¾Æ¶ó¹Ù¶÷ > (°¨¼ºµ¼)47Cm ´ë¹° ¿Ü 4Â¥ µ¢Ä¡µé ¼Ò³ª±â HIT~°¡°íÆÄÈ£(19ÀÏ ¿¹¾à) : ³¬½Ã»ç¶û
ȸ¿ø°¡ÀÔ | ·Î±×ÀΠ| ½ÃÀÛÆäÀÌÁö | Áñ°Üã±â | ¹®ÀÇ/¿äû/½Å°í
³¬½ÃÅͼ±Åà | Àαâ°Ë»ö¾î | ¹Î¹°ÈÄ¿ø³¬½ÃÅÍ | ¹Ù´ÙÈÄ¿øÅÍ
 
¹Î¹°³¬½Ã | Á´ë/À¯·áÅÍ | ¹Ù´Ù³¬½Ã | ·ç¾î³¬½Ã | Ä¿¹Â´ÏƼ | ³¬¶ûŬ·´ | ³¬½Ã½ºÄð | Áß°íÀåÅÍ | ³¬½ÃQ&A | »ç¿ë±â/°­Á | ÃâÁ¶Á¤º¸ | °ø±¸/¿ëǰÁ¤º¸

 Æ¯ÆÄ¿ø(ÃâÁ¶Á¡)Á¶È²Á¤º¸

- º» °Ô½Ã¹°À» ¹«´Ü ´Ù¿î·Îµå, µµ¿ë, Àοë, ¸µÅ© ±ÝÁö. HOME >¹Ù´Ù³¬½Ã >ƯÆÄ¿ø(ÃâÁ¶Á¡)Á¶È²Á¤º¸

¾Æ¶ó¹Ù¶÷
ÀÛ¼ºÀÏ : 2026-03-18 10:22:01 / Á¶È¸ : 2,520      

Á¦¸ñ l ¾Æ¶ó¹Ù¶÷ > (°¨¼ºµ¼)47Cm ´ë¹° ¿Ü 4Â¥ µ¢Ä¡µé ¼Ò³ª±â HIT~°¡°íÆÄÈ£(19ÀÏ ¿¹¾à) : ³¬½Ã»ç¶û

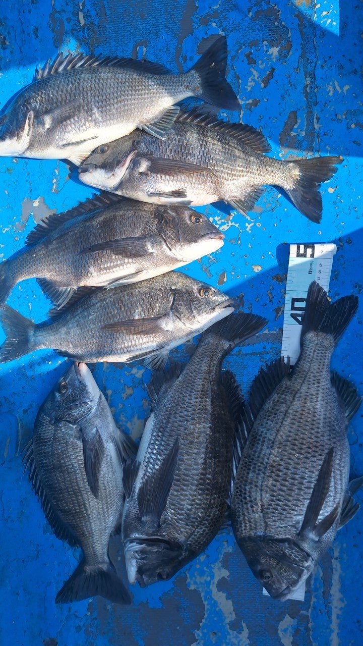
47Cm ¿Ü 4Â¥µé ¿ì´çÅÁÅÁ~
17ÀÏ(È­) °ÅÁ¦ Çл긶À» Ãâ¹ß, ¾îÃÊ °¨¼ºµ¼³¬½Ã "°¡°íÆÄÈ£" (ö¼ö) ÇÖÁ¶È²ÀÔ´Ï´Ù.
¡Ø 53Cm´ë¹°,¾ÆÁöÄ« ÃÖ»ó±Þ¶óÀÎ ÁõÁ¤/ÁÖÂ÷ÇÏ°í ¼±ÂøÀå±îÁö ¹Ù·Î ¿¬°á.

¡Ù19ÀÏ(¸ñ¿äÀÏ) °ÅÁ¦ ´ë¹°°¨¼ºµ¼ °ø·«, Á¾ÀÏ È긲 "¿¹¾à°¡´É"
(°¨¼ºµ¼)¾îÃÊ¿©¹ç 47Cm ºò¿ø 4Â¥ ¿À¹ö ¿ì´çÅÁÅÁ~

°ÅÁ¦µµ Çл긶À» Ãâ¹ß, °¨¼ºµ¼ Àü¹® ÃâÁ¶Á¡ °¡°íÆÄÈ£ÀÔ´Ï´Ù.
47Cm ´ë¹° °¨¼ºµ¼À» ÇʵηΠ½ÃÀÛµÈ µ¢Ä¡±Þ °¨¼ºµ¼µéÀÇ È­²öÇÑ
ÀÔÁú ÆÛ·¹À̵忡 ´çÂù ¼Õ¸À Á¦´ë·Î Áñ±â°í ¸¶¹«¸® ÇÕ´Ï´Ù. 47Cm
¿Ü 4Â¥ ¿À¹ö ´ë¹°µé ¸¶¸´¼ö Á¶È²ÀÔ´Ï´Ù~ ¿µµî»ç¸® ¹°¶§ 19ÀϺÎÅÍ
¾îÃÊ¿©¹ç±Ç ´ë¹° Æ÷ÀÎÆ®·Î ´Þ·Á°¡´Ï ÇÔ²²ÇÏ½Ç ºÐµé ¿¬¶ôÁֽʽÿÀ~

19ÀÏ(¸ñ¿äÀÏ)ºÎÅÍ °ÅÁ¦ Ãâ¹ß °¨¼ºµ¼ È긲³¬½Ã ¿¹¾à °¡´ÉÇÕ´Ï´Ù.
¿À´Ãµµ °ÅÁ¦ °¡°íÆÄÈ£¸¦ ã¾Æ ÁֽŠÁ¶»ç´Ô ¼ö°í ¸¹À¸¼Ì½À´Ï´Ù.

¢Ã °¡°íÆÄÈ£ ¾îÃÊ¿©¹ç °¨¼ºµ¼³¬½Ã ÀÏÁ¤ ¾È³» ¢Ã
¡Ù19ÀÏ(¸ñ¿äÀÏ) °ÅÁ¦ ´ë¹°°¨¼ºµ¼ °ø·«, Á¾ÀÏ È긲³¬½Ã "¿¹¾à°¡´É"
¡Ù20ÀÏ(±Ý¿äÀÏ) °ÅÁ¦ ´ë¹°°¨¼ºµ¼ °ø·«, Á¾ÀÏ È긲³¬½Ã "¿¹¾à°¡´É"
¡Ù21ÀÏ(Åä¿äÀÏ) °ÅÁ¦ ´ë¹°°¨¼ºµ¼ °ø·«, Á¾ÀÏ È긲³¬½Ã "¿¹¾à°¡´É"
¡Ù22ÀÏ(ÀÏ¿äÀÏ) °ÅÁ¦ ´ë¹°°¨¼ºµ¼ °ø·«, Á¾ÀÏ È긲³¬½Ã "¿¹¾à°¡´É"
¡Ù23ÀÏ(¿ù¿äÀÏ) °ÅÁ¦ ´ë¹°°¨¼ºµ¼ °ø·«, Á¾ÀÏ È긲³¬½Ã "¿¹¾à°¡´É"
- ÁÖÁß, ÁÖ¸» ¿¹¾à °¡´ÉÇÕ´Ï´Ù.

¢Ì °¡°íÆÄÈ£(¼±»ó) ¢Ï 010 8553 7868
¢Ì °¡°íÆÄÈ£ ¹êµå http://band.us/@gagopaho
¢Ì ÁÖ¼Ò :°ÅÁ¦½Ã µÐ´ö¸é Çлê3±æ 81 (ÏÁÁÖ¼Ò:µÐ´ö¸é Çл긮 109¹øÁö)
¢Ì°¨¼ºµ¼ ¼±»ó È긲 ³¬½Ã ¾È³» ¢Ì
(ÃâÁ¶ ½Ã°£) 05½Ã ~ 14½Ã ö¼ö (À¯µ¿Àû) 11¸¸¿ø
- »ý¼ö,Ä¿ÇÇ,¶ó¸é,ÃÊÀåµî, ³¬½ÃÀåºñ¸¸ °¡Áö°í ¿À¼¼¿ä

¢Ìµ¹¹®¾î ÃâÁ¶ ½Ã°£ ¹× ¼±ºñ ¾È³» ¢Ì
(ÆòÀÏ Á¾ÀÏ) 05:00~14:00 ÀüÈÄ,
- ¹®¾î¶ó¸é Á¦°ø,À½·á, »ý¼ö Á¦°øÇÕ´Ï´Ù.
- °¡Á·ÆÀ/ȸ»çÆÀ/µ¿È£È¸ÆÀÀº µ¶¹è »ó½Ã ¿¹¾à°¡´É.
¡Ø ³¬½ÃÀåºñ(¹«·á) ´ë¿© °¡´É, ±¸¸íº¹ ÇÊ¿äÇϽŠºÐÀº ¿¹¾à ½Ã Àü´Þ ¿äû.

¢Ì °¡°íÆÄÈ£(¼±»ó) ¢Ï 010 8553 7868
¢Ì °¡°íÆÄÈ£ ¹êµå http://band.us/@gagopaho
¢Ì ÁÖ¼Ò :°ÅÁ¦½Ã µÐ´ö¸é Çлê3±æ 81 (ÏÁÁÖ¼Ò:µÐ´ö¸é Çл긮 109¹øÁö)
  • »ç¿ëÀÚ°¡ ¿Ã¸° À̹ÌÁö

 * °¡²û ±¤°í¸¦ Ŭ¸¯ÇØ ºÁ ÁÖ½Ã¸é ³¬¶û »çÀÌÆ® ¿î¿µ¿¡ µµ¿òÀÌ µË´Ï´Ù ^^
     
ÃÑ 0°³ÀÇ ´ñ±ÛÀÌ ÀÖ½À´Ï´Ù.

    ´ñ±Û¾²±â     [·Î±×ÀÎ] | [ȸ¿ø°¡ÀÔ]
 
 
4773(°¨¼ºµ¼)²ÙÁØÇÑ Á¶È² 4Â¥ ÀüÈÄµé ¸¶¸´¼ö üÆ÷~´ë¾î¼±¿Ü±â(20ÀÏ ¿¹¾à) ¾Æ¶ó¹Ù¶÷26.03.19703
4772(È긲)¿µµî ÓÞ¹° °¨¼ºµ¼ 4Â¥ ÃÊÁß¹Ý »§ÀÌ ´ë¹Ú~°¡°íÆÄÈ£(20ÀÏ ¿¹¾à) ¾Æ¶ó¹Ù¶÷26.03.19746
4771(°¨¼ºµ¼)¾îÃÊ¿©¹ç 4Â¥4Â¥4Â¥4Â¥ µ¢Ä¡µé ¼Ò³ª±â HIT~´ë¾î³¬½Ã(20ÀÏ ¿¹¾à) ¾Æ¶ó¹Ù¶÷26.03.19767
4770(°¨¼ºµ¼)¿ª½Ã~5Â¥4Â¥4Â¥4Â¥4Â¥ ¿Ü 3Â¥µé ŸÀÛ¿Ï·á ´ë¾çÈ£(21ÀÏ ¿¹¾à) ¾Æ¶ó¹Ù¶÷26.03.19789
4769(°¨¼ºµ¼)°³Ã¼¼ö ´ë¹Ú 4Â¥¿À¹ö ŸÀÛ ÆÛ´ã°í Á¶±âö¼ö~¾ßÈ£(20ÀÏ ¿¹¾à) ¾Æ¶ó¹Ù¶÷26.03.19808
4768(È긲)°¨¼ºµ¼ ¹«¸® Æ÷Âø ÁßÄ¡±Þµé·Î µÎ ÀÚ¸´¼ö~3´ëÈ£(20ÀÏ ¿¹¾à) ¾Æ¶ó¹Ù¶÷26.03.19852
4767(°¨¼ºµ¼)¹è½Å ¾ø´Â Æ÷ÀÎÆ® 4Â¥~3Â¥ ½Ç½Ã°£ ÇÖÁ¶È² ´ë¾çÈ£(20ÀÏ ¿¹¾à) ¾Æ¶ó¹Ù¶÷26.03.19420
4766(°¨¼ºµ¼)½Ç½Ã°£ Áý¾î¿Ï·á ÁßÄ¡±Þµé ¿ì´Ù´Ù´Ù~3´ëÈ£(20ÀÏ ¿¹¾à) ¾Æ¶ó¹Ù¶÷26.03.19412
4765(½Ç½Ã°£)´ë¹° °¨¼ºµ¼ °ø·« 4Â¥4Â¥4Â¥4Â¥ ¼øÇ× ñé~¾ßÈ£(20ÀÏ ¿¹¾à) ¾Æ¶ó¹Ù¶÷26.03.19398
4764(°¨¼ºµ¼)½Ç½Ã°£ Çǵù »§ ÁÁÀº 4Â¥3Â¥ ÆÛ ´ã´Â ñé~´ë¾î³¬½Ã(20ÀÏ ¿¹¾à) ¾Æ¶ó¹Ù¶÷26.03.191,142
4763(º¼¶ô)20Cm´Â ±âº»~28Cm ¿Õ»ç¹Ì±îÁö~½ÃÁð ÀýÁ¤ ´º±×¸°È£(¿À´Ã ¿¹¾à) ¾Æ¶ó¹Ù¶÷26.03.191,127
4762¼±¿Ü±â(°¨¼ºµ¼) ±½Àº 4Â¥4Â¥4Â¥4Â¥¿Ü µ¢Ä¡±Þµé~´ë¾î¼±¿Ü±â(19ÀÏ ¿¹¾à) ¾Æ¶ó¹Ù¶÷26.03.182,055
  1   2   3   4   5   6   7   8   9   10   

³¬½Ã»ç¶û¼Ò°³ | ¿À½Ã´Â±æ | ³¬½Ã»ç¶û¹è³Ê | ÀÌ¿ë¾à°ü | À̸ÞÀϹ«´Ü¼öÁý°ÅºÎ | °³ÀÎÁ¤º¸Ãë±Þ¹æÄ§ | ±Ç¸®Ä§ÇØ½Å°í¼¾ÅÍ
Copyright 1997~2022 (ÁÖ)À¥¶óÀÌÇÁ/³¬½Ã»ç¶û All rights reserved »ç¾÷ÀÚµî·Ï¹øÈ£ 110-81-42683
»ç¾÷Àå : ¼­¿ïƯº°½Ã ¿µµîÆ÷±¸ ¿µµîÆ÷·Î 374, 3Ãþ
[±¤°í/Á¦ÈÞ ¹× Ãßõ»óǰ µî·Ï¹®ÀÇ]     [³¬½ÃÅÍ ¹× ³¬½Ë¹è µî·Ï¹®ÀÇ]     [¹Î¿ø/°ÇÀÇ/½Å°í]     [¸ÞÀϹ®ÀÇ]     [¹®ÀÇ(FAX) 02-2634-2730]