¾Æ¶ó¹Ù¶÷ > (°¨¼ºµ¼)5Â¥ 3¸¶¸® 4Â¥ ÃÊÁß¹Ý Æø°Ý ¼Õ¸À ÃàÁ¦~´ë¾î¼±¿Ü±â(23ÀÏ ¿¹¾à) : ³¬½Ã»ç¶û
ȸ¿ø°¡ÀÔ | ·Î±×ÀΠ| ½ÃÀÛÆäÀÌÁö | Áñ°Üã±â | ¹®ÀÇ/¿äû/½Å°í
³¬½ÃÅͼ±Åà | Àαâ°Ë»ö¾î | ¹Î¹°ÈÄ¿ø³¬½ÃÅÍ | ¹Ù´ÙÈÄ¿øÅÍ
 
¹Î¹°³¬½Ã | Á´ë/À¯·áÅÍ | ¹Ù´Ù³¬½Ã | ·ç¾î³¬½Ã | Ä¿¹Â´ÏƼ | ³¬¶ûŬ·´ | ³¬½Ã½ºÄð | Áß°íÀåÅÍ | ³¬½ÃQ&A | »ç¿ë±â/°­Á | ÃâÁ¶Á¤º¸ | °ø±¸/¿ëǰÁ¤º¸

 Æ¯ÆÄ¿ø(ÃâÁ¶Á¡)Á¶È²Á¤º¸

- º» °Ô½Ã¹°À» ¹«´Ü ´Ù¿î·Îµå, µµ¿ë, Àοë, ¸µÅ© ±ÝÁö. HOME >¹Ù´Ù³¬½Ã >ƯÆÄ¿ø(ÃâÁ¶Á¡)Á¶È²Á¤º¸

¾Æ¶ó¹Ù¶÷
ÀÛ¼ºÀÏ : 2026-03-22 17:08:11 / Á¶È¸ : 2,122      

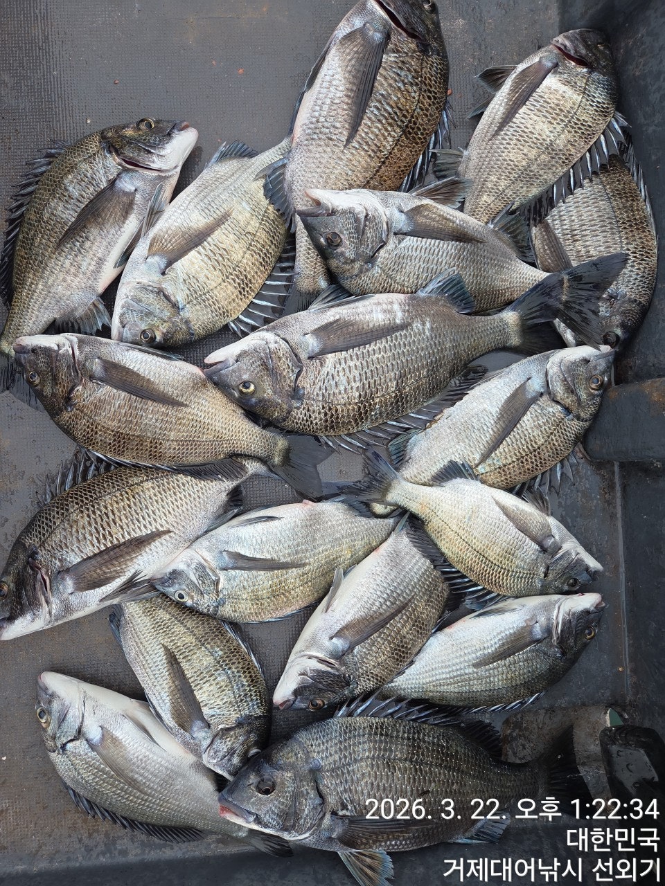
Á¦¸ñ l ¾Æ¶ó¹Ù¶÷ > (°¨¼ºµ¼)5Â¥ 3¸¶¸® 4Â¥ ÃÊÁß¹Ý Æø°Ý ¼Õ¸À ÃàÁ¦~´ë¾î¼±¿Ü±â(23ÀÏ ¿¹¾à) : ³¬½Ã»ç¶û

5Â¥¸¸ 3¸¶¸®´ë¹°°¨¼ºµ¼ ²ÉÀÌ ÇǾú½À´Ï´Ù~
22ÀÏ(ÀÏ¿äÀÏ) °ÅÁ¦ ´ë¾î¼±¿Ü±â ´ë¿©, ´ë¹° °¨¼ºµ¼³¬½Ã ö¼ö ÇÖÁ¶È²ÀÔ´Ï´Ù.
¡Ø ¼±¿Ü±â´Â ¸éÇã°¡ ¾ø¾îµµ ¿îÀüÀÌ °¡´ÉÇÕ´Ï´Ù. 3ºÐ±³À°ÈÄ, Á÷Á¢ ¸ô°í °¡¼¼¿ä.
¡Ø 53CmÀÌ»ó °¨¼ºµ¼ üÆ÷½Ã, ¾ÆÁöÄ«(AJIKA) °øµ¿À̺¥Æ®, ÃÖ»ó±Þ ¿øÁÙ ÁõÁ¤.
¡Ø 16½Ã 30ºÐ±îÁö Ç×±¸ µµÂø~!!! ¾ÈÀü»ó ²À ½Ã°£ ¾ö¼ö ºÎʵ右´Ï´Ù~

¡Ù 23ÀÏ(¿ù¿äÀÏ) ¼±¿Ü±â ´ë¿©, ¼±´Ü °¨¼ºµ¼ ¼±»ó³¬½Ã"¿¹¾à°¡´É"
¢º¼±»ó³¬½Ã/¼±¿Ü±â/´Üµ¶Ææ¼Ç ¿î¿µ(°¡Á·,Ãʺ¸, »ýȰ³¬½Ã´Â "°ÅÁ¦´ë¾î¼±¿Ü±â" )
(°¨¼ºµ¼)´ë¹ÚÀÇ ³¡Àº ¾îµðÀΰ¡~5Â¥ 4Â¥ ¿À´Ãµµ À̸¸Å­~
´ë¹°ÀÇ ½ÃÁð ¿µµîöÀÌ ½ÃÀ۵˴ϴÙ~
´ë¾î³¬½Ã ¼±¿Ü±â Á¶È²ÀÔ´Ï´Ù.
¼±¿Ü±â ¿µµîöÀ» ¸ÂÀÌÇÑ ¿µ¾÷ ±¸¿ª ±¸¼® ±¸¼® ´ë¹° °¨¼ºµ¼µéÀÇ
ÀÔÁú¿¡ Á¤½Å ¾ø´Â ÇÏ·ç¿´½À´Ï´Ù 5Â¥ 5Â¥ 5Â¥ 5Â¥¸¸ 3¸¶¸®¸¦ È®ÀÎÇß°í,
4Â¥ ÁßÈÄ¹Ý µ¢Ä¡µé±îÁö ÇÕ¼¼ÇÏ¸ç ½¯ Æ´ ¾ø´Â ÀÔÁú¿¡ ö¼öÇϽô Á¶»ç´Ôµé
¾îâÀº ´ëdz³âÀ̳׿ä~ °¡Àå È®·ü ³ôÀº ½ÃÁð ¼±¿Ü±â Ư±Þ Æ÷ÀÎÆ®µé·Î
¾È³»µå¸³´Ï´Ù ÀýÈ£ÀÇ Âù½º ÀâÀ¸·¯ ¿À½Ê½Ã¿À ³»ÀϺÎÅÍ Âß ¿¹¾à °¡´ÉÇÕ´Ï´Ù.

23ÀÏ(¿ù¿äÀÏ) ¼±¿Ü±â´ë¿© °¨¼ºµ¼³¬½Ã, ¼±´Ü °¨¼ºµ¼ ³¬½Ã ¿¹¾à °¡´ÉÇÕ´Ï´Ù.
¡Ø¼Õ¸À º¸½Ã°í ö¼ö ÇϽǶ§ ¿äû Áֽøé ÀâÀ¸½Å °í±â ¼ÒÁ¤ÀÇ
ºñ¿ëÀ¸·Î ¼ÕÁú ÇØµå¸³´Ï´Ù~ ¼±Àå´Ô²² ¿äûÁÖ¼¼¿ä~.
¿À´Ãµµ °ÅÁ¦ ´ë¾î¼±¿Ü±â¸¦ ÀÌ¿ëÇØÁֽŠÁ¶»ç´Ôµé ¼ö°í ¸¹À¸¼Ì½À´Ï´Ù.

¢Ã °ÅÁ¦´ë¾î³¬½Ã¼±¿Ü±â´ë¿© ÀÏÁ¤ ¾È³» ¢Ã
¡Ú¼÷¹Ú+³¬½Ã¹è¸¦ µ¿½Ã¿¡ ÀÌ¿ëÇϰíÀÚ ÇÏ´Â ºÐµéÀº ÇÒÀÎ ÇýÅà Àû¿ë.
¡Ù23ÀÏ(¿ù) ¼±¿Ü±â "°¨¼ºµ¼ µ¹¹®¾î³¬½Ã, ¼±´Ü °¨¼ºµ¼ "¿¹¾à°¡´É"
¡Ù24ÀÏ(È­) ¼±¿Ü±â "°¨¼ºµ¼ µ¹¹®¾î³¬½Ã, ¼±´Ü °¨¼ºµ¼ "¿¹¾à°¡´É"
¡Ù25ÀÏ(¼ö) ¼±¿Ü±â "°¨¼ºµ¼ µ¹¹®¾î³¬½Ã, ¼±´Ü °¨¼ºµ¼ "¿¹¾à°¡´É"
¡Ø ÁÖ¸» °øÈÞÀÏÀº ¹Ì¸® ¹Ì¸® ¿¹¾àÀ» ÇØ ÁÖ½Ã±æ ¹Ù¶ø´Ï´Ù.
¡Ø ³¬½ÃÀåºñ°¡ ÇÊ¿äÇϽŠºÐµéÀº ÀÓ´ë ÇØ µå¸³´Ï´Ù. ¿¹¾à½Ã ²À ¾Ë·Á ÁÖ¼¼¿ä.
¡Ø 16½Ã 30ºÐ±îÁö Ç×±¸ µµÂø~!!! ¾ÈÀü»ó ²À ½Ã°£ ¾ö¼ö ºÎʵ右´Ï´Ù~

°ÅÁ¦´ë¾î³¬½Ã ¼±¿Ü±â(¼±»ó)³¬½Ã ¿¹¾à(µ¶Ã¤ ¹Î¹Ú)
¹®ÀÇ ¢Ï 010-640-2082 / ¢Ï 010-454-3937
¤±¼±¿Ü±â ¿¹¾à: ¢Ï 010-6400-2082
¡á ¹êµå: https://band.us/@geojedaefishing
¢Ã´ë¾î³¬½Ã ¼±¿Ü±â ´ë¿© ¢Ã
(4ÀνÂ)- 13¸¸¿ø, (3ÀνÂ) - 10¸¸¿ø / (2ÀνÂ) - 8¸¸¿ø / (1ÀνÂ)- 7¸¸¿ø.
¿µ¾÷±¸¿ª ³» Á¶Á¤¸éÇãÁõ ÇÊ¿ä ¾øÀ¸¹Ç·Î, ´©±¸³ª ÀÌ¿ëÀÌ °¡´ÉÇÕ´Ï´Ù.
¡Ø 16½Ã 30ºÐ±îÁö Ç×±¸ µµÂø~!!! ¾ÈÀü»ó ²À ½Ã°£ ¾ö¼ö ºÎʵ右´Ï´Ù~
ȸ»çÆÀ/±â¾÷ÆÀ/µ¿È£È¸ÆÀ/¼±»ó ³¬½Ã´ëȸµµ°¡´ÉÇÑ ÃæºÐÇÑ ÀοøÀ» ¼ö¿ë °¡´É.

(³»¸¸±Ç/ÁßÀå°Å¸® »ó½Ã ÃâÁ¶)
ÇѳªÀý:»õº®ºÎÅÍ ~ 2½Ã±îÁö(À¯µ¿Àû) 14¸¸¿ø
- ¹Ø¹ä,¹Ì³¢,µµ½Ã¶ô Á¦°ø, Ä¿ÇÇ, À½·á, »ý¼ö Á¦°ø
(³¬½Ë´ë) ±âº» 1.5È£~2È£´ë 530(°æÁú´ë ¼±È£)
(¸±) 4000¹ø~6000¹ø. ±Ç»ç·® 150~200¹ÌÅÍ ÃßõµÇ´Â ½ºÇǴ׸±.
(¶óÀÎ) ¿øÁÙ 4~6È£ ÇÃ·ÎÆÃ ¼¼¹ÌŸÀÔ, ¸ñÁÙ ÈķηÎÄ«º» 100% 4È£~6È£ ¼±È£.
(¹Ù´Ã) Âüµ¼ 8~12È£, Å¥¼Ç¶Ç´Â ¼öÁßÅ¥¼Ç -2B ~ -5B, Á¼½ÒºÀµ¹, ½ºÀ§º§µµ·¡
¡Øµ¶¹è´Â ½Ã°£ Á¶Á¤ °¡´ÉÇÕ´Ï´Ù.

¢Ë °ÅÁ¦´ë¾î³¬½Ã Âüµ¼ ½Ã»ó ³»¿ª ¢Ë ÀÏ 1¸í¾¿ ½Ã»óµË´Ï´Ù.
68Cm ÀÌ»ó - ÃÖ»ó±Þ ¿øÁÙ ÁõÁ¤

¡á »ýȰ³¬½Ã & ³¬½ÃüÇè
- »ó½Ã ¿¹¾à ÃâÁ¶ °¡´ÉÇÕ´Ï´Ù.
- ³¬Àº °í±â·Î ȸ½ä¾î µå¸³´Ï´Ù.
- ¸ö¸¸ ¿À½Ã¸é µË´Ï´Ù.(³¬½Ë´ë, ÀåºñÀÏÀýÁ¦°ø, ±¸¸íº¹ Á¦°ø)

¡Ú¾ÈÀü ÁÖÀÇ »çÇסÚ
- °ÅÁ¦´ë¾î³¬½Ã ¼±´Ü ÀÌ¿ë½Ã,¾ÈÀüÇÑ ³¬½Ã¸¦ À§ÇØ ¼±ÂøÀå Åë·Î ÀÌ¿ë½Ã
¹Ù´Ú ¹× ºÎ´ë½Ã¼³¿¡ ´ëÇØ ¹Ì²ø¸²À» ÁÖÀÇ ÇØ ÁÖ½Ã±æ ¹Ù¶ø´Ï´Ù. Åë·Î Á¿쿡
ÀÖ´Â ÇÚµéÀ» Àâ°í À̵¿ÇÏ½Ã¸é ¾ÈÀüÇÕ´Ï´Ù.
- ¼±ÂøÀå µµÂøÀü, ¹è¿¡¼­ ¹Ì¸® ³»¸®Áö ¸¶½Ã°í, ¹è°¡ Á¤¹ÚÇϰí, ·ÎÇÁ¸¦ ¹­Àº
µÚ¿¡ Çϼ±ÇØ ÁÖ½Ã±æ ¹Ù¶ø´Ï´Ù.

¡Ú´ë¾î³¬½Ã ¼±´Ü¡Ú
°ÅÁ¦ ´ë¾î³¬½Ã 1È£ ¤Ñ ¾ÈÁ©¶óÈ£
°ÅÁ¦ ´ë¾î³¬½Ã 2È£ ¤Ñ ¾Èµå·¹¾ÆÈ£
°ÅÁ¦ ´ë¾î³¬½Ã 3È£ ¤Ñ ¾ßÈ£(YAHO)
°ÅÁ¦ ´ë¾î³¬½Ã 4È£ ¤Ñ µ¹ÇÉÈ£
°ÅÁ¦ ´ë¾î³¬½Ã 5È£ ¤Ñ ¹Ì·¡È£
°ÅÁ¦ ´ë¾î³¬½Ã 6È£ ¤Ñ °ÅÁ¦¹Ù´ÙÈ£
°ÅÁ¦ ´ë¾î³¬½Ã 7È£ ¤Ñ »ç¶ûÈ£

¡á ÁÖº¯ Á¦ÈÞ ¹Î¹ÚÁý ¡á
¾ÆÁö¶û ¹Î¹Ú(´Üü-µ¶Ã¤) ¢Ï010-6400-2082
ÇØ¼Û±¼±¸À̹ιÚ(´Üü) ¢Ï010-2545-3755
°ÅÁ¦ ´ë¾î³¬½Ã ÁÖº¯ ÆÄ¶ó½ºÆÄÂòÁú¹æ °Ë»öÇÏ½Ã¸é µË´Ï´Ù.

°ÅÁ¦´ë¾î³¬½Ã ¼±¿Ü±â(¼±»ó)³¬½Ã ¿¹¾à(µ¶Ã¤ ¹Î¹Ú)
¢Ï 010-6400-2082 / ¢Ï 010-4547-3937
¤±¼±¿Ü±â: ¢Ï 010-6400-2082
¡á ¹êµå: https://band.us/@geojedaeeofishing

¡Úã¾Æ¿À½Ã´Â±æ¡Ú
¡ØÃâÇ×Áö: °ÅÁ¦½Ã °ÅÁ¦¸é ¹ýµ¿¸® 1074¹øÁö ¾ÆÁö¶û°æ·Î´ç ¹æÆÄÁ¦
»ç¹«½Ç :°ÅÁ¦½Ã °ÅÁ¦¸é ¼­Á¤¸® 746-3(GS25½ÃÆíÀÇÁ¡)°Ë»öÇÏ½Ã¸é ¹Ù·Î ¿· À§Ä¡
¡Ú¡Ú¡Ú½ÅºÐÁõ ²À ÁöÂüÇØÁÖ¼¼¿ä¡Ú¡Ú¡Ú
  • »ç¿ëÀÚ°¡ ¿Ã¸° À̹ÌÁö

 * °¡²û ±¤°í¸¦ Ŭ¸¯ÇØ ºÁ ÁÖ½Ã¸é ³¬¶û »çÀÌÆ® ¿î¿µ¿¡ µµ¿òÀÌ µË´Ï´Ù ^^
     
ÃÑ 0°³ÀÇ ´ñ±ÛÀÌ ÀÖ½À´Ï´Ù.

    ´ñ±Û¾²±â     [·Î±×ÀÎ] | [ȸ¿ø°¡ÀÔ]
 
 
4831¼±¿Ü±â(°¨¼ºµ¼ ÃÊ´ë¹Ú) ´ë¹° 5Â¥5Â¥4Â¥4Â¥4Â¥4Â¥4Â¥~´ë¾î¼±¿Ü±â(24ÀÏ ¿¹¾à) ¾Æ¶ó¹Ù¶÷26.03.23752
4830¹®¾î(¿øµµ±Ç) ºÎºÎ ¿¬ÀÎ Á¶»ç´Ôµé Ű·Î¿À¹ö »Ì¾Ò¾î¿ä~°í°íÇǽÌÈ£(25ÀÏ ¿¹¾à)2 ¾Æ¶ó¹Ù¶÷26.03.23841
4829¿µµî °¨¼ºµ¼(È긲) 4Â¥4Â¥4Â¥4Â¥4Â¥¿Ü 4Â¥±Þ ºò»çÀÌÁîµé~¾ßÈ£ (24ÀÏ ¿¹¾à) ¾Æ¶ó¹Ù¶÷26.03.23842
4828¿µµî °¨¼ºµ¼(È긲) 4Â¥4Â¥4Â¥4Â¥4Â¥¿Ü 4Â¥±Þ ºò»çÀÌÁîµé~¾ßÈ£ (24ÀÏ ¿¹¾à) ¾Æ¶ó¹Ù¶÷26.03.23856
4827µ¹¹®¾î(¿øµµ±Ç) ±½ÂïÇÑ ³ðµéÀº ¿©±â¿¡ ¸ô·Á ÀÖ½À´Ï´Ù~°­¹ÎÈ£ (26ÀÏ ¿¹¾à) ¾Æ¶ó¹Ù¶÷26.03.231,101
4826°¨¼ºµ¼(ÃÊ´ë¹Ú ½Ç½Ã°£) 4Â¥4Â¥4Â¥4Â¥4Â¥4Â¥4Â¥4Â¥4Â¥ ÆÛ´ã°í~´ë¾î1È£(24ÀÏ ¿¹¾à) ¾Æ¶ó¹Ù¶÷26.03.231,172
4825¿µµî °¨¼ºµ¼(ÇÖ ½Ç½Ã°£) 4Â¥4Â¥4Â¥4Â¥¿Ü ¸·°­ ¼Õ¸À~¾ßÈ£ (24ÀÏ ¿¹¾à) ¾Æ¶ó¹Ù¶÷26.03.23412
4824¼±¿Ü±â(°¨¼ºµ¼ ½Ç½Ã°£) 4Â¥ 4Â¥ 4Â¥ 4Â¥ ±ò·È³×¿ä~´ë¾î¼±¿Ü±â(24ÀÏ ¿¹¾à) ¾Æ¶ó¹Ù¶÷26.03.23415
4823¿Õº¼¶ô 28Cm±îÁö~°¨¼ºµ¼ 4Â¥ ÆÜÆÜÆÜ(LURE) ´º±×¸°È£(¿À´Ã¹ã ¿¹¾à) ¾Æ¶ó¹Ù¶÷26.03.23426
4822(°¨¼ºµ¼)5Â¥ 3¸¶¸® 4Â¥ ÃÊÁß¹Ý Æø°Ý ¼Õ¸À ÃàÁ¦~´ë¾î¼±¿Ü±â(23ÀÏ ¿¹¾à) ¾Æ¶ó¹Ù¶÷26.03.222,122
4821(°¨¼ºµ¼)4Â¥ ÀüÈÄ ¸¶¸´¼ö ¿Ü 21ÀÏ 5Â¥4Â¥ ÇÖÁ¶È² °¡°íÆÄÈ£(23ÀÏ ¿¹¾à) ¾Æ¶ó¹Ù¶÷26.03.221,908
4820(°¨¼ºµ¼)³»¸¸±Ç 5Â¥4Â¥~´ë¹°µé ÁøÀÔ ¿Ï·á~´ëµ¿³¬½Ã(23ÀÏ ¿¹¾à) ¾Æ¶ó¹Ù¶÷26.03.221,942
  1   2   3   4   5   6   7   8   9   10   

³¬½Ã»ç¶û¼Ò°³ | ¿À½Ã´Â±æ | ³¬½Ã»ç¶û¹è³Ê | ÀÌ¿ë¾à°ü | À̸ÞÀϹ«´Ü¼öÁý°ÅºÎ | °³ÀÎÁ¤º¸Ãë±Þ¹æÄ§ | ±Ç¸®Ä§ÇØ½Å°í¼¾ÅÍ
Copyright 1997~2022 (ÁÖ)À¥¶óÀÌÇÁ/³¬½Ã»ç¶û All rights reserved »ç¾÷ÀÚµî·Ï¹øÈ£ 110-81-42683
»ç¾÷Àå : ¼­¿ïƯº°½Ã ¿µµîÆ÷±¸ ¿µµîÆ÷·Î 374, 3Ãþ
[±¤°í/Á¦ÈÞ ¹× Ãßõ»óǰ µî·Ï¹®ÀÇ]     [³¬½ÃÅÍ ¹× ³¬½Ë¹è µî·Ï¹®ÀÇ]     [¹Î¿ø/°ÇÀÇ/½Å°í]     [¸ÞÀϹ®ÀÇ]     [¹®ÀÇ(FAX) 02-2634-2730]