¾Æ¶ó¹Ù¶÷ > (°¨¼ºµ¼)ÃÖ°íÀÇ ¹°¶§~5Â¥5Â¥5Â¥ ¿Ü 4Â¥ ÆøÇ³ HIT~´ë¾î³¬½Ã(3ÀÏ ¿¹¾à) : ³¬½Ã»ç¶û
ȸ¿ø°¡ÀÔ | ·Î±×ÀΠ| ½ÃÀÛÆäÀÌÁö | Áñ°Üã±â | ¹®ÀÇ/¿äû/½Å°í
³¬½ÃÅͼ±Åà | Àαâ°Ë»ö¾î | ¹Î¹°ÈÄ¿ø³¬½ÃÅÍ | ¹Ù´ÙÈÄ¿øÅÍ
 
¹Î¹°³¬½Ã | Á´ë/À¯·áÅÍ | ¹Ù´Ù³¬½Ã | ·ç¾î³¬½Ã | Ä¿¹Â´ÏƼ | ³¬¶ûŬ·´ | ³¬½Ã½ºÄð | Áß°íÀåÅÍ | ³¬½ÃQ&A | »ç¿ë±â/°­Á | ÃâÁ¶Á¤º¸ | °ø±¸/¿ëǰÁ¤º¸

 Æ¯ÆÄ¿ø(ÃâÁ¶Á¡)Á¶È²Á¤º¸

- º» °Ô½Ã¹°À» ¹«´Ü ´Ù¿î·Îµå, µµ¿ë, Àοë, ¸µÅ© ±ÝÁö. HOME >¹Ù´Ù³¬½Ã >ƯÆÄ¿ø(ÃâÁ¶Á¡)Á¶È²Á¤º¸

¾Æ¶ó¹Ù¶÷
ÀÛ¼ºÀÏ : 2026-04-02 15:35:45 / Á¶È¸ : 2,258      

Á¦¸ñ l ¾Æ¶ó¹Ù¶÷ > (°¨¼ºµ¼)ÃÖ°íÀÇ ¹°¶§~5Â¥5Â¥5Â¥ ¿Ü 4Â¥ ÆøÇ³ HIT~´ë¾î³¬½Ã(3ÀÏ ¿¹¾à) : ³¬½Ã»ç¶û

¿ª½Ã ¿µµî»ç¸®~ÅÍÁö°í ºüÁö°í 5Â¥ 4Â¥ ¿ì´çÅÁÅÁ~
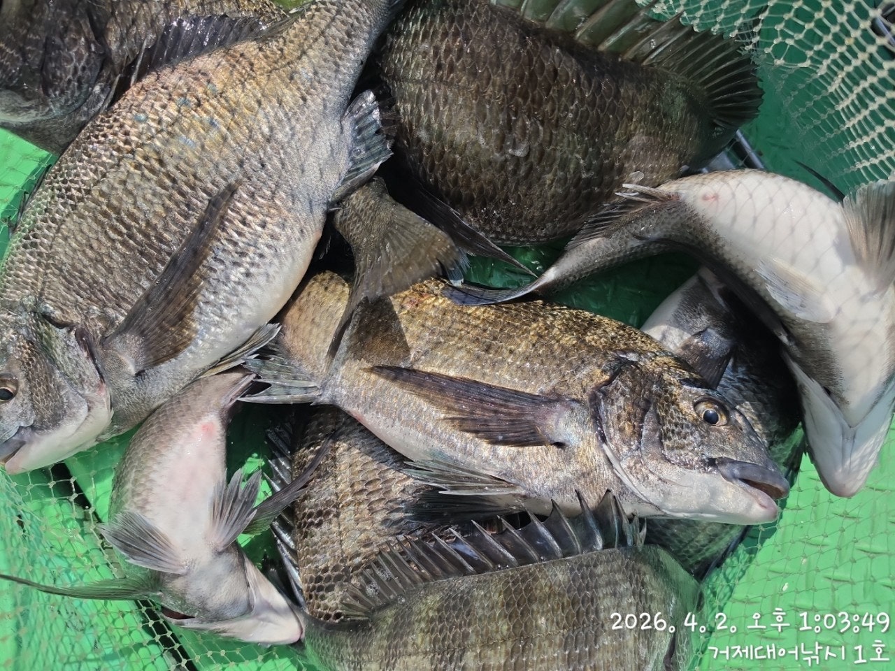
2ÀÏ(¸ñ¿äÀÏ) °ÅÁ¦ ¾îÃÊ¿©¹ç °¨¼ºµ¼³¬½Ã "°ÅÁ¦´ë¾î³¬½Ã" (ö¼ö)ÇÖÁ¶È²ÀÔ´Ï´Ù.
¡Ø °¨¼ºµ¼ 53Cm Âüµ¼ 68CmÀÌ»ó(ìí1¸í) ´ë¾î&¾ÆÁöÄ«À̺¥Æ® ÃÖ°í±Þ¿øÁÙ ÁõÁ¤!!!

¡Ù 3ÀÏ(±Ý¿äÀÏ) °ÅÁ¦ ¾îÃÊ¿©¹ç °¨¼ºµ¼ È긲³¬½Ã "¿¹¾à°¡´É"
(3ÀÏ 8¹°, °£Á¶: 03:01 ¸¸Á¶: 09:15 )
(°¨¼ºµ¼)°É¸é Å©´Ù~!!! ÃѼҸ® 5¹æ ¿Ü 5Â¥¸¸ 3¸¶¸®~
¡Ú¡Ú¿µµîö ´ë¹° ½ÃÁð OPEN Âß~ ¿¹¾à °¡´É!!!¡Ú¡Ú

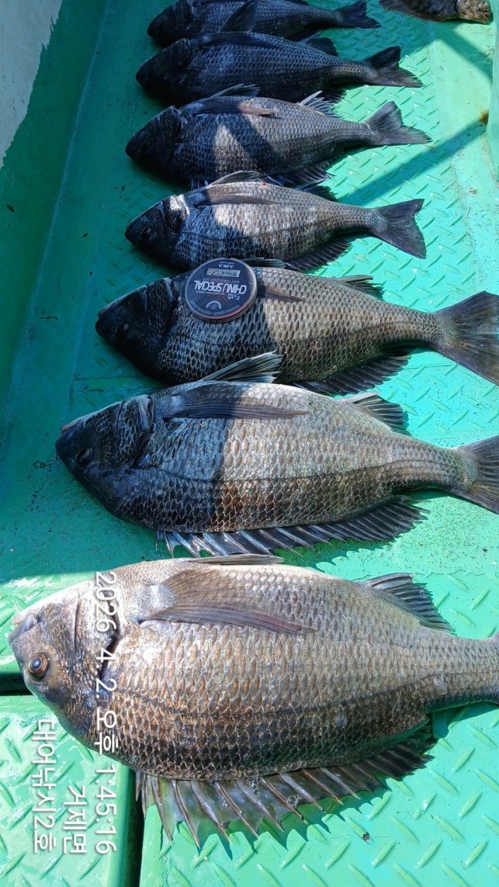
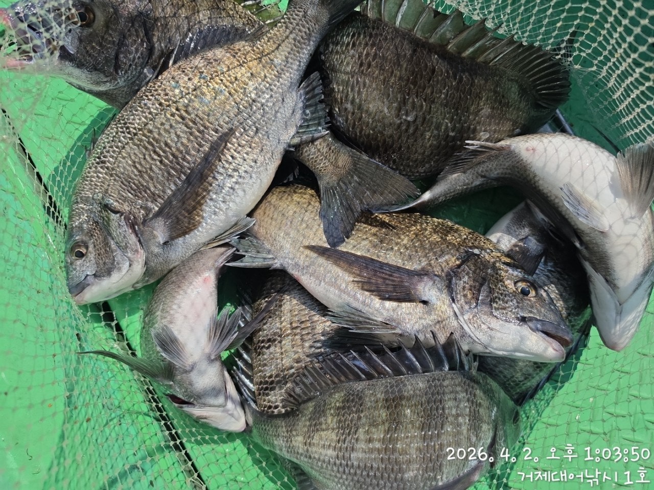
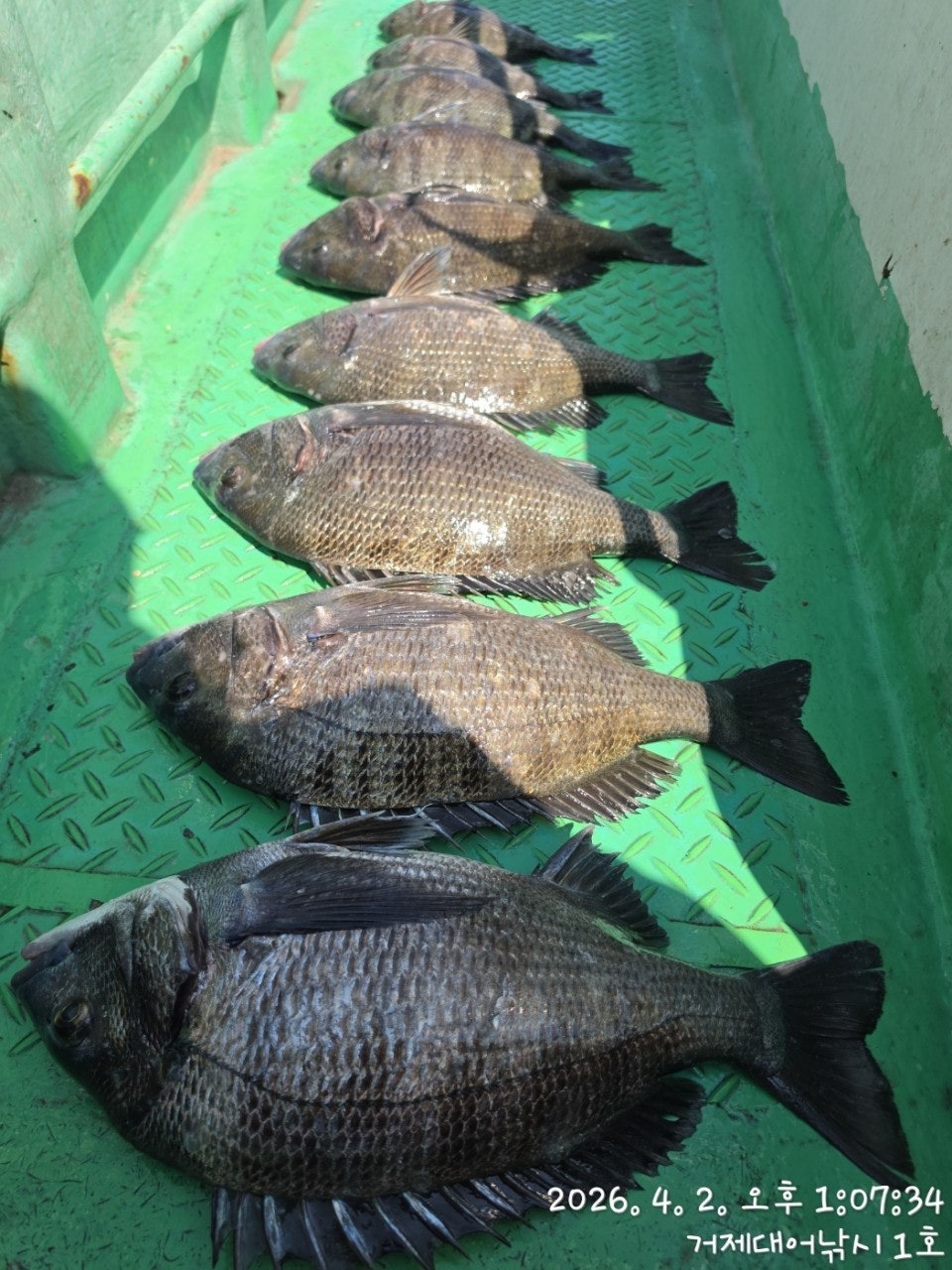
°ÅÁ¦´ë¾î³¬½Ã1È£ ´ë¹° °¨¼ºµ¼È긲³¬½Ã Á¶È²ÀÔ´Ï´Ù.
½Â·ü ³ôÀº ¹°¶§ ±¸°£ ¿µµî»ç¸® ¿ª½Ã³ª ´ë¹°µéÀÇ °ø°ÝÀÌ À̾îÁý´Ï´Ù.
¹öƼ±â Èûµé Á¤µµÀÇ ÆÄ¿ö¿¡ »õº® ŸÀÓ ÆÃ ÆÃ ÆÃ~ ÃѼҸ®°¡ ¿ï·ÁÆÛÁö³×¿ä
5¹æ Ãѽî°í 4Â¥ 4Â¥ 4Â¥ 4Â¥ 4Â¥ 4Â¥ ¿Ü ¸¶¸´¼ö·Î ¸¶¹«¸® ÇÕ´Ï´Ù.
ÅÍÁø ³ðµéÀº ºÐ¸íÈ÷ 5Â¥µéÀÏÅÙµ¥ ´ë¹° ¹°¶§´Â Âß~À̾îÁö´Ï ³»ÀÏ
´Ù½Ã µµÀüÇØº¸°Ú½À´Ï´Ù ÇÔ²²ÇÏ½Ç ºÐµé ¿¬¶ôÁֽʽÿÀ~

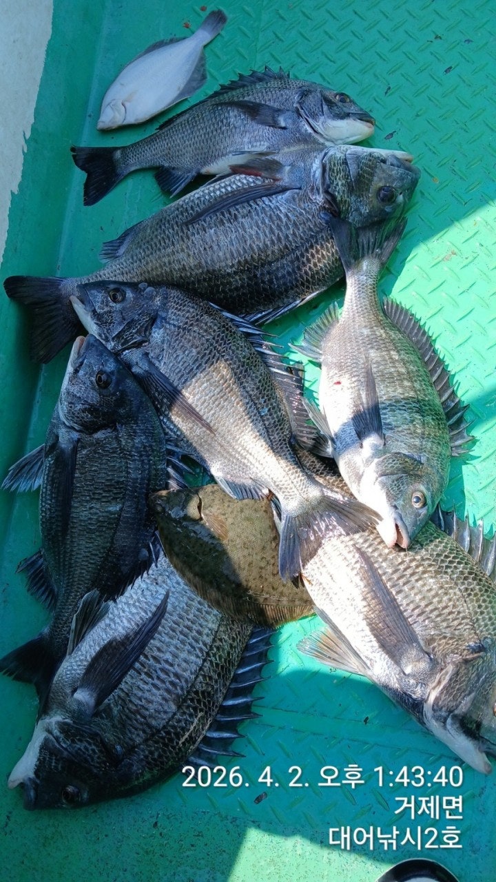
°ÅÁ¦´ë¾î³¬½Ã2È£ ¾îÃÊ¿©¹ç È긲 Á¶È²ÀÔ´Ï´Ù.
ÃÊ´ë¹Ú Á¶È²À̳׿ä~ 53 52 50 5Â¥ 5Â¥ 5Â¥ ¿Ü 4Â¥4Â¥4Â¥
µ¢Ä¡µé·Î ¸¶¸´¼ö¸¦ ä¿ü½À´Ï´Ù. ¿µµî »ç¸® ¾¾¾Ë±ÞµéÀÌ
¿òÁ÷ÀÌ´Â °¡Àå È®·ü ³ôÀº ¹°¶§ ³ðµéÀÇ ±æ¸ñÀ» Á¤È®ÇϰÔ
ÆÄ¾ÇÇÑ µí ÇÕ´Ï´Ù ÁÖ¸»±îÁö À̾îÁú ÁÁÀº ¹°¶§ ±¸°£ ³õÄ¡Áö
¸¶½Ê½Ã¿À ¿¹¾à °¡´ÉÇÕ´Ï´Ù~

3ÀÏ(±Ý¿äÀÏ) °ÅÁ¦Ãâ¹ß ¾îÃÊ¿©¹ç ´ë¹° °¨¼ºµ¼³¬½Ã ¿¹¾à °¡´ÉÇÕ´Ï´Ù~
°ÅÁ¦µµ ´ë¹°°¨¼ºµ¼ ¿µµîöÀÌ º»°Ý ½ÃÀ۵Ǿú½À´Ï´Ù. ´ë¹° ¼Õ¸Àº¸·¯ ¿À½ÇºÐ~
¿À´Ãµµ °ÅÁ¦´ë¾î³¬½Ã¿Í ÇÔ²²ÇØÁֽŠÁ¶»ç´Ôµé ¼ö°í ¸¹À¸¼Ì½À´Ï´Ù.
¡Ø ¼Õ¸À º¸½Ã°í ö¼ö ÇϽǶ§ ¿äû Áֽøé ÀâÀ¸½Å °í±â ¼ÒÁ¤ÀÇ ºñ¿ëÀ¸·Î ¼ÕÁú
ÇØµå¸³´Ï´Ù~ ¼±Àå´Ô²² ¿äÃ»ÇØ ÁÖ¼¼¿ä~

¢Ã °ÅÁ¦´ë¾î³¬½Ã ¾îÃÊ¿©¹ç °¨¼ºµ¼ /¼±¿Ü±â´ë¿© ÀÏÁ¤ ¾È³» ¢Ã
¡Ù4¿ù 3ÀÏ(±Ý) ÃâÁ¶ È®Á¤~ ¾îÃÊ¿©¹ç °¨¼ºµ¼³¬½Ã ¼±¿Ü±â´ë¿© "¿¹¾à°¡´É"
¡Ù4¿ù 4ÀÏ(Åä) ÃâÁ¶ È®Á¤~ ¾îÃÊ¿©¹ç °¨¼ºµ¼³¬½Ã ¼±¿Ü±â´ë¿© "¿¹¾à°¡´É"
¡Ù4¿ù 5ÀÏ(ÀÏ) ÃâÁ¶ È®Á¤~ ¾îÃÊ¿©¹ç °¨¼ºµ¼³¬½Ã ¼±¿Ü±â´ë¿© "¿¹¾à°¡´É"
¡Ù4¿ù 6ÀÏ(¿ù) ÃâÁ¶ È®Á¤~ ¾îÃÊ¿©¹ç °¨¼ºµ¼³¬½Ã ¼±¿Ü±â´ë¿© "¿¹¾à°¡´É"
¡Ø ÁÁÀº Æ÷ÀÎÆ® ¼±Á¤À» À§ÇØ ¿¹¾àÀ» ¹Ì¸®¹Ì¸® ¼­µÑ·¯ Áֽʽÿä.

°ÅÁ¦´ë¾î³¬½Ã ¼±»ó³¬½Ã ¿¹¾à(µ¶Ã¤ ¹Î¹Ú ¿î¿µ)
¹®ÀÇ ¢Ï 010-6400-2082 / ¢Ï 010-454-3937
¤±¼±¿Ü±â ¿¹¾à: ¢Ï 010-6400-2082
¤± ¹êµå: https://band.us/@geojdaeeofishing
°ÅÁ¦´ë¾î³¬½Ã´Â 1~7¼±´ÜÀ» ¿î¿µÇϰí ÀÖ½À´Ï´Ù.
´ÜüÆÀ/ȸ»çÆÀ/±â¾÷ÆÀ/µ¿È£È¸ÆÀ/¼±»ó ³¬½Ã´ëȸµµ °¡´ÉÇÑ ÃæºÐÇÑ ÀοøÀ» ¼ö¿ë
°¡´ÉÇÕ´Ï´Ù.

¢Ã °ÅÁ¦Ãâ¹ß ¢º»ç·®µµ Çѻ굵±Ç Á÷Ç× "µ¹¹®¾î³¬½Ã" ¢Ã
- 04½Ã 30ºÐ Ãâ¹ß ~ ¿ÀÈÄ 1½Ã(À¯µ¿Àû) ö¼ö
- µµ½Ã¶ô, »ý¼ö, Ä¿ÇÇ Á¦°øÇÕ´Ï´Ù.

¢Ã µ¹¹®¾î »ýȰ³¬½Ã & ³¬½ÃüÇè ¢Ã ¸ö¸¸ ¿À½Ã¸é µË´Ï´Ù.
- ³¬½Ë´ë, ÀåºñÀÏÀýÁ¦°ø, ±¸¸íº¹ Á¦°ø
- °¡Á·µé, ¿©¸§ÈÞ°¡, ´ÜüÆÀµé ´ëȯ¿µ~ °¡¼ººñ ÁÁ½À´Ï´Ù.

¡á Âüµ¼ È긲³¬½Ã (³»¸¸±Ç/ÁßÀå°Å¸® »ó½Ã ÃâÁ¶)
ÇѳªÀý:»õº®ºÎÅÍ ~ 2½Ã±îÁö(À¯µ¿Àû) 14¸¸¿ø
- ¹Ø¹ä,¹Ì³¢,µµ½Ã¶ô Á¦°ø, Ä¿ÇÇ, À½·á, »ý¼ö Á¦°ø
(³¬½Ë´ë) ±âº» 1.5È£~2È£´ë 530(°æÁú´ë ¼±È£)
(¸±) 4000¹ø~6000¹ø. ±Ç»ç·® 150~200¹ÌÅÍ ÃßõµÇ´Â ½ºÇǴ׸±.
(¶óÀÎ) ¿øÁÙ 4~6È£ ÇÃ·ÎÆÃ ¼¼¹ÌŸÀÔ, ¸ñÁÙ ÈķηÎÄ«º» 100% 4È£~6È£ ¼±È£.
(¹Ù´Ã) Âüµ¼ 8~12È£, Å¥¼Ç¶Ç´Â ¼öÁßÅ¥¼Ç -2B ~ -5B, Á¼½ÒºÀµ¹, ½ºÀ§º§µµ·¡
¡Øµ¶¹è´Â ½Ã°£ Á¶Á¤ °¡´ÉÇÕ´Ï´Ù.

¢Ë °ÅÁ¦´ë¾î³¬½Ã Âüµ¼ ½Ã»ó ³»¿ª ¢Ë ÀÏ 1¸í¾¿ ½Ã»óµË´Ï´Ù.
68Cm ÀÌ»ó - ÃÖ»ó±Þ ¿øÁÙ ÁõÁ¤

¡á ¼±¿Ü±â ´ë¿©
(4ÀνÂ)- 13¸¸¿ø, (3ÀνÂ) - 10¸¸¿ø / (2ÀνÂ) - 8¸¸¿ø / (1ÀνÂ)- 7¸¸¿ø.
¿µ¾÷±¸¿ª ³» Á¶Á¤¸éÇãÁõ ÇÊ¿ä ¾øÀ¸¹Ç·Î, ´©±¸³ª ÀÌ¿ëÀÌ °¡´ÉÇÕ´Ï´Ù.
- ¼±¿Ü±â »ç¿ë±³À° 3ºÐÀÌ¸é ¹Ù·Î, ¿îÀüÇÏ½Ç ¼ö ÀÖ½À´Ï´Ù.

¡Ú¾ÈÀü ÁÖÀÇ »çÇסÚ
- °ÅÁ¦´ë¾î³¬½Ã ¼±´Ü ÀÌ¿ë½Ã,¾ÈÀüÇÑ ³¬½Ã¸¦ À§ÇØ ¼±ÂøÀå Åë·Î ÀÌ¿ë½Ã ¹Ì²ø¸²À»
ÁÖÀÇ ÇØ ÁÖ½Ã±æ ¹Ù¶ø´Ï´Ù. Åë·Î Á¿쿡 ÀÖ´Â ÇÚµéÀ» Àâ°í À̵¿ÇÏ½Ã¸é ¾ÈÀüÇÕ´Ï´Ù.
- ¼±ÂøÀåµµÂøÀü, ¹è¿¡¼­ ¹Ì¸® ³»¸®Áö ¸¶½Ã°í, ¹è°¡ Á¤¹ÚÇϰí, ·ÎÇÁ¸¦ ¹­Àº µÚ¿¡
Çϼ±ÇØ ÁÖ½Ã±æ ¹Ù¶ø´Ï´Ù.

¡Ú´ë¾î³¬½Ã ¼±´Ü¡Ú
°ÅÁ¦ ´ë¾î³¬½Ã 1È£ ¤Ñ ¾ÈÁ©¶óÈ£
°ÅÁ¦ ´ë¾î³¬½Ã 2È£ ¤Ñ ¾Èµå·¹¾ÆÈ£
°ÅÁ¦ ´ë¾î³¬½Ã 3È£ ¤Ñ ¾ßÈ£(YAHO)
°ÅÁ¦ ´ë¾î³¬½Ã 4È£ ¤Ñ µ¹ÇÉÈ£
°ÅÁ¦ ´ë¾î³¬½Ã 5È£ ¤Ñ ¹Ì·¡È£
°ÅÁ¦ ´ë¾î³¬½Ã 6È£ ¤Ñ °ÅÁ¦¹Ù´ÙÈ£
°ÅÁ¦ ´ë¾î³¬½Ã 7È£ ¤Ñ »ç¶ûÈ£

¡á ÁÖº¯ Á¦ÈÞ ¹Î¹ÚÁý ¡á
¾ÆÁö¶û ¹Î¹Ú(´Üü-µ¶Ã¤) ¢Ï010-6400-2082
ÇØ¼Û±¼±¸ÀÌ¹Î¹Ú (´Üü) ¢Ï010-2545-3755
°ÅÁ¦ ´ë¾î³¬½Ã ÁÖº¯ ÆÄ¶ó½ºÆÄÂòÁú¹æ °Ë»öÇÏ½Ã¸é µË´Ï´Ù.

¡á ȯºÒ ±ÔÁ¤ ¡á
°ÅÁ¦´ë¾î³¬½Ã¿¡¼­´Â ÃâÁ¶¿¡ ´ëÇÑ È¯ºÒ±ÔÁ¤À» ¾Æ·¡¿Í °°ÀÌ ¿î¿µÁßÀÔ´Ï´Ù.
"¿¹¾à¿Ï·á" È®Á¤½Ã ÃâÁ¶ºñ Àü¾× ȯºÒÀÌ µÇÁö ¾Ê½À´Ï´Ù.
1ÀÏÀü, µµ½Ã¶ô°ú ¹Ø¹ä¿¡ µû¸¥ ½Çºñ¿Ü¿¡ ȯºÒ(ÃâÁ¶ÀÏ º¯°æ °¡´É)
2ÀÏÀü, ÃâÁ¶ºñ Àü¾× ȯºÒ,
"¿¹¾à ¿Ï·á" °øÁö ÀÌÈÄ, Ãë¼Ò ¿äû½Ã¿¡´Â ȯºÒµÇÁö ¾Ê½À´Ï´Ù.

¡Úã¾Æ¿À½Ã´Â±æ¡Ú
¡ØÃâÇ×Áö: °ÅÁ¦½Ã °ÅÁ¦¸é ¹ýµ¿¸® 1074¹øÁö ¾ÆÁö¶û°æ·Î´ç ¹æÆÄÁ¦
¡Ú¡Ú¡Ú½ÅºÐÁõ ²À ÁöÂüÇØÁÖ¼¼¿ä¡Ú¡Ú¡Ú

¢Ï °ÅÁ¦´ë¾î³¬½Ã ¼±»ó³¬½Ã ¿¹¾à(µ¶Ã¤ ¹Î¹Ú) ¹®ÀÇ¢Ï
¢Ï 010-6400-2082 / ¢Ï 010-4547-3937
¤±¼±¿Ü±â: ¢Ï 010-6400-2082
¡á ¹êµå: https://band.us/@geojdaeeofishing
  • »ç¿ëÀÚ°¡ ¿Ã¸° À̹ÌÁö

 * °¡²û ±¤°í¸¦ Ŭ¸¯ÇØ ºÁ ÁÖ½Ã¸é ³¬¶û »çÀÌÆ® ¿î¿µ¿¡ µµ¿òÀÌ µË´Ï´Ù ^^
     
ÃÑ 0°³ÀÇ ´ñ±ÛÀÌ ÀÖ½À´Ï´Ù.

    ´ñ±Û¾²±â     [·Î±×ÀÎ] | [ȸ¿ø°¡ÀÔ]
 
 
4916(°¨¼ºµ¼)5Â¥¸¸ 4¸¶¸®~4Â¥ ÃÊÁßÈÄ ÆÇ¶¼±â ´ë¹ÚÁ¶È²~´ë¾î³¬½Ã(6ÀÏ ¿¹¾à) ¾Æ¶ó¹Ù¶÷26.04.03747
4915(°¨¼ºµ¼)ÃÊ´ë¹Ú 5Â¥~4Â¥ ´ë¹°ÆÀ ¿Ü ¸¶¸´¼ö ŸÀÛ ÆÀ~´ë¾î¼±¿Ü±â(6ÀÏ ¿¹¾à) ¾Æ¶ó¹Ù¶÷26.04.03773
4914(°¨¼ºµ¼)4Â¥ÈĹÝ(47Cm) 4Â¥ÃʹÝ(42Cm) µ¢Ä¡µé~Á¨Æ²È£(5ÀÏ ÃâÇ×È®Á¤) ¾Æ¶ó¹Ù¶÷26.04.03785
4913(°¨¼ºµ¼)´Ù ÅÍÀ𹬰í 4Â¥4Â¥4Â¥4Â¥4Â¥4Â¥ ¿Ü ÆÜÆÜ~¾ßÈ£(5ÀÏ ¿¹¾à) ¾Æ¶ó¹Ù¶÷26.04.03849
4912(°¨¼ºµ¼)4Â¥ºÎÅÍ 3Â¥±îÁö ´ã°í´ã°í ´ë¹Ú ¼Õ¸À~´ë¾çÈ£(5ÀÏ ¿¹¾à) ¾Æ¶ó¹Ù¶÷26.04.03825
4911(°¨¼ºµ¼)´ë¹° ¹°¶§ ½Ç½Ã°£ Àß»ý±ä 4Â¥·Î ½ÃÀÛ~Á¨Æ²È£(5ÀÏ ÃâÇ×È®Á¤) ¾Æ¶ó¹Ù¶÷26.04.031,180
4910(°¨¼ºµ¼)ÃÊ´ë¹Ú Á¶±âö¼ö~5Â¥~5Â¥±Þ 4Â¥ ¶¼°í±â ´ë¾î¼±¿Ü±â(4ÀÏ ¿¹¾à) ¾Æ¶ó¹Ù¶÷26.04.03425
4909(½Ç½Ã°£)¿µµî °¨¼ºµ¼ ºÒ°¨´ç 4¹æ ÆÃ~4Â¥ ŸÀÛ ñé ¾ßÈ£(4ÀÏ ¿¹¾à) ¾Æ¶ó¹Ù¶÷26.04.03401
4908(°¨¼ºµ¼)½Ç½Ã°£ »çÅõ ñé 5Â¥~4Â¥ °É¸é Å©´Ù~´ë¾î³¬½Ã(4ÀÏ ¿¹¾à) ¾Æ¶ó¹Ù¶÷26.04.03401
4907(´Ù´ëÆ÷)ºÎ½Ã¸®¶¼ Á¡·É ¼Õ¸À 100ÇÁ·Î ÆÛ ´ã¾Ò³×¿ä~¿ëÁøÈ£(5ÀÏ ¿¹¾à) ¾Æ¶ó¹Ù¶÷26.04.031,127
4906(º¼¶ô)¿ëÃÊ,ºñÁøµµ±Ç 20 25Cm ÀüÈÄ ¹Ý¦ Çǵù~°í°í½á´ÏÈ£(18½Ã ÃâÇ×) ¾Æ¶ó¹Ù¶÷26.04.031,140
4905(ÇØ±Ý°­±Ç)¿Õº¼¶ô ²ÉÀÌ È°Â¦~¾¾¾Ë ¸¶¸´¼ö OK~½Å¼ºÈ£(¿À´Ã ¿¹¾à) ¾Æ¶ó¹Ù¶÷26.04.03894
  1   2   3   4   5   6   7   8   9   10   

³¬½Ã»ç¶û¼Ò°³ | ¿À½Ã´Â±æ | ³¬½Ã»ç¶û¹è³Ê | ÀÌ¿ë¾à°ü | À̸ÞÀϹ«´Ü¼öÁý°ÅºÎ | °³ÀÎÁ¤º¸Ãë±Þ¹æÄ§ | ±Ç¸®Ä§ÇØ½Å°í¼¾ÅÍ
Copyright 1997~2022 (ÁÖ)À¥¶óÀÌÇÁ/³¬½Ã»ç¶û All rights reserved »ç¾÷ÀÚµî·Ï¹øÈ£ 110-81-42683
»ç¾÷Àå : ¼­¿ïƯº°½Ã ¿µµîÆ÷±¸ ¿µµîÆ÷·Î 374, 3Ãþ
[±¤°í/Á¦ÈÞ ¹× Ãßõ»óǰ µî·Ï¹®ÀÇ]     [³¬½ÃÅÍ ¹× ³¬½Ë¹è µî·Ï¹®ÀÇ]     [¹Î¿ø/°ÇÀÇ/½Å°í]     [¸ÞÀϹ®ÀÇ]     [¹®ÀÇ(FAX) 02-2634-2730]