¾Æ¶ó¹Ù¶÷ > (°¨¼ºµ¼)³»¸¸±Ç 5Â¥4Â¥~´ë¹°µé ÁøÀÔ ¿Ï·á~´ëµ¿³¬½Ã(23ÀÏ ¿¹¾à) : ³¬½Ã»ç¶û
ȸ¿ø°¡ÀÔ | ·Î±×ÀΠ| ½ÃÀÛÆäÀÌÁö | Áñ°Üã±â | ¹®ÀÇ/¿äû/½Å°í
³¬½ÃÅͼ±Åà | Àαâ°Ë»ö¾î | ¹Î¹°ÈÄ¿ø³¬½ÃÅÍ | ¹Ù´ÙÈÄ¿øÅÍ
 
¹Î¹°³¬½Ã | Á´ë/À¯·áÅÍ | ¹Ù´Ù³¬½Ã | ·ç¾î³¬½Ã | Ä¿¹Â´ÏƼ | ³¬¶ûŬ·´ | ³¬½Ã½ºÄð | Áß°íÀåÅÍ | ³¬½ÃQ&A | »ç¿ë±â/°­Á | ÃâÁ¶Á¤º¸ | °ø±¸/¿ëǰÁ¤º¸

 Æ¯ÆÄ¿ø(ÃâÁ¶Á¡)Á¶È²Á¤º¸

- º» °Ô½Ã¹°À» ¹«´Ü ´Ù¿î·Îµå, µµ¿ë, Àοë, ¸µÅ© ±ÝÁö. HOME >¹Ù´Ù³¬½Ã >ƯÆÄ¿ø(ÃâÁ¶Á¡)Á¶È²Á¤º¸

¾Æ¶ó¹Ù¶÷
ÀÛ¼ºÀÏ : 2026-03-22 15:51:37 / Á¶È¸ : 1,943      

Á¦¸ñ l ¾Æ¶ó¹Ù¶÷ > (°¨¼ºµ¼)³»¸¸±Ç 5Â¥4Â¥~´ë¹°µé ÁøÀÔ ¿Ï·á~´ëµ¿³¬½Ã(23ÀÏ ¿¹¾à) : ³¬½Ã»ç¶û

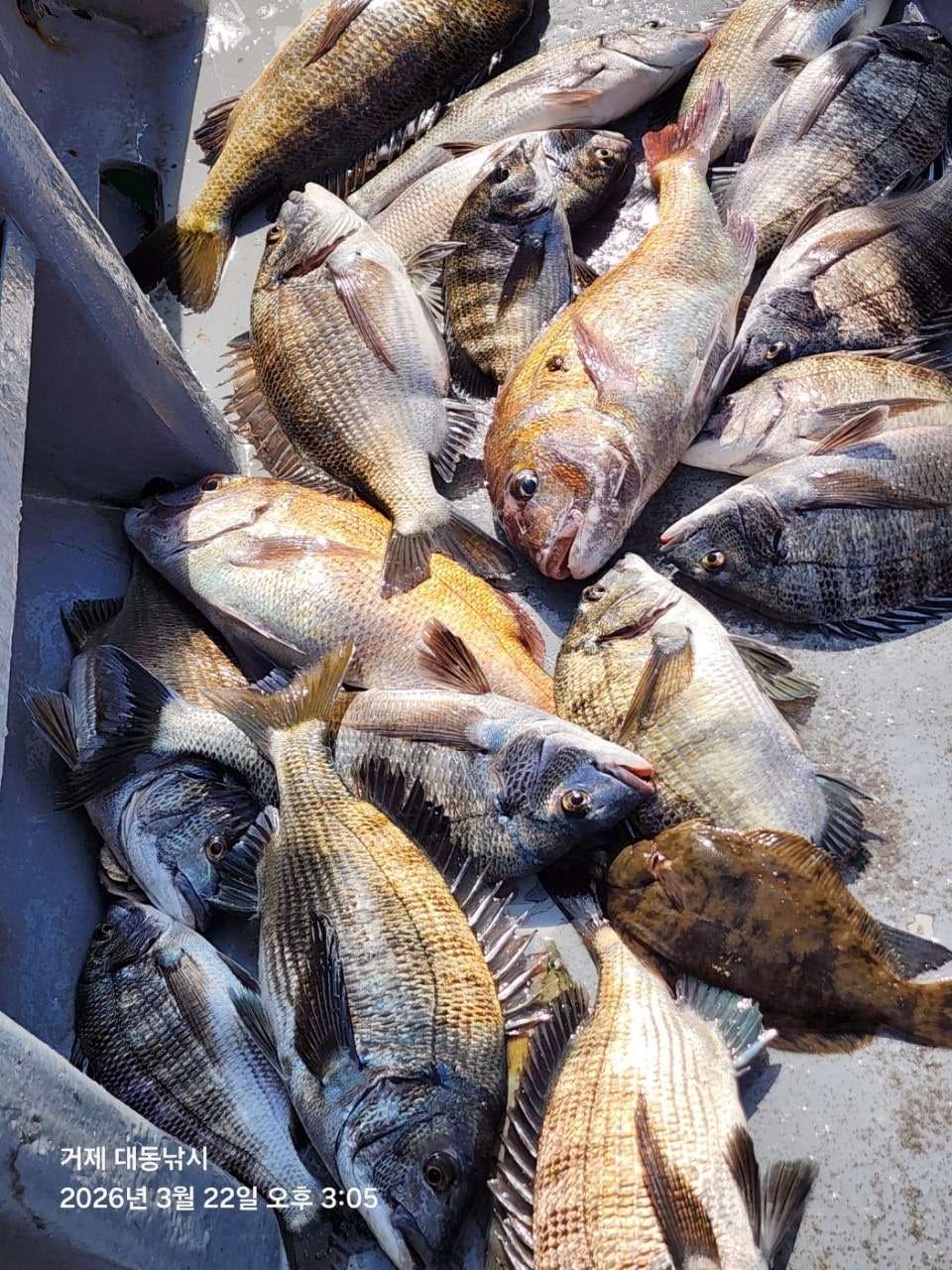
³»¸¸±Ç ´ë¹° ÁøÀÔ È®ÀÎ 5Â¥4Â¥ Á¶È²~
22ÀÏ(ÀÏ¿äÀÏ) °ÅÁ¦±Ç ´ë¹° °¨¼ºµ¼ ½ÃÁð, È긲³¬½Ã"´ëµ¿³¬½Ã" (ö¼ö)ÇÖÁ¶È²ÀÔ´Ï´Ù.
¡Ø Àü¿ë¼±Ã¼Á¦ ¿î¿µ °¨¼ºµ¼³¬½Ã ¿î¿µ. 53CmÀÌ»ó (ÀÏ 1¸í)¾ÆÁöÄ«¶óÀÎ ÁõÁ¤,

¡Ú 23ÀÏ(¿ù¿äÀÏ) ÁÖ°£ °ÅÁ¦±Ç ´ë¹° °¨¼ºµ¼ ³¬½Ã "¿¹¾à °¡´É"
(°¨¼ºµ¼) ³»¸¸±Ç ½ÃÁð 5Â¥ 4Â¥ µ¢Ä¡µé ¿Ü Âüµ¼±îÁö~

°ÅÁ¦ ¼ºÆ÷Ãâ¹ß ´ëµ¿³¬½ÃÀÔ´Ï´Ù.
³»¸¸±ÇÀ¸·Î ÁøÀÔÀ» ³¡³½ ´ë¹° °¨¼ºµ¼µéÀÇ ÆøÆÈÀûÀÎ ¹ÝÀÀÀÌ À̾îÁö¸ç
¸¶¸´¼ö¸¦ ½×¾Ò½À´Ï´Ù 5Â¥ 4Â¥ »§»§ÇÑ ³à¼®µé·Î µû¹Ú µû¹Ú ÀüÇØÁö´Â
ÀÔÁú¿¡ ´çÂù ¼Õ¸À Áñ°å°í Áß°£Áß°£ ¾¾¾Ë ÁÁÀº Âüµ¼µé±îÁö ÇÕ¼¼Çϸç
¿µµîö´Ù¿î Á¶È²À¸·Î ¸¶¹«¸® ÇÕ´Ï´Ù. ³»¸¸±ÇÀ¸·Î ´ë¹°µéÀÌ ¸¹ÀÌ
ÁøÀÔÇß½À´Ï´Ù ¸ÅÀÏ ´Þ¸³´Ï´Ù ÇÔ²²ÇÏ½Ç ºÐµé ¿¬¶ôÁֽʽÿÀ~

23ÀÏ °ÅÁ¦±Ç ´ë¹°ÅÍ ¾îÃÊ¿©¹ç,°¨¼ºµ¼ È긲³¬½Ã ¿¹¾à ÀÚ¸® ÀÖ½À´Ï´Ù.
À̹øÁÖ ´ë¹° °¨¼ºµ¼ ³ë¸®±â¿¡ ÃÖ»óÀÇ ¹°¶§ÀÔ´Ï´Ù.
¿À´Ãµµ °ÅÁ¦ ´ëµ¿³¬½Ã¿Í ÇÔ²²ÇØÁֽŠÁ¶»ç´Ôµé ¼ö°í ¸¹À¸¼Ì½À´Ï´Ù.

¢Ã ´ëµ¿³¬½Ã ÃâÁ¶ ÀÏÁ¤ ¢Ã 365ÃâÁ¶!!! (¸ö¸¸ ¿À¼Åµµ OK)
¡Ø°³ÀÎÃâÁ¶ ȯ¿µ!!! (¸ðµçÀåºñ ¹«·á´ë¿©) ¡Ú¸ö¸¸¿À¼Åµµ µË´Ï´Ù.
¡Ú23ÀÏ (¿ù) ÁÖ°£,°ÅÁ¦±Ç °¨¼ºµ¼ È긲³¬½Ã "¿¹¾à°¡´É"
¡Ú24ÀÏ (È­) ÁÖ°£,°ÅÁ¦±Ç °¨¼ºµ¼ È긲³¬½Ã "¿¹¾à°¡´É"
¡Ú25ÀÏ (¼ö) ÁÖ°£,°ÅÁ¦±Ç °¨¼ºµ¼ È긲³¬½Ã "¿¹¾à°¡´É"
¡Ú26ÀÏ (¸ñ) ÁÖ°£,°ÅÁ¦±Ç °¨¼ºµ¼ È긲³¬½Ã "¿¹¾à°¡´É"
¡Ú27ÀÏ (±Ý) ÁÖ°£,°ÅÁ¦±Ç °¨¼ºµ¼ È긲³¬½Ã "¿¹¾à°¡´É"
¡Ú28ÀÏ (Åä) ÁÖ°£,°ÅÁ¦±Ç °¨¼ºµ¼ È긲³¬½Ã "¿¹¾à°¡´É"
¡Ø ±â»ó¸¸ ÁÁÀ¸¸é 365ÀÏ ÃâÁ¶ÇÕ´Ï´Ù. ÁÖ¸» ¿¹¾àÀº ¹Ì¸®¹Ì¸® ¼­µÑ·¯ ÁÖ¼¼¿ä.

¢Ë´ëµ¿³¬½Ã ¢Ï010-4550-9017
¢Ã °ÅÁ¦½Ã »çµî¸é ¼ºÆ÷·Î 133(»çµî³óÇù¾Õ) °¨¼ºµ¼ Ư±ÞÆ÷ÀÎÆ® Á÷Ç×
¢Ã ¹êµå : https://band.us/@daedongho
¢Ã°ÅÁ¦±Ç °¨¼ºµ¼ Á¾ÀÏ ³¬½Ã ÁøÇàÁß ¢Ã

¢Ã°ÅÁ¦±Ç ¾ß°£ È£·¡±â³¬½Ã ÃâÁ¶ ¢Ã ½ÃÁð Á¾·á
¾ß°£ Àú³á 6½Ã Ãâ¹ß ~12½Ã±îÁö ¿î¿µ
¡Ø È£·¡±â Àåºñ ÀÏÀý ¹«·á ´ë¿©ÇÕ´Ï´Ù.
¡Ø¹«·á´ë¿©~ ¸ö¸¸ ¿À¸é µÇ´Â ÆíÇÑ ³¬½Ã~!!!!

¡Ú Ãʺ¸ÀÚµµ ½±°Ô Á¢±Ù °¡´ÉÇÑ µ¹¹®¾î³¬½Ã
¹®¾îüÇ賬½Ã´Â "¸ö¸¸ ¿À½Ã¸é µË´Ï´Ù"
- ¡Ú¡Ú¹«·á ´ë¿©¡Ú¡Ú ³¬½Ã´ë, ¸±, º£ÀÌÆ®¸±, ½ºÇǴ׸± µî »ó½Ã ÁغñÇϰí ÀÖ½À´Ï´Ù.
- ÀÌÁ¦ ¸ö¸¸ Æí¾ÈÈ÷ ¿À½Ã¸é, ³¬½Ã¸¦ Áñ±æ ¼ö ÀÖ°í, "Àü»ý¾îºÎ ±³À°"¼±ÀåÀÌ Á÷Á¢
ƼĪ Áö¿øÇØ µå¸®¸ç, ÃæºÐÈ÷ ¹®¾î¸¦ ³¬À» ¼ö ÀÖµµ·Ï °í°´´ÔµéÀ» ½ºÆ÷ÆÃ.
¡Ú°³ÀÎ ¹× °¡Á·ÆÀ, ´ÜüÆÀ ¾ðÁ¦³ª ȯ¿µÇÕ´Ï´Ù.

¡ÚÅ뿵 ¹®¾î¸ÀÁý - ´ëµ¿³¬½Ã
- Ÿ¿ì¸°ÀÌ Ç³ºÎÇØ ÇÇ·Îȸº¹¿¡ ÁÁÀº "¹®¾î¶ó¸é"°ú "¹®¾î¼÷ȸ" µî ǪÁüÇÑ ¸Ô°Å¸®
µµ´ëµ¿³¬½Ã¿¡¼­´Â °øÂ¥~

¢Ë´ëµ¿³¬½Ã ¢Ï010-4550-9017
¢Ã °ÅÁ¦½Ã »çµî¸é ¼ºÆ÷·Î 133(»çµî³óÇù¾Õ)
¢Ã ¹êµå : https://band.us/@daedongho¢Ã ¿¹¾à (¼öÇù) 2020-4222-9164 ÀÌÃá¼®
¡Ø½ÅºÐÁõ,±¸¸íº¹ Çʼö Áغñ, ¹è¿¡¼­ À½ÁÖ´Â ¹ýÀûÀ¸·Î ±ÝÁöµÇ¾î ÀÖ½À´Ï´Ù.
  • »ç¿ëÀÚ°¡ ¿Ã¸° À̹ÌÁö

 * °¡²û ±¤°í¸¦ Ŭ¸¯ÇØ ºÁ ÁÖ½Ã¸é ³¬¶û »çÀÌÆ® ¿î¿µ¿¡ µµ¿òÀÌ µË´Ï´Ù ^^
     
ÃÑ 0°³ÀÇ ´ñ±ÛÀÌ ÀÖ½À´Ï´Ù.

    ´ñ±Û¾²±â     [·Î±×ÀÎ] | [ȸ¿ø°¡ÀÔ]
 
 
4831¼±¿Ü±â(°¨¼ºµ¼ ÃÊ´ë¹Ú) ´ë¹° 5Â¥5Â¥4Â¥4Â¥4Â¥4Â¥4Â¥~´ë¾î¼±¿Ü±â(24ÀÏ ¿¹¾à) ¾Æ¶ó¹Ù¶÷26.03.23752
4830¹®¾î(¿øµµ±Ç) ºÎºÎ ¿¬ÀÎ Á¶»ç´Ôµé Ű·Î¿À¹ö »Ì¾Ò¾î¿ä~°í°íÇǽÌÈ£(25ÀÏ ¿¹¾à)2 ¾Æ¶ó¹Ù¶÷26.03.23841
4829¿µµî °¨¼ºµ¼(È긲) 4Â¥4Â¥4Â¥4Â¥4Â¥¿Ü 4Â¥±Þ ºò»çÀÌÁîµé~¾ßÈ£ (24ÀÏ ¿¹¾à) ¾Æ¶ó¹Ù¶÷26.03.23842
4828¿µµî °¨¼ºµ¼(È긲) 4Â¥4Â¥4Â¥4Â¥4Â¥¿Ü 4Â¥±Þ ºò»çÀÌÁîµé~¾ßÈ£ (24ÀÏ ¿¹¾à) ¾Æ¶ó¹Ù¶÷26.03.23856
4827µ¹¹®¾î(¿øµµ±Ç) ±½ÂïÇÑ ³ðµéÀº ¿©±â¿¡ ¸ô·Á ÀÖ½À´Ï´Ù~°­¹ÎÈ£ (26ÀÏ ¿¹¾à) ¾Æ¶ó¹Ù¶÷26.03.231,101
4826°¨¼ºµ¼(ÃÊ´ë¹Ú ½Ç½Ã°£) 4Â¥4Â¥4Â¥4Â¥4Â¥4Â¥4Â¥4Â¥4Â¥ ÆÛ´ã°í~´ë¾î1È£(24ÀÏ ¿¹¾à) ¾Æ¶ó¹Ù¶÷26.03.231,172
4825¿µµî °¨¼ºµ¼(ÇÖ ½Ç½Ã°£) 4Â¥4Â¥4Â¥4Â¥¿Ü ¸·°­ ¼Õ¸À~¾ßÈ£ (24ÀÏ ¿¹¾à) ¾Æ¶ó¹Ù¶÷26.03.23412
4824¼±¿Ü±â(°¨¼ºµ¼ ½Ç½Ã°£) 4Â¥ 4Â¥ 4Â¥ 4Â¥ ±ò·È³×¿ä~´ë¾î¼±¿Ü±â(24ÀÏ ¿¹¾à) ¾Æ¶ó¹Ù¶÷26.03.23415
4823¿Õº¼¶ô 28Cm±îÁö~°¨¼ºµ¼ 4Â¥ ÆÜÆÜÆÜ(LURE) ´º±×¸°È£(¿À´Ã¹ã ¿¹¾à) ¾Æ¶ó¹Ù¶÷26.03.23426
4822(°¨¼ºµ¼)5Â¥ 3¸¶¸® 4Â¥ ÃÊÁß¹Ý Æø°Ý ¼Õ¸À ÃàÁ¦~´ë¾î¼±¿Ü±â(23ÀÏ ¿¹¾à) ¾Æ¶ó¹Ù¶÷26.03.222,122
4821(°¨¼ºµ¼)4Â¥ ÀüÈÄ ¸¶¸´¼ö ¿Ü 21ÀÏ 5Â¥4Â¥ ÇÖÁ¶È² °¡°íÆÄÈ£(23ÀÏ ¿¹¾à) ¾Æ¶ó¹Ù¶÷26.03.221,908
4820(°¨¼ºµ¼)³»¸¸±Ç 5Â¥4Â¥~´ë¹°µé ÁøÀÔ ¿Ï·á~´ëµ¿³¬½Ã(23ÀÏ ¿¹¾à) ¾Æ¶ó¹Ù¶÷26.03.221,943
  1   2   3   4   5   6   7   8   9   10   

³¬½Ã»ç¶û¼Ò°³ | ¿À½Ã´Â±æ | ³¬½Ã»ç¶û¹è³Ê | ÀÌ¿ë¾à°ü | À̸ÞÀϹ«´Ü¼öÁý°ÅºÎ | °³ÀÎÁ¤º¸Ãë±Þ¹æÄ§ | ±Ç¸®Ä§ÇØ½Å°í¼¾ÅÍ
Copyright 1997~2022 (ÁÖ)À¥¶óÀÌÇÁ/³¬½Ã»ç¶û All rights reserved »ç¾÷ÀÚµî·Ï¹øÈ£ 110-81-42683
»ç¾÷Àå : ¼­¿ïƯº°½Ã ¿µµîÆ÷±¸ ¿µµîÆ÷·Î 374, 3Ãþ
[±¤°í/Á¦ÈÞ ¹× Ãßõ»óǰ µî·Ï¹®ÀÇ]     [³¬½ÃÅÍ ¹× ³¬½Ë¹è µî·Ï¹®ÀÇ]     [¹Î¿ø/°ÇÀÇ/½Å°í]     [¸ÞÀϹ®ÀÇ]     [¹®ÀÇ(FAX) 02-2634-2730]