¾Æ¶ó¹Ù¶÷ > (°¨¼ºµ¼)½Ç½Ã°£ ´ë¹Ú ¿¹°¨~4Â¥ ÁßÈÄ¹Ý ´ë¹°µé~´ëµ¿³¬½Ã(16ÀÏ ¿¹¾à) : ³¬½Ã»ç¶û
ȸ¿ø°¡ÀÔ | ·Î±×ÀΠ| ½ÃÀÛÆäÀÌÁö | Áñ°Üã±â | ¹®ÀÇ/¿äû/½Å°í
³¬½ÃÅͼ±Åà | Àαâ°Ë»ö¾î | ¹Î¹°ÈÄ¿ø³¬½ÃÅÍ | ¹Ù´ÙÈÄ¿øÅÍ
 
¹Î¹°³¬½Ã | Á´ë/À¯·áÅÍ | ¹Ù´Ù³¬½Ã | ·ç¾î³¬½Ã | Ä¿¹Â´ÏƼ | ³¬¶ûŬ·´ | ³¬½Ã½ºÄð | Áß°íÀåÅÍ | ³¬½ÃQ&A | »ç¿ë±â/°­Á | ÃâÁ¶Á¤º¸ | °ø±¸/¿ëǰÁ¤º¸

 Æ¯ÆÄ¿ø(ÃâÁ¶Á¡)Á¶È²Á¤º¸

- º» °Ô½Ã¹°À» ¹«´Ü ´Ù¿î·Îµå, µµ¿ë, Àοë, ¸µÅ© ±ÝÁö. HOME >¹Ù´Ù³¬½Ã >ƯÆÄ¿ø(ÃâÁ¶Á¡)Á¶È²Á¤º¸

¾Æ¶ó¹Ù¶÷
ÀÛ¼ºÀÏ : 2026-03-15 09:51:28 / Á¶È¸ : 1,152      

Á¦¸ñ l ¾Æ¶ó¹Ù¶÷ > (°¨¼ºµ¼)½Ç½Ã°£ ´ë¹Ú ¿¹°¨~4Â¥ ÁßÈÄ¹Ý ´ë¹°µé~´ëµ¿³¬½Ã(16ÀÏ ¿¹¾à) : ³¬½Ã»ç¶û

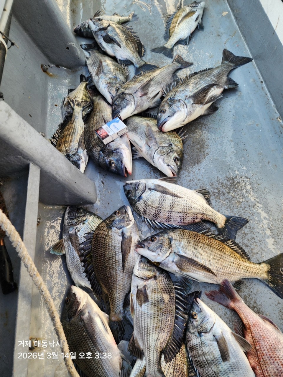
¿À´Ãµµ ´ë¹°~½Ç½Ã°£ ÇÖ¼Ò½Ä~
15ÀÏ(ÀÏ¿äÀÏ) °ÅÁ¦±Ç ´ë¹° °¨¼ºµ¼ ½ÃÁð, È긲³¬½Ã"´ëµ¿³¬½Ã" (½Ç½Ã°£)Á¶È²ÀÔ´Ï´Ù.
¡Ø Àü¿ë¼±Ã¼Á¦ ¿î¿µ °¨¼ºµ¼³¬½Ã ¿î¿µ. 53CmÀÌ»ó (ÀÏ 1¸í)¾ÆÁöÄ«¶óÀÎ ÁõÁ¤,

¡Ú 16ÀÏ(¿ù¿äÀÏ) ÁÖ°£ °ÅÁ¦±Ç ´ë¹° °¨¼ºµ¼ ³¬½Ã "¿¹¾à °¡´É"
(½Ç½Ã°£)¿µµîÀÇ ÃÊÀÔ ´ë¹° °¨¼ºµ¼ 4Â¥ ÁßÈÄ¹Ý HIT~

°ÅÁ¦ ¼ºÆ÷Ãâ¹ß ´ëµ¿³¬½ÃÀÔ´Ï´Ù.
³à¼®µéÀÇ À̵¿ÀÌ ½ÉÇÑ ½Ã±âÀÌÁö¸¸ ±æ¸ñÀ» Àß °ø·«ÇÏ¸ç ´ë¹°À»
¸¸³¯ È®·üÀÌ »ó´çÈ÷ ³ôÀº ½Ã±âÀÔ´Ï´Ù~ ¾îÁ¦ÀÇ ´ë¹Ú Á¶È²À» Âü°íÇϸç
³ðµéÀÇ ¹æÇâÀ» ¿¹»óÇÑ µÚ 4Â¥ ÁßÈÄ¹Ý µ¢Ä¡µé·Î ´çÂù ¼Õ¸À Áñ±â°í
ÀÖ½À´Ï´Ù~ »§»§ÇÏ°Ô »ìÀÌ ¿À¸¥ ³à¼®µéÀÇ ÆÄ¿ö¿¡ ³¬½Ë´ë°¡ ¸ÚÁö°Ô
ÈÖ¾îÁö³×¿ä~ ´ë¹° °ø·«Àº Âß~ À̾îÁý´Ï´Ù ÇÔ²²ÇÏ½Ç ºÐµé ¿¬¶ôÁֽʽÿÀ.

16ÀÏ °ÅÁ¦±Ç ´ë¹°ÅÍ ¾îÃÊ¿©¹ç,°¨¼ºµ¼ È긲³¬½Ã ¿¹¾à ÀÚ¸® ÀÖ½À´Ï´Ù.
Â÷ÁÖ ´ë¹° °¨¼ºµ¼ ³ë¸®±â¿¡ ÃÖ»óÀÇ ¹°¶§ÀÔ´Ï´Ù.

¢Ã ´ëµ¿³¬½Ã ÃâÁ¶ ÀÏÁ¤ ¢Ã 365ÃâÁ¶!!! (¸ö¸¸ ¿À¼Åµµ OK)
¡Ø°³ÀÎÃâÁ¶ ȯ¿µ!!! (¸ðµçÀåºñ ¹«·á´ë¿©) ¡Ú¸ö¸¸¿À¼Åµµ µË´Ï´Ù.
¡Ú16ÀÏ (¿ù) ÁÖ°£,°ÅÁ¦±Ç °¨¼ºµ¼ È긲³¬½Ã "¿¹¾à°¡´É"
¡Ú17ÀÏ (È­) ÁÖ°£,°ÅÁ¦±Ç °¨¼ºµ¼ È긲³¬½Ã "¿¹¾à°¡´É"
¡Ú18ÀÏ (¼ö) ÁÖ°£,°ÅÁ¦±Ç °¨¼ºµ¼ È긲³¬½Ã "¿¹¾à°¡´É"
¡Ú19ÀÏ (¸ñ) ÁÖ°£,°ÅÁ¦±Ç °¨¼ºµ¼ È긲³¬½Ã "¿¹¾à°¡´É"
¡Ú20ÀÏ (±Ý) ÁÖ°£,°ÅÁ¦±Ç °¨¼ºµ¼ È긲³¬½Ã "¿¹¾à°¡´É"
¡Ú21ÀÏ (Åä) ÁÖ°£,°ÅÁ¦±Ç °¨¼ºµ¼ È긲³¬½Ã "¿¹¾à°¡´É"
¡Ø ±â»ó¸¸ ÁÁÀ¸¸é 365ÀÏ ÃâÁ¶ÇÕ´Ï´Ù. ÁÖ¸» ¿¹¾àÀº ¹Ì¸®¹Ì¸® ¼­µÑ·¯ ÁÖ¼¼¿ä.

¢Ë´ëµ¿³¬½Ã ¢Ï010-4550-9017
¢Ã °ÅÁ¦½Ã »çµî¸é ¼ºÆ÷·Î 133(»çµî³óÇù¾Õ) °¨¼ºµ¼ Ư±ÞÆ÷ÀÎÆ® Á÷Ç×
¢Ã ¹êµå : https://band.us/@daedongho
(15ÀÏ ´ë¹Ú Á¶È² ÷ºÎÇÕ´Ï´Ù~)
¢Ã°ÅÁ¦±Ç °¨¼ºµ¼ Á¾Àϳ¬½Ã ÁøÇàÁß ¢Ã

¢Ã°ÅÁ¦±Ç ¾ß°£ È£·¡±â³¬½Ã ÃâÁ¶ ¢Ã ½ÃÁð Á¾·á
¾ß°£ Àú³á 6½Ã Ãâ¹ß ~12½Ã±îÁö ¿î¿µ
¡Ø È£·¡±â Àåºñ ÀÏÀý ¹«·á ´ë¿©ÇÕ´Ï´Ù.
¡Ø¹«·á´ë¿©~ ¸ö¸¸ ¿À¸é µÇ´Â ÆíÇÑ ³¬½Ã~!!!!

¡Ú Ãʺ¸ÀÚµµ ½±°Ô Á¢±Ù °¡´ÉÇÑ µ¹¹®¾î³¬½Ã
¹®¾îüÇ賬½Ã´Â "¸ö¸¸ ¿À½Ã¸é µË´Ï´Ù"
- ¡Ú¡Ú¹«·á ´ë¿©¡Ú¡Ú ³¬½Ã´ë, ¸±, º£ÀÌÆ®¸±, ½ºÇǴ׸± µî »ó½Ã ÁغñÇϰí ÀÖ½À´Ï´Ù.
- ÀÌÁ¦ ¸ö¸¸ Æí¾ÈÈ÷ ¿À½Ã¸é, ³¬½Ã¸¦ Áñ±æ ¼ö ÀÖ°í, "Àü»ý¾îºÎ ±³À°"¼±ÀåÀÌ Á÷Á¢
ƼĪ Áö¿øÇØ µå¸®¸ç, ÃæºÐÈ÷ ¹®¾î¸¦ ³¬À» ¼ö ÀÖµµ·Ï °í°´´ÔµéÀ» ½ºÆ÷ÆÃ.
¡Ú°³ÀÎ ¹× °¡Á·ÆÀ, ´ÜüÆÀ ¾ðÁ¦³ª ȯ¿µÇÕ´Ï´Ù.

¡ÚÅ뿵 ¹®¾î¸ÀÁý - ´ëµ¿³¬½Ã
- Ÿ¿ì¸°ÀÌ Ç³ºÎÇØ ÇÇ·Îȸº¹¿¡ ÁÁÀº "¹®¾î¶ó¸é"°ú "¹®¾î¼÷ȸ" µî ǪÁüÇÑ ¸Ô°Å¸®
µµ´ëµ¿³¬½Ã¿¡¼­´Â °øÂ¥~

¢Ë´ëµ¿³¬½Ã ¢Ï010-4550-9017
¢Ã °ÅÁ¦½Ã »çµî¸é ¼ºÆ÷·Î 133(»çµî³óÇù¾Õ)
¢Ã ¹êµå : https://band.us/@daedongho¢Ã ¿¹¾à (¼öÇù) 2020-4222-9164 ÀÌÃá¼®
¡Ø½ÅºÐÁõ,±¸¸íº¹ Çʼö Áغñ, ¹è¿¡¼­ À½ÁÖ´Â ¹ýÀûÀ¸·Î ±ÝÁöµÇ¾î ÀÖ½À´Ï´Ù.
  • »ç¿ëÀÚ°¡ ¿Ã¸° À̹ÌÁö

 * °¡²û ±¤°í¸¦ Ŭ¸¯ÇØ ºÁ ÁÖ½Ã¸é ³¬¶û »çÀÌÆ® ¿î¿µ¿¡ µµ¿òÀÌ µË´Ï´Ù ^^
     
ÃÑ 0°³ÀÇ ´ñ±ÛÀÌ ÀÖ½À´Ï´Ù.

    ´ñ±Û¾²±â     [·Î±×ÀÎ] | [ȸ¿ø°¡ÀÔ]
 
 
4729(¹®¾î)¿øµµ±Ç Á÷Ç× KÀüÈÄ ÓÞÂ¥µé »Ì°í ¶Ç »Ì°í~°­¹ÎÈ£(16ÀÏ ÃâÇ× È®Á¤) ¾Æ¶ó¹Ù¶÷26.03.15724
4728(°¨¼ºµ¼)¹°¶§ »ì¾Æ³ª´Ï 5Â¥ ¿Ü 4Â¥4Â¥ 2¹æ ÆÃ ÆÃ~´ë¾î¼±¿Ü±â(16ÀÏ ¿¹¾à) ¾Æ¶ó¹Ù¶÷26.03.15748
4727(°¨¼ºµ¼)´ë¹°µé ¿ì¼ö¼ö~4Â¥ ÁßÈÄ¹Ý ÆÛ ´ã³×¿ä ´ëµ¿³¬½Ã(16ÀÏ ¿¹¾à) ¾Æ¶ó¹Ù¶÷26.03.15742
4726(´Ù´ëÆ÷)Âüµ¼ ºÎ½Ã¸® »ó½Ã´ë±â~1Ÿ1ÇÇ ÆÛ º×³×¿ä ¿ëÁøÈ£(16ÀÏ ¿¹¾à) ¾Æ¶ó¹Ù¶÷26.03.15788
4725(°¨¼ºµ¼)5Â¥±Þ 48Cm ¿Ü 4Â¥ÀüÈÄ HIT ¿µµî ½ÃÀÛ~°¡°íÆÄÈ£(16ÀÏ ¿¹¾à) ¾Æ¶ó¹Ù¶÷26.03.15796
4724(¿øµµ±Ç)¹®¾î Á¶È² 1.3K ºò¿ø K±Þ ÁßÄ¡±Þ ¹Ù±Û¹Ù±Û~¶ôÇǽÌ(17ÀÏ ¿¹¾à) ¾Æ¶ó¹Ù¶÷26.03.15796
4723(¹®¾î)1.6K1.5K1.5K KKKK ¿Ü ¸¶¸´¼ö ´ëÆøÆÈ~°í°íÇǽÌÈ£(17ÀÏ ¿¹¾à) ¾Æ¶ó¹Ù¶÷26.03.15101
4722(°¨¼ºµ¼)ÀÌÆ²°£ 57 56 55 ´ëÇü±Þµé ÃÊ´ë¹Ú ¼Õ¸À~´ë¾çÈ£(17ÀÏ ¿¹¾à) ¾Æ¶ó¹Ù¶÷26.03.1584
4721(°¨¼ºµ¼)4Â¥4Â¥4Â¥4Â¥4Â¥~¿µµîö ÅÊÅ©µé ¼Õ¸À~´ë¾î³¬½Ã(16ÀÏ ¿¹¾à) ¾Æ¶ó¹Ù¶÷26.03.1583
4720(°¨¼ºµ¼)45 44 43 41 41 Æ÷ÇÔ 12¼ö Àü¿ø ¼Õ¸À~3´ëÈ£(16ÀÏ ¿¹¾à) ¾Æ¶ó¹Ù¶÷26.03.15766
4719(°¨¼ºµ¼)4Â¥4Â¥4Â¥4Â¥±Þµé ½Ç½Ã°£ Çǵù ñé~´ë¾î³¬½Ã(16ÀÏ ¿¹¾à) ¾Æ¶ó¹Ù¶÷26.03.151,066
4718(°¨¼ºµ¼)¾îÁ¨ 57 55 ¿À´ÃÀº 56Cm~ÃÊ´ë¹Ú ½Ç½Ã°£ ´ë¾çÈ£(17ÀÏ ¿¹¾à) ¾Æ¶ó¹Ù¶÷26.03.151,124
  1   2   3   4   5   6   7   8   9   10   

³¬½Ã»ç¶û¼Ò°³ | ¿À½Ã´Â±æ | ³¬½Ã»ç¶û¹è³Ê | ÀÌ¿ë¾à°ü | À̸ÞÀϹ«´Ü¼öÁý°ÅºÎ | °³ÀÎÁ¤º¸Ãë±Þ¹æÄ§ | ±Ç¸®Ä§ÇØ½Å°í¼¾ÅÍ
Copyright 1997~2022 (ÁÖ)À¥¶óÀÌÇÁ/³¬½Ã»ç¶û All rights reserved »ç¾÷ÀÚµî·Ï¹øÈ£ 110-81-42683
»ç¾÷Àå : ¼­¿ïƯº°½Ã ¿µµîÆ÷±¸ ¿µµîÆ÷·Î 374, 3Ãþ
[±¤°í/Á¦ÈÞ ¹× Ãßõ»óǰ µî·Ï¹®ÀÇ]     [³¬½ÃÅÍ ¹× ³¬½Ë¹è µî·Ï¹®ÀÇ]     [¹Î¿ø/°ÇÀÇ/½Å°í]     [¸ÞÀϹ®ÀÇ]     [¹®ÀÇ(FAX) 02-2634-2730]