¾Æ¶ó¹Ù¶÷ > (°¨¼ºµ¼)´ýº­µì´Ï´Ù~4Â¥ ÁßÈĹÝ~ÁßÄ¡±Þ ´ë¹Ú ¼Õ¸À~´ëµ¿³¬½Ã(19ÀÏ ¿¹¾à) : ³¬½Ã»ç¶û
ȸ¿ø°¡ÀÔ | ·Î±×ÀΠ| ½ÃÀÛÆäÀÌÁö | Áñ°Üã±â | ¹®ÀÇ/¿äû/½Å°í
³¬½ÃÅͼ±Åà | Àαâ°Ë»ö¾î | ¹Î¹°ÈÄ¿ø³¬½ÃÅÍ | ¹Ù´ÙÈÄ¿øÅÍ
 
¹Î¹°³¬½Ã | Á´ë/À¯·áÅÍ | ¹Ù´Ù³¬½Ã | ·ç¾î³¬½Ã | Ä¿¹Â´ÏƼ | ³¬¶ûŬ·´ | ³¬½Ã½ºÄð | Áß°íÀåÅÍ | ³¬½ÃQ&A | »ç¿ë±â/°­Á | ÃâÁ¶Á¤º¸ | °ø±¸/¿ëǰÁ¤º¸

 Æ¯ÆÄ¿ø(ÃâÁ¶Á¡)Á¶È²Á¤º¸

- º» °Ô½Ã¹°À» ¹«´Ü ´Ù¿î·Îµå, µµ¿ë, Àοë, ¸µÅ© ±ÝÁö. HOME >¹Ù´Ù³¬½Ã >ƯÆÄ¿ø(ÃâÁ¶Á¡)Á¶È²Á¤º¸

¾Æ¶ó¹Ù¶÷
ÀÛ¼ºÀÏ : 2026-03-18 15:31:01 / Á¶È¸ : 1,991      

Á¦¸ñ l ¾Æ¶ó¹Ù¶÷ > (°¨¼ºµ¼)´ýº­µì´Ï´Ù~4Â¥ ÁßÈĹÝ~ÁßÄ¡±Þ ´ë¹Ú ¼Õ¸À~´ëµ¿³¬½Ã(19ÀÏ ¿¹¾à) : ³¬½Ã»ç¶û

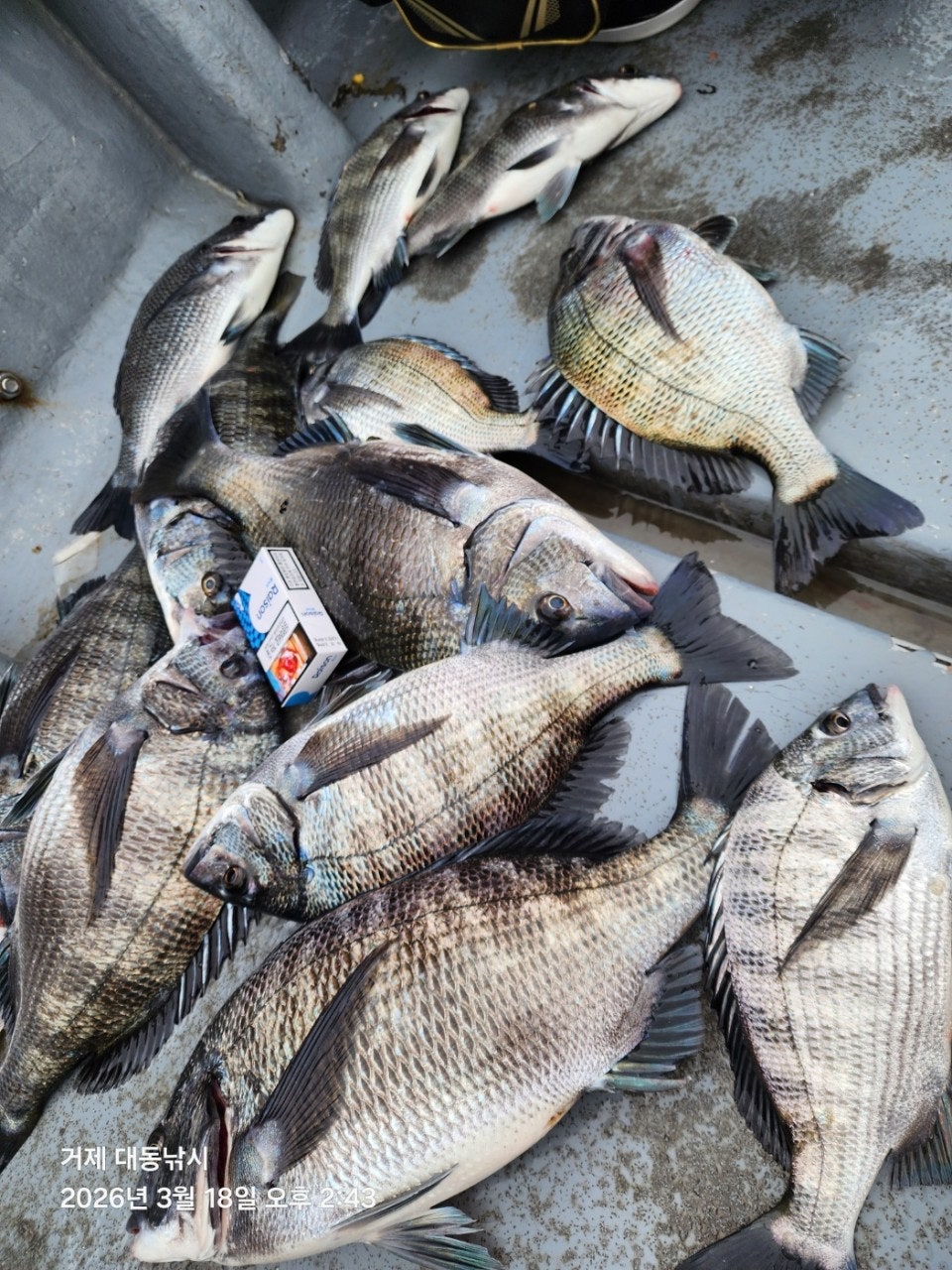
ºø ¼Ó ´ë¹Ú ¼Õ¸À ´ë¹°µé ´Þ·Áµì´Ï´Ù!!!
18ÀÏ(¼ö¿äÀÏ) °ÅÁ¦±Ç ´ë¹° °¨¼ºµ¼ ½ÃÁð, È긲³¬½Ã"´ëµ¿³¬½Ã" (ö¼ö)ÇÖÁ¶È²ÀÔ´Ï´Ù.
¡Ø Àü¿ë¼±Ã¼Á¦ ¿î¿µ °¨¼ºµ¼³¬½Ã ¿î¿µ. 53CmÀÌ»ó (ÀÏ 1¸í)¾ÆÁöÄ«¶óÀÎ ÁõÁ¤,

¡Ú 19ÀÏ(¸ñ¿äÀÏ) ÁÖ°£ °ÅÁ¦±Ç ´ë¹° °¨¼ºµ¼ ³¬½Ã "¿¹¾à °¡´É"
(°¨¼ºµ¼)´ë¹Ú ¼Õ¸À!!! 4Â¥ ÁßÈĹÝ~ÁßÄ¡±Þ ÆÜ ÆÜ ÆÜ~

°ÅÁ¦ ¼ºÆ÷Ãâ¹ß ´ëµ¿³¬½ÃÀÔ´Ï´Ù.
º½ºñ°¡ ³»¸®´Â ¿ìÁßÀü Á¶È² ¼Ò½ÄÀÔ´Ï´Ù~ ³»¸®´Â ºñ¿¡´Â ¾Æ¶û°÷ ¾Ê°í
´ë¹° °¨¼ºµ¼µéÀÌ ´ýº­µì´Ï´Ù~ µ¢Ä¡¸¦ Ű¿î ³à¼®µéÀÌ ¼­¼­È÷ ¾ÈÂʱîÁö
ÁøÀÔÀ» ½ÃÀÛÇÑ µí µû¹Ú µû¹Ú ÀüÇØÁö´Â ÀÔÁú¿¡ 4Â¥ ÁßÈÄ¹Ý ´ë¹°µéºÎÅÍ
ÁßÄ¡±Þµé±îÁö ´Ù¾çÇÑ ¾¾¾Ë·Î ¸¶¸´¼ö ¼Õ¸À Âð~ÇÏ°Ô Áñ±â°í ö¼öÇÕ´Ï´Ù.
¸ÅÀÏ ¸ÅÀÏ ´ë¹°ÀÇ ±æ¸ñÀ¸·Î ´Þ¸®´Ï ÇÔ²²ÇÏ½Ç ºÐµé ¿¬¶ôÁֽʽÿÀ~

19ÀÏ °ÅÁ¦±Ç ´ë¹°ÅÍ ¾îÃÊ¿©¹ç,°¨¼ºµ¼ È긲³¬½Ã ¿¹¾à ÀÚ¸® ÀÖ½À´Ï´Ù.
Â÷ÁÖ ´ë¹° °¨¼ºµ¼ ³ë¸®±â¿¡ ÃÖ»óÀÇ ¹°¶§ÀÔ´Ï´Ù.
¿À´Ãµµ °ÅÁ¦ ´ëµ¿³¬½Ã¿Í ÇÔ²²ÇØÁֽŠÁ¶»ç´Ôµé ¼ö°í ¸¹À¸¼Ì½À´Ï´Ù.

¢Ã ´ëµ¿³¬½Ã ÃâÁ¶ ÀÏÁ¤ ¢Ã 365ÃâÁ¶!!! (¸ö¸¸ ¿À¼Åµµ OK)
¡Ø°³ÀÎÃâÁ¶ ȯ¿µ!!! (¸ðµçÀåºñ ¹«·á´ë¿©) ¡Ú¸ö¸¸¿À¼Åµµ µË´Ï´Ù.
¡Ú19ÀÏ (¸ñ) ÁÖ°£,°ÅÁ¦±Ç °¨¼ºµ¼ È긲³¬½Ã "¿¹¾à°¡´É"
¡Ú20ÀÏ (±Ý) ÁÖ°£,°ÅÁ¦±Ç °¨¼ºµ¼ È긲³¬½Ã "¿¹¾à°¡´É"
¡Ú21ÀÏ (Åä) ÁÖ°£,°ÅÁ¦±Ç °¨¼ºµ¼ È긲³¬½Ã "¿¹¾à°¡´É"
¡Ú22ÀÏ (ÀÏ) ÁÖ°£,°ÅÁ¦±Ç °¨¼ºµ¼ È긲³¬½Ã "¿¹¾à°¡´É"
¡Ú23ÀÏ (¿ù) ÁÖ°£,°ÅÁ¦±Ç °¨¼ºµ¼ È긲³¬½Ã "¿¹¾à°¡´É"
¡Ú24ÀÏ (È­) ÁÖ°£,°ÅÁ¦±Ç °¨¼ºµ¼ È긲³¬½Ã "¿¹¾à°¡´É"
¡Ø ±â»ó¸¸ ÁÁÀ¸¸é 365ÀÏ ÃâÁ¶ÇÕ´Ï´Ù. ÁÖ¸» ¿¹¾àÀº ¹Ì¸®¹Ì¸® ¼­µÑ·¯ ÁÖ¼¼¿ä.

¢Ë´ëµ¿³¬½Ã ¢Ï010-4550-9017
¢Ã °ÅÁ¦½Ã »çµî¸é ¼ºÆ÷·Î 133(»çµî³óÇù¾Õ) °¨¼ºµ¼ Ư±ÞÆ÷ÀÎÆ® Á÷Ç×
¢Ã ¹êµå : https://band.us/@daedongho
¢Ã°ÅÁ¦±Ç °¨¼ºµ¼ Á¾ÀÏ ³¬½Ã ÁøÇàÁß ¢Ã

¢Ã°ÅÁ¦±Ç ¾ß°£ È£·¡±â³¬½Ã ÃâÁ¶ ¢Ã ½ÃÁð Á¾·á
¾ß°£ Àú³á 6½Ã Ãâ¹ß ~12½Ã±îÁö ¿î¿µ
¡Ø È£·¡±â Àåºñ ÀÏÀý ¹«·á ´ë¿©ÇÕ´Ï´Ù.
¡Ø¹«·á´ë¿©~ ¸ö¸¸ ¿À¸é µÇ´Â ÆíÇÑ ³¬½Ã~!!!!

¡Ú Ãʺ¸ÀÚµµ ½±°Ô Á¢±Ù °¡´ÉÇÑ µ¹¹®¾î³¬½Ã
¹®¾îüÇ賬½Ã´Â "¸ö¸¸ ¿À½Ã¸é µË´Ï´Ù"
- ¡Ú¡Ú¹«·á ´ë¿©¡Ú¡Ú ³¬½Ã´ë, ¸±, º£ÀÌÆ®¸±, ½ºÇǴ׸± µî »ó½Ã ÁغñÇϰí ÀÖ½À´Ï´Ù.
- ÀÌÁ¦ ¸ö¸¸ Æí¾ÈÈ÷ ¿À½Ã¸é, ³¬½Ã¸¦ Áñ±æ ¼ö ÀÖ°í, "Àü»ý¾îºÎ ±³À°"¼±ÀåÀÌ Á÷Á¢
ƼĪ Áö¿øÇØ µå¸®¸ç, ÃæºÐÈ÷ ¹®¾î¸¦ ³¬À» ¼ö ÀÖµµ·Ï °í°´´ÔµéÀ» ½ºÆ÷ÆÃ.
¡Ú°³ÀÎ ¹× °¡Á·ÆÀ, ´ÜüÆÀ ¾ðÁ¦³ª ȯ¿µÇÕ´Ï´Ù.

¡ÚÅ뿵 ¹®¾î¸ÀÁý - ´ëµ¿³¬½Ã
- Ÿ¿ì¸°ÀÌ Ç³ºÎÇØ ÇÇ·Îȸº¹¿¡ ÁÁÀº "¹®¾î¶ó¸é"°ú "¹®¾î¼÷ȸ" µî ǪÁüÇÑ ¸Ô°Å¸®
µµ´ëµ¿³¬½Ã¿¡¼­´Â °øÂ¥~

¢Ë´ëµ¿³¬½Ã ¢Ï010-4550-9017
¢Ã °ÅÁ¦½Ã »çµî¸é ¼ºÆ÷·Î 133(»çµî³óÇù¾Õ)
¢Ã ¹êµå : https://band.us/@daedongho¢Ã ¿¹¾à (¼öÇù) 2020-4222-9164 ÀÌÃá¼®
¡Ø½ÅºÐÁõ,±¸¸íº¹ Çʼö Áغñ, ¹è¿¡¼­ À½ÁÖ´Â ¹ýÀûÀ¸·Î ±ÝÁöµÇ¾î ÀÖ½À´Ï´Ù.
  • »ç¿ëÀÚ°¡ ¿Ã¸° À̹ÌÁö

 * °¡²û ±¤°í¸¦ Ŭ¸¯ÇØ ºÁ ÁÖ½Ã¸é ³¬¶û »çÀÌÆ® ¿î¿µ¿¡ µµ¿òÀÌ µË´Ï´Ù ^^
     
ÃÑ 0°³ÀÇ ´ñ±ÛÀÌ ÀÖ½À´Ï´Ù.

    ´ñ±Û¾²±â     [·Î±×ÀÎ] | [ȸ¿ø°¡ÀÔ]
 
 
4773(°¨¼ºµ¼)²ÙÁØÇÑ Á¶È² 4Â¥ ÀüÈÄµé ¸¶¸´¼ö üÆ÷~´ë¾î¼±¿Ü±â(20ÀÏ ¿¹¾à) ¾Æ¶ó¹Ù¶÷26.03.19703
4772(È긲)¿µµî ÓÞ¹° °¨¼ºµ¼ 4Â¥ ÃÊÁß¹Ý »§ÀÌ ´ë¹Ú~°¡°íÆÄÈ£(20ÀÏ ¿¹¾à) ¾Æ¶ó¹Ù¶÷26.03.19746
4771(°¨¼ºµ¼)¾îÃÊ¿©¹ç 4Â¥4Â¥4Â¥4Â¥ µ¢Ä¡µé ¼Ò³ª±â HIT~´ë¾î³¬½Ã(20ÀÏ ¿¹¾à) ¾Æ¶ó¹Ù¶÷26.03.19767
4770(°¨¼ºµ¼)¿ª½Ã~5Â¥4Â¥4Â¥4Â¥4Â¥ ¿Ü 3Â¥µé ŸÀÛ¿Ï·á ´ë¾çÈ£(21ÀÏ ¿¹¾à) ¾Æ¶ó¹Ù¶÷26.03.19789
4769(°¨¼ºµ¼)°³Ã¼¼ö ´ë¹Ú 4Â¥¿À¹ö ŸÀÛ ÆÛ´ã°í Á¶±âö¼ö~¾ßÈ£(20ÀÏ ¿¹¾à) ¾Æ¶ó¹Ù¶÷26.03.19808
4768(È긲)°¨¼ºµ¼ ¹«¸® Æ÷Âø ÁßÄ¡±Þµé·Î µÎ ÀÚ¸´¼ö~3´ëÈ£(20ÀÏ ¿¹¾à) ¾Æ¶ó¹Ù¶÷26.03.19852
4767(°¨¼ºµ¼)¹è½Å ¾ø´Â Æ÷ÀÎÆ® 4Â¥~3Â¥ ½Ç½Ã°£ ÇÖÁ¶È² ´ë¾çÈ£(20ÀÏ ¿¹¾à) ¾Æ¶ó¹Ù¶÷26.03.19420
4766(°¨¼ºµ¼)½Ç½Ã°£ Áý¾î¿Ï·á ÁßÄ¡±Þµé ¿ì´Ù´Ù´Ù~3´ëÈ£(20ÀÏ ¿¹¾à) ¾Æ¶ó¹Ù¶÷26.03.19412
4765(½Ç½Ã°£)´ë¹° °¨¼ºµ¼ °ø·« 4Â¥4Â¥4Â¥4Â¥ ¼øÇ× ñé~¾ßÈ£(20ÀÏ ¿¹¾à) ¾Æ¶ó¹Ù¶÷26.03.19398
4764(°¨¼ºµ¼)½Ç½Ã°£ Çǵù »§ ÁÁÀº 4Â¥3Â¥ ÆÛ ´ã´Â ñé~´ë¾î³¬½Ã(20ÀÏ ¿¹¾à) ¾Æ¶ó¹Ù¶÷26.03.191,143
4763(º¼¶ô)20Cm´Â ±âº»~28Cm ¿Õ»ç¹Ì±îÁö~½ÃÁð ÀýÁ¤ ´º±×¸°È£(¿À´Ã ¿¹¾à) ¾Æ¶ó¹Ù¶÷26.03.191,127
4762¼±¿Ü±â(°¨¼ºµ¼) ±½Àº 4Â¥4Â¥4Â¥4Â¥¿Ü µ¢Ä¡±Þµé~´ë¾î¼±¿Ü±â(19ÀÏ ¿¹¾à) ¾Æ¶ó¹Ù¶÷26.03.182,055
  1   2   3   4   5   6   7   8   9   10   

³¬½Ã»ç¶û¼Ò°³ | ¿À½Ã´Â±æ | ³¬½Ã»ç¶û¹è³Ê | ÀÌ¿ë¾à°ü | À̸ÞÀϹ«´Ü¼öÁý°ÅºÎ | °³ÀÎÁ¤º¸Ãë±Þ¹æÄ§ | ±Ç¸®Ä§ÇØ½Å°í¼¾ÅÍ
Copyright 1997~2022 (ÁÖ)À¥¶óÀÌÇÁ/³¬½Ã»ç¶û All rights reserved »ç¾÷ÀÚµî·Ï¹øÈ£ 110-81-42683
»ç¾÷Àå : ¼­¿ïƯº°½Ã ¿µµîÆ÷±¸ ¿µµîÆ÷·Î 374, 3Ãþ
[±¤°í/Á¦ÈÞ ¹× Ãßõ»óǰ µî·Ï¹®ÀÇ]     [³¬½ÃÅÍ ¹× ³¬½Ë¹è µî·Ï¹®ÀÇ]     [¹Î¿ø/°ÇÀÇ/½Å°í]     [¸ÞÀϹ®ÀÇ]     [¹®ÀÇ(FAX) 02-2634-2730]