¾Æ¶ó¹Ù¶÷ > ¿µµî(´ë¹° °¨¼ºµ¼) 5Â¥±Þ¿Ü 4Â¥4Â¥4Â¥4Â¥ ¼Ò³ª±â HIT~¾ßÈ£ (30ÀÏ ¿¹¾à : ³¬½Ã»ç¶û
ȸ¿ø°¡ÀÔ | ·Î±×ÀΠ| ½ÃÀÛÆäÀÌÁö | Áñ°Üã±â | ¹®ÀÇ/¿äû/½Å°í
³¬½ÃÅͼ±Åà | Àαâ°Ë»ö¾î | ¹Î¹°ÈÄ¿ø³¬½ÃÅÍ | ¹Ù´ÙÈÄ¿øÅÍ
 
¹Î¹°³¬½Ã | Á´ë/À¯·áÅÍ | ¹Ù´Ù³¬½Ã | ·ç¾î³¬½Ã | Ä¿¹Â´ÏƼ | ³¬¶ûŬ·´ | ³¬½Ã½ºÄð | Áß°íÀåÅÍ | ³¬½ÃQ&A | »ç¿ë±â/°­Á | ÃâÁ¶Á¤º¸ | °ø±¸/¿ëǰÁ¤º¸

 Æ¯ÆÄ¿ø(ÃâÁ¶Á¡)Á¶È²Á¤º¸

- º» °Ô½Ã¹°À» ¹«´Ü ´Ù¿î·Îµå, µµ¿ë, Àοë, ¸µÅ© ±ÝÁö. HOME >¹Ù´Ù³¬½Ã >ƯÆÄ¿ø(ÃâÁ¶Á¡)Á¶È²Á¤º¸

¾Æ¶ó¹Ù¶÷
ÀÛ¼ºÀÏ : 2026-03-29 16:58:15 / Á¶È¸ : 1,731      

Á¦¸ñ l ¾Æ¶ó¹Ù¶÷ > ¿µµî(´ë¹° °¨¼ºµ¼) 5Â¥±Þ¿Ü 4Â¥4Â¥4Â¥4Â¥ ¼Ò³ª±â HIT~¾ßÈ£ (30ÀÏ ¿¹¾à : ³¬½Ã»ç¶û

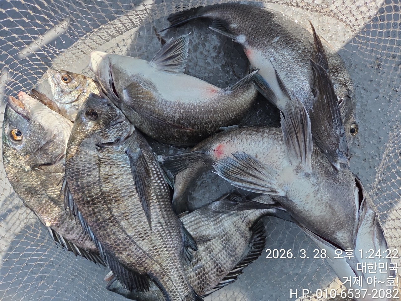
¿µµî´ë¹°°¨¼ºµ¼ 5Â¥±Þ~4Â¥ÀüÈÄ µ¢Ä¡µé ³­¸®¹ý¼®~
28ÀÏ(Åä¿äÀÏ) °ÅÁ¦µµ ¾îÃÊ¿©¹ç °¨¼ºµ¼ È긲³¬½Ã "¾ßÈ£" (ö¼ö)ÇÖÁ¶È²ÀÔ´Ï´Ù.
¡Ø ¿¹¾à(03½Ã Ãâ¹ß ~ 13½Ã ±îÁö(À¯µ¿Àû)) ¢Ï010-6400-2082·Î ¹®ÀÇ ÇØ ÁÖ¼¼¿ä.
¡Ø 53CmÀÌ»ó °¨¼ºµ¼ üÆ÷½Ã ¾ÆÁöÄ« ÃÖ»ó±Þ¶óÀÎ ÁõÁ¤.,

¡Ù 30ÀÏ(¿ù¿äÀÏ) °ÅÁ¦ ¾îÃÊ¿©¹ç °¨¼ºµ¼ È긲³¬½Ã "¿¹¾à°¡´É"
(30ÀÏ 4¹°, °£Á¶: 13:16 ¸¸Á¶: 07:16 )
(°¨¼ºµ¼) ¿µµîö ´ë¹°±Þ º»°Ý µµÀü~4¸¶¸® ÆÃ~
5Â¥±Þ~4Â¥4Â¥4Â¥4Â¥4Â¥±Þµé~
  • »ç¿ëÀÚ°¡ ¿Ã¸° À̹ÌÁö

¾ßÈ£ ¾îÃÊ ¿©¹ç °¨¼ºµ¼ È긲 Á¶È²ÀÔ´Ï´Ù.
¿µµîö ´ë¹° °¨¼ºµ¼µéÀÇ ±æ¸ñ¿¡¼­ ±½Á÷ÇÑ ³ðµé·Î ´çÂù ¼Õ¸À Áñ±æ ¼ö
ÀÖ¾ú½À´Ï´Ù. 5Â¥±Þ ´ë¹°ºÎÅÍ 4Â¥ 4Â¥ 4Â¥ 4Â¥ 4Â¥±Þµé·Î ¸¶¸´¼ö¸¦
ä¿ü°í Áß°£ Áß°£ ã¾Æ¿Â ´ë¹°ÀÇ ÀÔÁú¿¡ ÅÍÁö°í ºüÁø ³ðµé¸¸ 4¼ö
Á¤µµµÇ³×¿ä ³à¼®µé ¹«¸®¸¦ È®½ÇÈ÷ ãÀº µí ÇÕ´Ï´Ù. Âß »ì¾Æ³ª´Â
¹°¶§ ±¸°£ ´ë¹° °¨¼ºµ¼À» ³ë¸®¸ç ÃâÁ¶ÇÏ´Ï ÇÔ²²ÇÏ½Ç ºÐµé
¾ó¸¥ ¿¬¶ôÁֽʽÿÀ~

30ÀÏ(¿ù¿äÀÏ) ¾îÃÊ¿©¹ç ´ë¹° °¨¼ºµ¼³¬½Ã ¼±¿Ü±â´ë¿© ¿¹¾à °¡´ÉÇÕ´Ï´Ù.
Âß ÁÁÀº ±â»ó°ú ¹°¶§ ¼Ó½Â·ü ³ô½À´Ï´Ù. °³Àαâ·Ï °»½Å µµÀüÇØ º¸¼¼¿ä~
¿À´Ãµµ °ÅÁ¦ ¾ßÈ£¿Í ÇÔ²²ÇØÁֽŠÁ¶»ç´Ôµé ¼ö°í ¸¹À¸¼Ì½À´Ï´Ù.

¢Ã "¾ßÈ£" °ÅÁ¦ ¾ÆÁö¶û ¸¶À» Ãâ¹ß ÃâÁ¶ ÀÏÁ¤ ¾È³» ¢Ã
¡Ù30ÀÏ(¿ù¿äÀÏ) °¨¼ºµ¼ È긲³¬½Ã ¼±¿Ü±â ´ë¿© "¿¹¾à°¡´É"
¡Ù31ÀÏ(È­¿äÀÏ) °¨¼ºµ¼ È긲³¬½Ã ¼±¿Ü±â ´ë¿© "¿¹¾à°¡´É"
¡Ù4¿ù 1ÀÏ(¼ö¿äÀÏ) °¨¼ºµ¼ È긲³¬½Ã ¼±¿Ü±â ´ë¿© "¿¹¾à°¡´É"
¡Ù4¿ù 2ÀÏ(¸ñ¿äÀÏ) °¨¼ºµ¼ È긲³¬½Ã ¼±¿Ü±â ´ë¿© "¿¹¾à°¡´É"
¡Ø ÁÖ¸» °øÈÞÀÏÀº ¹Ì¸® ¹Ì¸® ¿¹¾àÀ» ÇØ ÁÖ½Ã±æ ¹Ù¶ø´Ï´Ù.
¡Ø ³¬½ÃÀåºñ°¡ ÇÊ¿äÇϽŠºÐµéÀº ÀÓ´ë ÇØ µå¸³´Ï´Ù. ¿¹¾à½Ã ²À ¾Ë·Á ÁÖ¼¼¿ä.

¢Ë °ÅÁ¦ ¾ßÈ£ ¢Ï ¿¹¾à¹®ÀÇ¢Ï 010-6537-2082
¤±¼±»ó³¬½Ã (¹Î¹Ú) ¹®ÀÇ : ¢Ï 010-6400-2082 / ¢Ï010-4547-3937
¡Ø (¿ÀÀü 6½ÃºÎÅÍ 12½Ã±îÁö 010-6400-2082·Î ¿¹¾à ¹Ù¶ø´Ï´Ù)
¤±¼±¿Ü±â ¹®ÀÇ : ¢Ï 010-6400-2082
(ÃâÇ×Áö) °ÅÁ¦½Ã °ÅÁ¦¸é ¹ýµ¿¸® 1074¹øÁö ¾ÆÁö¶û°æ·Î´ç ¹æÆÄÁ¦
¤± °ÅÁ¦ ¾ßÈ£ ¹êµå : https://band.us/@yahoboat
  • »ç¿ëÀÚ°¡ ¿Ã¸° À̹ÌÁö
  • »ç¿ëÀÚ°¡ ¿Ã¸° À̹ÌÁö
  • »ç¿ëÀÚ°¡ ¿Ã¸° À̹ÌÁö
  • »ç¿ëÀÚ°¡ ¿Ã¸° À̹ÌÁö
  • »ç¿ëÀÚ°¡ ¿Ã¸° À̹ÌÁö
  • »ç¿ëÀÚ°¡ ¿Ã¸° À̹ÌÁö
  • »ç¿ëÀÚ°¡ ¿Ã¸° À̹ÌÁö
  • »ç¿ëÀÚ°¡ ¿Ã¸° À̹ÌÁö
  • »ç¿ëÀÚ°¡ ¿Ã¸° À̹ÌÁö
  • »ç¿ëÀÚ°¡ ¿Ã¸° À̹ÌÁö
  • »ç¿ëÀÚ°¡ ¿Ã¸° À̹ÌÁö
  • »ç¿ëÀÚ°¡ ¿Ã¸° À̹ÌÁö
  • »ç¿ëÀÚ°¡ ¿Ã¸° À̹ÌÁö
  • »ç¿ëÀÚ°¡ ¿Ã¸° À̹ÌÁö
  • »ç¿ëÀÚ°¡ ¿Ã¸° À̹ÌÁö
¢Ã´ë¹° °¨¼ºµ¼ È긲³¬½Ã ¢Ã
- ¾ßÈ£¿Í ´ë¾î³¬½Ã ¼±´Ü »ó½Ã ¿î¿µÁßÀÔ´Ï´Ù.

¢Ã »ýȰ³¬½Ã & ³¬½ÃüÇè ¢Ã
- ¸ö¸¸ ¿À½Ã¸é µË´Ï´Ù.
- ³¬½Ë´ë, ÀåºñÀÏÀýÁ¦°ø, ±¸¸íº¹ Á¦°ø

¡á ÁÖº¯ Á¦ÈÞ ¹Î¹ÚÁý ¡á
¾ÆÁö¶û ¹Î¹Ú(´Üü-µ¶Ã¤) ¢Ï010-6400-2082
ÇØ¼Û±¼±¸ÀÌ¹Î¹Ú (´Üü) ¢Ï010-2545-3755
°ÅÁ¦ ´ë¾î³¬½Ã ÁÖº¯ ÆÄ¶ó½ºÆÄÂòÁú¹æ °Ë»öÇÏ½Ã¸é µË´Ï´Ù.

¡Ú¾ÈÀü ÁÖÀÇ »çÇסÚ
- °ÅÁ¦´ë¾î³¬½Ã ¼±´Ü ÀÌ¿ë½Ã, ¾ÈÀüÇÑ ³¬½Ã¸¦ À§ÇØ ¼±ÂøÀå Åë·Î ÀÌ¿ë½Ã ¹Ì²ø¸²À»
ÁÖÀÇ ÇØ ÁÖ½Ã±æ ¹Ù¶ø´Ï´Ù. Åë·Î Á¿쿡 ÀÖ´Â ÇÚµéÀ» Àâ°í À̵¿ÇÏ½Ã¸é ¾ÈÀüÇÕ´Ï´Ù.
- ¼±ÂøÀåµµÂøÀü, ¹è¿¡¼­ ¹Ì¸® ³»¸®Áö ¸¶½Ã°í, ¹è°¡ Á¤¹ÚÇϰí, ·ÎÇÁ¸¦ ¹­Àº µÚ¿¡
Çϼ±ÇØ ÁÖ½Ã±æ ¹Ù¶ø´Ï´Ù.

¢Ë °ÅÁ¦ ¾ßÈ£ ¢Ï ¿¹¾à¹®ÀÇ¢Ï 010-6537-2082
¤±¼±»ó³¬½Ã (¹Î¹Ú) ¹®ÀÇ : ¢Ï 010-6400-2082 / ¢Ï010-4547-3937
¡Ø (¿ÀÀü 6½ÃºÎÅÍ 12½Ã±îÁö 010-6400-2082·Î ¿¹¾à ¹Ù¶ø´Ï´Ù)
¤±¼±¿Ü±â ¹®ÀÇ : ¢Ï 010-6400-2082
¤± °ÅÁ¦ ¾ßÈ£ ¹êµå : https://band.us/@yahoboat
(ÃâÇ×Áö) °ÅÁ¦½Ã °ÅÁ¦¸é ¹ýµ¿¸® 1074¹øÁö "¾ÆÁö¶û°æ·Î´ç ¹æÆÄÁ¦" Ãâ¹ß.
(»ç¹«½Ç) °ÅÁ¦½Ã °ÅÁ¦¸é ¼­Á¤¸® 746-3(GS25½ÃÆíÀÇÁ¡)°Ë»öÇÏ½Ã¸é ¹Ù·Î ¿· À§Ä¡
  • »ç¿ëÀÚ°¡ ¿Ã¸° À̹ÌÁö

 * °¡²û ±¤°í¸¦ Ŭ¸¯ÇØ ºÁ ÁÖ½Ã¸é ³¬¶û »çÀÌÆ® ¿î¿µ¿¡ µµ¿òÀÌ µË´Ï´Ù ^^
     
ÃÑ 0°³ÀÇ ´ñ±ÛÀÌ ÀÖ½À´Ï´Ù.

    ´ñ±Û¾²±â     [·Î±×ÀÎ] | [ȸ¿ø°¡ÀÔ]
 
 
4883(°¨¼ºµ¼)5Â¥±Þ ´ë¹°~4Â¥4Â¥ ±½Àº ³ðµé ¿¬´Þ¾Æ~´ë¾î³¬½Ã(1ÀÏ ¿¹¾à) ¾Æ¶ó¹Ù¶÷26.03.30714
4882(°¨¼ºµ¼)7¼ö Àå¿ø 6¼ö5¼ö3¼ö±îÁö~4Â¥3Â¥ ÆÜÆÜ~¼±¿Ü±â(31ÀÏ ¿¹¾à) ¾Æ¶ó¹Ù¶÷26.03.30736
4881(°¨¼ºµ¼)´ë¹° Æ÷Âø~4Â¥¿À¹ö~ÁßÄ¡±Þ ´çÂù¼Õ¸À °¡°íÆÄÈ£(1ÀÏ ¿¹¾à) ¾Æ¶ó¹Ù¶÷26.03.30710
4880(°¨¼ºµ¼)¾îÃÊ È긲 Àü¹® 4Â¥3Â¥ ¸¶¸´¼ö ´ëÃàÁ¦~´ë¾çÈ£(1ÀÏ ¿¹¾à) ¾Æ¶ó¹Ù¶÷26.03.30879
4879(°¨¼ºµ¼)½Ç½Ã°£ ´ë¹Ú¼Ò½Ä 47 46 45 44 43 39 ÆÜÆÜ~¼±¿Ü±â(31ÀÏ ¿¹¾à) ¾Æ¶ó¹Ù¶÷26.03.301,168
4878(º¼¶ô)20Cm¿À¹ö °¥»Ê 28Cm ºò¿ø ºÓ¹Ù¸®´Â ´ý~´º±×¸°È£(31ÀÏ ¿¹¾à) ¾Æ¶ó¹Ù¶÷26.03.301,225
4877(º¼¶ô)°É¸é 24CmÀüÈÄ 29Cm ¿Õ»ç¹Ì±îÁö ´ë¹Ú~°í°í½á´ÏÈ£(31ÀÏ ¿¹¾à) ¾Æ¶ó¹Ù¶÷26.03.30517
4876(¿Õº¼¶ô)ÇØ±Ý°­±Ç ¿Õ»ç¹Ì±ÞºÎÅÍ Æò±Õ 20Cm ÀüÈĵé~½Å¼ºÈ£(1ÀÏ ¿¹¾à) ¾Æ¶ó¹Ù¶÷26.03.30520
4875¹®¾î(¿øµµ±Ç) 1.4K 1.3K¿Ü µ¢¾î¸®µé ÁÖ··ÁÖ··~°­¹ÎÈ£(4¿ù 1ÀÏ ¿¹¾à ¾Æ¶ó¹Ù¶÷26.03.291,402
4874¼±¿Ü±â(´ë¹° °¨¼ºµ¼) 5Â¥±Þ 4Â¥4Â¥4Â¥4Â¥4Â¥4Â¥±Þµé~´ë¾î¼±¿Ü±â(30ÀÏ ¿¹¾à) ¾Æ¶ó¹Ù¶÷26.03.291,993
4873¿µµî(´ë¹° °¨¼ºµ¼) 5Â¥±Þ¿Ü 4Â¥4Â¥4Â¥4Â¥ ¼Ò³ª±â HIT~¾ßÈ£ (30ÀÏ ¿¹¾à ¾Æ¶ó¹Ù¶÷26.03.291,731
4872´ë¹°³¬½Ã(´Ù´ëÆ÷) Âüµ¼ µ¹µ¼ ´É¼º¾î ºÎ½Ã¸®¶¼ Æø°Ý ÀÔÁú~¿ëÁøÈ£(30ÀÏ ¿¹¾à) ¾Æ¶ó¹Ù¶÷26.03.291,707
  1   2   3   4   5   6   7   8   9   10   

³¬½Ã»ç¶û¼Ò°³ | ¿À½Ã´Â±æ | ³¬½Ã»ç¶û¹è³Ê | ÀÌ¿ë¾à°ü | À̸ÞÀϹ«´Ü¼öÁý°ÅºÎ | °³ÀÎÁ¤º¸Ãë±Þ¹æÄ§ | ±Ç¸®Ä§ÇØ½Å°í¼¾ÅÍ
Copyright 1997~2022 (ÁÖ)À¥¶óÀÌÇÁ/³¬½Ã»ç¶û All rights reserved »ç¾÷ÀÚµî·Ï¹øÈ£ 110-81-42683
»ç¾÷Àå : ¼­¿ïƯº°½Ã ¿µµîÆ÷±¸ ¿µµîÆ÷·Î 374, 3Ãþ
[±¤°í/Á¦ÈÞ ¹× Ãßõ»óǰ µî·Ï¹®ÀÇ]     [³¬½ÃÅÍ ¹× ³¬½Ë¹è µî·Ï¹®ÀÇ]     [¹Î¿ø/°ÇÀÇ/½Å°í]     [¸ÞÀϹ®ÀÇ]     [¹®ÀÇ(FAX) 02-2634-2730]