Î¹°³¬½Ã | Á´ë/À¯·áÅÍ | ¹Ù´Ù³¬½Ã | ·ç¾î³¬½Ã | Ä¿¹Â´ÏƼ | ³¬¶ûŬ·´ | ³¬½Ã½ºÄð | Áß°íÀåÅÍ | ³¬½ÃQ&A | »ç¿ë±â/°­Á | ÃâÁ¶Á¤º¸ | °ø±¸/¿ëǰÁ¤º¸

 Æ¯ÆÄ¿ø(ÃâÁ¶Á¡)Á¶È²Á¤º¸

- º» °Ô½Ã¹°À» ¹«´Ü ´Ù¿î·Îµå, µµ¿ë, Àοë, ¸µÅ© ±ÝÁö. HOME >¹Ù´Ù³¬½Ã >ƯÆÄ¿ø(ÃâÁ¶Á¡)Á¶È²Á¤º¸

¾Æ¶ó¹Ù¶÷
ÀÛ¼ºÀÏ : 2026-03-08 15:20:14 / Á¶È¸ : 2,201      

Á¦¸ñ l ¾Æ¶ó¹Ù¶÷ > (°¨¼ºµ¼)45Cm ºò¿ø Æ÷ÇÔ 4Â¥ 4Â¥±Þµé 12¼ö üÆ÷~3´ëÈ£(9ÀÏ ¿¹¾à) : ³¬½Ã»ç¶û

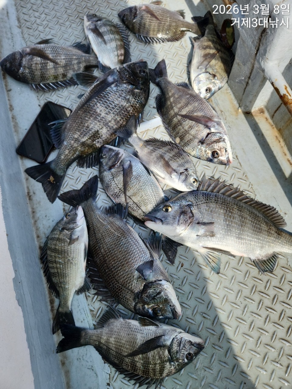
4Â¥ ÃÊÁß¹Ý ¿Ü 4Â¥±Þµé 12¼ö HIT~
8ÀÏ(ÀÏ) °ÅÁ¦ ÇÐ»ê ¸¶À» Ãâ¹ß °¨¼ºµ¼ È긲³¬½Ã "3´ëÈ£" (ö¼ö)ÇÖÁ¶È²ÀÔ´Ï´Ù.
¡Ø(3´ëÈ£ & ¾ÆÁöÄ«) 53CmÀÌ»ó °¨¼ºµ¼ üÆ÷½Ã ¾ÆÁöÄ« ÃÖ»ó±Þ ¿øÁÙ ÁõÁ¤.

¡Ú9ÀÏ(¿ù¿äÀÏ) °ÅÁ¦±Ç ¾îÃÊ¿©¹ç °¨¼ºµ¼ È긲³¬½Ã "¿¹¾à°¡´É"
(°¨¼ºµ¼)45 41 ¿Ü 4Â¥±Þµé 3Â¥µé 12¼ö ´çÂù ¼Õ¸À~

°ÅÁ¦µµ Çл긶À» Ãâ¹ß °¨¼ºµ¼ È긲³¬½Ã 3´ëÈ£ Á¶È²ÀÔ´Ï´Ù.
6ºÐÀÇ Á¶»ç´ÔµéÀ» ¸ð½Ã°í ÁøÀÔÇÑ Æ÷ÀÎÆ® È®½ÇÈ÷ ³à¼®µéÀÌ ¼­¼­È÷
ÁøÀÔÀ» ½ÃÀÛÇÑ µí ¸ÅÀÏ ±½Á÷ÇÑ ³ðµé°úÀÇ »çÅõ°¡ ¹ú¾îÁý´Ï´Ù~
45Cm ºò¿ø ¿Ü 41 41Â¥±Þµé°ú ÁßÄ¡±Þµé·Î ÃÑ 12¼ö üÆ÷¿¡ ¼º°ø
Çß°í ÁÁÀº ¹°¶§¿Í ±â»óÀÌ ¿¹º¸µÈ 9Àϵµ »ó´çÈ÷ È®·ü ³ôÀº °ø·«ÀÌ
°¡´ÉÇÒ µí º¸ÀÌ´Ï ÇÔ²²ÇÏ½Ç ºÐµé ¿¬¶ôÁֽʽÿÀ~

¿À´ÃºÎÅÍ ÁÁÀº ¹°¶§ ±¸°£À¸·Î ÁøÀÔÇØ ´ÙÀ½ÁÖ±îÁö ´ë¹°ÀÇ ±â´ë´Â ´õ¿í´õ »ó½Â
µÇ´Â ½Ã±âÀÔ´Ï´Ù.
9ÀÏ(¿ù¿äÀÏ) ÁÁÀº ¹°¶§ ±¸°£À¸·Î ÁøÀÔÇÕ´Ï´Ù. ½ÂÀ²ÀÌ ³ô¾ÆÁö´Â
ÁÁÀº Á¶°Ç, °ÅÁ¦µµ Ãâ¹ß °¨¼ºµ¼ È긲³¬½Ã OPEN~¿¹¾à °¡´ÉÇÕ´Ï´Ù.
¿À´Ãµµ °ÅÁ¦ 3´ëÈ£¿Í ÇÔ²²ÇØÁֽŠÁ¶»ç´Ôµé ¼ö°í ¸¹À¸¼Ì½À´Ï´Ù.

¢Ã 3´ëÈ£ °ÅÁ¦±Ç °¨¼ºµ¼ È긲³¬½Ã ÀÏÁ¤ ¢Ã
¡Ú9ÀÏ(¿ù) °ÅÁ¦±Ç ´ë¹° °¨¼ºµ¼ È긲³¬½Ã ¿¹¾à °¡´É
¡Ú10ÀÏ(È­) °ÅÁ¦±Ç ´ë¹° °¨¼ºµ¼ È긲³¬½Ã ¿¹¾à °¡´É
¡Ú11ÀÏ(¼ö) °ÅÁ¦±Ç ´ë¹° °¨¼ºµ¼ È긲³¬½Ã ¿¹¾à °¡´É
¡Ú12ÀÏ(¸ñ) °ÅÁ¦±Ç ´ë¹° °¨¼ºµ¼ È긲³¬½Ã ¿¹¾à °¡´É
¡Ø ÁÖ¸»Àº Æ÷ÀÎÆ®°¡ Á¦ÇÑÀÌ ¸¹¾Æ ¹Ì¸®¹Ì¸® ¿¹¾àÀ» ¼­µÑ·¯ ÁÖ¼¼¿ä.

¡Ü 3´ëÈ£ ¿¹¾à ¢Ï010-5188-5399 (3´ëÈ£ ¼±Àå)
¡Ü 3´ëÈ£ ¹êµå http://band.us/@3daenaksi
¡Ü ÃâÇ×Áö; °æ³² °ÅÁ¦½Ã µÐ´ö¸é Çлê3±æ 75
¢Ë°¨¼ºµ¼ ¾îÃÊ¿©¹ç È긲³¬½Ã ¾È³» ¢Ë
(ÃâÁ¶ ½Ã°£) »õº® Ãâ¹ß ~ ¿ÀÈÄ 2½Ã 30ºÐ ö¼ö(À¯µ¿Àû) ¼±ºñ 11¸¸¿ø.
- °ÅÁ¦µµÃâ¹ß Çѻ굵±Ç ¾îÃÊ¿©¹ç ´ë¹°Æ÷ÀÎÆ® °ø·«.
- µ¶¹è »ó½Ã ¿¹¾à °¡´ÉÇÕ´Ï´Ù.
- ½Ä»ç,¹Ø¹ä,¹Ì³¢,Ä¿ÇÇ,»ý¼ö Á¦°ø

¡Ü ÃâÁ¶½Ã ±¸¸íÁ¶³¢/½ÅºÐÁõÀº ¹Ýµå½Ã ÁöÂüÇØÁÖ¼¼¿ä.
¡Ü ÀԱݰèÁÂ: ¼öÇù 2020-4581-7819(±è¹Î±Ô)
¡Ü ¿¹¾àÀº ÀÔ±ÝÀÚ ¼ø¼­À̸ç ÅëÈ­ÈÄ ÀԱݹٶø´Ï´Ù.(¹ÌÀԱݽà ÀÓÀÇ Ãë¼Ò µÉ¼ö ÀÖÀ½)

¡Ü ȯºÒ ±ÔÁ¤
'¿¹¾à ¿Ï·á' °øÁö ÀÌÈÄ, Ãë¼Ò ¿äû½Ã ȯºÒ µÇÁö ¾Ê½À´Ï´Ù.
´Ü, ´Ù¸¥ ¼Õ´ÔÀ¸·Î ´ëü µÉ¶§´Â ȯºÒÇØ µå¸³´Ï´Ù.

¡Ü 3´ëÈ£ ¿¹¾à ¢Ï010-5188-5399 (3´ëÈ£ ¼±Àå)
¡Ü 3´ëÈ£ ¹êµå http://band.us/@3daenaksi
¡Ü ÃâÇ×Áö; °æ³² °ÅÁ¦½Ã µÐ´ö¸é Çлê3±æ 75
  • »ç¿ëÀÚ°¡ ¿Ã¸° À̹ÌÁö

 * °¡²û ±¤°í¸¦ Ŭ¸¯ÇØ ºÁ ÁÖ½Ã¸é ³¬¶û »çÀÌÆ® ¿î¿µ¿¡ µµ¿òÀÌ µË´Ï´Ù ^^
     
ÃÑ 0°³ÀÇ ´ñ±ÛÀÌ ÀÖ½À´Ï´Ù.

    ´ñ±Û¾²±â     [·Î±×ÀÎ] | [ȸ¿ø°¡ÀÔ]
 
 
4663(°¨¼ºµ¼)3¿ù HOT Á¶È²~4¹æ ÅÍÁö°í 4Â¥ÈĹÝ~3Â¥µé ´ë¾î¼±¿Ü±â(10ÀÏ ¿¹¾à) ¾Æ¶ó¹Ù¶÷26.03.09629
4662(°¨¼ºµ¼)4Â¥ ÁßÈĹÝ~´ë¹°ÀÇ ±æ¸ñ ¸¶¸´¼ö Á¶È²~´ëµ¿³¬½Ã(10ÀÏ ¿¹¾à) ¾Æ¶ó¹Ù¶÷26.03.09671
4661(°¨¼ºµ¼)4Â¥3Â¥ ¿À´Ãµµ ¿ª½Ã³ª~´ë¹Ú ¼Õ¸À OK~´ë¾çÈ£(10ÀÏ ¿¹¾à) ¾Æ¶ó¹Ù¶÷26.03.09792
4660(°¨¼ºµ¼)ÈûÀÌ Àå»ç43 43 41 41 ¿Ü ÃÑ 7¼ö ¼Õ¸À~3´ëÈ£(10ÀÏ ¿¹¾à) ¾Æ¶ó¹Ù¶÷26.03.09853
4659(°¨¼ºµ¼)½Ç½Ã°£ 3¸í 4Â¥ 3Â¥ ´ã°í´ã°í~HIT ÇàÁø~´ë¾çÈ£(10ÀÏ ¿¹¾à) ¾Æ¶ó¹Ù¶÷26.03.091,091
4658(´Ù´ëÆ÷)9Â¥ Âüµ¼ ÃÊ´ë¹Ú~¹Ì»çÀÏ±Þ ºÎ½Ã¸®¶¼ ¿©Àü~¿ëÁøÈ£(10ÀÏ ¿¹¾à) ¾Æ¶ó¹Ù¶÷26.03.091,081
4657(°¨¼ºµ¼)½Ç½Ã°£ 43 43 41 41 ¿Ü 4Â¥±Þµé ¿ì´çÅÁÅÁ~3´ëÈ£(10ÀÏ ¿¹¾à) ¾Æ¶ó¹Ù¶÷26.03.09510
4656½Ç½Ã°£(°¨¼ºµ¼)¾îÃÊ¿©¹ç 47Cm ¿Ü 3Â¥ Á߹ݵé~¾ßÈ£(10ÀÏ ¿¹¾à) ¾Æ¶ó¹Ù¶÷26.03.09447
4655(º¼¶ô)ÇǵùÀº ¹«Á¶°Ç~Æò±Õ 23Cm ¸·ÆÇ µÚÁý±â~°í°í½á´ÏÈ£(¿À´Ã¹ã ¿¹¾à) ¾Æ¶ó¹Ù¶÷26.03.09396
4654(°¨¼ºµ¼)ŸÀÛ ½ÃÁð OPEN~½Ç½Ã°£ 4Â¥ ¿À¹ö ÆÜÆÜÆÜ~´ëµ¿³¬½Ã(10ÀÏ ¿¹¾à) ¾Æ¶ó¹Ù¶÷26.03.09992
4653(µµ´Ù¸®)10Åæ ÁøÇØ °ÅÁ¦±Ç ¼Õ¸À ÀÔ¸À ´ë¸¸Á·~¼ö´ÞÈ£(10ÀÏ ¿¹¾à) ¾Æ¶ó¹Ù¶÷26.03.09829
4652(°¨¼ºµ¼)5Â¥±Þ 48Cm ¿Ü 4Â¥µé Æø°Ý~È£Á¶È² ÇàÁø~´ë¾î¼±¿Ü±â(9ÀÏ ¿¹¾à) ¾Æ¶ó¹Ù¶÷26.03.081,807
  1   2   3   4   5   6   7   8   9   10   

³¬½Ã»ç¶û¼Ò°³ | ¿À½Ã´Â±æ | ³¬½Ã»ç¶û¹è³Ê | ÀÌ¿ë¾à°ü | À̸ÞÀϹ«´Ü¼öÁý°ÅºÎ | °³ÀÎÁ¤º¸Ãë±Þ¹æÄ§ | ±Ç¸®Ä§ÇØ½Å°í¼¾ÅÍ
Copyright 1997~2022 (ÁÖ)À¥¶óÀÌÇÁ/³¬½Ã»ç¶û All rights reserved »ç¾÷ÀÚµî·Ï¹øÈ£ 110-81-42683
»ç¾÷Àå : ¼­¿ïƯº°½Ã ¿µµîÆ÷±¸ ¿µµîÆ÷·Î 374, 3Ãþ
[±¤°í/Á¦ÈÞ ¹× Ãßõ»óǰ µî·Ï¹®ÀÇ]     [³¬½ÃÅÍ ¹× ³¬½Ë¹è µî·Ï¹®ÀÇ]     [¹Î¿ø/°ÇÀÇ/½Å°í]     [¸ÞÀϹ®ÀÇ]     [¹®ÀÇ(FAX) 02-2634-2730]