¾Æ¶ó¹Ù¶÷ > (°¨¼ºµ¼)´ë¹° Æ÷Âø~4Â¥¿À¹ö~ÁßÄ¡±Þ ´çÂù¼Õ¸À °¡°íÆÄÈ£(1ÀÏ ¿¹¾à) : ³¬½Ã»ç¶û
ȸ¿ø°¡ÀÔ | ·Î±×ÀΠ| ½ÃÀÛÆäÀÌÁö | Áñ°Üã±â | ¹®ÀÇ/¿äû/½Å°í
³¬½ÃÅͼ±Åà | Àαâ°Ë»ö¾î | ¹Î¹°ÈÄ¿ø³¬½ÃÅÍ | ¹Ù´ÙÈÄ¿øÅÍ
 
¹Î¹°³¬½Ã | Á´ë/À¯·áÅÍ | ¹Ù´Ù³¬½Ã | ·ç¾î³¬½Ã | Ä¿¹Â´ÏƼ | ³¬¶ûŬ·´ | ³¬½Ã½ºÄð | Áß°íÀåÅÍ | ³¬½ÃQ&A | »ç¿ë±â/°­Á | ÃâÁ¶Á¤º¸ | °ø±¸/¿ëǰÁ¤º¸

 Æ¯ÆÄ¿ø(ÃâÁ¶Á¡)Á¶È²Á¤º¸

- º» °Ô½Ã¹°À» ¹«´Ü ´Ù¿î·Îµå, µµ¿ë, Àοë, ¸µÅ© ±ÝÁö. HOME >¹Ù´Ù³¬½Ã >ƯÆÄ¿ø(ÃâÁ¶Á¡)Á¶È²Á¤º¸

¾Æ¶ó¹Ù¶÷
ÀÛ¼ºÀÏ : 2026-03-30 16:44:35 / Á¶È¸ : 3,403      

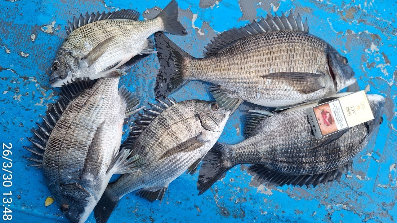
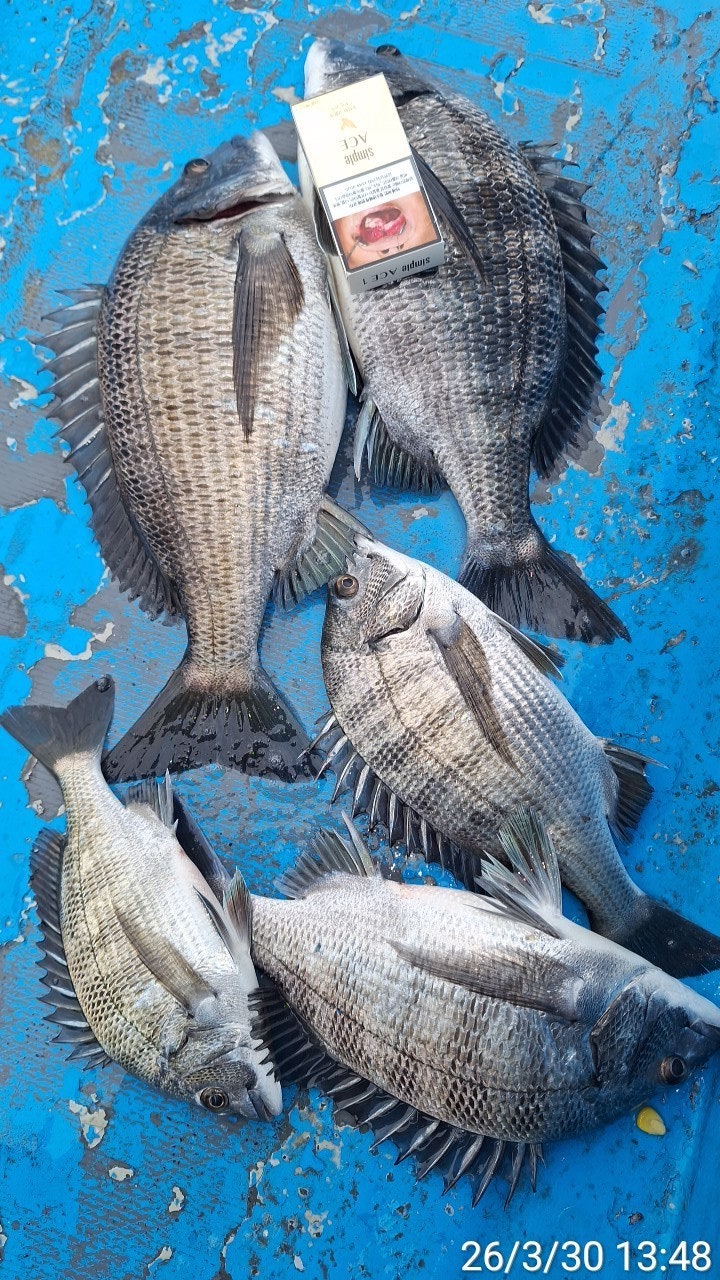
Á¦¸ñ l ¾Æ¶ó¹Ù¶÷ > (°¨¼ºµ¼)´ë¹° Æ÷Âø~4Â¥¿À¹ö~ÁßÄ¡±Þ ´çÂù¼Õ¸À °¡°íÆÄÈ£(1ÀÏ ¿¹¾à) : ³¬½Ã»ç¶û

¿µµîö ´ë¹° ¼Õ¸À~4Â¥ÀüÈÄ HIT~
30ÀÏ(¿ù) °ÅÁ¦ Çл긶À» Ãâ¹ß, ¾îÃÊ °¨¼ºµ¼³¬½Ã "°¡°íÆÄÈ£" (ö¼ö)ÇÖÁ¶È²ÀÔ´Ï´Ù.
¡Ø 53Cm´ë¹°,¾ÆÁöÄ« ÃÖ»ó±Þ¶óÀÎ ÁõÁ¤/ÁÖÂ÷ÇÏ°í ¼±ÂøÀå±îÁö ¹Ù·Î ¿¬°á.

31ÀÏ ±â»ó ¾ÇÈ­ ÈÞÇ×
¡Ù1ÀÏ(¼ö¿äÀÏ) °ÅÁ¦ ´ë¹°°¨¼ºµ¼ °ø·«, Á¾ÀÏ È긲 "¿¹¾à°¡´É"
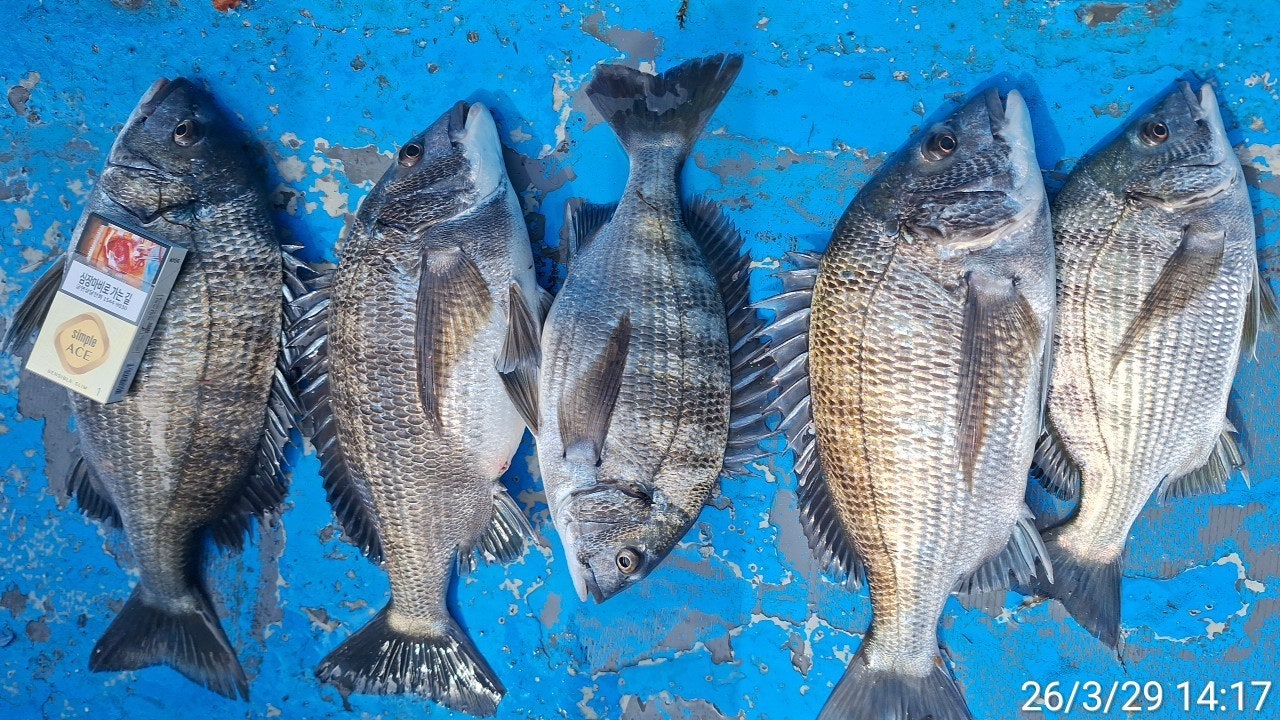
(°¨¼ºµ¼) ´úÄÈ~¾îÃÊ¿©¹ç 4Â¥ ÀüÈÄ ¿Ü ÁßÄ¡±Þ HIT~

°ÅÁ¦µµ Çл긶À» Ãâ¹ß, °¨¼ºµ¼ Àü¹® ÃâÁ¶Á¡ °¡°íÆÄÈ£ÀÔ´Ï´Ù.
»ì¾Æ³ª´Â ¹°¶§ ±¸°£ ³ðµéÀÇ ÀÔÁúµµ Á¡Â÷ ½Ã¿øÇØÁö´Â µí ÇÕ´Ï´Ù.
³»¸¸±Ç ±¸¼® ±¸¼® ´Ù¾çÇÑ Æ÷ÀÎÆ®·Î ÀÚ¸®¸¦ ÀâÀº ³ðµéÀÇ ÀÔÁúÀÌ
ÀüÇØÁö¸ç 4Â¥ ¿À¹ö µ¢Ä¡µéºÎÅÍ ÁßÄ¡±Þµé±îÁö ´Ù¾çÇÑ ¾¾¾Ë·Î ´çÂù
¼Õ¸À Áñ±â°í ¸¶¹«¸® ÇÕ´Ï´Ù. 31ÀÏ ±â»ó ¾ÇÈ­ ÈÞÇ× 1ÀϺÎÅÍ ÁÁÀº
¹°¶§ ±¸°£ ¿µµîö´Ù¿î ´ë¹° ÇÑ ¹æ ³ë¸®¸ç ´Þ·Áº¸°Ú½À´Ï´Ù~

1ÀÏ(¼ö¿äÀÏ)ºÎÅÍ °ÅÁ¦ Ãâ¹ß °¨¼ºµ¼ È긲³¬½Ã ¿¹¾à °¡´ÉÇÕ´Ï´Ù.
¿À´Ãµµ °ÅÁ¦ °¡°íÆÄÈ£¿Í ÇÔ²²ÇØÁֽŠÁ¶»ç´Ôµé ¼ö°í ¸¹À¸¼Ì½À´Ï´Ù.

¢Ã °¡°íÆÄÈ£ ¾îÃÊ¿©¹ç °¨¼ºµ¼³¬½Ã ÀÏÁ¤ ¾È³» ¢Ã
¡Ù4¿ù 1ÀÏ(¼ö¿äÀÏ) °ÅÁ¦ ´ë¹°°¨¼ºµ¼ °ø·«, Á¾ÀÏ È긲³¬½Ã "¿¹¾à°¡´É"
¡Ù4¿ù 2ÀÏ(¸ñ¿äÀÏ) °ÅÁ¦ ´ë¹°°¨¼ºµ¼ °ø·«, Á¾ÀÏ È긲³¬½Ã "¿¹¾à°¡´É"
¡Ù4¿ù 3ÀÏ(±Ý¿äÀÏ) °ÅÁ¦ ´ë¹°°¨¼ºµ¼ °ø·«, Á¾ÀÏ È긲³¬½Ã "¿¹¾à°¡´É"
¡Ù4¿ù 4ÀÏ(Åä¿äÀÏ) °ÅÁ¦ ´ë¹°°¨¼ºµ¼ °ø·«, Á¾ÀÏ È긲³¬½Ã "¿¹¾à°¡´É"
- ÁÖÁß, ÁÖ¸» ¿¹¾à °¡´ÉÇÕ´Ï´Ù.

¢Ì °¡°íÆÄÈ£(¼±»ó) ¢Ï 010 8553 7868
¢Ì °¡°íÆÄÈ£ ¹êµå http://band.us/@gagopaho
¢Ì ÁÖ¼Ò :°ÅÁ¦½Ã µÐ´ö¸é Çлê3±æ 81 (ÏÁÁÖ¼Ò:µÐ´ö¸é Çл긮 109¹øÁö)
(29ÀÏ ¸¶°¨ Á¶È² ÷ºÎÇÕ´Ï´Ù~)
¢Ì°¨¼ºµ¼ ¼±»ó È긲 ³¬½Ã ¾È³» ¢Ì
(ÃâÁ¶ ½Ã°£) 05½Ã ~ 14½Ã ö¼ö (À¯µ¿Àû) 11¸¸¿ø
- »ý¼ö,Ä¿ÇÇ,¶ó¸é,ÃÊÀåµî, ³¬½ÃÀåºñ¸¸ °¡Áö°í ¿À¼¼¿ä

¢Ìµ¹¹®¾î ÃâÁ¶ ½Ã°£ ¹× ¼±ºñ ¾È³» ¢Ì
(ÆòÀÏ Á¾ÀÏ) 05:00~14:00 ÀüÈÄ,
- ¹®¾î¶ó¸é Á¦°ø,À½·á, »ý¼ö Á¦°øÇÕ´Ï´Ù.
- °¡Á·ÆÀ/ȸ»çÆÀ/µ¿È£È¸ÆÀÀº µ¶¹è »ó½Ã ¿¹¾à°¡´É.
¡Ø ³¬½ÃÀåºñ(¹«·á) ´ë¿© °¡´É, ±¸¸íº¹ ÇÊ¿äÇϽŠºÐÀº ¿¹¾à ½Ã Àü´Þ ¿äû.

¢Ì °¡°íÆÄÈ£(¼±»ó) ¢Ï 010 8553 7868
¢Ì °¡°íÆÄÈ£ ¹êµå http://band.us/@gagopaho
¢Ì ÁÖ¼Ò :°ÅÁ¦½Ã µÐ´ö¸é Çлê3±æ 81 (ÏÁÁÖ¼Ò:µÐ´ö¸é Çл긮 109¹øÁö)
  • »ç¿ëÀÚ°¡ ¿Ã¸° À̹ÌÁö

 * °¡²û ±¤°í¸¦ Ŭ¸¯ÇØ ºÁ ÁÖ½Ã¸é ³¬¶û »çÀÌÆ® ¿î¿µ¿¡ µµ¿òÀÌ µË´Ï´Ù ^^
     
ÃÑ 0°³ÀÇ ´ñ±ÛÀÌ ÀÖ½À´Ï´Ù.

    ´ñ±Û¾²±â     [·Î±×ÀÎ] | [ȸ¿ø°¡ÀÔ]
 
 
4895(°¨¼ºµ¼)ÃÊ´ë¹Ú~5Â¥5Â¥5Â¥ ¿Ü 4Â¥ÀüÈÄ ÆÇ¶¼±â~´ë¾î¼±¿Ü±â(2ÀÏ ¿¹¾à) ¾Æ¶ó¹Ù¶÷26.04.01697
4894(°¨¼ºµ¼)Àß»ý±ä 4Â¥ 3Â¥µé ¾îÃ求 ÂßÂß »Ì³×¿ä~´ë¾çÈ£(2ÀÏ ¿¹¾à) ¾Æ¶ó¹Ù¶÷26.04.01832
4893(¹®¾î)´ë¹Ú ¸¶¸´¼ö~K¿À¹ö~ÁßÄ¡±Þ Á¦´ë·Î³×¿ä~Çö¼­ÇǽÌ(2ÀÏ ¿¹¾à) ¾Æ¶ó¹Ù¶÷26.04.01866
4892(°¨¼ºµ¼)5Â¥5Â¥4Â¥4Â¥4Â¥4Â¥4Â¥~³»Àϵµ ±×°÷À¸·Î~´ë¾î³¬½Ã(2ÀÏ ¿¹¾à) ¾Æ¶ó¹Ù¶÷26.04.01837
4891(½Ç½Ã°£)¿Ô¾î¿ä~ÓÞ¹®¾î°¡ ¿Ô¾î¿ä~¸¶¸´¼ö ÆøÆÈ~Çö¼­ÇǽÌ(³«Áö ¿¹¾à) ¾Æ¶ó¹Ù¶÷26.04.011,073
4890(°¨¼ºµ¼)½Ç½Ã°£ ¼¼ºÐ 4Â¥3Â¥ µ¢Ä¡µé ´ã°í ´ã°í~´ë¾çÈ£(2ÀÏ ¿¹¾à) ¾Æ¶ó¹Ù¶÷26.04.011,100
4889(°¨¼ºµ¼)1¸í ¾ÆÄ§Çǵù «³¬ 4Â¥~ÁßÄ¡±Þ üÆ÷ 3´ëÈ£(2ÀÏ ¿¹¾à) ¾Æ¶ó¹Ù¶÷26.04.01489
4888(°¨¼ºµ¼)´ë¹Ú ½Ç½Ã°£ 5Â¥4Â¥ ÅÊÅ©µé ¿ì´çÅÁÅÁ~´ë¾î¼±¿Ü±â(2ÀÏ ¿¹¾à) ¾Æ¶ó¹Ù¶÷26.04.01336
4887(½Ç½Ã°£)¿µµîö °¨¼ºµ¼ 4Â¥4Â¥ ¿Ü ¸¶¸´¼ö ñé ´ë¾î³¬½Ã(2ÀÏ ¿¹¾à) ¾Æ¶ó¹Ù¶÷26.04.01345
4886(°¨¼ºµ¼)¿À´ÃÀÚ 4Â¥ ÃÊÁß¹Ý µ¢Ä¡µé 7¼ö üÆ÷ ÇÖÁ¶È² ´ë¾î³¬½Ã(1ÀÏ ¿¹¾à) ¾Æ¶ó¹Ù¶÷26.03.312,158
4885(°¨¼ºµ¼)31ÀÏ 2½Ã°£ «³¬ 55Cm ´ë¹° ´úÄ¿µ¢~´ë¾çÈ£(1ÀÏ ¿¹¾à) ¾Æ¶ó¹Ù¶÷26.03.311,991
4884(´Ù´ëÆ÷)ÃÊ´ë¹Ú ¶¼°í±â ºÎ½Ã¸® Âüµ¼ 1Ÿ1ÇÇ Å¸ÀÛ~¿ëÁøÈ£(1ÀÏ ¿¹¾à) ¾Æ¶ó¹Ù¶÷26.03.312,301
  1   2   3   4   5   6   7   8   9   10   

³¬½Ã»ç¶û¼Ò°³ | ¿À½Ã´Â±æ | ³¬½Ã»ç¶û¹è³Ê | ÀÌ¿ë¾à°ü | À̸ÞÀϹ«´Ü¼öÁý°ÅºÎ | °³ÀÎÁ¤º¸Ãë±Þ¹æÄ§ | ±Ç¸®Ä§ÇØ½Å°í¼¾ÅÍ
Copyright 1997~2022 (ÁÖ)À¥¶óÀÌÇÁ/³¬½Ã»ç¶û All rights reserved »ç¾÷ÀÚµî·Ï¹øÈ£ 110-81-42683
»ç¾÷Àå : ¼­¿ïƯº°½Ã ¿µµîÆ÷±¸ ¿µµîÆ÷·Î 374, 3Ãþ
[±¤°í/Á¦ÈÞ ¹× Ãßõ»óǰ µî·Ï¹®ÀÇ]     [³¬½ÃÅÍ ¹× ³¬½Ë¹è µî·Ï¹®ÀÇ]     [¹Î¿ø/°ÇÀÇ/½Å°í]     [¸ÞÀϹ®ÀÇ]     [¹®ÀÇ(FAX) 02-2634-2730]