¾Æ¶ó¹Ù¶÷ > (°¨¼ºµ¼)ÃÊ´ë¹Ú 4Â¥4Â¥4Â¥4Â¥4Â¥4Â¥4Â¥±Þµé ŸÀÛ~´ë¾î³¬½Ã(19ÀÏ ¿¹¾à) : ³¬½Ã»ç¶û
ȸ¿ø°¡ÀÔ | ·Î±×ÀΠ| ½ÃÀÛÆäÀÌÁö | Áñ°Üã±â | ¹®ÀÇ/¿äû/½Å°í
³¬½ÃÅͼ±Åà | Àαâ°Ë»ö¾î | ¹Î¹°ÈÄ¿ø³¬½ÃÅÍ | ¹Ù´ÙÈÄ¿øÅÍ
 
¹Î¹°³¬½Ã | Á´ë/À¯·áÅÍ | ¹Ù´Ù³¬½Ã | ·ç¾î³¬½Ã | Ä¿¹Â´ÏƼ | ³¬¶ûŬ·´ | ³¬½Ã½ºÄð | Áß°íÀåÅÍ | ³¬½ÃQ&A | »ç¿ë±â/°­Á | ÃâÁ¶Á¤º¸ | °ø±¸/¿ëǰÁ¤º¸

 Æ¯ÆÄ¿ø(ÃâÁ¶Á¡)Á¶È²Á¤º¸

- º» °Ô½Ã¹°À» ¹«´Ü ´Ù¿î·Îµå, µµ¿ë, Àοë, ¸µÅ© ±ÝÁö. HOME >¹Ù´Ù³¬½Ã >ƯÆÄ¿ø(ÃâÁ¶Á¡)Á¶È²Á¤º¸

¾Æ¶ó¹Ù¶÷
ÀÛ¼ºÀÏ : 2026-03-18 15:08:20 / Á¶È¸ : 1,965      

Á¦¸ñ l ¾Æ¶ó¹Ù¶÷ > (°¨¼ºµ¼)ÃÊ´ë¹Ú 4Â¥4Â¥4Â¥4Â¥4Â¥4Â¥4Â¥±Þµé ŸÀÛ~´ë¾î³¬½Ã(19ÀÏ ¿¹¾à) : ³¬½Ã»ç¶û

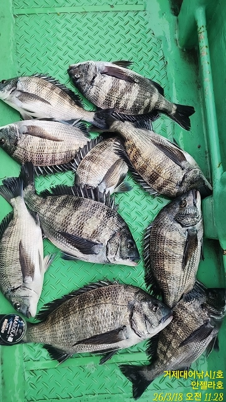
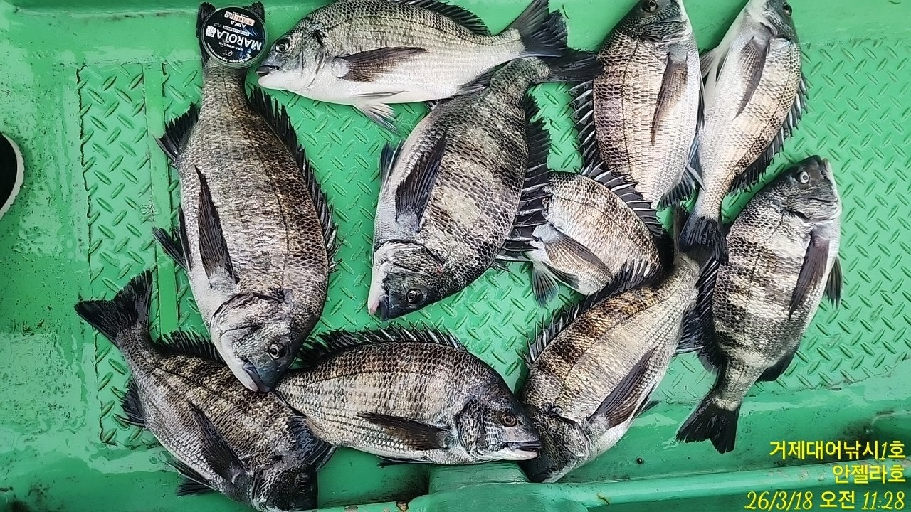
¿ìÁßÀü ´ë¼º°ø 4Â¥ ¿À¹ö ¿ì´çÅÁÅÁ~!!!
18ÀÏ(¼ö¿äÀÏ) °ÅÁ¦ ¾îÃÊ¿©¹ç °¨¼ºµ¼³¬½Ã "°ÅÁ¦´ë¾î³¬½Ã" (ö¼ö)ÇÖÁ¶È²ÀÔ´Ï´Ù.
¡Ø °¨¼ºµ¼ 53Cm Âüµ¼ 68CmÀÌ»ó(ìí1¸í) ´ë¾î&¾ÆÁöÄ«À̺¥Æ® ÃÖ°í±Þ¿øÁÙ ÁõÁ¤!!!

¡Ù 19ÀÏ(¸ñ¿äÀÏ) ¾îÃÊ¿©¹ç ´ë¹° °¨¼ºµ¼ È긲³¬½Ã"¿¹¾à°¡´É"
(19ÀÏ 8¹°, °£Á¶: 02:43 ¸¸Á¶: 09:15 )
(°¨¼ºµ¼)¿ìÁßÀü 4Â¥ 4Â¥ 4Â¥ 4Â¥ 4Â¥ 4Â¥ 4Â¥±Þµé HIT~
¡Ú¡Ú¾îÃÊ¿©¹ç±Ç ´ë¹° ½ÃÁð OPEN Âß~ ¿¹¾à °¡´É!!!¡Ú¡Ú

°ÅÁ¦´ë¾î³¬½Ã1È£ °¨¼ºµ¼È긲 Á¶È²ÀÔ´Ï´Ù.
¾îÃÊ¿©¹ç ¿ìÁßÀü Á¶È² ¼Ò½ÄÀÔ´Ï´Ù~ ±½Á÷ÇÑ °¨¼ºµ¼µéÀÌ ¿¬½Å äºñ¸¦
´ç°Ü°©´Ï´Ù ¸Å ¿µµîö¸¶´Ù ´ë¹°ÀÇ ¼Õ¸ÀÀ» ¾È°ÜÁá´ø Æ÷ÀÎÆ®µé·Î ³ðµéÀÌ
ÁøÀÔÀ» ½ÃÀÛÇÑ µí »§ ÁÁÀº 4Â¥ µ¢Ä¡µé·Î ¸¶¸´¼ö ¼Õ¸ÀÀ» Áñ°å°í,
ü°í¿¡ °É¸Â´Â ÆÄ¿ö¿¡ ÇǾƳëÁÙ ¼Ò¸®°¡ ¿ï·ÁÆÛÁö³×¿ä.
4Â¥ 4Â¥ 4Â¥ 4Â¥ 4Â¥ 4Â¥ 4Â¥±Þµé·Î ÂÓ ÁÙ¼¼¿ì°í ±âºÐ ÁÁ°Ô ¸¶¹«¸® ÇÕ´Ï´Ù.
³»ÀϺÎÅÍ Âß ÁÁÀº Á¶°Ç ¼Ó ´ë¹Ú Æ÷ÀÎÆ®·Î ÁøÀÔÇÏ´Ï ÇÔ²²ÇÏ½Ç ºÐµé
¿¬¶ôÁֽʽÿÀ~

19ÀÏ(¸ñ¿äÀÏ) °ÅÁ¦Ãâ¹ß ¾îÃÊ¿©¹ç ´ë¹° °¨¼ºµ¼³¬½Ã ¿¹¾à °¡´ÉÇÕ´Ï´Ù~
¿À´Ãµµ °ÅÁ¦´ë¾î³¬½Ã¿Í ÇÔ²²ÇØÁֽŠÁ¶»ç´Ôµé ¼ö°í ¸¹À¸¼Ì½À´Ï´Ù.
¡Ø ¼Õ¸À º¸½Ã°í ö¼ö ÇϽǶ§ ¿äû Áֽøé ÀâÀ¸½Å °í±â ¼ÒÁ¤ÀÇ ºñ¿ëÀ¸·Î ¼ÕÁú
ÇØµå¸³´Ï´Ù~ ¼±Àå´Ô²² ¿äÃ»ÇØ ÁÖ¼¼¿ä~

¢Ã °ÅÁ¦´ë¾î³¬½Ã ¾îÃÊ¿©¹ç °¨¼ºµ¼ /¼±¿Ü±â´ë¿© ÀÏÁ¤ ¾È³» ¢Ã
¡Ø ³¬½Ã Èú¸µÀº "°ÅÁ¦´ë¾î³¬½Ã"¿¡¼­ ³¬½Ã¹è+¼÷¹Ú±îÁö Çѹ濡 ÇØ°á~
¡Ù19ÀÏ(¸ñ) ÃâÁ¶ È®Á¤~ ¾îÃÊ¿©¹ç °¨¼ºµ¼³¬½Ã ¼±¿Ü±â´ë¿© "¿¹¾à°¡´É"
¡Ù20ÀÏ(±Ý) ÃâÁ¶ È®Á¤~ ¾îÃÊ¿©¹ç °¨¼ºµ¼³¬½Ã ¼±¿Ü±â´ë¿© "¿¹¾à°¡´É"
¡Ù21ÀÏ(Åä) ÃâÁ¶ È®Á¤~ ¾îÃÊ¿©¹ç °¨¼ºµ¼³¬½Ã ¼±¿Ü±â´ë¿© "¿¹¾à°¡´É"
¡Ù22ÀÏ(ÀÏ) ÃâÁ¶ È®Á¤~¸Õ¹Ù´Ù Âüµ¼ ºÎ½Ã¸® È긲 (03¸í)"¿¹¾à°¡´É"
¡Ù23ÀÏ(¿ù) ÃâÁ¶ È®Á¤~ ¾îÃÊ¿©¹ç °¨¼ºµ¼³¬½Ã ¼±¿Ü±â´ë¿© "¿¹¾à°¡´É"
¡Ø ÁÁÀº Æ÷ÀÎÆ® ¼±Á¤À» À§ÇØ ¿¹¾àÀ» ¹Ì¸®¹Ì¸® ¼­µÑ·¯ Áֽʽÿä.

°ÅÁ¦´ë¾î³¬½Ã ¼±»ó³¬½Ã ¿¹¾à(µ¶Ã¤ ¹Î¹Ú ¿î¿µ)
¹®ÀÇ ¢Ï 010-6400-2082 / ¢Ï 010-454-3937
¤±¼±¿Ü±â ¿¹¾à: ¢Ï 010-6400-202
¤± ¹êµå: https://band.us/@geojdaeeofishing
°ÅÁ¦´ë¾î³¬½Ã´Â 1~7¼±´ÜÀ» ¿î¿µÇϰí ÀÖ½À´Ï´Ù.
´ÜüÆÀ/ȸ»çÆÀ/±â¾÷ÆÀ/µ¿È£È¸ÆÀ/¼±»ó ³¬½Ã´ëȸµµ °¡´ÉÇÑ ÃæºÐÇÑ ÀοøÀ» ¼ö¿ë
°¡´ÉÇÕ´Ï´Ù.

¢Ã °ÅÁ¦Ãâ¹ß ¢º»ç·®µµ Çѻ굵±Ç Á÷Ç× "µ¹¹®¾î³¬½Ã" ¢Ã
- 04½Ã 30ºÐ Ãâ¹ß ~ ¿ÀÈÄ 1½Ã(À¯µ¿Àû) ö¼ö
- µµ½Ã¶ô, »ý¼ö, Ä¿ÇÇ Á¦°øÇÕ´Ï´Ù.

¢Ã µ¹¹®¾î »ýȰ³¬½Ã & ³¬½ÃüÇè ¢Ã ¸ö¸¸ ¿À½Ã¸é µË´Ï´Ù.
- ³¬½Ë´ë, ÀåºñÀÏÀýÁ¦°ø, ±¸¸íº¹ Á¦°ø
- °¡Á·µé, ¿©¸§ÈÞ°¡, ´ÜüÆÀµé ´ëȯ¿µ~ °¡¼ººñ ÁÁ½À´Ï´Ù.

¡á Âüµ¼ È긲³¬½Ã (³»¸¸±Ç/ÁßÀå°Å¸® »ó½Ã ÃâÁ¶)
ÇѳªÀý:»õº®ºÎÅÍ ~ 2½Ã±îÁö(À¯µ¿Àû) 14¸¸¿ø
- ¹Ø¹ä,¹Ì³¢,µµ½Ã¶ô Á¦°ø, Ä¿ÇÇ, À½·á, »ý¼ö Á¦°ø
(³¬½Ë´ë) ±âº» 1.5È£~2È£´ë 530(°æÁú´ë ¼±È£)
(¸±) 4000¹ø~6000¹ø. ±Ç»ç·® 150~200¹ÌÅÍ ÃßõµÇ´Â ½ºÇǴ׸±.
(¶óÀÎ) ¿øÁÙ 4~6È£ ÇÃ·ÎÆÃ ¼¼¹ÌŸÀÔ, ¸ñÁÙ ÈķηÎÄ«º» 100% 4È£~6È£ ¼±È£.
(¹Ù´Ã) Âüµ¼ 8~12È£, Å¥¼Ç¶Ç´Â ¼öÁßÅ¥¼Ç -2B ~ -5B, Á¼½ÒºÀµ¹, ½ºÀ§º§µµ·¡
¡Øµ¶¹è´Â ½Ã°£ Á¶Á¤ °¡´ÉÇÕ´Ï´Ù.

¢Ë °ÅÁ¦´ë¾î³¬½Ã Âüµ¼ ½Ã»ó ³»¿ª ¢Ë ÀÏ 1¸í¾¿ ½Ã»óµË´Ï´Ù.
68Cm ÀÌ»ó - ÃÖ»ó±Þ ¿øÁÙ ÁõÁ¤

¡á ¼±¿Ü±â ´ë¿©
(4ÀνÂ)- 13¸¸¿ø, (3ÀνÂ) - 10¸¸¿ø / (2ÀνÂ) - 8¸¸¿ø / (1ÀνÂ)- 7¸¸¿ø.
¿µ¾÷±¸¿ª ³» Á¶Á¤¸éÇãÁõ ÇÊ¿ä ¾øÀ¸¹Ç·Î, ´©±¸³ª ÀÌ¿ëÀÌ °¡´ÉÇÕ´Ï´Ù.
- ¼±¿Ü±â »ç¿ë±³À° 3ºÐÀÌ¸é ¹Ù·Î, ¿îÀüÇÏ½Ç ¼ö ÀÖ½À´Ï´Ù.

¡Ú¾ÈÀü ÁÖÀÇ »çÇסÚ
- °ÅÁ¦´ë¾î³¬½Ã ¼±´Ü ÀÌ¿ë½Ã,¾ÈÀüÇÑ ³¬½Ã¸¦ À§ÇØ ¼±ÂøÀå Åë·Î ÀÌ¿ë½Ã ¹Ì²ø¸²À»
ÁÖÀÇ ÇØ ÁÖ½Ã±æ ¹Ù¶ø´Ï´Ù. Åë·Î Á¿쿡 ÀÖ´Â ÇÚµéÀ» Àâ°í À̵¿ÇÏ½Ã¸é ¾ÈÀüÇÕ´Ï´Ù.
- ¼±ÂøÀåµµÂøÀü, ¹è¿¡¼­ ¹Ì¸® ³»¸®Áö ¸¶½Ã°í, ¹è°¡ Á¤¹ÚÇϰí, ·ÎÇÁ¸¦ ¹­Àº µÚ¿¡
Çϼ±ÇØ ÁÖ½Ã±æ ¹Ù¶ø´Ï´Ù.

¡Ú´ë¾î³¬½Ã ¼±´Ü¡Ú
°ÅÁ¦ ´ë¾î³¬½Ã 1È£ ¤Ñ ¾ÈÁ©¶óÈ£
°ÅÁ¦ ´ë¾î³¬½Ã 2È£ ¤Ñ ¾Èµå·¹¾ÆÈ£
°ÅÁ¦ ´ë¾î³¬½Ã 3È£ ¤Ñ ¾ßÈ£(YAHO)
°ÅÁ¦ ´ë¾î³¬½Ã 4È£ ¤Ñ µ¹ÇÉÈ£
°ÅÁ¦ ´ë¾î³¬½Ã 5È£ ¤Ñ ¹Ì·¡È£
°ÅÁ¦ ´ë¾î³¬½Ã 6È£ ¤Ñ °ÅÁ¦¹Ù´ÙÈ£
°ÅÁ¦ ´ë¾î³¬½Ã 7È£ ¤Ñ »ç¶ûÈ£

¡á ÁÖº¯ Á¦ÈÞ ¹Î¹ÚÁý ¡á
¾ÆÁö¶û ¹Î¹Ú(´Üü-µ¶Ã¤) ¢Ï010-6400-2082
ÇØ¼Û±¼±¸ÀÌ¹Î¹Ú (´Üü) ¢Ï010-2545-3755
°ÅÁ¦ ´ë¾î³¬½Ã ÁÖº¯ ÆÄ¶ó½ºÆÄÂòÁú¹æ °Ë»öÇÏ½Ã¸é µË´Ï´Ù.

¡á ȯºÒ ±ÔÁ¤ ¡á
°ÅÁ¦´ë¾î³¬½Ã¿¡¼­´Â ÃâÁ¶¿¡ ´ëÇÑ È¯ºÒ±ÔÁ¤À» ¾Æ·¡¿Í °°ÀÌ ¿î¿µÁßÀÔ´Ï´Ù.
"¿¹¾à¿Ï·á" È®Á¤½Ã ÃâÁ¶ºñ Àü¾× ȯºÒÀÌ µÇÁö ¾Ê½À´Ï´Ù.
1ÀÏÀü, µµ½Ã¶ô°ú ¹Ø¹ä¿¡ µû¸¥ ½Çºñ¿Ü¿¡ ȯºÒ(ÃâÁ¶ÀÏ º¯°æ °¡´É)
2ÀÏÀü, ÃâÁ¶ºñ Àü¾× ȯºÒ,
"¿¹¾à ¿Ï·á" °øÁö ÀÌÈÄ, Ãë¼Ò ¿äû½Ã¿¡´Â ȯºÒµÇÁö ¾Ê½À´Ï´Ù.

¡Úã¾Æ¿À½Ã´Â±æ¡Ú
¡ØÃâÇ×Áö: °ÅÁ¦½Ã °ÅÁ¦¸é ¹ýµ¿¸® 1074¹øÁö ¾ÆÁö¶û°æ·Î´ç ¹æÆÄÁ¦
¡Ú¡Ú¡Ú½ÅºÐÁõ ²À ÁöÂüÇØÁÖ¼¼¿ä¡Ú¡Ú¡Ú

¢Ï °ÅÁ¦´ë¾î³¬½Ã ¼±»ó³¬½Ã ¿¹¾à(µ¶Ã¤ ¹Î¹Ú) ¹®ÀÇ¢Ï
¢Ï 010-6400-2082 / ¢Ï 010-4547-3937
¤±¼±¿Ü±â: ¢Ï 010-6400-2082
¡á ¹êµå: https://band.us/@geojdaeeofishing
  • »ç¿ëÀÚ°¡ ¿Ã¸° À̹ÌÁö

 * °¡²û ±¤°í¸¦ Ŭ¸¯ÇØ ºÁ ÁÖ½Ã¸é ³¬¶û »çÀÌÆ® ¿î¿µ¿¡ µµ¿òÀÌ µË´Ï´Ù ^^
     
ÃÑ 0°³ÀÇ ´ñ±ÛÀÌ ÀÖ½À´Ï´Ù.

    ´ñ±Û¾²±â     [·Î±×ÀÎ] | [ȸ¿ø°¡ÀÔ]
 
 
4773(°¨¼ºµ¼)²ÙÁØÇÑ Á¶È² 4Â¥ ÀüÈÄµé ¸¶¸´¼ö üÆ÷~´ë¾î¼±¿Ü±â(20ÀÏ ¿¹¾à) ¾Æ¶ó¹Ù¶÷26.03.19699
4772(È긲)¿µµî ÓÞ¹° °¨¼ºµ¼ 4Â¥ ÃÊÁß¹Ý »§ÀÌ ´ë¹Ú~°¡°íÆÄÈ£(20ÀÏ ¿¹¾à) ¾Æ¶ó¹Ù¶÷26.03.19742
4771(°¨¼ºµ¼)¾îÃÊ¿©¹ç 4Â¥4Â¥4Â¥4Â¥ µ¢Ä¡µé ¼Ò³ª±â HIT~´ë¾î³¬½Ã(20ÀÏ ¿¹¾à) ¾Æ¶ó¹Ù¶÷26.03.19763
4770(°¨¼ºµ¼)¿ª½Ã~5Â¥4Â¥4Â¥4Â¥4Â¥ ¿Ü 3Â¥µé ŸÀÛ¿Ï·á ´ë¾çÈ£(21ÀÏ ¿¹¾à) ¾Æ¶ó¹Ù¶÷26.03.19785
4769(°¨¼ºµ¼)°³Ã¼¼ö ´ë¹Ú 4Â¥¿À¹ö ŸÀÛ ÆÛ´ã°í Á¶±âö¼ö~¾ßÈ£(20ÀÏ ¿¹¾à) ¾Æ¶ó¹Ù¶÷26.03.19805
4768(È긲)°¨¼ºµ¼ ¹«¸® Æ÷Âø ÁßÄ¡±Þµé·Î µÎ ÀÚ¸´¼ö~3´ëÈ£(20ÀÏ ¿¹¾à) ¾Æ¶ó¹Ù¶÷26.03.19850
4767(°¨¼ºµ¼)¹è½Å ¾ø´Â Æ÷ÀÎÆ® 4Â¥~3Â¥ ½Ç½Ã°£ ÇÖÁ¶È² ´ë¾çÈ£(20ÀÏ ¿¹¾à) ¾Æ¶ó¹Ù¶÷26.03.19420
4766(°¨¼ºµ¼)½Ç½Ã°£ Áý¾î¿Ï·á ÁßÄ¡±Þµé ¿ì´Ù´Ù´Ù~3´ëÈ£(20ÀÏ ¿¹¾à) ¾Æ¶ó¹Ù¶÷26.03.19412
4765(½Ç½Ã°£)´ë¹° °¨¼ºµ¼ °ø·« 4Â¥4Â¥4Â¥4Â¥ ¼øÇ× ñé~¾ßÈ£(20ÀÏ ¿¹¾à) ¾Æ¶ó¹Ù¶÷26.03.19398
4764(°¨¼ºµ¼)½Ç½Ã°£ Çǵù »§ ÁÁÀº 4Â¥3Â¥ ÆÛ ´ã´Â ñé~´ë¾î³¬½Ã(20ÀÏ ¿¹¾à) ¾Æ¶ó¹Ù¶÷26.03.191,137
4763(º¼¶ô)20Cm´Â ±âº»~28Cm ¿Õ»ç¹Ì±îÁö~½ÃÁð ÀýÁ¤ ´º±×¸°È£(¿À´Ã ¿¹¾à) ¾Æ¶ó¹Ù¶÷26.03.191,123
4762¼±¿Ü±â(°¨¼ºµ¼) ±½Àº 4Â¥4Â¥4Â¥4Â¥¿Ü µ¢Ä¡±Þµé~´ë¾î¼±¿Ü±â(19ÀÏ ¿¹¾à) ¾Æ¶ó¹Ù¶÷26.03.182,048
  1   2   3   4   5   6   7   8   9   10   

³¬½Ã»ç¶û¼Ò°³ | ¿À½Ã´Â±æ | ³¬½Ã»ç¶û¹è³Ê | ÀÌ¿ë¾à°ü | À̸ÞÀϹ«´Ü¼öÁý°ÅºÎ | °³ÀÎÁ¤º¸Ãë±Þ¹æÄ§ | ±Ç¸®Ä§ÇØ½Å°í¼¾ÅÍ
Copyright 1997~2022 (ÁÖ)À¥¶óÀÌÇÁ/³¬½Ã»ç¶û All rights reserved »ç¾÷ÀÚµî·Ï¹øÈ£ 110-81-42683
»ç¾÷Àå : ¼­¿ïƯº°½Ã ¿µµîÆ÷±¸ ¿µµîÆ÷·Î 374, 3Ãþ
[±¤°í/Á¦ÈÞ ¹× Ãßõ»óǰ µî·Ï¹®ÀÇ]     [³¬½ÃÅÍ ¹× ³¬½Ë¹è µî·Ï¹®ÀÇ]     [¹Î¿ø/°ÇÀÇ/½Å°í]     [¸ÞÀϹ®ÀÇ]     [¹®ÀÇ(FAX) 02-2634-2730]