¾Æ¶ó¹Ù¶÷ > (°¨¼ºµ¼)¾îÃÊ¿©¹ç ¼Ò½Ä 4Â¥ 4Â¥±Þ Æ÷ÇÔ 6¼ö~3´ëÈ£(23ÀÏ ¿¹¾à) : ³¬½Ã»ç¶û
ȸ¿ø°¡ÀÔ | ·Î±×ÀΠ| ½ÃÀÛÆäÀÌÁö | Áñ°Üã±â | ¹®ÀÇ/¿äû/½Å°í
³¬½ÃÅͼ±Åà | Àαâ°Ë»ö¾î | ¹Î¹°ÈÄ¿ø³¬½ÃÅÍ | ¹Ù´ÙÈÄ¿øÅÍ
 
¹Î¹°³¬½Ã | Á´ë/À¯·áÅÍ | ¹Ù´Ù³¬½Ã | ·ç¾î³¬½Ã | Ä¿¹Â´ÏƼ | ³¬¶ûŬ·´ | ³¬½Ã½ºÄð | Áß°íÀåÅÍ | ³¬½ÃQ&A | »ç¿ë±â/°­Á | ÃâÁ¶Á¤º¸ | °ø±¸/¿ëǰÁ¤º¸

 Æ¯ÆÄ¿ø(ÃâÁ¶Á¡)Á¶È²Á¤º¸

- º» °Ô½Ã¹°À» ¹«´Ü ´Ù¿î·Îµå, µµ¿ë, Àοë, ¸µÅ© ±ÝÁö. HOME >¹Ù´Ù³¬½Ã >ƯÆÄ¿ø(ÃâÁ¶Á¡)Á¶È²Á¤º¸

¾Æ¶ó¹Ù¶÷
ÀÛ¼ºÀÏ : 2026-03-22 14:52:23 / Á¶È¸ : 1,350      

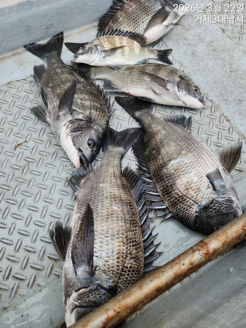
Á¦¸ñ l ¾Æ¶ó¹Ù¶÷ > (°¨¼ºµ¼)¾îÃÊ¿©¹ç ¼Ò½Ä 4Â¥ 4Â¥±Þ Æ÷ÇÔ 6¼ö~3´ëÈ£(23ÀÏ ¿¹¾à) : ³¬½Ã»ç¶û

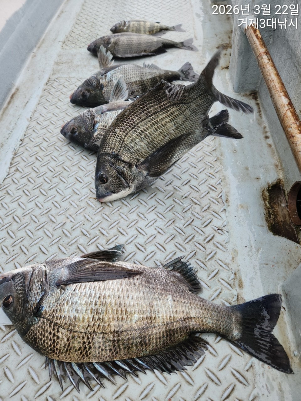
¾îÃÊ¿©¹ç ¿µµîö ´ë¹° °¨¼ºµ¼ °ø·«~!!!
22ÀÏ(ÀÏ) °ÅÁ¦ ÇÐ»ê ¸¶À» Ãâ¹ß °¨¼ºµ¼ È긲³¬½Ã "3´ëÈ£" (ö¼ö)ÇÖÁ¶È²ÀÔ´Ï´Ù.
¡Ø(À̺¥Æ®) 53CmÀÌ»ó üÆ÷½Ã ¾ÆÁöÄ« ¿øÁÙ°ú "´çÀÏ ÃÖ´ë¾î À̺¥Æ®"
2¸í ÀÌ»ó ÃâÁ¶½Ã 25CmÀÌ»ó ÃÖ´ë¾î 1¸í¿¡°Ô Å©¸®½ºÅ»Ä«º» ÃÖ»ó±Þ ¸ñÁÙ ÁõÁ¤!!!

¡Ú23ÀÏ(¿ù¿äÀÏ) °ÅÁ¦±Ç ¾îÃÊ¿©¹ç °¨¼ºµ¼ È긲³¬½Ã "¿¹¾à°¡´É"
(°¨¼ºµ¼) 4Â¥4Â¥±Þ ¿Ü ÁßÄ¡±Þµé ¾îÃÊ¿©¹ç Á¶È²~

°ÅÁ¦µµ Çл긶À» Ãâ¹ß °¨¼ºµ¼ È긲³¬½Ã 3´ëÈ£ Á¶È²ÀÔ´Ï´Ù.
¿µµîöÀÌ ½ÃÀÛµÈ ¾îÃÊ¿©¹ç ±Ý¹æÀÌ¶óµµ ´ë¹°µéÀÇ ÀÔÁúÀÌ ÁýÁßµÉ
µíÇÑ Æ÷ÀÎÆ® ºÐÀ§±â ÀÔ´Ï´Ù ´ÙÀ½ÁÖ Âß ÁÁÀº ¹°¶§ ±¸°£ ´ë¹°À»
³ë¸®¸ç ÃâÁ¶ÇÒ ¿¹Á¤ÀÌ´Ï ÇÔ²²ÇÏ½Ç ºÐµé ¿¬¶ôÁֽʽÿÀ.
4Â¥ 4Â¥±Þ ¿Ü ÁßÄ¡±Þµé·Î 6¼ö ¼Õ¸À Áñ±â°í ¸¶¹«¸® Çß½À´Ï´Ù.
23ÀÏ ¿¹¾à °¡´ÉÇÏ´Ï ¿¬¶ôÁֽʽÿÀ~

23ÀÏ(¿ù¿äÀÏ) ÁÁÀº ¹°¶§ ±¸°£À¸·Î ÁøÀÔÇÕ´Ï´Ù. ½ÂÀ²ÀÌ ³ô¾ÆÁö´Â
ÁÁÀº Á¶°Ç, °ÅÁ¦µµ Ãâ¹ß °¨¼ºµ¼ È긲³¬½Ã OPEN~¿¹¾à °¡´ÉÇÕ´Ï´Ù.
¿À´Ãµµ °ÅÁ¦ 3´ëÈ£¿Í ÇÔ²²ÇØÁֽŠÁ¶»ç´Ôµé ¼ö°í ¸¹À¸¼Ì½À´Ï´Ù.

¢Ã 3´ëÈ£ °ÅÁ¦±Ç °¨¼ºµ¼ È긲³¬½Ã ÀÏÁ¤ ¢Ã
¡Ú23ÀÏ(¿ù) °ÅÁ¦±Ç ´ë¹° °¨¼ºµ¼ È긲³¬½Ã ¿¹¾à °¡´É
¡Ú24ÀÏ(È­) ±â»ó ÁÖ½ÃÁß
¡Ú25ÀÏ(¼ö) °ÅÁ¦±Ç ´ë¹° °¨¼ºµ¼ È긲³¬½Ã ¿¹¾à °¡´É
¡Ú26ÀÏ(¸ñ) °ÅÁ¦±Ç ´ë¹° °¨¼ºµ¼ È긲³¬½Ã ¿¹¾à °¡´É
¡Ø ÁÖ¸»Àº Æ÷ÀÎÆ®°¡ Á¦ÇÑÀÌ ¸¹¾Æ ¹Ì¸®¹Ì¸® ¿¹¾àÀ» ¼­µÑ·¯ ÁÖ¼¼¿ä.

¡Ü 3´ëÈ£ ¿¹¾à ¢Ï010-5188-5399 (3´ëÈ£ ¼±Àå)
¡Ü 3´ëÈ£ ¹êµå http://band.us/@3daenaksi
¡Ü ÃâÇ×Áö; °æ³² °ÅÁ¦½Ã µÐ´ö¸é Çлê3±æ 75
¾ÆÁöÄ« ÃÖ»ó±Þ Å©¸®½ºÅ»Ä«º» ¸ñÁÙ ÁõÁ¤ À̺¥Æ®!!!
"´çÀÏ ÃÖ´ë¾î À̺¥Æ®" 2¸í ÀÌ»ó ÃâÁ¶½Ã, 25CmÀÌ»ó ÃÖ´ë¾î 1¸í¿¡°Ô Å©¸®½ºÅ»Ä«º»
ÃÖ»ó±Þ ¸ñÁÙ ÁõÁ¤!!!
¢Ë°¨¼ºµ¼ ¾îÃÊ¿©¹ç È긲³¬½Ã ¾È³» ¢Ë
(ÃâÁ¶ ½Ã°£) »õº® Ãâ¹ß ~ ¿ÀÈÄ 2½Ã ö¼ö(À¯µ¿Àû) ¼±ºñ 11¸¸¿ø.
- °ÅÁ¦µµÃâ¹ß Çѻ굵±Ç ¾îÃÊ¿©¹ç ´ë¹°Æ÷ÀÎÆ® °ø·«.
- µ¶¹è »ó½Ã ¿¹¾à °¡´ÉÇÕ´Ï´Ù.
- ½Ä»ç,¹Ø¹ä,¹Ì³¢,Ä¿ÇÇ,»ý¼ö Á¦°ø

¡Ü ÃâÁ¶½Ã ±¸¸íÁ¶³¢/½ÅºÐÁõÀº ¹Ýµå½Ã ÁöÂüÇØÁÖ¼¼¿ä.
¡Ü ÀԱݰèÁÂ: ¼öÇù 2020-4581-7819(±è¹Î±Ô)
¡Ü ¿¹¾àÀº ÀÔ±ÝÀÚ ¼ø¼­À̸ç ÅëÈ­ÈÄ ÀԱݹٶø´Ï´Ù.(¹ÌÀԱݽà ÀÓÀÇ Ãë¼Ò µÉ¼ö ÀÖÀ½)

¡Ü ȯºÒ ±ÔÁ¤
'¿¹¾à ¿Ï·á' °øÁö ÀÌÈÄ, Ãë¼Ò ¿äû½Ã ȯºÒ µÇÁö ¾Ê½À´Ï´Ù.
´Ü, ´Ù¸¥ ¼Õ´ÔÀ¸·Î ´ëü µÉ¶§´Â ȯºÒÇØ µå¸³´Ï´Ù.

¡Ü 3´ëÈ£ ¿¹¾à ¢Ï010-5188-5399 (3´ëÈ£ ¼±Àå)
¡Ü 3´ëÈ£ ¹êµå http://band.us/@3daenaksi
¡Ü ÃâÇ×Áö; °æ³² °ÅÁ¦½Ã µÐ´ö¸é Çлê3±æ 75
  • »ç¿ëÀÚ°¡ ¿Ã¸° À̹ÌÁö

 * °¡²û ±¤°í¸¦ Ŭ¸¯ÇØ ºÁ ÁÖ½Ã¸é ³¬¶û »çÀÌÆ® ¿î¿µ¿¡ µµ¿òÀÌ µË´Ï´Ù ^^
     
ÃÑ 0°³ÀÇ ´ñ±ÛÀÌ ÀÖ½À´Ï´Ù.

    ´ñ±Û¾²±â     [·Î±×ÀÎ] | [ȸ¿ø°¡ÀÔ]
 
 
4831¼±¿Ü±â(°¨¼ºµ¼ ÃÊ´ë¹Ú) ´ë¹° 5Â¥5Â¥4Â¥4Â¥4Â¥4Â¥4Â¥~´ë¾î¼±¿Ü±â(24ÀÏ ¿¹¾à) ¾Æ¶ó¹Ù¶÷26.03.23749
4830¹®¾î(¿øµµ±Ç) ºÎºÎ ¿¬ÀÎ Á¶»ç´Ôµé Ű·Î¿À¹ö »Ì¾Ò¾î¿ä~°í°íÇǽÌÈ£(25ÀÏ ¿¹¾à)2 ¾Æ¶ó¹Ù¶÷26.03.23834
4829¿µµî °¨¼ºµ¼(È긲) 4Â¥4Â¥4Â¥4Â¥4Â¥¿Ü 4Â¥±Þ ºò»çÀÌÁîµé~¾ßÈ£ (24ÀÏ ¿¹¾à) ¾Æ¶ó¹Ù¶÷26.03.23833
4828¿µµî °¨¼ºµ¼(È긲) 4Â¥4Â¥4Â¥4Â¥4Â¥¿Ü 4Â¥±Þ ºò»çÀÌÁîµé~¾ßÈ£ (24ÀÏ ¿¹¾à) ¾Æ¶ó¹Ù¶÷26.03.23849
4827µ¹¹®¾î(¿øµµ±Ç) ±½ÂïÇÑ ³ðµéÀº ¿©±â¿¡ ¸ô·Á ÀÖ½À´Ï´Ù~°­¹ÎÈ£ (26ÀÏ ¿¹¾à) ¾Æ¶ó¹Ù¶÷26.03.231,096
4826°¨¼ºµ¼(ÃÊ´ë¹Ú ½Ç½Ã°£) 4Â¥4Â¥4Â¥4Â¥4Â¥4Â¥4Â¥4Â¥4Â¥ ÆÛ´ã°í~´ë¾î1È£(24ÀÏ ¿¹¾à) ¾Æ¶ó¹Ù¶÷26.03.231,166
4825¿µµî °¨¼ºµ¼(ÇÖ ½Ç½Ã°£) 4Â¥4Â¥4Â¥4Â¥¿Ü ¸·°­ ¼Õ¸À~¾ßÈ£ (24ÀÏ ¿¹¾à) ¾Æ¶ó¹Ù¶÷26.03.23412
4824¼±¿Ü±â(°¨¼ºµ¼ ½Ç½Ã°£) 4Â¥ 4Â¥ 4Â¥ 4Â¥ ±ò·È³×¿ä~´ë¾î¼±¿Ü±â(24ÀÏ ¿¹¾à) ¾Æ¶ó¹Ù¶÷26.03.23415
4823¿Õº¼¶ô 28Cm±îÁö~°¨¼ºµ¼ 4Â¥ ÆÜÆÜÆÜ(LURE) ´º±×¸°È£(¿À´Ã¹ã ¿¹¾à) ¾Æ¶ó¹Ù¶÷26.03.23426
4822(°¨¼ºµ¼)5Â¥ 3¸¶¸® 4Â¥ ÃÊÁß¹Ý Æø°Ý ¼Õ¸À ÃàÁ¦~´ë¾î¼±¿Ü±â(23ÀÏ ¿¹¾à) ¾Æ¶ó¹Ù¶÷26.03.222,115
4821(°¨¼ºµ¼)4Â¥ ÀüÈÄ ¸¶¸´¼ö ¿Ü 21ÀÏ 5Â¥4Â¥ ÇÖÁ¶È² °¡°íÆÄÈ£(23ÀÏ ¿¹¾à) ¾Æ¶ó¹Ù¶÷26.03.221,902
4820(°¨¼ºµ¼)³»¸¸±Ç 5Â¥4Â¥~´ë¹°µé ÁøÀÔ ¿Ï·á~´ëµ¿³¬½Ã(23ÀÏ ¿¹¾à) ¾Æ¶ó¹Ù¶÷26.03.221,936
  1   2   3   4   5   6   7   8   9   10   

³¬½Ã»ç¶û¼Ò°³ | ¿À½Ã´Â±æ | ³¬½Ã»ç¶û¹è³Ê | ÀÌ¿ë¾à°ü | À̸ÞÀϹ«´Ü¼öÁý°ÅºÎ | °³ÀÎÁ¤º¸Ãë±Þ¹æÄ§ | ±Ç¸®Ä§ÇØ½Å°í¼¾ÅÍ
Copyright 1997~2022 (ÁÖ)À¥¶óÀÌÇÁ/³¬½Ã»ç¶û All rights reserved »ç¾÷ÀÚµî·Ï¹øÈ£ 110-81-42683
»ç¾÷Àå : ¼­¿ïƯº°½Ã ¿µµîÆ÷±¸ ¿µµîÆ÷·Î 374, 3Ãþ
[±¤°í/Á¦ÈÞ ¹× Ãßõ»óǰ µî·Ï¹®ÀÇ]     [³¬½ÃÅÍ ¹× ³¬½Ë¹è µî·Ï¹®ÀÇ]     [¹Î¿ø/°ÇÀÇ/½Å°í]     [¸ÞÀϹ®ÀÇ]     [¹®ÀÇ(FAX) 02-2634-2730]