¾Æ¶ó¹Ù¶÷ > (°¨¼ºµ¼)½Ç½Ã°£ 45 43Cm µ¢Ä¡µé ¿Ü ¸¶¸´¼ö ½ÃÀÛ~3´ëÈ£(16ÀÏ ¿¹¾à) : ³¬½Ã»ç¶û
ȸ¿ø°¡ÀÔ | ·Î±×ÀΠ| ½ÃÀÛÆäÀÌÁö | Áñ°Üã±â | ¹®ÀÇ/¿äû/½Å°í
³¬½ÃÅͼ±Åà | Àαâ°Ë»ö¾î | ¹Î¹°ÈÄ¿ø³¬½ÃÅÍ | ¹Ù´ÙÈÄ¿øÅÍ
 
¹Î¹°³¬½Ã | Á´ë/À¯·áÅÍ | ¹Ù´Ù³¬½Ã | ·ç¾î³¬½Ã | Ä¿¹Â´ÏƼ | ³¬¶ûŬ·´ | ³¬½Ã½ºÄð | Áß°íÀåÅÍ | ³¬½ÃQ&A | »ç¿ë±â/°­Á | ÃâÁ¶Á¤º¸ | °ø±¸/¿ëǰÁ¤º¸

 Æ¯ÆÄ¿ø(ÃâÁ¶Á¡)Á¶È²Á¤º¸

- º» °Ô½Ã¹°À» ¹«´Ü ´Ù¿î·Îµå, µµ¿ë, Àοë, ¸µÅ© ±ÝÁö. HOME >¹Ù´Ù³¬½Ã >ƯÆÄ¿ø(ÃâÁ¶Á¡)Á¶È²Á¤º¸

¾Æ¶ó¹Ù¶÷
ÀÛ¼ºÀÏ : 2026-03-15 09:58:13 / Á¶È¸ : 1,124      

Á¦¸ñ l ¾Æ¶ó¹Ù¶÷ > (°¨¼ºµ¼)½Ç½Ã°£ 45 43Cm µ¢Ä¡µé ¿Ü ¸¶¸´¼ö ½ÃÀÛ~3´ëÈ£(16ÀÏ ¿¹¾à) : ³¬½Ã»ç¶û

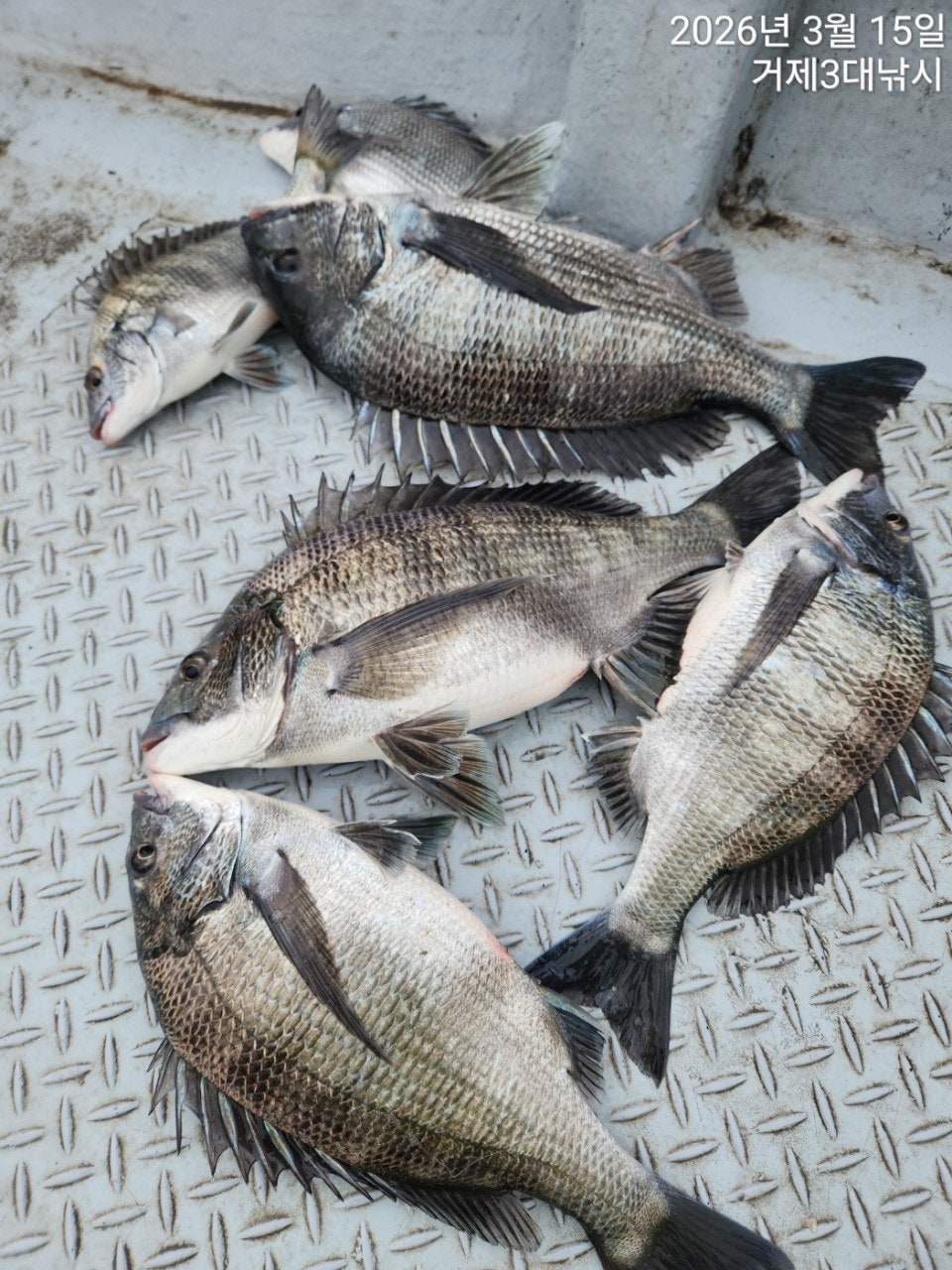
½Ç½Ã°£ 4Â¥ Áß¹Ý µ¢Ä¡µé·Î ¼Õ¸À Áß~
15ÀÏ(ÀÏ) °ÅÁ¦ ÇÐ»ê ¸¶À» Ãâ¹ß °¨¼ºµ¼ È긲³¬½Ã "3´ëÈ£" (½Ç½Ã°£)ÇÖÁ¶È²ÀÔ´Ï´Ù.
¡Ø(À̺¥Æ®) 53CmÀÌ»ó üÆ÷½Ã ¾ÆÁöÄ« ¿øÁÙ°ú "´çÀÏ ÃÖ´ë¾î À̺¥Æ®"
2¸í ÀÌ»ó ÃâÁ¶½Ã 25CmÀÌ»ó ÃÖ´ë¾î 1¸í¿¡°Ô Å©¸®½ºÅ»Ä«º» ÃÖ»ó±Þ ¸ñÁÙ ÁõÁ¤!!!

¡Ú16ÀÏ(¿ù¿äÀÏ) °ÅÁ¦±Ç ¾îÃÊ¿©¹ç °¨¼ºµ¼ È긲³¬½Ã "¿¹¾à°¡´É"
(°¨¼ºµ¼) 45 43Cm 4Â¥ Áß¹Ýµé ¿Ü ÁßÄ¡±Þ ½Ç½Ã°£ ¼Ò½Ä~

°ÅÁ¦µµ Çл긶À» Ãâ¹ß °¨¼ºµ¼ È긲³¬½Ã 3´ëÈ£ Á¶È²ÀÔ´Ï´Ù.
¾îÃÊ¿©¹ç±Ç ³ðµéÀÇ ¿òÁ÷ÀÓÀÌ ½ÃÀ۵˴ϴ٠¾îÁ¦¿¡ À̾î ÁÁÀº ºÐÀ§±â¸¦
À̾´Â ¾¾¾Ë±Þ °¨¼ºµ¼µéÀÇ ÀÔÁúÀÌ ¿¬¼ÓµÇ¸ç 45 43Cm 4Â¥ Á߹ݵé°ú
ÁßÄ¡±Þµé·Î Â÷°î Â÷°î ¸¶¸´¼ö¸¦ ½×¾Æ°¡°í ÀÖ½À´Ï´Ù.
ÁÁÀº Æ÷ÀÎÆ® ȯ°æ ¼Ó ²ÙÁØÈ÷ µé¾î°£ ¹Ø¹äÀÌ ±â´ë°¨À» °¡Áö°Ô ÇÏ´Ï
³²Àº ½Ã°£ 5Â¥ ´ë¹°À» ÁýÁß °ø·«Çغ¸°Ú½À´Ï´Ù~

16ÀÏ(¿ù¿äÀÏ) ÁÁÀº ¹°¶§ ±¸°£À¸·Î ÁøÀÔÇÕ´Ï´Ù. ½ÂÀ²ÀÌ ³ô¾ÆÁö´Â
ÁÁÀº Á¶°Ç, °ÅÁ¦µµ Ãâ¹ß °¨¼ºµ¼ È긲³¬½Ã OPEN~¿¹¾à °¡´ÉÇÕ´Ï´Ù.

¢Ã 3´ëÈ£ °ÅÁ¦±Ç °¨¼ºµ¼ È긲³¬½Ã ÀÏÁ¤ ¢Ã
¡Ú16ÀÏ(¿ù) °ÅÁ¦±Ç ´ë¹° °¨¼ºµ¼ È긲³¬½Ã ¿¹¾à °¡´É
¡Ú17ÀÏ(È­) °ÅÁ¦±Ç ´ë¹° °¨¼ºµ¼ È긲³¬½Ã ¿¹¾à °¡´É
¡Ú18ÀÏ(¼ö) °ÅÁ¦±Ç ´ë¹° °¨¼ºµ¼ È긲³¬½Ã ¿¹¾à °¡´É
¡Ú19ÀÏ(¸ñ) °ÅÁ¦±Ç ´ë¹° °¨¼ºµ¼ È긲³¬½Ã ¿¹¾à °¡´É
¡Ø ÁÖ¸»Àº Æ÷ÀÎÆ®°¡ Á¦ÇÑÀÌ ¸¹¾Æ ¹Ì¸®¹Ì¸® ¿¹¾àÀ» ¼­µÑ·¯ ÁÖ¼¼¿ä.

¡Ü 3´ëÈ£ ¿¹¾à ¢Ï010-5188-5399 (3´ëÈ£ ¼±Àå)
¡Ü 3´ëÈ£ ¹êµå http://band.us/@3daenaksi
¡Ü ÃâÇ×Áö; °æ³² °ÅÁ¦½Ã µÐ´ö¸é Çлê3±æ 75
¾ÆÁöÄ« ÃÖ»ó±Þ Å©¸®½ºÅ»Ä«º» ¸ñÁÙ ÁõÁ¤ À̺¥Æ®!!!
"´çÀÏ ÃÖ´ë¾î À̺¥Æ®" 2¸í ÀÌ»ó ÃâÁ¶½Ã, 25CmÀÌ»ó ÃÖ´ë¾î 1¸í¿¡°Ô Å©¸®½ºÅ»Ä«º»
ÃÖ»ó±Þ ¸ñÁÙ ÁõÁ¤!!!
¢Ë°¨¼ºµ¼ ¾îÃÊ¿©¹ç È긲³¬½Ã ¾È³» ¢Ë
(ÃâÁ¶ ½Ã°£) »õº® Ãâ¹ß ~ ¿ÀÈÄ 2½Ã ö¼ö(À¯µ¿Àû) ¼±ºñ 11¸¸¿ø.
- °ÅÁ¦µµÃâ¹ß Çѻ굵±Ç ¾îÃÊ¿©¹ç ´ë¹°Æ÷ÀÎÆ® °ø·«.
- µ¶¹è »ó½Ã ¿¹¾à °¡´ÉÇÕ´Ï´Ù.
- ½Ä»ç,¹Ø¹ä,¹Ì³¢,Ä¿ÇÇ,»ý¼ö Á¦°ø

¡Ü ÃâÁ¶½Ã ±¸¸íÁ¶³¢/½ÅºÐÁõÀº ¹Ýµå½Ã ÁöÂüÇØÁÖ¼¼¿ä.
¡Ü ÀԱݰèÁÂ: ¼öÇù 2020-4581-7819(±è¹Î±Ô)
¡Ü ¿¹¾àÀº ÀÔ±ÝÀÚ ¼ø¼­À̸ç ÅëÈ­ÈÄ ÀԱݹٶø´Ï´Ù.(¹ÌÀԱݽà ÀÓÀÇ Ãë¼Ò µÉ¼ö ÀÖÀ½)

¡Ü ȯºÒ ±ÔÁ¤
'¿¹¾à ¿Ï·á' °øÁö ÀÌÈÄ, Ãë¼Ò ¿äû½Ã ȯºÒ µÇÁö ¾Ê½À´Ï´Ù.
´Ü, ´Ù¸¥ ¼Õ´ÔÀ¸·Î ´ëü µÉ¶§´Â ȯºÒÇØ µå¸³´Ï´Ù.

¡Ü 3´ëÈ£ ¿¹¾à ¢Ï010-5188-5399 (3´ëÈ£ ¼±Àå)
¡Ü 3´ëÈ£ ¹êµå http://band.us/@3daenaksi
¡Ü ÃâÇ×Áö; °æ³² °ÅÁ¦½Ã µÐ´ö¸é Çлê3±æ 75

 * °¡²û ±¤°í¸¦ Ŭ¸¯ÇØ ºÁ ÁÖ½Ã¸é ³¬¶û »çÀÌÆ® ¿î¿µ¿¡ µµ¿òÀÌ µË´Ï´Ù ^^
     
ÃÑ 0°³ÀÇ ´ñ±ÛÀÌ ÀÖ½À´Ï´Ù.

    ´ñ±Û¾²±â     [·Î±×ÀÎ] | [ȸ¿ø°¡ÀÔ]
 
 
4729(¹®¾î)¿øµµ±Ç Á÷Ç× KÀüÈÄ ÓÞÂ¥µé »Ì°í ¶Ç »Ì°í~°­¹ÎÈ£(16ÀÏ ÃâÇ× È®Á¤) ¾Æ¶ó¹Ù¶÷26.03.15720
4728(°¨¼ºµ¼)¹°¶§ »ì¾Æ³ª´Ï 5Â¥ ¿Ü 4Â¥4Â¥ 2¹æ ÆÃ ÆÃ~´ë¾î¼±¿Ü±â(16ÀÏ ¿¹¾à) ¾Æ¶ó¹Ù¶÷26.03.15745
4727(°¨¼ºµ¼)´ë¹°µé ¿ì¼ö¼ö~4Â¥ ÁßÈÄ¹Ý ÆÛ ´ã³×¿ä ´ëµ¿³¬½Ã(16ÀÏ ¿¹¾à) ¾Æ¶ó¹Ù¶÷26.03.15740
4726(´Ù´ëÆ÷)Âüµ¼ ºÎ½Ã¸® »ó½Ã´ë±â~1Ÿ1ÇÇ ÆÛ º×³×¿ä ¿ëÁøÈ£(16ÀÏ ¿¹¾à) ¾Æ¶ó¹Ù¶÷26.03.15782
4725(°¨¼ºµ¼)5Â¥±Þ 48Cm ¿Ü 4Â¥ÀüÈÄ HIT ¿µµî ½ÃÀÛ~°¡°íÆÄÈ£(16ÀÏ ¿¹¾à) ¾Æ¶ó¹Ù¶÷26.03.15791
4724(¿øµµ±Ç)¹®¾î Á¶È² 1.3K ºò¿ø K±Þ ÁßÄ¡±Þ ¹Ù±Û¹Ù±Û~¶ôÇǽÌ(17ÀÏ ¿¹¾à) ¾Æ¶ó¹Ù¶÷26.03.15792
4723(¹®¾î)1.6K1.5K1.5K KKKK ¿Ü ¸¶¸´¼ö ´ëÆøÆÈ~°í°íÇǽÌÈ£(17ÀÏ ¿¹¾à) ¾Æ¶ó¹Ù¶÷26.03.15101
4722(°¨¼ºµ¼)ÀÌÆ²°£ 57 56 55 ´ëÇü±Þµé ÃÊ´ë¹Ú ¼Õ¸À~´ë¾çÈ£(17ÀÏ ¿¹¾à) ¾Æ¶ó¹Ù¶÷26.03.1584
4721(°¨¼ºµ¼)4Â¥4Â¥4Â¥4Â¥4Â¥~¿µµîö ÅÊÅ©µé ¼Õ¸À~´ë¾î³¬½Ã(16ÀÏ ¿¹¾à) ¾Æ¶ó¹Ù¶÷26.03.1583
4720(°¨¼ºµ¼)45 44 43 41 41 Æ÷ÇÔ 12¼ö Àü¿ø ¼Õ¸À~3´ëÈ£(16ÀÏ ¿¹¾à) ¾Æ¶ó¹Ù¶÷26.03.15763
4719(°¨¼ºµ¼)4Â¥4Â¥4Â¥4Â¥±Þµé ½Ç½Ã°£ Çǵù ñé~´ë¾î³¬½Ã(16ÀÏ ¿¹¾à) ¾Æ¶ó¹Ù¶÷26.03.151,062
4718(°¨¼ºµ¼)¾îÁ¨ 57 55 ¿À´ÃÀº 56Cm~ÃÊ´ë¹Ú ½Ç½Ã°£ ´ë¾çÈ£(17ÀÏ ¿¹¾à) ¾Æ¶ó¹Ù¶÷26.03.151,118
  1   2   3   4   5   6   7   8   9   10   

³¬½Ã»ç¶û¼Ò°³ | ¿À½Ã´Â±æ | ³¬½Ã»ç¶û¹è³Ê | ÀÌ¿ë¾à°ü | À̸ÞÀϹ«´Ü¼öÁý°ÅºÎ | °³ÀÎÁ¤º¸Ãë±Þ¹æÄ§ | ±Ç¸®Ä§ÇØ½Å°í¼¾ÅÍ
Copyright 1997~2022 (ÁÖ)À¥¶óÀÌÇÁ/³¬½Ã»ç¶û All rights reserved »ç¾÷ÀÚµî·Ï¹øÈ£ 110-81-42683
»ç¾÷Àå : ¼­¿ïƯº°½Ã ¿µµîÆ÷±¸ ¿µµîÆ÷·Î 374, 3Ãþ
[±¤°í/Á¦ÈÞ ¹× Ãßõ»óǰ µî·Ï¹®ÀÇ]     [³¬½ÃÅÍ ¹× ³¬½Ë¹è µî·Ï¹®ÀÇ]     [¹Î¿ø/°ÇÀÇ/½Å°í]     [¸ÞÀϹ®ÀÇ]     [¹®ÀÇ(FAX) 02-2634-2730]