¾Æ¶ó¹Ù¶÷ > (°¨¼ºµ¼)7¼ö Àå¿ø 6¼ö5¼ö3¼ö±îÁö~4Â¥3Â¥ ÆÜÆÜ~¼±¿Ü±â(31ÀÏ ¿¹¾à) : ³¬½Ã»ç¶û
ȸ¿ø°¡ÀÔ | ·Î±×ÀΠ| ½ÃÀÛÆäÀÌÁö | Áñ°Üã±â | ¹®ÀÇ/¿äû/½Å°í
³¬½ÃÅͼ±Åà | Àαâ°Ë»ö¾î | ¹Î¹°ÈÄ¿ø³¬½ÃÅÍ | ¹Ù´ÙÈÄ¿øÅÍ
 
¹Î¹°³¬½Ã | Á´ë/À¯·áÅÍ | ¹Ù´Ù³¬½Ã | ·ç¾î³¬½Ã | Ä¿¹Â´ÏƼ | ³¬¶ûŬ·´ | ³¬½Ã½ºÄð | Áß°íÀåÅÍ | ³¬½ÃQ&A | »ç¿ë±â/°­Á | ÃâÁ¶Á¤º¸ | °ø±¸/¿ëǰÁ¤º¸

 Æ¯ÆÄ¿ø(ÃâÁ¶Á¡)Á¶È²Á¤º¸

- º» °Ô½Ã¹°À» ¹«´Ü ´Ù¿î·Îµå, µµ¿ë, Àοë, ¸µÅ© ±ÝÁö. HOME >¹Ù´Ù³¬½Ã >ƯÆÄ¿ø(ÃâÁ¶Á¡)Á¶È²Á¤º¸

¾Æ¶ó¹Ù¶÷
ÀÛ¼ºÀÏ : 2026-03-30 16:54:01 / Á¶È¸ : 3,403      

Á¦¸ñ l ¾Æ¶ó¹Ù¶÷ > (°¨¼ºµ¼)7¼ö Àå¿ø 6¼ö5¼ö3¼ö±îÁö~4Â¥3Â¥ ÆÜÆÜ~¼±¿Ü±â(31ÀÏ ¿¹¾à) : ³¬½Ã»ç¶û

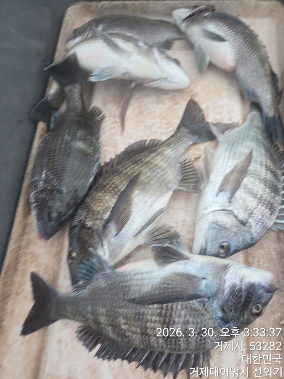
7¼ö 6¼ö 5¼ö 3¼ö...¾¾¾Ë±Þµé·Î ´ë¼º°ø!!!
30ÀÏ(¿ù¿äÀÏ) °ÅÁ¦ ´ë¾î¼±¿Ü±â ´ë¿©, ´ë¹° °¨¼ºµ¼³¬½Ã (ö¼ö)ÇÖÁ¶È²ÀÔ´Ï´Ù.
¡Ø ¼±¿Ü±â´Â ¸éÇã°¡ ¾ø¾îµµ ¿îÀüÀÌ °¡´ÉÇÕ´Ï´Ù. 3ºÐ±³À°ÈÄ, Á÷Á¢ ¸ô°í °¡¼¼¿ä.
¡Ø 53CmÀÌ»ó °¨¼ºµ¼ üÆ÷½Ã, ¾ÆÁöÄ«(AJIKA) °øµ¿À̺¥Æ®, ÃÖ»ó±Þ ¿øÁÙ ÁõÁ¤.
¡Ø 16½Ã 30ºÐ±îÁö Ç×±¸ µµÂø~!!! ¾ÈÀü»ó ²À ½Ã°£ ¾ö¼ö ºÎʵ右´Ï´Ù~

¡Ù 31ÀÏ(È­¿äÀÏ) ¼±¿Ü±â ´ë¿©, ¼±´Ü °¨¼ºµ¼ ¼±»ó³¬½Ã"¿¹¾à°¡´É"
¢º¼±»ó³¬½Ã/¼±¿Ü±â/´Üµ¶Ææ¼Ç ¿î¿µ(°¡Á·,Ãʺ¸, »ýȰ³¬½Ã´Â "°ÅÁ¦´ë¾î¼±¿Ü±â" )
(¼±¿Ü±â)¼Õ¸À ÃàÁ¦ 4Â¥~3Â¥±îÁö 7¼ö 6¼ö 5¼ö..2¼ö±îÁö~

´ë¾î³¬½Ã ¼±¿Ü±âÀÔ´Ï´Ù.
¼±¿Ü±â ¼Ò½ÄÀÔ´Ï´Ù~ ±½Á÷ÇÑ °¨¼ºµ¼µéÀÌ ¹°¶§°¡ »ì¾Æ³ªÀÚ
´õ¿í ½Ã¿øÇÑ ÀÔÁú·Î È­´äÇϰí ÀÖ´Â »óȲÀÔ´Ï´Ù~ ¿À´Ãµµ
°¨¼ºµ¼À» ³ë¸®°í ÃâÁ¶ÇϽŠ´ëºÎºÐÀÇ ÆÀµéÀÌ ¸¶¸´¼ö ¼Õ¸À¿¡
¼º°øÇÏ¼Ì°í ¸·°­ ÆÄ¿ö¿¡ ÅÍÆ®¸° ³à¼®µéµµ ÀÖ´Ù°í ÇϽôÏ
¸ñÁ٠ưưÇÏ°Ô ÁغñÇØ¿À¼Å¾ß ÇÒ µí ÇÕ´Ï´Ù.
7¼ö Àå¿ø 6¼ö 5¼ö 3¼ö 2¼ö µî ¼Õ¸À º¸½Å Á¶»ç´Ôµé ÃàÇϵ帮°í
Âß~ ´ë¹° °¨¼ºµ¼ ½ÃÁðÀº À̾îÁö´Ï ÇÔ²²ÇÏ½Ç ºÐµé ¿¬¶ôÁֽʽÿÀ~

31ÀÏ(È­¿äÀÏ)¼±¿Ü±â ´ë¹° °¨¼ºµ¼³¬½Ã ¿¹¾à °¡´ÉÇÕ´Ï´Ù~
¿À´Ãµµ °ÅÁ¦´ë¾î ¼±¿Ü±â¿Í ÇÔ²²ÇØÁֽŠÁ¶»ç´Ôµé ¼ö°í ¸¹À¸¼Ì½À´Ï´Ù.
¡Ø¼Õ¸À º¸½Ã°í ö¼ö ÇϽǶ§ ¿äû Áֽøé ÀâÀ¸½Å °í±â ¼ÒÁ¤ÀÇ
ºñ¿ëÀ¸·Î ¼ÕÁú ÇØµå¸³´Ï´Ù~ ¼±Àå´Ô²² ¿äûÁÖ¼¼¿ä~.

¢Ã °ÅÁ¦´ë¾î³¬½Ã¼±¿Ü±â´ë¿© ÀÏÁ¤ ¾È³» ¢Ã
¡Ú¼÷¹Ú+³¬½Ã¹è¸¦ µ¿½Ã¿¡ ÀÌ¿ëÇϰíÀÚ ÇÏ´Â ºÐµéÀº ÇÒÀÎ ÇýÅà Àû¿ë.
¡Ù31ÀÏ(È­) ¼±¿Ü±â "¿µµîö ´ë¹° °¨¼ºµ¼³¬½Ã, ¼±´Ü °¨¼ºµ¼ "¿¹¾à°¡´É"
¡Ù4¿ù 1ÀÏ(¼ö) ¼±¿Ü±â "¿µµîö ´ë¹° °¨¼ºµ¼³¬½Ã, ¼±´Ü °¨¼ºµ¼ "¿¹¾à°¡´É"
¡Ù4¿ù 2ÀÏ(¸ñ) ¼±¿Ü±â "¿µµîö ´ë¹° °¨¼ºµ¼³¬½Ã, ¼±´Ü °¨¼ºµ¼ "¿¹¾à°¡´É"
¡Ù4¿ù 3ÀÏ(±Ý) ¼±¿Ü±â "¿µµîö ´ë¹° °¨¼ºµ¼³¬½Ã, ¼±´Ü °¨¼ºµ¼ "¿¹¾à°¡´É"
¡Ù4¿ù 4ÀÏ(Åä) ¼±¿Ü±â "¿µµîö ´ë¹° °¨¼ºµ¼³¬½Ã, ¼±´Ü °¨¼ºµ¼ "¿¹¾à°¡´É"
¡Ù4¿ù 5ÀÏ(ÀÏ) ¼±¿Ü±â "¿µµîö ´ë¹° °¨¼ºµ¼³¬½Ã, ¼±´Ü °¨¼ºµ¼ "¿¹¾à°¡´É"
¡Ø ÁÖ¸» °øÈÞÀÏÀº ¹Ì¸® ¹Ì¸® ¿¹¾àÀ» ÇØ ÁÖ½Ã±æ ¹Ù¶ø´Ï´Ù.
¡Ø ³¬½ÃÀåºñ°¡ ÇÊ¿äÇϽŠºÐµéÀº ÀÓ´ë ÇØ µå¸³´Ï´Ù. ¿¹¾à½Ã ²À ¾Ë·Á ÁÖ¼¼¿ä.
¡Ø 16½Ã 30ºÐ±îÁö Ç×±¸ µµÂø~!!! ¾ÈÀü»ó ²À ½Ã°£ ¾ö¼ö ºÎʵ右´Ï´Ù~

°ÅÁ¦´ë¾î³¬½Ã ¼±¿Ü±â(¼±»ó)³¬½Ã ¿¹¾à(µ¶Ã¤ ¹Î¹Ú)
¹®ÀÇ ¢Ï 010-640-2082 / ¢Ï 010-454-3937
¤±¼±¿Ü±â ¿¹¾à: ¢Ï 010-6400-2082
¡á ¹êµå: https://band.us/@geojedaefishing
¢Ã´ë¾î³¬½Ã ¼±¿Ü±â ´ë¿© ¢Ã
(4ÀνÂ)- 13¸¸¿ø, (3ÀνÂ) - 10¸¸¿ø / (2ÀνÂ) - 8¸¸¿ø / (1ÀνÂ)- 7¸¸¿ø.
¿µ¾÷±¸¿ª ³» Á¶Á¤¸éÇãÁõ ÇÊ¿ä ¾øÀ¸¹Ç·Î, ´©±¸³ª ÀÌ¿ëÀÌ °¡´ÉÇÕ´Ï´Ù.
¡Ø 16½Ã 30ºÐ±îÁö Ç×±¸ µµÂø~!!! ¾ÈÀü»ó ²À ½Ã°£ ¾ö¼ö ºÎʵ右´Ï´Ù~
ȸ»çÆÀ/±â¾÷ÆÀ/µ¿È£È¸ÆÀ/¼±»ó ³¬½Ã´ëȸµµ°¡´ÉÇÑ ÃæºÐÇÑ ÀοøÀ» ¼ö¿ë °¡´É.

(³»¸¸±Ç/ÁßÀå°Å¸® »ó½Ã ÃâÁ¶)
ÇѳªÀý:»õº®ºÎÅÍ ~ 2½Ã±îÁö(À¯µ¿Àû) 14¸¸¿ø
- ¹Ø¹ä,¹Ì³¢,µµ½Ã¶ô Á¦°ø, Ä¿ÇÇ, À½·á, »ý¼ö Á¦°ø
(³¬½Ë´ë) ±âº» 1.5È£~2È£´ë 530(°æÁú´ë ¼±È£)
(¸±) 4000¹ø~6000¹ø. ±Ç»ç·® 150~200¹ÌÅÍ ÃßõµÇ´Â ½ºÇǴ׸±.
(¶óÀÎ) ¿øÁÙ 4~6È£ ÇÃ·ÎÆÃ ¼¼¹ÌŸÀÔ, ¸ñÁÙ ÈķηÎÄ«º» 100% 4È£~6È£ ¼±È£.
(¹Ù´Ã) Âüµ¼ 8~12È£, Å¥¼Ç¶Ç´Â ¼öÁßÅ¥¼Ç -2B ~ -5B, Á¼½ÒºÀµ¹, ½ºÀ§º§µµ·¡
¡Øµ¶¹è´Â ½Ã°£ Á¶Á¤ °¡´ÉÇÕ´Ï´Ù.

¢Ë °ÅÁ¦´ë¾î³¬½Ã Âüµ¼ ½Ã»ó ³»¿ª ¢Ë ÀÏ 1¸í¾¿ ½Ã»óµË´Ï´Ù.
68Cm ÀÌ»ó - ÃÖ»ó±Þ ¿øÁÙ ÁõÁ¤

¡á »ýȰ³¬½Ã & ³¬½ÃüÇè
- »ó½Ã ¿¹¾à ÃâÁ¶ °¡´ÉÇÕ´Ï´Ù.
- ³¬Àº °í±â·Î ȸ½ä¾î µå¸³´Ï´Ù.
- ¸ö¸¸ ¿À½Ã¸é µË´Ï´Ù.(³¬½Ë´ë, ÀåºñÀÏÀýÁ¦°ø, ±¸¸íº¹ Á¦°ø)

¡Ú¾ÈÀü ÁÖÀÇ »çÇסÚ
- °ÅÁ¦´ë¾î³¬½Ã ¼±´Ü ÀÌ¿ë½Ã,¾ÈÀüÇÑ ³¬½Ã¸¦ À§ÇØ ¼±ÂøÀå Åë·Î ÀÌ¿ë½Ã
¹Ù´Ú ¹× ºÎ´ë½Ã¼³¿¡ ´ëÇØ ¹Ì²ø¸²À» ÁÖÀÇ ÇØ ÁÖ½Ã±æ ¹Ù¶ø´Ï´Ù. Åë·Î Á¿쿡
ÀÖ´Â ÇÚµéÀ» Àâ°í À̵¿ÇÏ½Ã¸é ¾ÈÀüÇÕ´Ï´Ù.
- ¼±ÂøÀå µµÂøÀü, ¹è¿¡¼­ ¹Ì¸® ³»¸®Áö ¸¶½Ã°í, ¹è°¡ Á¤¹ÚÇϰí, ·ÎÇÁ¸¦ ¹­Àº
µÚ¿¡ Çϼ±ÇØ ÁÖ½Ã±æ ¹Ù¶ø´Ï´Ù.

¡Ú´ë¾î³¬½Ã ¼±´Ü¡Ú
°ÅÁ¦ ´ë¾î³¬½Ã 1È£ ¤Ñ ¾ÈÁ©¶óÈ£
°ÅÁ¦ ´ë¾î³¬½Ã 2È£ ¤Ñ ¾Èµå·¹¾ÆÈ£
°ÅÁ¦ ´ë¾î³¬½Ã 3È£ ¤Ñ ¾ßÈ£(YAHO)
°ÅÁ¦ ´ë¾î³¬½Ã 4È£ ¤Ñ µ¹ÇÉÈ£
°ÅÁ¦ ´ë¾î³¬½Ã 5È£ ¤Ñ ¹Ì·¡È£
°ÅÁ¦ ´ë¾î³¬½Ã 6È£ ¤Ñ °ÅÁ¦¹Ù´ÙÈ£
°ÅÁ¦ ´ë¾î³¬½Ã 7È£ ¤Ñ »ç¶ûÈ£

¡á ÁÖº¯ Á¦ÈÞ ¹Î¹ÚÁý ¡á
¾ÆÁö¶û ¹Î¹Ú(´Üü-µ¶Ã¤) ¢Ï010-6400-2082
ÇØ¼Û±¼±¸À̹ιÚ(´Üü) ¢Ï010-2545-3755
°ÅÁ¦ ´ë¾î³¬½Ã ÁÖº¯ ÆÄ¶ó½ºÆÄÂòÁú¹æ °Ë»öÇÏ½Ã¸é µË´Ï´Ù.

°ÅÁ¦´ë¾î³¬½Ã ¼±¿Ü±â(¼±»ó)³¬½Ã ¿¹¾à(µ¶Ã¤ ¹Î¹Ú)
¢Ï 010-6400-2082 / ¢Ï 010-4547-3937
¤±¼±¿Ü±â: ¢Ï 010-6400-2082
¡á ¹êµå: https://band.us/@geojedaeeofishing

¡Úã¾Æ¿À½Ã´Â±æ¡Ú
¡ØÃâÇ×Áö: °ÅÁ¦½Ã °ÅÁ¦¸é ¹ýµ¿¸® 1074¹øÁö ¾ÆÁö¶û°æ·Î´ç ¹æÆÄÁ¦
»ç¹«½Ç :°ÅÁ¦½Ã °ÅÁ¦¸é ¼­Á¤¸® 746-3(GS25½ÃÆíÀÇÁ¡)°Ë»öÇÏ½Ã¸é ¹Ù·Î ¿· À§Ä¡
¡Ú¡Ú¡Ú½ÅºÐÁõ ²À ÁöÂüÇØÁÖ¼¼¿ä¡Ú¡Ú¡Ú
  • »ç¿ëÀÚ°¡ ¿Ã¸° À̹ÌÁö

 * °¡²û ±¤°í¸¦ Ŭ¸¯ÇØ ºÁ ÁÖ½Ã¸é ³¬¶û »çÀÌÆ® ¿î¿µ¿¡ µµ¿òÀÌ µË´Ï´Ù ^^
     
ÃÑ 0°³ÀÇ ´ñ±ÛÀÌ ÀÖ½À´Ï´Ù.

    ´ñ±Û¾²±â     [·Î±×ÀÎ] | [ȸ¿ø°¡ÀÔ]
 
 
4895(°¨¼ºµ¼)ÃÊ´ë¹Ú~5Â¥5Â¥5Â¥ ¿Ü 4Â¥ÀüÈÄ ÆÇ¶¼±â~´ë¾î¼±¿Ü±â(2ÀÏ ¿¹¾à) ¾Æ¶ó¹Ù¶÷26.04.01701
4894(°¨¼ºµ¼)Àß»ý±ä 4Â¥ 3Â¥µé ¾îÃ求 ÂßÂß »Ì³×¿ä~´ë¾çÈ£(2ÀÏ ¿¹¾à) ¾Æ¶ó¹Ù¶÷26.04.01837
4893(¹®¾î)´ë¹Ú ¸¶¸´¼ö~K¿À¹ö~ÁßÄ¡±Þ Á¦´ë·Î³×¿ä~Çö¼­ÇǽÌ(2ÀÏ ¿¹¾à) ¾Æ¶ó¹Ù¶÷26.04.01870
4892(°¨¼ºµ¼)5Â¥5Â¥4Â¥4Â¥4Â¥4Â¥4Â¥~³»Àϵµ ±×°÷À¸·Î~´ë¾î³¬½Ã(2ÀÏ ¿¹¾à) ¾Æ¶ó¹Ù¶÷26.04.01840
4891(½Ç½Ã°£)¿Ô¾î¿ä~ÓÞ¹®¾î°¡ ¿Ô¾î¿ä~¸¶¸´¼ö ÆøÆÈ~Çö¼­ÇǽÌ(³«Áö ¿¹¾à) ¾Æ¶ó¹Ù¶÷26.04.011,079
4890(°¨¼ºµ¼)½Ç½Ã°£ ¼¼ºÐ 4Â¥3Â¥ µ¢Ä¡µé ´ã°í ´ã°í~´ë¾çÈ£(2ÀÏ ¿¹¾à) ¾Æ¶ó¹Ù¶÷26.04.011,104
4889(°¨¼ºµ¼)1¸í ¾ÆÄ§Çǵù «³¬ 4Â¥~ÁßÄ¡±Þ üÆ÷ 3´ëÈ£(2ÀÏ ¿¹¾à) ¾Æ¶ó¹Ù¶÷26.04.01489
4888(°¨¼ºµ¼)´ë¹Ú ½Ç½Ã°£ 5Â¥4Â¥ ÅÊÅ©µé ¿ì´çÅÁÅÁ~´ë¾î¼±¿Ü±â(2ÀÏ ¿¹¾à) ¾Æ¶ó¹Ù¶÷26.04.01336
4887(½Ç½Ã°£)¿µµîö °¨¼ºµ¼ 4Â¥4Â¥ ¿Ü ¸¶¸´¼ö ñé ´ë¾î³¬½Ã(2ÀÏ ¿¹¾à) ¾Æ¶ó¹Ù¶÷26.04.01345
4886(°¨¼ºµ¼)¿À´ÃÀÚ 4Â¥ ÃÊÁß¹Ý µ¢Ä¡µé 7¼ö üÆ÷ ÇÖÁ¶È² ´ë¾î³¬½Ã(1ÀÏ ¿¹¾à) ¾Æ¶ó¹Ù¶÷26.03.312,162
4885(°¨¼ºµ¼)31ÀÏ 2½Ã°£ «³¬ 55Cm ´ë¹° ´úÄ¿µ¢~´ë¾çÈ£(1ÀÏ ¿¹¾à) ¾Æ¶ó¹Ù¶÷26.03.311,996
4884(´Ù´ëÆ÷)ÃÊ´ë¹Ú ¶¼°í±â ºÎ½Ã¸® Âüµ¼ 1Ÿ1ÇÇ Å¸ÀÛ~¿ëÁøÈ£(1ÀÏ ¿¹¾à) ¾Æ¶ó¹Ù¶÷26.03.312,305
  1   2   3   4   5   6   7   8   9   10   

³¬½Ã»ç¶û¼Ò°³ | ¿À½Ã´Â±æ | ³¬½Ã»ç¶û¹è³Ê | ÀÌ¿ë¾à°ü | À̸ÞÀϹ«´Ü¼öÁý°ÅºÎ | °³ÀÎÁ¤º¸Ãë±Þ¹æÄ§ | ±Ç¸®Ä§ÇØ½Å°í¼¾ÅÍ
Copyright 1997~2022 (ÁÖ)À¥¶óÀÌÇÁ/³¬½Ã»ç¶û All rights reserved »ç¾÷ÀÚµî·Ï¹øÈ£ 110-81-42683
»ç¾÷Àå : ¼­¿ïƯº°½Ã ¿µµîÆ÷±¸ ¿µµîÆ÷·Î 374, 3Ãþ
[±¤°í/Á¦ÈÞ ¹× Ãßõ»óǰ µî·Ï¹®ÀÇ]     [³¬½ÃÅÍ ¹× ³¬½Ë¹è µî·Ï¹®ÀÇ]     [¹Î¿ø/°ÇÀÇ/½Å°í]     [¸ÞÀϹ®ÀÇ]     [¹®ÀÇ(FAX) 02-2634-2730]